Информационная система
«Ёшкин Кот»

XXXecatmenu

ВСЕСОЮЗНЫЙ НАУЧНО-ИССЛЕДОВАТЕЛЬСКИЙ ИНСТИТУТ
ВОДОСНАБЖЕНИЯ, КАНАЛИЗАЦИИ, ГИДРОТЕХНИЧЕСКИХ СООРУЖЕНИЙ И ИНЖЕНЕРНОЙ ГИДРОГЕОЛОГИИ (ВНИИ ВОДГЕО) ГОССТРОЯ СССР

Рекомендации
по проектированию и строительству
шламонакопителей и хвостохранилищ
металлургической промышленности

Москва Стройиздат 1986

Рекомендованы к изданию решением секции по гидротехническим сооружениям Научно-технического совета ВНИИ ВОДГЕО Госстроя СССР.

Рассмотрены вопросы проектирования, строительства и эксплуатации хранилищ. Даны сведения по физико-механическим и прочностным характеристикам отходов обогащения руды, а также методы расчетов плотин и дамб хранилища на устойчивость, осадку и фильтрацию. Приведены схематические конструкции дамб, хранилищ, противофильтрационные устройства, гидротехнические сооружения.

Для специалистов, занимающихся проектированием, строительством и эксплуатацией шламонакопителей и хвостохранилищ.

Предисловие

Развитие народного хозяйства в нашей стране требует ввода в эксплуатацию новых рудных месторождений. Расширяются и строятся крупнейшие горнорудообогатительные комбинаты (ГОКи) и фабрики, предназначенные для переработки десятков миллионов тонн руды и сырья.

Комбинаты и обогатительные фабрики в результате процесса производства обогащения руды сбрасывают миллионы тонн отходов обогащения руды. Для складирования их требуются хранилища, имеющие не только значительную емкость, но и удовлетворяющие условиям охраны окружающей среды.

В зависимости от топографических условий местности хранилища бывают следующих типов: овражные, пойменные, косогорные; равнинные, котлованные и котловинные. Емкость хранилища любого типа, кроме котлованного и котловинного, требует возведения ограждающих дамб или плотин, которые намываются из отходов или отсыпаются из вскрышных пород или местных грунтов. Ограждающие дамбы или плотины в зависимости от технических условий могут быть возведены сразу на полную высоту или очередями.

За последнее время накоплен значительный опыт эксплуатации сооружений хранилищ и возведения плотин и дамб, намываемых из отходов и отсыпаемых из вскрышных пород. В существующих рекомендациях и инструкциях не полностью освещены вопросы, связанные с проектированием хвостохранилищ и накопителей промстоков.

В данной работе на основе более глубоких исследований даются уточненные рекомендации по целому ряду вопросов, связанных с проектированием хранилищ предприятий металлургической промышленности и накопителей промышленных стоков, расположенных в различных районах страны. В частности, приводятся новые предложения по проектированию дамб или плотин хранилищ и накопителей по расчету устойчивости откосов, возведенных из отходов, дренажным устройствам, выбору расчетных физико-механических характеристик, раскладке хвостов при намыве, допускаемым механическим и санитарным разрывам между сооружениями хранилища и населенными пунктами, мероприятиям, обеспечивающим безаварийную эксплуатацию хранилищ и накопителей и другим вопросам. Приводятся предложения по эксплуатации хранилищ отходов обогащения руды и их технико-экономическим показателям.

Рекомендации разработаны ВНИИ ВОДГЕО: д-р техн. наук И.С. Федоров, кандидаты техн. наук В.М. Павилонский, П.П. Дергачев, А.И. Пилюгин, М.Н. Захаров, инженеры В.С. Забавин, Э.В. Казаков, Л.И. Кондратьев, Л.И. Шабарова, В.С. Бычков, О.М. Федорова при участии Харьковского отделения ВОДГЕО: кандидаты техн. наук И.К. Лавриненко, В.И. Водолазский, Л.Г. Чернега, И.Е. Саратов.

1. ОБЩИЕ ПОЛОЖЕНИЯ

ОБЛАСТЬ ПРИМЕНЕНИЯ

1.1. Настоящие Рекомендации распространяются на проектирование, строительство и эксплуатацию хранилищ (шламонакопителей и хвостохранилищ) обогатительных фабрик металлургической промышленности.

1.2. При возведении ограждающих дамб хранилищ шламонакопителей и хвостохранилищ из местного грунта или вскрышных пород насыпным способом с уплотнением или без уплотнения, а также намывным способом рекомендуется пользоваться главой СНиП по проектированию плотин из грунтовых материалов.

