Geodetic works in building 

Информационная система
«Ёшкин Кот»

XXXecatmenu

МИНИСТЕРСТВО РЕГИОНАЛЬНОГО РАЗВИТИЯ
РОССИЙСКОЙ ФЕДЕРАЦИИ

СВОД ПРАВИЛ

СП 126.13330.2012

ГЕОДЕЗИЧЕСКИЕ РАБОТЫ
В СТРОИТЕЛЬСТВЕ

Актуализированная редакция

СНиП 3.01.03-84

Москва 2012

Предисловие

Цели и принципы стандартизации в Российской Федерации установлены Федеральным законом от 27 декабря 2002 г. № 184-ФЗ «О техническом регулировании», а правила разработки - постановлением Правительства Российской Федерации «О порядке разработки и утверждения сводов правил» от 19 ноября 2008 г. № 858.

Сведения о своде правил

1 ИСПОЛНИТЕЛИ - ООО «Тектоплан», ГУП «Мосгоргеотрест», МГУГиК (МИИГАиК), ОАО «ГСПИ»

2 ВНЕСЕН Техническим комитетом по стандартизации ТК 465 «Строительство»

3 ПОДГОТОВЛЕН к утверждению Департаментом архитектуры, строительства и градостроительной политики

4 УТВЕРЖДЕН приказом Министерства регионального развития Российской Федерации (Минрегион России) от 29 декабря 2011 г. № 635/1 и введен в действие с 1 января 2013 г.

5 ЗАРЕГИСТРИРОВАН Федеральным агентством по техническому регулированию и метрологии (Росстандарт). Пересмотр СП 126.13330.2011 «СНиП 3.01.03-84 Геодезические работы в строительстве»

Информация об изменениях к настоящему своду правил публикуется в ежегодно издаваемом информационном указателе «Национальные стандарты», а текст изменений и поправок - в ежемесячно издаваемых информационных указателях «Национальные стандарты». В случае пересмотра (замены) или отмены настоящего свода правил соответствующее уведомление будет опубликовано в ежемесячно издаваемом информационном указателе «Национальные стандарты». Соответствующая информация, уведомление и тексты размещаются также в информационной системе общего пользования - на официальном сайте разработчика (Минрегион России) в сети Интернет.

СОДЕРЖАНИЕ

1 Область применения. 4

2 Нормативные ссылки. 4

3 Термины и определения. 4

4 Общие положения. 5

5 Геодезическая разбивочная основа для строительства. 6

6 Разбивочные работы в процессе строительства. 9

7 Геодезический контроль точности геометрических параметров разбивочных работ возводимых конструкций. Виды, методы и объекты контроля по стадиям производства. Исполнительная документация. 12

8 Мониторинг смещаемости и деформативности возводимых строительных конструкций. 14

9 Исполнительная и контрольная съемка подземных сетей. 20

Приложение А (обязательное). Перечень нормативных документов. 22

Приложение Б (обязательное). Термины и определения. 22

Приложение В (справочное). Основные функции застройщика (заказчика) по обеспечению выполнения геодезических работ при строительстве. 24

Приложение Г (справочное). Состав и содержание проектов производства геодезических работ (ППГР), разрабатываемых силами застройщика. 25

Приложение Д (обязательное). Акт приемки геодезической разбивочной основы для строительства (типовой). Акт приемки-передачи результатов геодезических работ при строительстве зданий и сооружений (типовой) 25

Приложение Е (справочное). Расчет погрешности при выборе методов и средств измерений при нормальных условиях, ГОСТ 21778. 27

Приложение Ж.1 (справочное). Перечень технических характеристик подземных и надземных инженерных коммуникаций, отображаемых при исполнительных съемках. 27

Приложение Ж.2 (справочное). Каталог координат точек трассы общего коллектора. 30

Приложение Ж.3 (справочное). Образец исполнительного чертежа водопровода. 32

Приложение Ж.4 (справочное). Образец исполнительного чертежа газопровода. 35

Приложение Ж.5 (справочное). Образец исполнительного чертежа электрокабеля. 37

Приложение Ж.6 (справочное). Образец исполнительного чертежа электрокоррозионной защиты.. 39

Приложение Ж.7 (справочное). Образец исполнительного чертежа электрокабеля наружного освещения. 41

Приложение Ж.8 (справочное). Образец исполнительного чертежа общего коллектора. 43

Приложение Ж.9 (справочное). Образец исполнительного чертежа канализации. 50

Приложение Ж.10 (справочное). Образец исполнительного чертежа водостока. 53

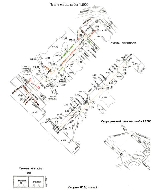
Приложение Ж.11 (справочное). Образец исполнительного чертежа теплосети и дренажа. 55

Приложение Ж.12 (справочное). Образец исполнительного чертежа телефонной канализации. 57

Приложение Ж.13 (справочное). Исполнительный чертеж труб ГНБ. 59

Приложение Ж.14 (справочное). Исполнительные съемки строительных конструкций, ГОСТ Р 51872. 62

Приложение И (справочное). Методика высокоточного геометрического нивелирования короткими визирными лучами. 65

Приложение К (справочное). Типы и конструкции знаков закрепления основных и главных разбивочных осей, глубинные реперы.. 67

Приложение Л (справочное). Типовая схема геодезической основы для наблюдения за деформацией зданий. 71

Приложение М (справочное). Мониторинг здании и сооружений в процессе эксплуатации. 72

Библиография. 73

 

СП 126.13330.2012

СВОД ПРАВИЛ

ГЕОДЕЗИЧЕСКИЕ РАБОТЫ В СТРОИТЕЛЬСТВЕ

Geodetic works in building

Дата введения 2013-01-01

1 Область применения

Настоящий свод правил распространяется на производство геодезических работ, контроль точности геометрических параметров возводимых конструкций, мониторинг их смещаемости и деформативности.

При строительстве линейных сооружений, линий электропередачи, связи, трубопроводов и других объектов технической инфраструктуры, а также автомобильных, железных дорог, тоннелей, гидротехнических сооружений должны учитываться требования действующих нормативных документов [6], [10].

В отношении объектов военной инфраструктуры Вооруженных сил Российской Федерации, объектов производства, переработки, хранения радиоактивных и взрывчатых веществ и материалов, объектов по хранению и уничтожению химического оружия и средств взрывания, иных объектов, для которых устанавливаются требования, связанные с обеспечением ядерной и радиоактивной безопасности в области использования атомной энергии, должны дополнительно соблюдаться требования, установленные государственными заказчиками, федеральными органами исполнительной власти, уполномоченными в области безопасности указанных объектов, и государственными контрактами (договорами).

Требования свода правил могут также распространяться на здания и сооружения, строительство которых в соответствии с законодательством о градостроительной деятельности может осуществляться без разрешения на строительство, а также на объекты индивидуального жилищного строительства, возводимые застройщиками (физическими лицами) собственными силами, в том числе с привлечением наемных работников на принадлежащих им земельных участках СП 48.13330.

При расчете точности выполнения измерений для монтажа технологического оборудования, мониторинга несмещаемости и деформативности возводимых конструкций в процессе производства работ, необходимо соблюдать дополнительные требования, предусмотренные проектной документацией СНиП 12-03 Часть 1. СНиП 12-04 Часть 2.

2 Нормативные ссылки

В настоящем своде правил использованы ссылки на нормативные документы, приведенные в приложении А.

3 Термины и определения

В настоящем своде правил применены следующие термины с соответствующими определениями, приведенные в приложении Б.

Примечание - При пользовании настоящим сводом правил целесообразно проверить действие ссылочных стандартов и классификаторов в информационной системе общего пользования на официальном сайте национального органа Российской Федерации по стандартизации в сети Интернет или по ежегодно издаваемому информационному указателю «Национальные стандарты», который опубликован по состоянию на 1 января текущего года, и по соответствующим ежемесячно издаваемым информационным указателям, опубликованным в текущем году. Если ссылочный документ заменен (изменен), то при пользовании настоящим сводом правил следует руководствоваться замененным (измененным) документом. Если ссылочный документ отменен без замены, то положение, в котором дана ссылка на него, применяется в части, не затрагивающей эту ссылку.

4 Общие положения

4.1 Геодезические работы в строительстве следует выполнять в объеме и с необходимой точностью, обеспечивающих размещения возводимых объектов в соответствии с проектами генеральных планов строительства, соответствие геометрических параметров, заложенных в проектной документации, требованиям сводов правил и государственных стандартов Российской Федерации.

4.2 В состав геодезических работ, выполняемых на строительной площадке, входят:

а) создание геодезической разбивочной основы для строительства, включающей в себя построение разбивочной сети строительной площадки для выноса в натуру основных или главных разбивочных осей зданий и сооружений, магистральных и внеплощадочных линейных сооружений, а также для монтажа технологического оборудования;

б) разбивка внутриплощадочных (кроме магистральных) линейных сооружений или их частей, временных зданий (сооружений);

в) создание внутренней разбивочной сети здания (сооружения) на исходном и монтажном горизонтах и разбивочной сети для монтажа технологического оборудования, если это предусмотрено в проекте производства геодезических работ или в проекте производства работ, а также производство детальных разбивочных работ;

г) геодезический контроль точности геометрических параметров зданий (сооружений) и исполнительные съемки с составлением исполнительной геодезической документации СП 70.13330;

д) геодезические измерения деформации оснований, конструкций зданий (сооружений) и их частей, если это предусмотрено проектной документацией, установлены авторским надзором или органами государственного надзора (СП 20.13330).

Методы и требования к точности геодезических измерений деформаций оснований зданий (сооружений) следует принимать по ГОСТ 24846.

4.3 Основные функции застройщика по обеспечению геодезических работ приведены в СП 48.13330.

4.4 Геодезические работы являются неотъемлемой частью технологического процесса строительного производства и их следует проводить по проекту и единому для данной строительной площадке графику, увязанному со сроками выполнения общестроительных, монтажных и специальных работ.

4.5 При строительстве крупных и сложных объектов, а также высотных зданий следует разрабатывать проекты производства геодезических работ (ППГР) в порядке, установленном для разработки проектов производства работ в полном или неполном объемах.

4.6 ППГР должен разрабатываться с использованием решений, принятых в проекте организации геодезических работ (ПОГР), входящим в проект организации строительства (ПОС).

4.7 ППГР должны разрабатываться в полном или неполном объемах, СП 48.13330.

4.8 До начала выполнения геодезических работ на строительной площадке рабочие чертежи, используемые при разбивочных работах, должны быть проверены в части взаимной увязки размеров, координат и отметок (высот) и разрешены к производству техническим надзором заказчика.

4.9 Геодезические работы следует выполнять средствами измерений необходимой точности.

Геодезические работы при строительстве линейных сооружений, монтаже подкрановых путей, вертикальной планировке следует выполнять преимущественно лазерными приборами.

4.10 После приемки геодезической разбивочной основы у застройщика (заказчика) следует оформлять соответствующий акт (см. приложение Д).

Заказчик (застройщик) может проконтролировать достоверность исполнительных геодезических схем. С этой целью лицо, осуществляющее строительство, должно сохранить до момента завершения приемки закрепленные в натуре знаки, фиксирующие местоположение створов разбивочных осей и монтажные ориентиры.

4.11 Геодезические работы следует проводить средствами измерений необходимой точности.

Геодезические работы при строительстве линейных сооружений, монтаже подкрановых путей, вертикальной планировке следует выполнять преимущественно лазерными приборами.

Геодезические приборы должны быть поверены и отъюстированы. Организацию проведения поверок следует осуществлять в соответствии с правилами и периодичностью поверок, регламентированных в соответствии с требованиями ГКИНТ (ГНТА) 17-195-99 [1] и могут уточняться по инструкциям производителей приборов ГОСТ 7502.