1.3. При проектировании ограждающих дамб хранилищ, расположенных в районах с суровым климатом (суровая продолжительная зима, наличие в основании сооружений многолетнемерзлых грунтов с периодическим оттаивающим верхним слоем, возможного термокарста, наледей, морозного пучения и т.п.), рекомендуется пользоваться Рекомендациями по проектированию хвостохранилищ в суровых климатических условиях (M.: Стройиздат, 1977).

ОСНОВНАЯ ТЕРМИНОЛОГИЯ

1.4. Хранилище - искусственная или естественная емкость - включает в себя комплекс сооружений, необходимых для складирования отходов обогащения руды.

Отходы обогащения металлической руды, так называемые хвосты-шламы, представляют собой несвязный материал, состоящий из различных по величине зерен раздробленных минералов. Для характеристики отходов до намыва в хранилище необходимо знать их зерновой и минералогический состав, плотность частиц (удельный вес), для намытых отходов - химический состав, степень вредности для окружающей среды. Кроме перечисленных, необходимо определять следующие характеристики: плотность грунта (объемный вес), пористость, влажность, сжимаемость, сопротивление сдвигу, фильтрационные и теплофизические свойства.

1.5. Наливное хранилище-накопитель - гидротехническое, сооружение, плотины и ограждающие дамбы которого возводятся насыпным или намывным способом на полную высоту или по отдельным очередям, заполняя его емкости до проектной высоты.

1.6. Намывное хранилище - гидротехническое сооружение, ограждающие дамбы которого возводятся в виде упорных призм в процессе его заполнения.

1.7. Хранилища состоят из ложа-основания, ограждающих дамб, включающих в себя упорные призмы, дренажные и противофильтрационные устройства, насосные станции, насосы оборотного водоснабжения, пульповоды, эстакады под пульповоды, водосбросные сооружения, коллекторы и другие элементы.

1.8. Дамба первичного обвалования - насыпь из грунта или вскрышной породы - предназначена для замыва первой очереди хранилища отходами (хвостами, шламами).

Дамба вторичного обвалования отсыпается после возведения первичной дамбы обвалования из крупнозернистых отходов, при отсутствии их из вскрышной породы, предназначена для замыва хранилища второй очереди.

1.9. Участок хранилища, на котором производится намыв, называется картой намыва. Последовательность заполнения карт указывается в проекте.

1.10. Зона между ограждающей дамбой и прудком-отстойником называется пляжем. Прудок-отстойник - водоем, в котором происходит осветление воды в процессе намыва отходов.

1.11. Пульповоды-лотки, трубы предназначены для гидравлического транспортирования отходов посредством магистральных и распределительных пульповодов.

1.12. Пульпонасосная станция - сооружение, предназначенное для перекачки пульпы.

1.13. Ярус намыва - слой отходов, намытых с одного положения распределительных пульповодов.

1.14. Водоприемный колодец - сооружение, предназначенное для забора воды из отстойного пруда хранилища.

1.15. Фронт намыва - ширина растекающегося потока пульпы на карте, выпускаемого из отверстий распределительного пульповода,

1.16. Интенсивность намыва - толщина слоя отходов, намываемого в единицу времени (м/сут, м/год).

1.17. Пульпа - смесь отходов с водой, сбрасываемая обогатительной фабрикой. Характеристикой пульпы являются консистенция, плотность частиц (удельный вес), зерновой состав твердой фазы.

1.18. Весовая консистенция пульпы - отношение веса отходов в пульпе Т к весу воды Ж - определяется по формуле

Рвв = Т/Ж × 100 %.                                                       (1)

1.19. Объемное содержание отходов в пульпе по отношению к объему воды равно

Ров = Т/gо100 %/Ж/gв = Тgв/Жgо100 %,                                            (2)

где gо - плотность (удельный вес) отходов, т/м3; gв - плотность (удельный вес) воды, равный 1 т/м3.

1.20. Объемное содержание отходов в пульпе по отношению к объему пульпы равно

Роп = Т/gо100 %/(Т/gо + Ж) = Т/(Т + Жgо)100 %.                                 (3)

Расход пульпы при заданном среднесуточном выходе отходов определяется по формуле

Q =(q/go + Ж)/3600n, м3/с,                                                (4)

где q - выход отходов, т/сут; Ж - количество воды в пульпе, м3/сут;

п - количество часов работы фабрики в сутки.

Плотность частиц пульпы - отношение веса пульпы к ее объему:

gп = (Т + Ж)/(T/go + Ж/gв).                                              (5)

1.21. Пульповод - устройство, служащее для транспортирования пульпы самотеком или под напором от обогатительной фабрики до хранилища и для распределения пульпы на хранилище.

1.22. Интенсивность намыва - высота слоя отходов, намываемая в единицу времени (месяц или год). Предельная интенсивность намыва определяется проектом исходя из условий устойчивости сооружения.

1.23. Боковой упорной призмой называется часть тела плотины или ограждающей дамбы, примыкающая к низовому откосу. Боковая призма формируется из более крупного материала, получаемого при заданной крупности помола руды, и является ответственным элементом сооружения, удерживающим от вытекания из хранилища всей массы складируемого материала.

1.24. Общей емкостью хранилища называется объем складируемых отходов обогатительной фабрики и вскрышных пород. Общая емкость хранилища определяется проектом и включает в себя начальную емкость, необходимую для складирования отходов и отстоя воды в прудке.

КЛАССИФИКАЦИЯ ХРАНИЛИЩ

1.25. Все существующие хранилища в зависимости от способа устройства целятся на:

плотинные (наливные), в которых ограждающие устройства возводятся сразу на всю высоту или очередь;

хранилища постепенного возведения, в которых сначала возводят первичную дамбу небольшой высоты, необходимую для организации замыва, а затем наращивают хранилище по высоте путем постепенного возведения дамб вторичного обвалования;

бесплотинные, исключающие возведение как плотины, так и первичной дамбы.

Примечание. Если предполагается возводить плотину хранилища очередями, то необходимо составление проекта возведения очередей.

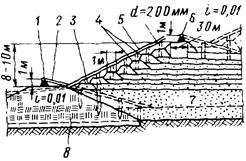
1.26. В зависимости от рельефа местности различают следующие типы хранилищ (рис. 1):

а) овражные располагаются в оврагах или балках, перегороженных дамбой;

б) равнинные устраиваются на ровной местности с обвалованием по всему периметру. Эксплуатационное достоинство равнинного хранилища - отсутствие необходимости сбрасывать естественные стоки и строить для этой цели дорогостоящие водосбросные сооружения;

в) овражно-равнинные устраиваются на равнинах, пересеченных оврагами, перекрываются плотиной, а равнина обваловывается;

г) пойменные располагаются на поймах рек с обвалованием с двух или трех сторон в зависимости от рельефа местности;

д) косогорные устраиваются на участках, ограждаемых с трех сторон дамбами, с четвертой - самим косогором;

е) котлованные располагаются в котлованах старых карьеров, при этом возможно складирование отходов без возведения дамбы;

ж) котловинные располагаются в котловинах, при этом возможно складирование отходов без возведения дамбы или же требуется дамба малой высоты.

Рис. 1. Типы шламонакопителей и хвостохранилищ

а - овражное; б - равнинное; в - овражно-равнинное; г - пойменное; д - косогорное; 1 - дамба; 2 - ложе хранилища; 3 - река

ТРЕБОВАНИЯ К ОГРАЖДАЮЩИМ ДАМБАМ

1.27. Тип ограждающих дамб хранилищ устанавливается в зависимости от наличия в ближайшем районе строительства тех или иных грунтов, способа возведения, инженерно-геологических и гидрологических условий оснований дамбы и производительности обогатительной фабрики ГОКа.

1.28. Основные требования к ограждающим дамбам при намыве, а также после намыва отходов сводятся к обеспечению устойчивости их откосов от оползания и оплывания под действием выклинивающихся на откосе фильтрационных вод и закрепленных намытых отходов от распыления. Особое внимание обоснованию устойчивости откосов ограждающих дамб должно уделяться при большой интенсивности намыва грунтов и отходов, а также при устройстве хранилищ в сейсмических районах.

1.29. Для возведения ограждающих дамб хранилищ могут применяться такие же грунты, как и при возведении водоудерживающих плотин и дамб, а также отходы, сбрасываемые обогатительными фабриками.

1.30. Заполнение хранилища может осуществляться двумя способами: от плотины или дамбы к берегам и от берега к плотине или дамбе, а при равнинном хранилище заполнение осуществляется картами. Последовательность заполнения карт указывается проектом.

1.31. Рекомендуются три способа намыва отходов в плотины и дамбы: эстакадный, зенитный и безэстакадный (см. разд. 8).

1.32. Осветленные воды удаляются из отвала через колодцы внутри пруда, через водосливы и водоспуски, а также путем откачки при оборотном использовании осветленной воды.

МЕСТНЫЕ СТРОИТЕЛЬНЫЕ МАТЕРИАЛЫ, ГРУНТЫ ПОЛЕЗНЫХ ВЫЕМОК

1.33. Для возведения дамб и плотин хранилищ следует в максимальной степени использовать вскрышные породы и отходы обогатительных фабрик, а также различные местные строительные материалы: песок, глинистые грунты, щебень, гравий, камень и др. Грунты для возведения дамб должны удовлетворять требованиям СНиП по проектированию плотин из грунтовых материалов.