4.12 Участники строительства - лица, осуществляющие строительство, застройщик (заказчик), проектировщик - должны осуществлять строительный контроль, предусмотренный законодательством Российской Федерации о градостроительной деятельности с целью оценки соответствия строительно-монтажных работ, возводимых конструкций и систем инженерно-технического обеспечения здания, сооружения, требованиям технических регламентов и проектной документации [5].

Контроль проводится преимущественно выборочно по альтернативному или количественному признаку ГОСТ 23616. Лицо, проводящее контроль, выполняет сплошной входной контроль по освидетельствованию геодезической разбивочной основы.

4.13 После приемки геодезической разбивочной основы с застройщиком (заказчиком) следует оформить соответствующий акт (см. приложение Г).

Заказчик (застройщик) может выполнить контроль достоверности исполнительных геодезических схем. С этой целью лицо, осуществляющее строительство, должно сохранить до момента завершения приемки закрепленные в натуре знаки, фиксирующие местоположение створов разбивочных осей и монтажные ориентиры.

5 Геодезическая разбивочная основа для строительства

5.1 Геодезическую разбивочную основу на строительной площадке или вблизи объекта строительства следует создавать в виде сети закрепленных знаками геодезических пунктов в местах, обеспечивающих их сохранность на весь период строительства с учетом удобства, определения положения здания (сооружения) на местности и обеспечивающих выполнение дальнейших построений и измерений в процессе строительства с необходимой точностью.

5.2 Геодезическую разбивочную основу для строительства надлежит создавать с привязкой к имеющимся в районе строительства пунктам государственных геодезических сетей или к пунктам сетей, имеющих координаты и отметки в системах координат субъектов Российской Федерации (МСК-СРФ).

5.3 Геодезическую разбивочную основу для строительства следует создавать с учетом:

проектного и существующего размещений зданий (сооружений) и инженерных сетей на строительной площадке;

обеспечения сохранности и устойчивости знаков, закрепляющих пункты разбивочной основы;

геологических, температурных, динамических процессов и других воздействий в районе строительства, которые могут оказать неблагоприятное влияние на сохранность и стабильность положения пунктов;

использования создаваемой геодезической разбивочной основы в процессе эксплуатации построенного объекта, его расширения и реконструкции.

5.4 Работы по построению геодезической разбивочной основы для строительства следует выполнять в соответствии с указаниями ППГР, составленных на основе генерального плана и стройгенплана объекта строительства.

В результате вычисления геодезических разбивочных работ должны быть оформлены разбивочные чертежи, каталоги координат и отметок исходных пунктов и каталоги (ведомости) проектных и фактических координат и отметок, чертежи геодезических знаков, пояснительная записка.

Разработку проекта (чертежа) геодезической разбивочной основы для строительства следует проводить в порядке и сроки, соответствующие принятым стадиям проектирования и очередям строительства.

Чертеж геодезической разбивочной основы следует составлять в масштабе генерального плана строительной площадки.

5.5 Построение геодезической разбивочной основы для строительства следует производить методами триангуляции, полигонометрии, линейно-угловыми построениями, спутниковыми определениями координат в системах МСК-СРФ и другими методами, обеспечивающими точность в соответствии с таблицей 1.

5.6 Разбивочная сеть строительной площадки создается для выноса в натуру основных или главных разбивочных осей здания (сооружения), а также, при необходимости, для построения внешней разбивочной сети здания (сооружения), производства исполнительных съемок, наблюдения за осадками и другими деформациями.

Внешняя разбивочная сеть здания (сооружения) создается для перенесения в натуру и закрепления проектных параметров здания (сооружения), производства детальных разбивочных работ и исполнительных съемок.

5.7 Плановую разбивочную сеть строительной площадки следует создавать в виде:

а) красных или других линий регулирования застройки;

б) строительной сетки, как правило, с размерами сторон 50; 100; 200 м и других видов геодезических сетей.

Схемы разбивочных сетей типы и конструкции знаков, в том числе глубинных реперов строительной площадки приведены в приложении К.

5.8 Внешнюю разбивочную сеть здания (сооружения) следует создавать в виде геодезической сети, пункты которой закрепляют на местности основные (главные) разбивочные оси, а также углы здания (сооружения), образованные пересечением основных разбивочных осей.

Для прокладки трасс дорог, надземных и подземных коммуникаций разбивочная сеть должна создаваться в виде линий, параллельных трассам с расположением их в местах, где обеспечивается их долговременная сохранность.

5.9 Нивелирные сети строительной площадки и внешней разбивочной сети здания (сооружения) необходимо создавать в виде нивелирных ходов, опирающихся не менее чем на два репера геодезической сети.

Пункты нивелирной и плановой разбивочных сетей, как правило, следует совмещать.

5.10 При выполнении разбивочных работ с использованием приборно-инструментальных комплексов ГЛОНАСС/GPS базовые пункты сети следует располагать в тех местах, где применение спутниковых технологий и методов измерений обеспечивает нормированную точность (см. таблицы 1 и 2).

5.11 Построение разбивочной геодезической основы для строительства следует проводить методами, отвечающими точности местоположения (в плане и по высоте), необходимой для производства строительно-монтажных работ с использованием пунктов, знаков и реперов сетей и заложенных в период изыскательских работ согласно [8].

Таблица 1

Характеристика объектов строительства

Величины среднеквадратических погрешностей построения разбивочной сети строительной площадки

Предельная погрешность взаимного положения смежных пунктов геодезической сети плоских прямоугольных координат в системе МСК-СРФ, X;Y, мм

Плотность пунктов опорной геодезической сети в застроенной (незастроенной) территории

Угловые измерения, с

Линейные измерения

Определение превышения на 1 км хода, (отметок смежных реперов), мм

1 Предприятия и группы зданий (сооружений) на участках площадью более 1 км2; отдельно стоящие здания (сооружения) с площадью застройки более 100 тыс. м2

3

1

25000

или (2 + 10ppm)*

3 (10)

50

16 (4)

2 Предприятия и группы зданий (сооружений) на участках площадью менее 1 км2; отдельно стоящие здания (сооружения) с площадью застройки от 10 до 100 тыс. м2

5

1

10000

(5 + 10ppm)*

6 (5)

30

9

3 Отдельно стоящие здания (сооружения) с площадью застройки менее 10 тыс. м2; дороги, инженерные сети в пределах застраиваемых территорий

10

1

5000

(10 + 10ppm)*

10 (5)

20

4 (16); для сетей и дорог пункты располагать не реже, чем через 100 м, параллельно осям трасс и в точках резкого излома трасс

4 Дороги, инженерные сети вне застраиваемых территорий; земляные сооружения, в том числе вертикальная планировка

30

1

2000

(20 + 10ppm)*

5 (10)

50

Для сетей и дорог - то же, что и в 3; для земляных сооружений и вертикальной планировки - согласно ППГР и картограмме земляных работ

* Соответствует (2 мм + 10S-6), где S - измеренное расстояние между пунктами, мм.

5.12 Точность построения разбивочной сети строительной площадки для выноса в натуру зданий и сооружений следует принимать по критериям, приведенным в таблице 1, разбивочной сети здания (сооружения), в том числе вынос основных или главных разбивочных осей и ориентиров по таблице 2.

5.13 Закрепление пунктов геодезической разбивочной основы для строительства следует проводить в соответствии с требованиями ППГР, утвержденными в установленном порядке.

5.14 Места закладки геодезических знаков должны быть указаны на генеральных планах, стройгенпланах ПОС, а также на чертежах ППГР [6].

5.15 Заказчик обязан создать геодезическую разбивочную основу для строительства и не менее чем за 10 дней до начала проведения строительно-монтажных работ передать поэтапно подрядчику техническую документацию на нее и закрепленные на площадке строительства пункты основы, в том числе:

а) знаки разбивочной сети строительной площадки;

б) плановые (осевые) знаки внешней разбивочной сети здания (сооружения) числом не менее четырех на каждую ось, в том числе знаки, определяющие точки пересечения основных разбивочных осей всех углов здания (сооружения); число разбивочных осей, закрепляемых осевыми знаками, следует определять с учетом конфигурации и размеров здания (сооружения). На местности следует закреплять основные разбивочные оси, определяющие габариты здания (сооружения), и оси в местах температурных (деформационных) швов, главные оси гидротехнических и сложных инженерных сооружений;

в) плановые (осевые) знаки линейных сооружений, определяющие ось, начало, конец трассы, колодцы (камеры), закрепленные на прямых участках не менее чем через 0,5 км и на углах поворота и резких переломах трассы;

г) нивелирные реперы по границам и внутри застраиваемой территории у каждого здания (сооружения) не менее одного, вдоль осей инженерных сетей не реже чем через 0,5 км;

д) каталоги координат, высот и абрисы всех пунктов геодезической разбивочной основы в системе МСК-СРФ.

5.16 Приемку геодезической разбивочной основы для строительства следует оформлять актом (в соответствии с приложением Д).

5.17 Принятые знаки геодезической разбивочной основы в процессе строительства должны находиться под наблюдением (сохранность и устойчивость) и проверяться инструментально не реже двух раз в год (в весенний и осенне-зимний периоды).

6 Разбивочные работы в процессе строительства

6.1 Разбивочные работы в процессе строительства должны обеспечивать вынос в натуру от пунктов геодезической разбивочной основы с заданной точностью осей и отметок реперов, определяющих в соответствии с проектной документацией положение в плане и по высоте частей и конструктивных элементов зданий (сооружений) и трасс дорог, надземных и подземных коммуникаций.

6.2 Разбивочные работы по построению основы для строительства следует проводить преимущественно координатными методами так, чтобы все главные точки пересечений осей, створные знаки закрепления осей зданий, сооружений и трасс имели координаты в осевой системе основного объекта строительства (здания, сооружения, трассы) и МСК-СРФ.

6.3 Точность разбивочных работ в процессе строительства следует принимать, руководствуясь данными таблицы 2.

В случаях строительства по проектной документации, содержащей допуски на изготовление и возведение конструкций зданий (сооружений), не предусмотренные государственными стандартами, нормами и правилами, необходимую точность разбивочных работ следует определять специальными расчетами по условиям, заложенным в проектной документации.

Если два или несколько аналогичных зданий (сооружений) связаны единой технологической линией или конструктивно, расчет точности разбивочных работ следует выполнять как для одного здания (сооружения).

6.4 Разбивочные работы для монтажа технологического оборудования и строительных конструкций необходимо выполнять с точностью, обеспечивающей соблюдение допусков, предусмотренных нормативными документами, государственными стандартами, а также проектной документацией.

6.5 Непосредственно перед выполнением разбивочных работ исполнитель должен проверить неизменность положения знаков внешней разбивочной сети здания (сооружения) и знаков определяющих местоположения трасс дорог, надземных и подземных коммуникаций путем повторных измерений элементов сети. Число измерений определяют по результатам измерений и внешнего осмотра знаков и реперов.

6.6 При устройстве фундаментов зданий (сооружений), а также прокладке инженерных сетей разбивочные оси следует переносить на обноски устройств или на другие устройства для временного закрепления осей. Вид обноски устройств, и мест их расположения следует увязывать со стройгенпланами и указывать на схеме размещения знаков в ППР.

6.7 Разбивочные оси, монтажные (ориентирные) риски следует наносить от знаков внутренних разбивочных сетей здания (сооружения). Число разбивочных осей, монтажных рисок, маяков, места их расположения, способ закрепления должны соответствовать проекту производства геодезических работ.

6.8 Внутренняя разбивочная сеть здания (сооружения) должна создаваться в виде сети геодезических пунктов на исходном и монтажных горизонтах здания (сооружения). Схема внутренней разбивочной сети здания на исходном горизонте приведена в приложении К.