1.34. Карьеры грунтов целесообразно размещать в чаше проектируемого хранилища вблизи сооружений и использовать их с учетом очередей строительства и сроков подъема горизонта воды в хранилище. СНиП по проектированию плотин из грунтовых материалов.

1.35. В ряде случаев представляется выгодным для возведения сооружений хранилища использовать грунты полезных выемок промплощадки, особенно вскрышные породы карьеров рудных месторождений. Это должно быть обосновано технико-экономическими расчетами с учетом метода и сроков их разработки, наличия дорог и физико-механических свойств этих пород и других факторов.

2. ТОПОГРАФИЧЕСКИЕ, ГИДРОЛОГИЧЕСКИЕ, ИНЖЕНЕРНО-ГЕОЛОГИЧЕСКИЕ И ГИДРОГЕОЛОГИЧЕСКИЕ ИЗЫСКАНИЯ И ИССЛЕДОВАНИЯ

2.1. Объем изысканий для разведки створа плотины или ограждающей дамбы хранилища (шламонакопителей и хвостохранилищ), карьеров грунтов и месторождений камня, отсыпаемых в плотину или дамбу первичного обвалования и дренажную призму, и для обоснования проектных решений должен быть выполнен с учетом требований главы СНиП по инженерным изысканиям для строительства, особенностей строительства и эксплуатации хранилищ для отходов (шламов и хвостов), процесса обогащения металлической руды. Складирование отходов производится в основном посредством гидротранспорта.

ТОПОГРАФИЧЕСКИЕ И ГИДРОЛОГИЧЕСКИЕ ИЗЫСКАНИЯ

2.2. Топографические изыскания проводятся для установления плана участка хранилища, гидрологические - для водного режима на участке строительства хранилища.

2.3. В результате топографических изысканий представляются следующие материалы:

1) топографическая съемка района хранилища и прилегающей к нему территории в зависимости от сложности гидрогеологических условий и размера хранилищ производится в масштабе 1:5000 - 1:25000. В районе створа дамбы и плотины съемка местности производится в масштабе 1:500, при средней сложности 1:1000.

2) для проекта:

план расположения хранилища с трассами пульповодов и водопроводов, с насосными станциями, расположенными в районе хранилища, в масштабе 1:5000 с горизонталями через 0,5 - 1 м;

для стадии рабочего проекта:

план хранилища в масштабе 1:2000 - 1:5000 с горизонталями через 1 - 2 м;

план расположения гидротехнических сооружений плотин и дамб, насосных станций и переходов пульповодов и водопроводов через реки, овраги и т.д. в масштабе 1:500 - 1:1000 с горизонталями через 0,5 - 1 м;

продольные профили трасс пульповодов и водопроводов по осям гидротехнических сооружений в горизонтальном масштабе 1:2000 - 1:5000 и вертикальном - 1:100 - 1:500.

2.4. Климатическая характеристика района хранилища (для плотинного типа) должна включать следующие данные:

среднемесячные и среднегодовые температуры воздуха, а также их максимумы;

среднемесячные и среднегодовые количества осадков, а также их суточные максимумы;

среднюю, наибольшую и наименьшую месячную высоту снегового покрова;

абсолютную влажность воздуха и дефицит влажности;

среднемесячные и годовые скорости ветра и наибольшую его скорость в летний и зимний периоды (роза ветров);

многолетнее среднее испарение с водной поверхности по месяцам.

2.5. На стадии составления рабочего проекта гидрологические изыскания должны выполнять: общую гидрографическую и гидрологическую характеристику, химический состав воды водотоков, границы и бассейны каждого водотока, оценку качества воды, нормы стока, расходы, режим уровней, скорость течения, твердый сток, ледовый и волновой режим, данные о растительности, паводковом и бытовом режиме водотоков на месте расположения узла сооружений хранилища.

На стадии составления проекта для хранилищ гидрологические характеристики устанавливаются по существующим эмпирическим зависимостям.

ИНЖЕНЕРНО-ГЕОЛОГИЧЕСКИЕ ИЗЫСКАНИЯ И ГЕОТЕХНИЧЕСКИЕ ИССЛЕДОВАНИЯ

2.6. Инженерно-геологические изыскания, исследования, выполняемые для обоснования проектов плотин ограждающих дамб хранилищ, производятся в обычном порядке по программе изысканий, составленной на основе технического задания, выдаваемого проектировщиками.

Инженерно-геологические изыскания на стадии проекта должны быть представлены геологическими профилями по трассам пульповодов и водопроводов, по осям гидротехнических сооружений (дамб и плотин) и насосных станций. Проект составляют на основе отчета по инженерно-геологическим изысканиям.