Виды, схемы, точность, способы закрепления пунктов внутренней разбивочной сети здания (сооружения) следует приводить в проектах организации геодезических работ или в проектах производства геодезических работ.

6.9 Создание внутренней разбивочной сети здания (сооружения) на исходном горизонте следует выполнять с привязкой к пунктам внешней разбивочной сети, а на монтажном горизонте - к пунктам внутренней разбивочной сети исходного горизонта.

6.10 Правильность выполнения разбивочных работ должна проверяться путем проложения контрольных геодезических ходов (в направлениях, не совпадающих с принятыми при разбивке) с точностью не ниже чем при разбивке.

Предельные (допустимые) отклонения δ следует определять по формуле

δ = tm,

(6.1)

где: t - величина, равная 2; 2,5; 3; указывается при разработке проекта производства геодезических работ;

m - среднеквадратическая погрешность, принимается по таблице 2.

6.11 Передачу точек плановой внутренней разбивочной сети здания (сооружения) с исходного на монтажный горизонт следует выполнять методами наклонного, вертикального проектирования (проецирования) или с использованием приборно-инструментальных комплексов ГЛОНАСС/GPS в зависимости от высоты здания (сооружения) и его конструктивных особенностей.

6.12 Точность передачи точек плановой внутренней разбивочной сети здания (сооружения) с исходного на монтажный горизонт следует контролировать сравнением расстояний и углов между соответствующими пунктами исходного и монтажного горизонтов [8].

6.13 Высотную разбивку положения конструкций здания (сооружения), а также перенесение отметок с исходного горизонта на монтажный, как правило, следует выполнять методом геометрического нивелирования или другими методами, обеспечивающими соответствующую точность, от реперов разбивочной сети здания (сооружения). Число реперов на исходном горизонте, от которых переносятся отметки, должно быть не менее трех [8].

6.14 При выполнении работ по передаче отметок точек закрепления створов осей с исходного горизонта на монтажные, отметки реперов и точки закрепления створов осей на исходном горизонте здания (сооружения) следует принимать неизменными независимо от осадок основания. Отступление от этого требования допускается при наличии специальных обоснований в проектной документации.

6.15 Перенесенные на монтажный горизонт отметки должны быть в пределах отклонений, которые определяют по таблице 2.

За отметку монтажного горизонта, как правило, принимают среднее значение перенесенных отметок.

6.16 Результаты измерений и построений при создании внутренней разбивочной сети на исходном и монтажных горизонтах следует фиксировать составлением схем местоположения знаков, закрепляющих оси, отметки и ориентиры.

6.17 При передаче отдельных частей здания (сооружения) от одной строительно-монтажной организации другой необходимые для выполнения последующих геодезических работ знаки, закрепляющие оси, отметки, ориентиры и материалы исполнительных съемок должны быть переданы по акту в соответствии с приложением Д.

Таблица 2

Вид работ

Значения среднеквадратических погрешностей при измерениях

Предельная погрешность взаимного положения габаритных осей, выносимых в натуру зданий и сооружений, участков трасс дорог и коммуникаций в пределах 1 км, мм (после уравнивания сетей и ходов)

Линейные измерения

Измерения углов, с

Определение отметок реперов, среднеквадратичной пограничности на 1 км двойного хода, мм

В плане, мм

По высоте, мм

1 Вынос в натуру габаритов зданий, сооружений трасс дорог, подземных и надземных коммуникаций от пунктов государственных геодезических сетей, сетей и ходов, имеющих координаты и отметки в системах координат субъектов Российской Федерации (МСК-СРФ)

1/5000 или ± (2 + 2ppm)*

10

2 или 5

5

10

2 Определение взаимного положения смежных осей, превышений на станции нивелирования

2 мм

-

-

3 Перенос точек по вертикали шаговым методом на высоту Н

15 м

90 м

150 м

240 м

-

-

1 мм

2 мм

3 мм

5 мм

4 Передача отметок шаговым методом на высоту Н**

На 15 м

На 30 м

На 90 м

На 150 м

На 240 м***

-

-

3 мм

4 мм

7 мм

9 мм

11 мм

5 Разметка монтажных ориентиров при монтаже металлических конструкций,** мм

0,5

-

-

6 Разметка ориентирных рисок для монтажа сборных железобетонных конструкций на секции (до 30 м) длины дома, сооружения,** мм

1,0

-

-

7 Точность определения отметок на монтажном горизонте секции (до 30 м) длины дома, сооружения, мм

2,0

-

-

8 Точность определения положения осей дорог в плане (оси дорог, дренажные сооружения, кюветы, откосы и др.) от проектного положения, мм

20

-

-

9 Точность определения поперечных, продольных уклонов дорог от проектного значения, мм

5

-

-

То же, от проектного значения, %

10

 

 

10 Точность выноса в натуру знаков при разработке земляных выемок, вертикальной планировке, дноуглубительных работах насыпей, траншей, насыпей отклонения от проектных назначений разбивок:

 

-

-

в плане, мм

50

 

 

по высоте, мм

20

 

 

* 2 мм ± 2S∙10-6, где S - длина измеряемой линии, мм.

** Если иные точности не указаны в проектах - ГОСТ 21778.

*** При H > 240 м точность определяется специальным расчетом.

Точности измерений линий углов превышений (отметок) и выносе в натуру осей (габаритов) зданий и сооружений, а также осей трасс дорог и коммуникаций указаны при выполнении работ на пунктах внутренней геодезической основы в условиях городской застройки. При работе в незастроенной территории точности измерений должны указываться в ППГР.

7 Геодезический контроль точности геометрических параметров разбивочных работ возводимых конструкций. Виды, методы и объекты контроля по стадиям производства. Исполнительная документация

7.1 В процессе возведения зданий (сооружений), прокладки дорог и инженерных надземных и подземных коммуникаций строительно-монтажной организацией (генподрядчиком, субподрядчиком) следует проводить контроль точности геометрических параметров зданий (сооружений), который является обязательной составной частью производственного контроля качества СП 70.13330.

7.2 Геодезический контроль точности геометрических параметров разбивочных работ выполняют, как правило, двойными измерениями. При совпадении результатов измерений или отличии их на величину среднеквадратических погрешностей (см. таблицы 1 и 2) требования 6.10 составляют соответствующие схемы и акты приемки-передачи работ (см. приложение Д).

Геодезический контроль точности геометрических параметров зданий (сооружений) заключается:

а) в инструментальной проверке общих габаритов (расстояний между крайними осями) возводимых зданий и сооружений, соответствия положения элементов, конструкций и частей зданий (сооружений) относительно осей, ориентирных рисок и отметок, вынесенных в натуру трасс и отметок дорог и инженерных надземных и подземных коммуникаций. Проверку проводят в процессе монтажа и после закрепления конструкций, но до засыпки траншей (при операционном контроле);

б) в исполнительной геодезической съемке планового и высотного положения элементов, конструкций и частей зданий (сооружений), постоянно закрепленных по окончании монтажа (установки, укладки), а также фактического положения подземных инженерных сетей.

Исполнительную геодезическую съемку подземных инженерных сетей следует проводить до засыпки траншей. Перечень технических характеристик надземных и подземных инженерных коммуникаций, отображаемых на исполнительных съемках, и образцы основных исполнительных схем подземных коммуникаций приведены в приложениях Ж.1 - Ж.8.

7.3 Исполнительную геодезическую съемку в соответствии с 7.2, перечисления а) и б), следует выполнять сплошной.

При сплошной съемке измеряют фактическое положение смонтированных конструкций, надземных, подземных коммуникаций от ориентиров, размеченных для их монтажа, устройства или укладки.

Измерять следует геометрические параметры, требования к точности которых установлены в нормативно-технической и проектной документации для объектов строительства.

7.4 При выборочном контроле точности геометрические параметры проверяют по установленному плану контроля (выборке), состоящей из определенного числа объектов контроля (единиц продукции), выполненных работ.

Правила и параметры применения выборочного контроля устанавливают на основе результатов статистического анализа точности по ГОСТ 23616.

7.5 Для контроля формируют случайные выборки в соответствии с требованиями ГОСТ 23616.

При контроле точности разбивочных работ и установки элементов выборку составляют из определенного числа закрепленных в натуре ориентиров или установленных элементов из их общего числа, входящего в принимаемый за партию объем строительно-монтажных работ (этаж, секция, захватка работ и т.п.).

7.6 Виды, методы и объекты контроля по стадиям производства приведены в таблице 3.

Таблица 3

Вид контроля

Стадия производства

Объекты контроля

Методы контроля

1 Входной контроль

Строительно-монтажные работы (при организации работ по каждому последующему этапу)

Ориентиры разбивочных осей, отметки дна котлована, элементы строительных конструкций после завершения работ предыдущего этапа

Выборочный по альтернативному или количественному анализу

2 Операционный контроль

Строительно-монтажные работы (в процессе выполнения работ по определенному этапу)

Ориентиры разбивки точек и осей, высотные отметки опорных плоскостей и установленные ориентиры. Элементы сборных конструкций в процессе установки и временного закрепления

Выборочный по количественному или альтернативному признаку или сплошной

3 Приемочный контроль

Строительно-монтажные работы (после выполнения работ по определенному этапу)

Ориентиры разбивочных осей, высотные отметки опорных плоскостей и установочные ориентиры

Выборочный по альтернативному признаку

7.7 Методы и средства измерений принимают в соответствии с характером объекта и измеряемых параметров из условия

δxΣmet = δxmet,

(7.1)

где δxΣmet - расчетная суммарная погрешность принимаемого метода и средства измерений;

δxmet - среднеквадратическая погрешность измерения.

Расчетную погрешность измерений δxΣmet определяют (назначают) в ППГР. Пример расчета приведен в приложении Е ГОСТ 21778.

7.8 При выборе методов и средств измерений следует учитывать необходимость обеспечения наиболее полного исключения систематических погрешностей измерений.

7.9 При подготовке к измерениям должен быть обеспечен свободный и безопасный доступ к объекту измерений и возможность размещения средств измерений.

Места измерений должны быть очищены, размечены или замаркированы. Средства измерений должны быть проверены и подготовлены к использованию в соответствии с инструкцией по их эксплуатации. Используют геодезические приборы и инструменты, как правило, сконструированные для проведения измерений в нормальных условиях.

При существенных отличиях от условий (см. приложение Е) должны вводится поправки в результаты измерений.

7.10 Измерения следует проводить в соответствии с правилами выполнения измерений по ГОСТ 23616 и инструкциям (наставлениям) по использованию средств измерений.

Коэффициент перехода от среднеквадратической погрешности измерений и величины t (см. 6.10) должны приводиться в ППГР.

7.11 Исполнительные схемы и чертежи, составленные по результатам исполнительных съемок, следует использовать при приемочном контроле, составлении исполнительной документации строительно-монтажных работ.

7.12 Графическое оформление исполнительных съемок при использовании картографических материалов в качестве основы следует оформлять в соответствии с [3, 4]. Допускается применение условных знаков для топографических планов масштаба 1:500, утвержденных в установленном порядке органами региональной власти [3].

7.13 При приемке работ по завершению строительству зданий (сооружений) и прокладке инженерных сетей заказчик (застройщик), осуществляющий технический надзор за строительством, должен провести контрольную геодезическую съемку для проверки соответствия построенных зданий (сооружений) и инженерных сетей их отображению на предъявленных подрядчиком исполнительных чертежах.

7.14 Все изменения, внесенные в проектную документацию в установленном порядке, а также допущенные отклонения, от нее при их наличии в размещении зданий (сооружений) и инженерных сетей следует фиксировать на исполнительном генеральном плане.

Исполнительные чертежи должны иметь подписи исполнителей геодезических работ, ответственного производителя работ на объекте, главного инженера. В случае необходимости на чертежах исполнительной документации должны размещаться согласования о допущенных изменениях в проекте и отклонениях.