2.7. Гидрогеологические изыскания проводятся в общем комплексе с геологическими и должны включать: для проекта - сведения о режиме грунтовых вод и их агрессивности; для рабочего проекта - данные о горизонтах грунтовых вод должны быть нанесены на геологические профили с указанием колебаний уровня грунтовых вод и дана оценка водопроницаемости пород, залегающих в основании и чаше хранилища. Для бесплотинного типа хранилищ вышеуказанные данные изысканий являются необязательными.

2.8. Геотехнические исследования в проекте должны включать общую характеристику физических и механических свойств грунтов района хранилища и трассы пульповода, а для рабочего проекта должны быть представлены следующие материалы:

краткая инженерно-геологическая характеристика грунтов по трассам пульповодов и водопроводов;

для грунтов оснований гидротехнических сооружений - плотность частиц (удельный вес), пористость, влажность, пределы пластичности, объемная масса (объемный вес) влажного грунта и скелета, угол внутреннего трения, сцепление, компрессионные характеристики и коэффициент фильтрации;

по ложу хранилища - коэффициент фильтрации и данные о способности грунтов к выщелачиванию.

Исследованиям фильтрационных свойств грунтов основания и грунтов карьеров, намечаемых для возведения плотин дамб, должно быть уделено особое внимание в случае, когда в хранилище сбрасываются вредные стоки и происходит загрязнение прилегающей к хранилищу территории.

2.9. По местным строительным материалам при строительстве хранилищ плотинного типа должны быть представлены:

а) при поисковой разведке - план района хранилища и карьеров глинистых грунтов, песка, гравия в масштабе 1:10000 и карьеров камня в масштабе 1:5000 с горизонталями через 1 - 2 м;

б) для обеспечения детальной разведки на выбранных участках при проектировании разработки песчаных и суглинистых карьеров - план в масштабе 1:2000 и карьеров строительного камня в масштабе 1:1000 или 1:5000 с горизонталями через 1 м;

в) разрезы по карьерам и разведочным выработкам;

г) физико-механические характеристики и свойства грунтов, песка, гравия, камня, отходов (шламов, хвостов), которые могли бы использоваться для строительных целей;

д) сведения о грунтах полезных выемок промплощадки с календарным планом производства работ.

2.10. Санитарные обследования должны быть направлены на выявление последствия загрязнения воздушного пространства, а также поверхностных и грунтовых вод промышленными стоками, сбрасываемыми в хранилище и фильтрующимися из него в основание и ограждающие дамбы.

ОБЛЕГЧЕННЫЕ ТРЕБОВАНИЯ К ИЗЫСКАНИЯМ ДЛЯ СООРУЖЕНИЙ IV И V КЛАССОВ КАПИТАЛЬНОСТИ

2.11. Облегченные требования к изысканиям для проектирования хранилищ сводятся к следующему:

а) для топографической основы проектного задания следует использовать материалы ведомств по ранее выполненным съемкам и нивелировкам, устанавливая по ним площадь и объем хранилища, горизонты воды в нем и отметку плотины ограждающей дамбы, оси сооружения, профили и их объемы.

Уточнение и пополнение имеющихся топографических материалов следует производить по результатам рекогносцировки, упрощенной съемки и упрощенной нивелировки;

б) инженерно-геологические и гидрогеологические изыскания должны обеспечивать общее представление о геологии и гидрогеологии участка хранилища с узлом его сооружений и карьеров грунта, потребного для возведения плотины или ограждающих дамб.

Для этой цели следует использовать имеющиеся материалы по гидрологии и гидрогеологии района, обследовать естественные отложения пород по берегам рек и оврагов и отметить выход грунтовых вод;

в) гидрологические изыскания проводятся с целью установить максимальный расход исследуемого водотока и составить гидрограф за средний гидрологический год на основе материалов гидрометеорологических станций.

В случаях, когда упомянутые выше материалы отсутствуют, для получения сведений допускается использовать данные опроса старожилов. Полученные сведения о горизонтах воды, поперечном сечении водостока и других следах режима водотока должны быть зафиксированы с помощью инструментальной съемки.

ОЦЕНКА ГРУНТОВ ЧАШИ ХРАНИЛИЩА И ОСНОВАНИЙ СООРУЖЕНИЙ УЗЛА

2.12. При оценке грунтов оснований хранилищ плотин и ограждающих его дамб можно руководствоваться принципом, что практически все природные грунты могут быть использованы в качестве оснований. Особое внимание должно быть обращено на основания, сложенные из макропористых, торфянистых и илистых грунтов, содержащих растворимые соли.

2.13. При наличии в основании ограждающих хранилища дамб макропористых грунтов должно быть обращено внимание на возможные неравномерные деформации как в продольном, так и в поперечном направлениях, особенно в процессе намыва отходов в хранилища, которые могут вызвать нежелательные деформации и образование сквозных трещин в дамбах.

2.14. При наличии торфянистых переувлажненных грунтов в основаниях необходимо предусматривать такие конструкции дамб и водонепроницаемых устройств, которые при значительных деформациях оснований предотвращали бы разрушение их и появление катастрофических трещин. Для основания пригодны все виды торфа с любой степенью разложения при мощности слоя не выше 5 м. При наличии торфа со степенью разложения более 50 % следует производить посадку ограждающей дамбы на минеральное дно путем выдавливания его в стороны различными путями, в том числе и взрывным способом. Для этого на торфянистое основание помещают заряды в шахматном порядке, возводят ограждающую дамбу на заданную первоначальную высоту (8 - 10 м) и затем производят взрыв зарядов. Под действием взрыва насыпь опускается на минеральное дно1.

_____________

1 Подробно см.: Рекомендации по проектированию шламохранилищ, возводимых на основаниях, сложенных из торфов. - М.: ВНИИ ВОДГЕО, 1982; Технические правила ведения взрывных работ на дневной поверхности. - М.: Недра, 1972.

2.15. При наличии в основании слабых иловатых суглинков следует обращать особое внимание на дренирование основания. Расчет устойчивости откосов должен при этом учитывать возможности появления в грунтах основания порового давления, которое способствует значительному уменьшению сопротивления грунтов сдвигу.

2.16. При наличии в основании сооружений грунтов с большим содержанием водорастворимых солей для хранилищ I - III классов должна быть произведена оценка возможности их выщелачивания во времени и намечены соответствующие мероприятия по предотвращению опасных для сооружения деформаций или усиления фильтрации во времени.

2.17. Вопросы мероприятий по улучшению оснований хранилищ должны решаться в каждом отдельном случае в зависимости от класса сооружения.

При наличии в основании сильно водопроницаемых грунтов вопрос об их использовании в качестве оснований решается каждый раз отдельно в зависимости от класса сооружения и вредности сбрасываемых вод. При возможном загрязнении сточными водами грунтового потока должны предусматриваться изыскания не только под чашу и основание хранилища, но и под прилегающую к чаше территорию для разработки мероприятий, предупреждающих загрязнение грунтового потока.

3. ПРОЕКТИРОВАНИЕ ХРАНИЛИЩА

ОБЩИЕ ПОЛОЖЕНИЯ

3.1. Проект хранилища (шламонакопителя и хвостохранилища) для отходов (шламов и хвостов) обогащения металлических руд является частью проекта рудообогатительной фабрики или самостоятельным проектом, увязанным с комплексом сооружений горнорудного предприятия (рудником фабрики и др.), включая рабочий поселок.

3.2. Хранилища рекомендуется использовать для складирования и приема пульпы отходов и накопления осветленной воды, используемой для оборотного водоснабжения фабрики или сбрасываемой предварительно очищенной воды за пределы хранилища.

3.3. Проектирование хранилища ведется на основе технологического задания, выдаваемого организацией, выполняющей проектирование технологической части обогатительной фабрики.

Технологическое задание должно содержать данные по производительности фабрики и числу дней работы в году и расчетному числу лет эксплуатации, физико-механическому, минералогическому и химическому составам пульпы и отходов, температуре пульпы на выходе из фабрики и на выходе из пульповода, о необходимости использования оборотного водоснабжения и технологического количества воды, допустимой для повторного использования в процессе обогащения, возможным изменениям в количестве отходов, зернового состава, консистенции пульпы, теплофизическим характеристикам мерзлых и талых шламов.

3.4. В проекте хранилища должны быть решены основные и детальные технические вопросы, обеспечивающие правильное и экономичное строительство хранилища в заданные сроки, а также простоту и надежность его эксплуатации. Должно быть предусмотрено строительство жилых, бытовых и служебных помещений, подъездных путей к карьерам, к гидроотвалу и сооружениям хранилища (плотинам, ограждающим дамбам), к пульповодам и аварийным емкостям, землесосным станциям и т.д.

3.5. Для исследований деформации и устойчивости гидротехнических сооружений (дамб и плотин) в проекте хранилищ I и III классов капитальности должна быть предусмотрена организация лаборатории.

3.6. В соответствии с СН 202-81*, разд I - IV проектирования хранилищ (шламонакопителей и хвостохранилищ) осуществляется для технически несложных хранилищ IV и V классов капитальности в одну стадию - рабочий проект; для хранилищ технически сложных I - III классов капитальности в две стадии - проект и рабочий проект.