8 Мониторинг смещаемости и деформативности возводимых строительных конструкций

8.1 Мониторинг смещаемости и деформативности возводимых конструкций является составной частью инструментального мониторинга и проводится геодезическими методами, инструментами и приборами в период возведения зданий и сооружений. Мониторинг проводят в случаях, предусмотренных проектом строительства по специальным проектам [10].

8.2 В целом мониторинг представляет собой систему измерений (наблюдений), фиксации результатов, аналитической обработки и подразделяется на три подсистемы.

8.3 Итоговой нормируемой деформационной характеристикой высотных зданий и других сооружений является отклонение верха (крена) высотного здания от вертикали. Основной вклад в эту величину вносят неравномерные осадки фундаментов. Предельные отклонения верха высотных зданий и сооружений приведены в 8.8.

8.4 Из-за особенностей конструкции высотных зданий и их «гибкости» («гибкость» здания - коэффициент отношения высоты надземной части к ширине фундамента; для высотных зданий обычно имеет значение коэффициент: от одного до восьми) деформации фундаментов не полностью определяют итоговую деформацию верха высотного здания.

8.5 В связи с тем, что надземная часть здания испытывает ветровые нагрузки, неравномерный солнечный нагрев и не работает как единое целое с фундаментами и основаниями, наблюдения за деформациями должны проводиться отдельно для каждой составной части системы (подсистемы): «основание-фундамент-надземная часть».

8.6 При мониторинге высотных зданий и других сооружений геодезическими измерениями определяются следующие характеристики деформаций «основание-фундамент-надземная часть» здания:

для основания и фундаментов:

абсолютная осадка Sj;

средняя осадка Scp;

неравномерная осадка ΔS;

относительная неравномерная осадка ΔS/I - разность вертикальных перемещений, отнесенных к расстоянию между ними;

крен фундамента или здания в целом I - отношение разности осадок крайних точек фундамента к ширине (или длине) фундамента;

относительный прогиб (выгиб) i/L - отношение стрелы прогиба (выгиба) к длине L однозначно изгибаемого участка фундамента;

для наземной части здания:

отклонение от вертикали строительных конструкций (осей колонн, стен, лифтовых шахт и других элементов);

сжатие или усадка колонн и других бетонных конструкций;

раскрытие трещин (при их появлении), динамика их развития.

8.7 Для измерения вышеуказанных видов деформации (см. 8.5) геодезическими методами необходимо создавать так называемую «геодезическую деформационную основу» - внутреннюю и внешнюю.

Деформационная основа должна сохраняться на весь период строительства и эксплуатации.

Рекомендуемая частота проведения наблюдений за каждым видом деформаций приведена в таблице 4 [11].

8.8 При расчете точности определения деформаций должны выдерживаться следующие нормы точности:

среднеквадратическая погрешность определения значения осадки высотных зданий и других сооружений не должна превышать 1,0 мм, ГОСТ 24846;

предельные горизонтальные перемещения верха высотных зданий и сооружений с учетом крена фундаментов в зависимости от высоты здания h не должны превышать [12]:

1/500 - до 150 м (включительно);

1/1000 - свыше 150 м до 400 м;

определяют специальным расчетом - свыше 400 м.

8.9 При постановке мониторинга в период строительства высотных зданий и других сооружений, при выборе методов измерений учитывают следующие особенности высотного строительства: колебание температуры, односторонний солнечный нагрев, ветровую нагрузку (внешние факторы), вибрацию, неравномерность нагрузки под действием передвижных подъемных устройств (техногенные факторы), стесненные условия как внутри, так и вокруг строительства и малые пространства для наблюдений из-за сравнительно малых габаритов фундаментов [4], [9].

Для измерений следует выбирать время суток, когда исключены или минимизированы влияния вышеуказанных факторов воздействия.

8.10 При строительстве высотных зданий и других сооружений применяют следующие методы измерений: геометрическое нивелирование коротким лучом визирования, гидростатическое нивелирование [8].

При контроле отклонений от вертикали используют способ вычисления крена по параметрам вероятнейшей плоскости на монтажном горизонте и наклономерные измерения с помощью оптических квадрантов.

Таблица 4

Вид деформации

Цикличность

во время строительства

1 - 3 года после строительства

эксплуатация

возведения фундамента

через каждые 5 этажей

окончание строительства

1 - 2 раза в квартал

2 раза в год

постоянно*

1 Абсолютная осадка

+

+

+

+

+

-

2 Неравномерная осадка

+

+

+

+

+

-

3 Крен фундаментов

+

+

+

+

+

+

4 Прогиб фундаментов

+

 

+

+

+

-

5 Отклонение от вертикали (крен):

 

 

 

 

 

 

колонн

-

+

+

-

-

-

лифтовых шахт

-

+

+

-

-

-

монолитной части

 

+

+

-

-

-

6 Сжатие или усадка колонн

 

+

+

-

-

-

7 Крен верхней части строительных конструкций

-

-

+

+

+

+

* Рекомендуется использовать автоматизированные системы.

8.11 Измерения деформаций оснований фундаментов высотных зданий и других сооружений следует проводить по разделу мониторинга в процессе строительства ППГР. ППГР должен включать в себя: проектирование, изготовление и технологию установки геодезических знаков и (или) осадочных марок. Местоположение знаков (марок), глубина их заложения должны быть спроектированы в зависимости от методов измерений и с учетом инженерно-геологических условий оснований. Время проведения измерений должно быть увязано с календарным графиком строительства.

Среднеквадратические погрешности измерений зависят от типа сооружений, конструктивных элементов зданий, предельных деформаций оснований и не должны превышать 0,2 величин предельных деформаций оснований, приведенных в таблице 5.

Обработка результатов измерений должна включать в себя проверки полевых журналов так называемую «вторую руку», вычисление значений деформаций, оценку точности проведенных полевых работ, составление ведомостей по каждому циклу измерений и их графическое оформление.

Обработка результатов должна завершаться составлением технического отчета.

8.12 Инструментальный геодезический мониторинг высотных зданий и других сооружений в процессе строительства должен проводиться в соответствии с техническим заданием заказчика, согласованным с проектной организацией [7].

8.13 Высотная деформационная основа предназначается для:

наблюдений за осадками оснований, фундаментов и строительных конструкций здания или сооружения;

определения сжатия или усадки колонн и бетонных конструкций;

наблюдений за осадками основания и фундаментов во время эксплуатации.

8.14 Типовая высотная геодезическая основа высотных зданий и других сооружений включает в себя:

внешнюю (исходную) высотную основу;

привязочный ход;

внутреннюю основу для наблюдения за деформациями контролируемого сооружения;

контрольную основу на монтажных горизонтах;

контрольные станции (точки) для измерения отклонений от вертикали (наклономерные измерения) и щелевые марки;

типовую схему высотной геодезической основы для наблюдения за деформациями.

8.15 В качестве внешней исходной высотной основы рекомендуется использовать куст глубинных реперов. Число их должно быть не менее трех. Реперы закладываются на глубину не менее 1,5 м. Конструкция глубинного репера показана в приложении К. В плане они должны располагаться на линии или по углам равностороннего треугольника. Расстояние между соседними реперами не должно превышать 12 м. Куст реперов служит исходной высотной основой, определяет ее стабильность как во время строительства, так и в период эксплуатации. В качестве исходной высотной основы могут использоваться стенные реперы, установленные в цокольных частях зданий и сооружений, осадка фундаментов которых практически стабилизировалась. К ним относятся существующие стенные и грунтовые реперы государственной геодезической сети, а также сети МСК-СРФ (в местных системах координат субъектов Российской Федерации), стабильность которых подтверждена многолетними измерениями.

8.16 Исходная высотная основа должна размещаться:

в стороне от проездов, подземных коммуникаций, складских и других территорий, где возможны вибрации от движения транспорта;

вне зоны распространения давления на фундаменты от контролируемого возводимого здания или сооружения;

вне зоны влияния вновь строящихся зданий и сооружений.

Практически удаление исходной высотной основы от сооружения должно быть не менее 150 м.

8.17 Измерения и контроль стабильности внешней исходной высотной основы проводят геометрическим нивелированием коротким визирным лучом (см. приложение И) СП 22.13330; [2].

Таблица 5

Сооружения

Предельные деформации оснований

Погрешности при их измерениях

Относительная разность осадок (Δs/L)u

Величина крена iu

Средняя Ŝu (в скобках Smax, u) осадка, см

1 Производственные и гражданские одноэтажные и многоэтажные здания с полным каркасом:

 

 

 

железобетонным

0,002

0,0004

-

(10)

(2)

То же, с устройством железобетонных поясов или монолитных перекрытий, а также здания монолитной конструкции с полным каркасом:

0,003

0,0006

-

(15)

(3)

стальным

0,004

0,0008

-

(15)

(3)

То же, с устройством железобетонных поясов или монолитных перекрытий

0,004

0,0008

-

(18)

(3,6)

2 Здания и сооружения, в конструкциях которых не возникают усилия от неравномерных осадок

0,006

0,0012

-

20

4

3 Многоэтажные бескаркасные здания с несущими стенами из:

 

 

 

крупных панелей

0,0016

0,00032

0,005

0,001

12

2,4

крупных блоков или кирпичной кладки без армирования

0,0020

0,0004

0,005

0,0001

12

2,4

То же, с армированием, в том числе с устройством железобетонных поясов или монолитных перекрытий, а также здания монолитной конструкции

0,0024

0,00048

0,005

0,001

18

3,6

4 Сооружение элеваторов из железобетонных конструкции:

 

 

 

рабочее здание и силосный корпус монолитной конструкции на одной фундаментной плите

-

0,003

0,0006

40

8

То же, сборной конструкции

-

0,003

0,0006

30

6

Отдельно стоящий силосный корпус монолитной конструкции

-

0,004

0,0008

40

8

То же, сборной конструкции

-

0,004

0,0008

30

6

Отдельно стоящее рабочее здание

-

0,004

0,0008

25

5

5 Дымовые трубы высотой H, м:

 

 

 

H ≤ 100

-

0,005

0,001

40

8

100 < H200

-

1/(2Н)

0,0002

30

6

200< H 300

-

1/(2Н)

0,0006

20

4

H > 300

-

1/(2Н)

0,0006

10

2

6 Жесткие сооружения высотой до 100 м, кроме указанных в пунктах 4 и 5

-

0,004

20

4

7 Антенные сооружения связи:

 

 

 

стволы мачт заземленные

-

0,002

0,0004

20

4

то же, электрически изолированные

-

0,001

0,0002

10

2

башни радио

0,002

0,0004

-

-

башни коротковолновых радиостанций

0,0025

0,0005

-

-

башни (отдельные блоки)

0,001

0,0002

-

-

8 Опоры воздушных линий электропередачи:

 

 

 

промежуточные прямые

0,003

0,0006

0,003

0,0006

-

анкерные и анкерно-угловые, промежуточные угловые, концевые, порталы открытых распределительных устройств

0,0025

0,0005

 

0,0025

0,0005

 

-

специальные переходные

0,002

0,0004

0,002

0,0004

-

Примечания

1. Предельная деформация фундаментов приведена из свода правил [2].

2. Предельные значения относительного прогиба зданий, указанных в позиции 3 таблицы 5, принимают равными 0,5(ΔS/L)u, а относительного выгиба 0,25(ΔS/L)u.

3. При определении относительной разности осадок (ΔS/L)u в поз. 8 настоящего приложения за L принимают расстояние между осями блоков фундаментов в направлении горизонтальных нагрузок, а в опорах с оттяжками - расстояние между осями сжатого фундамента и анкера.