Примечание. В соответствии с Правилами разработки, согласования и утверждения проектно-сметной документации на строительство предприятий, зданий и сооружений (СН 202-81)*, пп. 3.1 - 3.6 задания на проектирование сооружений хранилища составляются заказчиком проекта.

СОДЕРЖАНИЕ ПРОЕКТА ХРАНИЛИЩА

3.7. Проект хранилища включает технические решения основных вопросов строительства и эксплуатации хранилища; состав сооружений хранилища, место расположения площадки для хранилища, способ и организацию укладки отходов, влияние фильтрации и сбросов воды из хранилища на грунтовые и поверхностные воды района, использование оборотного водоснабжения, осветление и сброс воды и обоснование технической выполнимости и экономической целесообразности предлагаемого варианта строительства хранилища и его эксплуатации, общую характеристику района и его план, на который наносят выбранную для хранилища площадку с подробным описанием ее. На генеральный план строительства хранилища наносят существующие здания, сооружения, инженерные сети и пути с привязкой их к топографической основе и с установлением отметок. Для учета требований механизации работ в процессе строительства и эксплуатации, а также для обеспечения необходимой мобильности и маневрирования механизмов при разработке генерального плана необходимо предусматривать устройство временных и постоянных дорог.

ТЕХНОЛОГИЧЕСКАЯ ЧАСТЬ ПРОЕКТА

В технологической части проекта указывают способ укладки хвостов и разрабатывают организацию его процесса, устанавливают необходимость и возможность использования осветленной воды для оборотного водоснабжения, выбирают основное оборудование для хозяйства хранилища и составляют его спецификацию для заказа, определяют потребность в электроэнергии, воде, топливе, разрабатывают эксплуатационные штаты. Составляют планы и разрезы сооружений хранилища с нанесением на них мест расположения основного оборудования.

СТРОИТЕЛЬНАЯ ЧАСТЬ ПРОЕКТА

В этой части в соответствии с СН 202-81* выбирают место для строительства хранилища, строительные материалы, конструкции для постройки основных сооружений. Излагают строительную характеристику хранилища и составляют схематические планы и разрезы зданий и сооружений с указанием строительных объемов и площадей. Устанавливают источники водоснабжения и места спуска сточных вод, разрабатывают схемы водоснабжения и канализации, отопления и вентиляции и выбирают для них оборудование.

ОРГАНИЗАЦИЯ СТРОИТЕЛЬСТВА

Устанавливают объемы строительно-монтажных работ и методы их выполнения, потребность в строительных ресурсах (электроэнергии, воде, строительных механизмах, материалах и рабочей силе), а также способы удовлетворения этой потребности. Составляют календарный строительный график, в котором указывают сроки строительства и ввода в эксплуатацию хранилища и отдельных объектов при неполной высоте плотины или ограждающей дамбы.

ВЫБОР МЕСТА РАСПОЛОЖЕНИЯ ПЛОЩАДКИ ДЛЯ ХРАНИЛИЩА

3.8. Площадку под хранилище, как правило, рекомендуется размещать с учетом расположения всего комплекса горнорудного предприятия на бросовых или малоценных землях, на заболоченных местах, оврагах, землях, не пригодных для сельского хозяйства и вблизи обогатительной фабрики, а также с учетом допустимых разрывов между сооружениями, населенными пунктами, водоемами и др. (см. пп. 3.37 - 3.44).

3.9. Площадка под хранилище выбирается с минимальным стоком поверхностных вод с окружающих их склонов, а также с более экономичным отводом вод стока в обход хранилища. Следует отдавать предпочтение площадкам, исключающим поступление стока поверхностных вод в хранилище.

3.10. В случае если в отходах содержатся компоненты и они подлежат дальнейшему использованию в промышленности, то в хранилище не следует сбрасывать другие промышленные стоки, т.е. должно производиться раздельное их складирование, и с учетом этого производится выбор расположения дополнительной площадки.

3.11. При размещении хранилища на основаниях, сложенных из просадочных грунтов и торфов, обязательно должна производиться подготовка основания, обеспечивающая устойчивость и безаварийную эксплуатацию плотин и дамб, ограждающих хранилища и другие сооружения.

3.12. Основанием хранилища могут служить набухающие грунты при условии срезки этих грунтов под ограждающей дамбой и другими сооружениями хранилища на глубину до 1,5 м или на глубину, ниже которой набухание грунтов не будет вызывать деформации и потери устойчивости низового откоса плотины или дамбы.