4. Если основание сложено горизонтальными (с уклоном не более 0,1), выдержанными по толщине слоями грунтов, предельные значения максимальных и средних осадок допускается увеличивать на 20 %.

5. Предельные значения подъема основания, сложенного набухающими грунтами, допускается принимать: максимальный и средний подъем в размере 25 % и относительную разность осадок в размере 50 % соответствующих предельных значений деформаций, приведенных в данной таблице, а относительный выгиб - в размере 0,25(ΔS/L)u.

6. Для сооружений, перечисленных в позиции 1 - 3 с фундаментами в виде сплошных плит предельные значения средних осадок допускается увеличивать в 1,5 раза.

7. На основе обобщения опыта проектирования, строительства и эксплуатации отдельных видов сооружений допускается принимать предельные значения деформаций основания, отличающиеся от указанных в настоящей таблице, если параметры деформаций обоснованы в проектной документации.

8.18 Привязочный ход является связующим звеном в схеме измерений между внешней исходной основой и внутренней деформационной основой и используется для передачи высот от исходной высотной основы на так называемые «осадочные марки» высотного здания или сооружения. Привязочный ход закрепляют специальными костылями диаметром не менее 50 мм, забитыми в землю на глубину 0,5 м [12].

8.19 Внутренняя высотная основа, предназначенная для наблюдения за осадками оснований, фундаментов и других строительных конструкций в период строительства, закрепляется осадочными марками в полу фундамента или осадочными марками на колоннах и монолитных конструкциях надземной части здания (см. приложение Л).

8.20 Осадочные марки в фундаментах устанавливают в нижней части несущих конструкций по всему периметру здания (сооружения), внутри его, в том числе на углах, стыках строительных блоков, по обе стороны осадочного или температурного шва, в местах примыкания продольных и поперечных стен, на поперечных стенах в местах пересечения их с продольной осью, на несущих колоннах. Осадочные марки по периметру располагают через 6 - 8 м, по продольным и поперечным осям, если иное не предусмотрено в проектной документации. В среднем на фундаментную плиту закладывают одну марку на площади 100 м2.

8.21 Конкретное расположение осадочных марок на фундаментах здания или сооружения, а также конструкции марок определяют в техническом задании на мониторинг и ППГР, согласованном с проектной организацией.

Осадочные марки на колоннах и других вертикальных монолитных конструкциях устанавливают на одном уровне.

8.22 Высотная основа на монтажных горизонтах предназначена для контроля отклонения построенной части от вертикали и контроля сжатия или усадки колонн (стен) или бетонных конструкций по мере возведения строительных конструкций. Основа монтажных горизонтов должна полностью повторять внутреннюю основу, закрепленную осадочными марками на колоннах или монолитной части на нижнем (исходном) горизонте. Передача высот с внутренней основы исходного горизонта на текущую основу монтажного горизонта осуществляется 20- или 50-, 100-метровыми металлическими рулетками с натяжением 10 кгс. Контроль передачи высоты допускается проводить лазерными рулетками (ручными лазерными дальномерами).

8.23 Дополнительно на контрольных монтажных горизонтах (для измерения отклонений от вертикали) размещают контрольные станции, включающие в себя:

закладные для наклономерных измерений;

специальные марки для наклонного проектирования.

8.24 Металлические закладные для наклономерных измерений размером 200×200 мм устанавливают на колоннах вдоль продольных и поперечных осей высотного здания. Отклонения от вертикали измеряют оптическим квадрантом.

8.25 Для измерения кренов и отклонений от вертикали надземной части сооружения в процессе ее возведения вдоль выбранных поперечных и продольных осей с внешней стороны здания закрепляют марки (см. приложение М). На местности в створе марок фиксируют постоянные точки стояния теодолита.

Постоянные точки стояния теодолита должны располагаться не ближе высоты здания и закрепляться специальными костылями диаметром не менее 50 мм, забитыми в землю на глубину 0,5 м.

8.26 В случае появления трещин высотная геодезическая основа дополняется контрольными станциями наблюдения за раскрытием трещин. Для определения раскрытия трещин рекомендуется по обеим сторонам от нее закреплять контрольные марки, конструкция которых позволяет измерять расстояние между ними с погрешностью не более 0,5 мм.

8.27 Мониторинг зданий и сооружений после окончания строительства, в процессе эксплуатации приведен в приложении М.

9 Исполнительная и контрольная съемка подземных сетей

9.1 Исполнительную геодезическую съемку подземных инженерных сетей проводят для составления исполнительных чертежей до засыпки траншеи в процессе строительства, при капитальном ремонте и замене труб.

9.2 Состав, содержание, оформление и проверка исполнительных чертежей подземной инженерной сети должны соответствовать требованиям [3].

9.3 Исполнительные чертежи подземных инженерных сетей составляют на:

вновь построенные и существующие подземные коммуникации, включая газовые врезки, вынос газопроводов на стены зданий, светофорные объекты;

капитальный ремонт, перекладку и реконструкцию инженерных коммуникаций, включая методы санации, пневмопробойника, протяжки внутри реконструируемых трубопроводов полиэтиленовых труб;

закладку и до кладку резервных труб под дорогами.

9.4 При исполнительной съемке подземных инженерных сетей определению подлежат:

плановые и высотные положения всех углов поворота, места изменения уклонов коммуникации, диаметров труб, места присоединения ответвлений, пересечения с другими коммуникациями, а также другие видимые точки и точки на прямых участках не реже, чем через 50 м;

на теплосети - камеры смотровые люки, компенсаторы, неподвижные опоры. В зависимости от стадии строительства теплосети определяют сечение канала, диаметр труб, отметки низа канала или верха канала, отметки верха труб, наземные павильоны над камерами;

на водоводе, водопроводе, напорной канализации, газопроводе и других напорных трубных прокладках - колодцы, коверы, контрольные трубки, регуляторы давления, гидравлические затворы, аварийные выпуски, водоразборные колонки, гидранты. Определяют отметки верха труб, обечаек колодцев (если установлены), дна колодца, верха и низа камеры а также диаметры труб и их назначение;

на самотечной канализации, водостоке (ливневой канализации), дренаже: колодцы, решетки, ливнеспуски, камеры. Определяют отметки лотков труб и обечаек колодцев (если установлены), дна колодца, верха и низа камеры, а также диаметры труб;

при съемке коммуникации, расположенной на поверхности земли, по зданию, мосту, забору, эстакаде и прочее - опорные элементы трассы;

на телефонной канализации - колодцы. Определяют отметки обечаек, верха труб, дна, высота горловины колодца;

на кабельных сетях - количество кабелей или труб, углы поворотов, места выходов на стены зданий, опоры, их число, камеры и люки;

на коллекторах - камеры, смотровые люки, углы поворота, места изменения сечений. Определяет сечение канала и отметки низа или верха канала;

на электрозащите от коррозии - количество кабелей или труб, углы поворота, контактные устройства, анодные заземления, дроссели, электрозащитные установки и их размеры, точки контура анодного заземления;

при съемке закрытых переходов, построенных методом горизонтального направленного бурения (ГНБ) - проводят во время контрольной протяжки зонда;

при обследовании и съемке колодцев - определяют высоты горловин колодцев с отображением результатов в абрисе.

9.5 Обязательной съемке подлежат все подземные сооружения, пересекающиеся или идущие параллельно прокладке, вскрытые траншеей. Одновременно со съемкой указанных элементов инженерных коммуникаций проводят съемку текущих изменений в границах участка, отведенного под строительство.

9.6 Плановое положение всех подземных коммуникаций и относящихся к ним сооружений определяют:

на застроенной территории - от твердых точек капитальной застройки, от пунктов опорной геодезической сети и точек постоянного съемочного обоснования;

на незастроенной территории - от пунктов опорной геодезической сети и точек съемочного обоснования.

9.7 При съемке колодцев, камер и коллекторов проводятся обмеры внутреннего и внешнего габаритов сооружения и его конструктивных элементов, определяют расположение труб и фасонных частей с привязкой к отвесной линии, проходящей через центр крышки колодца. При этом должны быть установлены: назначение, конструкция колодцев, камер, коллекторов, распределительных шкафов и киосков, диаметры труб. Характеристика имеющейся арматуры, внутренние габариты колодцев и другие конструктивные элементы подземных сооружений.

9.8 В состав исполнительного чертежа должен входить каталог координат характерных точек подземной инженерной сети, составленный в системе координат и высот субъекта Российской Федерации.

9.9 Для газовых и тепловых сетей фиксируют расположение стыков относительно люков колодцев и камер с указанием типа стыка.

9.10 При съемке элементов подземных инженерных коммуникаций обязательным условием является контрольное измерение расстояний между ними. Предельные ошибки определения элементов подземной инженерной сети в плане не должны превышать 0,2 м.

9.11 Высотное положение подземных инженерных коммуникаций определяется до засыпки траншеи (котлована) техническим нивелированием в соответствии с требованиями [3]. Высотное положение элементов инженерной сети в проходном коллекторе определяют от проложенного внутри него нивелирного хода.

9.12 Нивелированием определяют высоту пола и верха коллектора, верха и низа кабельной канализации в пакетах (блоках), верха бронированного кабеля, верха трубопроводов, поверхности земли (бровки траншеи) в характерных местах, углов поворота и точек изменения уклонов подземных коммуникаций, обечаек смотровых колодцев и всех остальных точек, заснятых в плане. В канализации (фекальной и ливневой), дренаже и других самотечных трубопроводов нивелируют лотки труб. Кроме того, определяют высоту элементов всех существующих инженерных коммуникаций, вскрытых в траншеях при строительстве.

9.13 К исполнительному чертежу закрытых переходов методом горизонтального направленного бурения должен прилагаться протокол бурения.

9.14 Правильность отображения подземной инженерной сети на исполнительном чертеже проверяют по результатам контрольной геодезической съемки (КГС).

КГС проводится организацией, уполномоченной местным органом власти.

9.15 Проверку правильности составления исполнительных чертежей проводят:

сопоставлением координат и высот идентичных точек с данными КГС;

сличением положения точек, полученных путем графических привязок к твердым контурам, и отметок на исполнительном чертеже с данными КГС;

определением соответствия примененных при составлении чертежа методов и приемов съемки принятым нормативам - схема, длина и точность теодолитных и нивелирных ходов, длина створов и засечек, наличие и допустимость треугольников погрешности со стороной треугольника до 0,5 м в натуре (в масштабе 1:500 - 1 мм -сторона треугольника погрешностей), привязка только к капитальной застройке.

При полевом контроле проводят:

промеры между точками привязки характерных точек;

привязки шоков и углов камер, а также определяют отметки дна камеры и колодцев, размеры сечений для каналов и коллекторов, количество, диаметры и материал трубопроводов;

количество кабелей, отверстий, труб и размеры и привязки инженерного оборудования: обойм, футляров и пр.

9.16 При наличии расхождений планово-высотного положения исполнительный чертеж возвращают представителю строительной организации на исправление.

9.17 Исполнительный чертеж, поступающий в геодезический фонд, должен быть оформлен в полном соответствии с эталоном исполнительного чертежа без исправлений и подчисток, а также иметь штамп проверки на соответствие данным контрольной геодезической съемки и проекту, штампы строительной и эксплуатирующей организаций [3].

9.18 Исполнительные чертежи подземных инженерных сетей, прошедшие контроль, сдают в геодезический фонд.

Приложение А

(обязательное)

Перечень нормативных документов

СП 48.13330.2011 «СНиП 12.01-2004 Организация строительства»

СП 70.13330.2012 «СНиП 3.03.01-87 Несущие и ограждающие конструкции»

СП 22.13330.2011 «СНиП 2.02.01-83* Основания зданий и сооружений»

СП 20.13330.2011 «СНиП 2.01.07-85 Нагрузки и воздействия»

СНиП 12-03-2001 Часть 1. Безопасность труда в строительстве. Общие требования

СНиП 12-04-2002 Часть 2. Безопасность труда в строительстве. Строительное производство

ГОСТ Р 51872-2002 Документация исполнительная геодезическая. Правила выполнения

ГОСТ 7502-98 Рулетки измерительные металлические. Технические условия

ГОСТ 18321-73* Статистический контроль качества. Методы случайного отбора выборок штучной продукции

ГОСТ 21778-81 Система обеспечения точности геометрических параметров в строительстве. Основные положения

ГОСТ 23616-79 Система обеспечения точности геометрических параметров в строительстве. Контроль точности

ГОСТ 24846-81 Грунты. Методы измерения деформаций основных зданий и сооружений

ГОСТ 26433.0-89 Система обеспечения точности геометрических параметров в строительстве. Правила выполнения измерений. Общие положения

Приложение Б

(обязательное)

Термины и определения

В настоящем своде правил применены следующие термины с соответствующими определениями:

Б.1 геодезическая привязка: Определение положения закрепленных на местности точек, зданий и их элементов в принятой системе координат и высот.

Б.2 обратная, прямая засечки: Угловая, линейная или линейно-угловая засечка, выполняемая на определяемой точке.

Б.3 геодезический знак: Устройство, обозначающее положение геодезического пункта на местности или на конструкциях.

Б.4 ориентирование направления: Определение его относительно направления, принятого за начальное.

Б.5 случайные погрешности: Погрешности, для которых неизвестен характер их действий в каждом конкретном измерении; они подчиняются только статистическим закономерностям.

Б.6 поправка: Значение величины, вводимое в неисправленный результат измерений.

Б.7 превышение: Разность высот точек.

Б.8 разбивка сооружения: Комплекс геодезических работ по определению на местности положения сооружения или его частей в плане и по высоте.

Б.9 репер: Геодезический знак с известной высотой.

Б.10 геодезическая основа: Совокупность закрепленных на местности или сооружении геодезических пунктов, положение которых определено в общей для них системе координат.

Б.11 исполнительная съемка: Процесс, основным содержанием которого является определение фактического положения строительных конструкций и технологического оборудования относительно разбивочных осей.

Б.12 исполнительный чертеж: Отчетный документ по подземной инженерной коммуникации, определяющий назначение, характеристики, планово-высотное положение построенной или реконструированной подземной инженерной коммуникации.

Б.13 геодезический ход: Геодезическое построение на местности в виде прямой или ломаной линии.

Б.14 центральная ось: Ось, проходящая через главную ось здания.

Б.15 высотная деформационная геодезическая основа: Сеть сгущения внешней высотной геодезической основы, предназначенная для наблюдения за осадками основных строительных конструкций.

Б.16 глубинный репер: Фундаментальный геодезический знак, закладываемый в практически несжимаемые грунты и предназначенный для сохранения высотной отметки.

Б.17 осадочная марка: Устройство в виде шкалы (шкал) или шарика, закрепленное в строительной конструкции, стене, полу, перекрытии и других конструкциях, предназначенное для наблюдений за высотными деформациями.

Б.18 осадка сооружения: Понижение сооружения, вызванное уплотнением его основания или уменьшением вертикальных размеров сооружения (или его частей).

Б.19 абсолютная осадка: Величина осадки, полученная относительно исходной высотной опорной геодезической основы.

Б.20 относительная осадка: Величина осадки, полученная относительно одной точки сооружения.

Б.21 предельная погрешность: Погрешность, которая с заданной вероятностью не должна превышать по абсолютной величине погрешности результатов измерений.

Б.22 среднеквадратическая погрешность: Характеристика точности результата измерений, являющаяся наиболее качественным критерием оценки точности, реагирующая на большие по абсолютной величине погрешности измерений.

Б.23 куст реперов: Три и более глубинных репера внешней высотной опорной геодезической основы, расположенные, как правило, в вершинах треугольника (квадрата и т.п.) на равных расстояниях друг от друга, по которым по специальной программе выполняется высокоточное геометрическое нивелирование с целью выявления наиболее стабильного репера.

Б.24 текущая осадка: Величина осадки любого репера, полученная как разность отметок предыдущего и последующего циклов.

Б.25 прогиб: Вертикальное перемещение определенной точки, лежащей на оси балки [арки, рамы и (или) других частей конструкций], вследствие деформации, вызываемой силовыми, температурными и другими воздействиями.

Б.26 величина относительного прогиба: Величина, вычисляемая по данным осадок трех смежных точек (реперов), расположенных на осях сооружения или вдоль характерных линий плана и отстоящих друг от друга приблизительно на одинаковые расстояния, как отношение разности между удвоенной осадкой средней точки и суммой осадок крайних точек, отнесенной к удвоенному расстоянию между крайними точками.

Б.27 относительная неравномерность осадок: Разность осадок двух соседних точек (реперов), отнесенная к расстоянию между ними.

Б.28 крен здания, сооружения: Положение сооружения, при котором плоскость его симметрии отклонена от вертикали.

Б.29 величина относительного крена; относительный крен: Разность осадок двух точек (реперов), установленных на концах сооружения, отнесенная к расстоянию между этими точками.

Б.30 гибкость здания: Коэффициент (k) отношения высоты надземной части сооружения к ширине фундамента. Для зданий высотой свыше 75 м k ≥ 1:8.

Б.31 характеристика точности высотного положения и положения в плане: Положение, характеристика элемента или конструкции (например, их точек, граней, поверхностей) относительно базы (например, разбивочного ориентира, плоскости, грани, точки, отметки); указывают числовыми значениями предельных или измеренных отклонений от номинального значения геометрического параметра, определяющего расстояние между элементом и базой в соответствии с рисунком.

Б.32 допуск: Абсолютное значение разности предельных значений геометрического параметра.

Б.33 действительное отклонение геометрического параметра (действительное отклонение размера): Алгебраическая разность между действительным и номинальным значениями геометрического параметра.

Б.34 систематическое отклонение геометрического параметра (систематическое отклонение размера): Разность между средним и номинальным значениями геометрического параметра.

Б.35 предельное отклонение геометрического параметра (предельное отклонение размера): Алгебраическая разность между наибольшим предельным и номинальным значениями геометрического параметра.

Приложение В

(справочное)

Основные функции застройщика (заказчика) по обеспечению выполнения геодезических работ при строительстве

В.1 К основным функциям застройщика (заказчика) относятся:

обеспечение строительства проектной документацией, прошедшей экспертизу и утвержденной в установленном порядке, для выполнения разбивочных работ, в том числе разделом «Геодезические работы проекта организации строительства (ПОГР)», включая генеральный (строительный) план, план фундаментов (котлованов);

создание геодезической разбивочной основы для строительства и геодезические измерения (мониторинг) деформаций оснований, конструкций зданий (сооружений) и их частей в процессе строительства; являются обязанностью заказчика;

комплектация, хранение и передача соответствующим организациям исполнительной геодезической документации, схем размещения знаков и других ориентиров для проведения мониторинга за смещаемостью и деформативностью оснований, фундаментов и других конструкций возведенных сооружений, если это предусмотрено проектом.

В.2 Застройщик (заказчик) для осуществления своих функций по обеспечению геодезической разбивочной основой строительной площадки измерений деформаций, а также для обеспечения взаимодействия с органами государственного надзора и местного самоуправления может привлекать в соответствии с действующим законодательством специализированную организацию или специалиста соответствующей квалификации.

В.3 Специализированная организация или специалист в соответствии с действующим законодательством должны иметь выданные саморегулируемой организацией свидетельство о допуске к геодезическим работам, выполняемым на строительной площадке согласно утвержденному перечню видов работ по инженерным изысканиям, по подготовке проектной документации, строительству, реконструкции, капитальному ремонту объектов капитального строительства, которые оказывают влияние на безопасность объектов капитального строительства.

Передачу застройщиком (заказчиком) вышеуказанных функций привлеченной организации или специалисту оформляют договором между ними.

Приложение Г

(справочное)

Состав и содержание проектов производства геодезических работ (ППГР), разрабатываемых силами застройщика

Г.1 ППГР в полном объеме разрабатывают для любого строительства на городской территории, при строительстве на территории действующего предприятия, а также при строительстве в сложных природных и геологических условиях или по требованию органа, выдающего разрешение на строительство или выполнение строительно-монтажных работ.

В остальных случаях ППГР разрабатывается по решению лица, осуществляющего строительство в неполном объеме.

Г.2 ППГР в полном объеме должен содержать схемы расположения разбиваемых в натуре осей зданий и сооружений, знаков закрепления этих осей на исходном и монтажном горизонтах, ориентиров, а также схемы расположения конструкций и их элементов относительно этих осей и ориентиров. Схемы разрабатывают исходя из условия, что оси и ориентиры, разбиваемые в натуре, должны быть технологически доступными для наблюдения при контроле точности положения элементов конструкций на всех этапах строительства. Одновременно следует при необходимости откорректировать имеющуюся или разработать методику выполнения и контроля точности геодезических разбивочных работ, правила нанесения и закрепления монтажных ориентиров, образцы исполнительных схем смонтированных конструкций.

Г.3 Проект производства геодезических работ в неполном объеме должен содержать схемы размещения геодезических знаков на исходном и монтажном горизонтах, ориентиров на монтажных горизонтах и образцы исполнительных схем.

Приложение Д

(обязательное)

АКТ ПРИЕМКИ ГЕОДЕЗИЧЕСКОЙ РАЗБИВОЧНОЙ ОСНОВЫ ДЛЯ СТРОИТЕЛЬСТВА

___________________________________________________________________________

(наименование объекта строительства)

___________________________________________________________________________

Комиссия в составе:

ответственного представителя заказчика _____________________________________

___________________________________________________________________________

(фамилия, инициалы, должность)

___________________________________________________________________________

ответственных представителей генподрядной строительно-монтажной организации __

___________________________________________________________________________

(фамилия, инициалы, должность)

___________________________________________________________________________

рассмотрела представленную техническую документацию на геодезическую разбивочную основу для строительства_________________________________________

___________________________________________________________________________

(наименование объекта строительства)

и провела осмотр закрепленных на местности знаков этой основы.

Предъявленные к приемке знаки геодезической разбивочной основы для строительства, их координаты, отметки, места установки и способы закрепления соответствуют представленной технической документации

___________________________________________________________________________

(наименование проектной организации, номера чертежей, дата выпуска)

и выполнены с соблюдением заданной точности построений и измерений.

На основании изложенного комиссия считает, что заказчик сдал, а подрядчик принял знаки геодезической разбивочной основы для строительства (наименование объекта или его отдельных цехов, зданий, сооружений)

Приложения: ____________________________________________________________

(чертежи, схемы, ведомости и т.п.)

___________________________________________________________________________

Представитель заказчика

___________________________

(подпись)

Представители подрядчика:

 

производитель работ

___________________________

(подпись)

работник геодезической службы

___________________________

(подпись)

АКТ
ПРИЕМКИ-ПЕРЕДАЧИ РЕЗУЛЬТАТОВ ГЕОДЕЗИЧЕСКИХ РАБОТ
ПРИ СТРОИТЕЛЬСТВЕ ЗДАНИЙ, СООРУЖЕНИЙ

«____» ___________ ____ г. ___________________________________________________

(место составления)

Объект ____________________________________________________________________

(наименование объекта строительства)

Комиссия в составе:

ответственного представителя строительно-монтажной организации, передающей работы

___________________________________________________________________________

(фамилия, инициалы, должность)

ответственного представителя строительно-монтажной организации, принимающей работы ____________________________________________________________________

___________________________________________________________________________

(фамилия, инициалы, должность)

рассмотрела представленную техническую документацию на выполненные геодезические работы (схемы геодезической разбивочной основы для строительства, внутренней разбивочной сети здания, сооружения, схемы исполнительных съемок, каталоги координат, отметок, ведомости и т.д.) при строительстве

___________________________________________________________________________

(наименование объекта)

и провела осмотр закрепленных на местности и здании знаков сети.

Предъявленные к приемке знаки разбивочной сети, их координаты, отметки, места установки и способы закрепления соответствуют представленной на них технической документации, и работы выполнены с соблюдением заданной точности построений и измерений.

На основании изложенного комиссия считает, что ответственный представитель строительно-монтажной организации __________________________________________

___________________________________________________________________________

(наименование организации)

сдал, а представитель строительно-монтажной организации _______________________

___________________________________________________________________________

(наименование организации)

принял указанные выше работы по _____________________________________________

___________________________________________________________________________

(наименование объекта, отдельных частей зданий и сооружений)

Приложения: _____________________________________________________________

(чертежи, схемы, ведомости и т.д.)

Представитель строительно-монтажной организации, передающей работы ________

___________________________________________________________________________

(подписи производителя работ, работника геодезической службы)

Представитель строительно-монтажной организации, принимающей работы _______

___________________________________________________________________________

(подписи производителя работ, работника геодезической службы)

 

Приложение Е

(справочное)

Расчет погрешности при выборе методов и средств измерений при нормальных условиях, ГОСТ 21778

Пример. Выбрать средства измерения для контроля расстояния между осями на монтажном горизонте (S = 6000 мм ± 1 мм).

1 Определяют предельную погрешность измерений (см. таблицу 2). Для контроля точности измерений разбивочных работ коэффициент в формуле δxmet = k∙Δx принимают равным k = 0,2. В данном расчете δxmet = 0,2×3 = 0,6 мм.

2 Для выполнения измерений могут быть применены металлические рулетки, изготовленные по 3 и выше классам, точность ≤ ±1 мм, дальномерами безотражательного типа DistoPro, лазерными рулетками, или тахеометром, точность измерений ≤ ±1,5 мм.

Нормальными условиями измерений и эксплуатации геодезических инструментов следует считать:

температуру окружающей среды 20 °С (293 К);

атмосферное давление 760 мм рт. ст. (101,3 кПа);

относительную влажность воздуха 60 %;

относительную скорость движения внешней среды 0 м/с.

При выполнении измерений в условиях, отличающихся от нормальных, следует при необходимости (при измерениях высокой точности) фиксировать действительные значения для внесения поправок в результаты измерений. Вычисление поправок для внесения их величин в результаты измерений производят в соответствии с ГОСТ 26.433.0.

Приложение Ж.1

(справочное)

Перечень технических характеристик подземных и надземных инженерных коммуникаций, отображаемых при исполнительных съемках

При составлении исполнительной геодезической документации на возведенные надземные и подземные (до засыпки траншей) сооружения должны быть зафиксированы следующие технические характеристики: по водопроводу:

материал и наружный диаметр труб;

назначение (хозяйственно-питьевой, производственный);

по канализации:

характеристика сети (напорная, самотечная);

назначение (бытовая, производственная, дождевая);

материал и диаметр труб (внутренний для самотечных и наружный для напорных сетей);

по теплосети:

тип прокладки (канальная или бесканальная);

тип канала(проходной, полупроходной, непроходной);

материал и внутренние размеры канала;

количество и наружный диаметр труб;

по газопроводу:

наружный диаметр и материал труб;

давление газа (низкое, среднее, высокое);

по кабельным сетям:

напряжение электрических кабелей (высоковольтные 6 кВ и выше, низковольтные), направление (номера трансформаторных подстанций) для высоковольтных кабелей, условия прокладки (в канализации, в коллекторах, бронированный кабель), принадлежность кабелей связи;

число отверстий в телефонной канализации;

материал и размеры распределительных пунктов, трансформаторных подстанций, телефонных шкафов и коробок;

по подземному дренажу:

материал и наружный диаметр труб;

поперечное сечение галерейных дрен, глухих коллекторов (по дополнительному заданию заказчика).

В колодцах (шурфах) должно быть определено назначение входящих инженерных коммуникаций, диаметр и материал труб, материал и тип каналов, число кабелей (а также труб при кабельной канализации), направление стока в самотечных трубопроводах, направления на смежные колодцы (камеры) и вводы в здания (сооружения) с составлением схемы.

На исполнительных чертежах габариты колодцев (камер) следует отражать в масштабе плана, если площадь колодцев (камер) составляет в натуре не менее 4 м2 при съемке в масштабе 1:500 и 9 м2 - в масштабе 1:1000.

Плановое положение прокладок, размещенных в колодцах (камерах) указанных размеров, определяется относительно проекции центра люка.

Высотное положение коммуникаций определяют с точностью, регламентированной таблицей 2. Нивелирование подземных сооружений включает определение высот обечаек (верха чугунного кольца люка колодца), земли или мощения у колодца, а также высот, расположенных в колодце труб, кабелей, каналов (промерами от обечайки с отсчетом до 1 см).

В колодцах (камерах) подлежат нивелированию:

дно лотка - в самотечных сетях;

низ входящей трубы - в перепадных колодцах, дополнительно;

дно колодца, низ входящей и выходящей труб - в колодцах-отстойниках;

верх труб - в напорных трубопроводах;

верх низ каналов (коллекторов) - в каналах коллекторах;

место пересечения кабеля со стенками колодца, верх и низ пакета (блока) при кабельной канализации в кабельных сетях.

Съемка точек подземных коммуникаций на прямолинейных участках должна производиться, как правило, через 20, 30 и 50 м (по указаниям ППГР).

Глубину заложения безколодезных прокладок определяют на углах поворота, в точках резкого излома рельефа, но не реже чем через 10 м в масштабе съемки.

В зависимости от насыщенности подземными и надземными сооружениями коммуникаций допускается составлять совмещенными планы с изображением на одном листе плана ситуации, рельефа и подземных (надземных) сооружений, планы отдельных подземных надземных сооружений, групп их и др. Необходимость составления совмещенных или раздельных планов подземных (надземных) сооружений должна устанавливаться в задании заказчика.

В результате выполнения исполнительной съемки подземных и надземных сооружений дополнительно должны быть представлены:

журналы детального обследования наземных и подземных сооружений;

журналы технического нивелирования;

эскизы опор и колодцев (камер) при их детальном обследовании;

планы надземных и подземных сооружений, согласованные с эксплуатирующими организациями;

каталоги координат выходов, углов поворота и других точек подземных сооружений.

Приложение Ж.2

(справочное)

Каталог координат точек трассы общего коллектора

Рисунок Ж.2, лист 1

Рисунок Ж.2, лист 2

Приложение Ж.3

(справочное)

Образец исполнительного чертежа водопровода

Ситуационный план масштаба 1:2000

Рисунок Ж.3, лист 1

Рисунок Ж.3, лист 2

Рисунок Ж.3, лист 3

Приложение Ж.4

(справочное)

Образец исполнительного чертежа газопровода

Рисунок Ж.4, лист 1

Рисунок Ж.4, лист 2

Приложение Ж.5

(справочное)

Образец исполнительного чертежа электрокабеля

Рисунок Ж.5, лист 1

Рисунок Ж. 5, лист 2

Приложение Ж.6

(справочное)

Образец исполнительного чертежа электрокоррозионной защиты

Рисунок Ж.6, лист 1

Рисунок Ж. 6, лист 2

Приложение Ж.7

(справочное)

Образец исполнительного чертежа электрокабеля наружного освещения

Рисунок Ж. 7, лист 1

Рисунок Ж. 7, лист 2

Приложение Ж.8

(справочное)

Образец исполнительного чертежа общего коллектора

Рисунок Ж.8, лист 1

Рисунок Ж.8, лист 2

Рисунок Ж.8, лист 3

Рисунок Ж.8, лист 4

Рисунок Ж.8, лист 5

Приложение Ж.9

(справочное)

Образец исполнительного чертежа канализации

Рисунок Ж.9, лист 1

Рисунок Ж.9, лист 2

Рисунок Ж.9, лист 3

Приложение Ж.10

(справочное)

Образец исполнительного чертежа водостока

Рисунок Ж.10, лист 1

Рисунок Ж.10, лист 2

Приложение Ж.11

(справочное)

Образец исполнительного чертежа теплосети и дренажа

Рисунок Ж.11, лист 1

Рисунок Ж.11, лист 2

Приложение Ж.12

(справочное)

Образец исполнительного чертежа телефонной канализации

Рисунок Ж.12, лист 1

Рисунок Ж.12, лист 2

Приложение Ж.13

(справочное)

Исполнительный чертеж труб ГНБ

Рисунок Ж.13, лист 1

Рисунок Ж.13, лист 2

Рисунок Ж.13, лист 3

Рисунок Ж.13, лист 4

Приложение Ж.14

(справочное)

Исполнительные съемки строительных конструкций, ГОСТ Р 51872

Обозначение действительной отметки поверхности (Д)

Примечание - Примеры указания фактических отклонений осей элементов от разбивочных осей. На плане перед числовыми значениями отклонений помещаются в прямоугольной рамке буква «В» для верхнего сечения или «Н» - для нижнего сечения элемента.

а) размер от грани монолитного ростверка до оси;

в) фактический размер от грани монолитного ростверка до оси по результатам исполнительной съемки.

а) размер от грани стеновых панелей до оси;

в) фактический размер от грани стеновых панелей до оси по результатам исполнительной съемки.

Примечание - Примеры указания фактических расстояний на плане по результатам исполнительной съемки.

Рисунок Ж.14, лист 1

Примеры написания действительных отклонений поверхностей элементов от вертикальных.

Примеры написания действительных отклонений поверхностей.

Примеры написания действительных отклонений поверхностей.

Примеры указаний действительных отклонений панелей в нижних сечениях и плит перекрытий от наивысшей точки монтажного горизонта:

а) цифры по краям - величина смещения плоскости стен, в нижнем сечении от ориентирных (разбивочных) рисок.

Цифры в середине - отклонение плоскости стен от вертикали.

Направление смещения (отклонения) - указывает сторона написания цифры.

Записывается синим цветом;

б) цифры показывают место установки рейки и отклонение отметок плит перекрытий от наивысшей отметки и от монтажного горизонта, принятой за «0».

Записывается красным цветом;

в) после демонтажа (переустановки) панелей или других элементов производится повторная съемка. Результаты повторной съемки вписываются в первоначальную схему, перечеркнув прежние результаты.

Записывается черным цветом.

Рисунок Ж.14, лист 2

Приложение И

(справочное)

Методика высокоточного геометрического нивелирования короткими визирными лучами

Высокоточное геометрическое нивелирование короткими визирными лучами (S ≤ 25 м) выполняется из середины.

Максимальная величина неравенства плеч не должна превышать значений, приведенных в таблице 1 настоящего свода правил.

При этом величина угла i должна быть не более 5". Значение угла i должно определяться перед началом цикла измерений и после выполнения цикла на специальном стационарном стенде, оборудованном в помещении на нижнем горизонте.

При длине визирных лучей от 3 до 18 м рекомендуется использовать ширину штриха рейки 0,5 мм, а от 18 до 25 м - 1,0 мм (стандартная рейка с инварной полосой длиной 1,75 - 3,0 м).

Геометрическое нивелирование во всех циклах измерений выполняются по одной и той же схеме. Для этого места установки нивелира маркируют краской.

Кроме того, в каждом цикле измерений соблюдают следующие требования:

- при нивелировании применяются одни и те же инструменты и рейки;

- рейки должны быть пронумерованы и устанавливаться на те же марки или реперы, на которые они устанавливались в предыдущих циклах измерений.

Высокоточное геометрическое нивелирование короткими визирными лучами выполняются нивелирами с контактным уровнем или с самоустанавливающейся линией визирования. Кроме высокоточных нивелиров типа Н-0,5, НИ004, НИ02 высокоточное геометрическое нивелирование короткими визирными лучами может выполняться точными нивелирами, в том числе цифровыми, имеющими оптический микрометр и увеличение зрительной трубы не менее 25 - 30 крат, например, 3Н2КЛ (Россия), В1 (SOKKIA), PL1 (SOKKIA), Dini 12 (Trimble) и т.д.

Программа измерений на кусте глубинных реперов: берут отсчеты

последовательно каждого из реперов I, II, III, IV. Заканчивается прием измерений повторным отсчетом на начальный репер I, который выполняется для контроля устойчивости инструмента в процессе измерений и в обработку не включается. Затем процесс измерений повторяют при другом горизонте инструмента. Для измерения горизонта инструмента служит прецизионная нивелирная подставка (см. рисунок И.1).

1 - планка; 2 - плита несущая; 3 - винт;
4 - плита опорная; 5 - втулка; б - винт; 7 - гайка

Рисунок И.1 - Прецизионная нивелирная подставка

Привязочный нивелирный ход от куста реперов до ближайшей марки осадочной сети прокладываются при двух горизонтах инструмента с использованием стандартных реек с инварной полосой длиной 1,75 - 3,0 м.

Нивелирование по осадочным маркам в полу выполняют с использованием стандартных реек с инварной полосой длиной 1,75 - 3,0 м.

Нивелирование по осадочным маркам на колоннах проводится на одни и те же штрихи, для чего осадочные марки устанавливают на один горизонт с погрешностью 2,5 мм.

Установка визирной оси зрительной трубы нивелира на заданный горизонт в этом случае производится с помощью прецизионной нивелирной подставки.

При нивелировании 3 - 6-метровыми визирными лучами рекомендуется использовать одну рейку.

Высокоточное нивелирование по осадочным маркам на колоннах производится при двух горизонтах инструмента. Наблюдения на станции выполняют по способу совмещения. Программа наблюдений на станции входе одного направления (для нивелиров с самоустанавливающейся линией визирования) должна соответствовать таблице И.1.

Таблица И.1

Станция

Программа

Нечетная

Четная

Последовательность работ на станции (для нечетной станции) должна быть следующей;

а) штатив нивелира центрируют нитяным отвесом под маркировочной точкой, соответствующей равенству визирных лучей;

б) приводят нивелир в рабочее положение с помощью установочного уровня, при этом зрительная труба направлена на заднюю рейку;

в) с помощью прецизионной подставки визирную ось нивелира выводят на рабочий горизонт;

г) устанавливают барабан на отсчет 50;

д) выводят трубу нивелира на основную шкалу задней рейки;

е) вращением барабана точно наводят биссектор на ближайший штрих основной шкалы, делают отсчет 3 по рейке и барабану;

ж) наводят трубу на основную шкалу передней рейки, производят отсчет П;

и) при положении трубы на переднюю рейку с помощью подъемных винтов нивелира вновь приводят уровень в ноль-пункт и делают отсчет П по основной шкале передней рейки.

При переходе от прямого хода к обратному рейки меняют местами, т.е. четную рейку ставят на место нечетной и наоборот.

В процессе наблюдений отсчетов по барабану микрометра берут отсчет до 0,1 деления, а превышения - до 0,1 мм. Результаты наблюдений записывают в журнал.

При работе на станции должны применяться допуски, указанные в таблице И.2.

Таблица И.2

Длина визирного луча, м

mф на станции, мм

Неравенство расстояний на станции, м

Допустимая высота луча над препятствием, м

Программа наблюдений на станции: Нечетная, четная

Допустимое расхождение превышений, полученных при двух горизонтах

Невязка в полигоне, мм

Среднеквадратическая погрешность на 1 км хода, мм

25

0,2

0,3

0,8

0,4

0,4

1,0

3П - задняя передняя лейка, n - количество станций

Приложение К

(справочное)

Типы и конструкции знаков закрепления основных и главных разбивочных осей, глубинные реперы

Рисунок К, лист 1

Рисунок К, лист 2

Схемы разбивочных сетей строительной площадки и зданий

Условные обозначения:
 - пункты разбивочной сети строительной площадки;  - пункты государственной
геодезической сети;
 - строительная площадка;  - проектируемые здания

Рисунок К, лист 3

Схемы разбивочных сетей здания

Условные обозначения
 - в репер, совмещенный с осевым знаком;  - временный осевой знак, конструкция
которого приведена в обязательном приложении К:
 - постоянные осевые знаки,
конструкции которых приведены в приложении К;
 - осевой знак на здании;  - пункты разбивочной сети строительной площадки;
 - пункты геодезическом сети

Рисунок К, лист 4

Приложение Л

(справочное)

Типовая схема геодезической основы для наблюдения за деформацией зданий

1 - внешняя исходная высотная основа; 2 - привязочный ход; 3 - внутренняя деформационная сеть;
4 - контрольная деформационная сеть; 5 - глубинный репер; 6 - осадочная марка в полу;
7 - осадочная марка на колонне (стене)

Рисунок Л, лист 1

а) Плоская марка

б) Полукруглая марка

в) Марка для измерения кренов и отклонений от вертикали (при наклонном)

Рисунок Л, лист 2

Приложение М

(справочное)

Мониторинг здании и сооружений в процессе эксплуатации

М.1 В период эксплуатации мониторинг зданий и сооружений проводятся преимущественно с использованием автоматизированных систем на основе видеоизмерений или моторизированных электронных тахеометров.

Номенклатура автоматизированных систем должна предусматривать измерение в реальном масштабе времени следующих геометрических параметров деформаций: наклона и неравномерной осадки фундамента зданий и сооружений; отклонения от вертикали и колебаний верха здания и сооружения; кручения верха здания и сооружения.

М.2 Для измерения наклонов и неравномерностей осадки фундамента здания и сооружения используют стационарную видеогидростатическую систему, для измерения отклонения от вертикали, колебаний и кручения верха здания - видеоизмерительную систему для измерения колебаний и плановых смещений верха зданий и сооружений и стационарную автоматизированную систему контроля деформаций на основе обратных отвесов.

М.3 Автоматизированные системы мониторинга должны обеспечивать следующие точности измерения деформаций в зависимости от высоты здания:

наклон фундамента здания и сооружения 1:100000;

отклонение от вертикали верха здания и сооружения 1:50000;

колебания верха здания и сооружения 1:50000;

кручение верха здания и сооружения 1:50000.

Оперативность получения итоговых результатов в системе автоматизированного мониторинга должна быть не более 1 мин.

Вся информация в системе автоматизированного мониторинга должна выводиться на монитор и быть наглядной.

Входящие в автоматизированную систему мониторинга измерительные датчики должны определять деформационные параметры прямыми непосредственными измерениями и входить в реестр измерительных средств Ростехрегулирования и иметь метрологические свидетельства.

Наработка на отказ измерительных датчиков автоматизированных систем мониторинга должна быть не менее 25000 ч.

М.4 При достижении предельных значений деформаций автоматизированная система мониторинга должна вырабатывать сигнал тревоги.

Для контроля наклонов фундамента должны быть установлены измерительные пункты (железобетонные столбы размерами 300×300×300 мм, жестко связанные с фундаментом здания), которые должны располагаться вдоль главных осей здания для измерения продольных и поперечных наклонов. По каждой из осей должно быть установлено не менее пяти измерительных пунктов. На измерительные пункты устанавливают головки видеогидростатической системы, соединенные шлангами, заполненными специальной жидкостью.

Измерительные датчики (видеодатчики) для измерения отклонения от вертикали, колебаний и кручения верха здания и сооружения должны устанавливаться на измерительные пункты (железобетонные столбы размерами 400×400×1000 мм, жестко связанные с фундаментом здания), расположенные по диагонали здания. Измерительных датчиков (видеодатчиков) должно быть не менее двух.

М.5 В верхней части здания на одной вертикали с измерительными датчиками (видеодатчиками) должны быть установлены визирные марки. Между измерительными датчиками (видеодатчиками) и визирными марками должна быть обеспечена прямая видимость. Для этой цели могут быть использованы лестничные проемы, лифтовые шахты, отверстия в перекрытиях и т.д. Диаметр сквозного отверстия для обеспечения прямой видимости должен быть не менее 500 мм. Допускается строить систему наблюдений отклонений от вертикали шаговым методом с шагом, равным высоте пожарных отсеков (например, 15 этажей, 30 этажей и т.д.).

Все измерительные датчики должны быть защищены кожухами (в целях вандало защищенности).

Все измерительные пункты должны быть обеспечены электропитанием постоянным током напряжением 12 В.

Измерительные пункты должны быть связаны с центральным (диспетчерским) пунктом каналом связи четырехжильным кабелем типа «витая пара».

Центральный (диспетчерский) пункт должен быть оснащен компьютером не ниже «Pentium-4», контроллером для ввода видеосигнала в компьютер и принтером для документирования информации.

Системы автоматизированного мониторинга должны иметь возможность внутренней метрологической калибровки без демонтажа измерительных датчиков.

Замена измерительных датчиков автоматизированной системы мониторинга при выходе из строя не должен приводить к потере исходных данных.

Монтаж и наладка автоматизированных систем на объекте проводят по утвержденной проектной документации. Приемку автоматизированной системы в эксплуатацию проводят в соответствии с [1].

Библиография

[1] ГКИНТ (ГНТА) 17-195-99 Инструкция по проведению технологической поверки геодезических приборов

[2] СП 50-101-2004 Проектирование и устройство оснований и фундаментов зданий и сооружений

[3] СП 11-104-97 Инженерно-геодезические изыскания для строительства. Часть I. Выполнение съемки подземных коммуникаций при инженерно-геодезических изысканиях для строительства. Обозначения характеристик точности

[4] СП 13-102-2003 Правила обследования несущих строительных конструкций зданий и сооружений

[5] Приказ Ростехнадзора от 26 декабря 2006 № 1126

[6] РД 11-02-2006 Требования к составу и порядку ведения исполнительной документации при строительстве, реконструкции, капитальном ремонте объектов капитального строительства и требования, предъявляемые к актам освидетельствования работ, конструкций, участков сетей инженерно-технического обеспечения

[7] МГСН 4.19-05 Многофункциональные высотные здания и комплексы

[8] МДС 11-19.2009 Временные указания по организации технологии геодезического обеспечения качества строительства многофункциональных высотных зданий

[9] Методика оценки и сертификации инженерной безопасности зданий и сооружений МЧС России

[10] Руководство по натурным наблюдениям за деформациями гидротехнических сооружений и их оснований геодезическими методами

[11] Руководство по наблюдениям за деформациями оснований и фундаментов зданий и сооружений

[12] Руководство по определению кренов инженерных сооружений башенного типа геодезическими методами

[13] Общие положения к техническим требованиям по проектированию жилых зданий высотой более 75 м

[14] Перечень действующих нормативных и рекомендательных документов по инженерным изысканиям в строительстве

Ключевые слова: геодезические работы, геометрические параметры, проектная документация, документация исполнительная геодезическая, строительное производство, строительная площадка, строительные конструкции, разбивочные работы, разбивочная основа, разбивочные оси, центральные оси, исходный горизонт, монтажный горизонт, исполнительные съемки, исполнительные схемы, обеспечение точности, контроль точности, плановая сеть, высотная сеть, электронный тахеометр, спутниковые приемники, геодезические знаки, проект производства геодезических работ, мониторинг деформативности и смещаемости строительных конструкций, высотная деформационная основа, осадка, крен здания, сооружения, автоматизированная система контроля деформативности, неравномерная осадка

 

 

 



© 2013 Ёшкин Кот :-)