3.13. На площадках, через которые возможно прохождение селевого потока, при соответствующем обосновании можно размещать хранилища при условии строительства селезащитных устройств.

3.14. Размещение хранилища на участках с закарстованным основанием, а также на площадках с повышенной водопроницаемостью грунтов основания должно решаться с применением мероприятий (противофильтрационных экранов и пр.), исключающих инфильтрацию загрязненных вод из хранилища и возможное загрязнение питьевых источников.

3.15. При организации хранилищ в районах с вечномерзлыми грунтами (районы Крайнего Севера с суровым климатом) должно отдаваться предпочтение площадкам с талыми грунтами в основании (таликами).

3.16. На вечномерзлых грунтах основания площадки под хранилища следует выбирать с учетом сохранения или оттаивания мерзлоты при последующей эксплуатации хранилища. В последнем случае должны быть предусмотрены противофильтрационные мероприятия, исключающие сосредоточенную фильтрацию из хранилища.

При оттаивании вечномерзлых грунтов основания должна быть обеспечена устойчивость ограждающей дамбы.

Примечание. При проектировании хранилищ, и особенно ограждающих дамб, должны учитываться требования, предъявляемые к проектируемым напорным гидротехническим сооружениям в районах Крайнего Севера, на вечномерзлых грунтах основания.

3.17. Размещение хранилищ для хранения токсичных веществ, вредных для окружающей среды, должно решаться в каждом конкретном случае отдельно с учетом всех возможностей (природных и конструктивных), исключающих заражение окружающей среды, воздуха, питьевых источников и окружающих участков земли.

3.18. Использование под хранилища природных водоемов, рек и озер допускается только в исключительных случаях на основании специального обоснования непригодности этих водоемов для промышленного водоснабжения, питьевых целей и для разведения рыб или ценных пород водных зверьков, имеющих народнохозяйственное значение.

3.19. При выборе площадки под хранилища следует учитывать возможность последующей переработки этих отходов с целью извлечения вторичных полезных ископаемых, необходимость консервации и последующего использования площадки хранилища и безопасность его существования для близлежащих поселков после заполнения, консервации и рекультивации.

3.20. Выбор площадки для хранилища должен производиться с соблюдением Основ земельного законодательства СССР и союзных республик, законодательных актов по охране природы и использования природных ресурсов

3.21. До начала разработки проекта заказчик и проектная организация обязаны согласовать с землепользователями и органами, осуществляющими контроль за использованием земель, место расположения проектируемых сооружений и примерные размеры намечаемых к изъятию участков.

3.22. Для выбора площадки заказчиком создается комиссия, в состав которой включаются представители заказчика, генпроектировщика, специализированных проектных организаций, территориальной проектной организации Госстроя СССР, исполкома местного Совета народных депутатов, местных органов санитарной службы, пожарного надзора, органов советов министров союзных республик по использованию и охране водных ресурсов. В необходимых случаях привлекаются представители Госинспекции по охране рыбных запасов.

3.23. Комиссия составляет акт по выбору площадки, который подписывается всеми ее членами и утверждается соответствующим министерством и ведомством-заказчиком. Оформление акта производится в исполкоме местного Совета народных депутатов. Акт о выборе площадки является основным документом о согласовании проектных решений.

3.24. В комплекс работ по выбору площадки, выполняемых проектной организацией, входят:

экономические расчеты и инженерные обследования;

технико-экономические сравнения вариантов размещения площадок;

согласования с соответствующими органами намечаемых проектных решений в части размеров площадки, трасс новых внеплощадочных коммуникаций, мест спуска сточных вод, мероприятий по борьбе с подтоплением и затоплением в районе намечаемого строительства гидротехнических сооружений.

КЛАСС КАПИТАЛЬНОСТИ ХРАНИЛИЩА

3.25. Класс капитальности хранилища и его сооружений рекомендуется определять с учетом следующих признаков: емкость хранилища, степень ответственности сооружений, высота намыва отходов, условия эксплуатации сооружений хранилища, производительность по выходу отходов с фабрики. Хранилища, срок эксплуатации которых превышает 5 лет, относятся к постоянным сооружениям, менее 5 лет - к временным сооружениям. При выборе класса капитальности можно руководствоваться табл. 1.

Таблица 1

Класс капитальности хранилища

Емкость хранилища, млн. м3

Выход отходов, т/сут

Высота плотины или ограждающей дамбы, м

Степень ответственности сооружений и последствия их разрушений

I

Более 100

Более 10000

Более 50

Особо ответственные, авария которых сопряжена с катастрофическими последствиями для населенных пунктов и предприятий, а также отравлением, загрязнением водоемов и водостоков питьевого назначения

II

То же

То же

То же

Особо ответственные, авария которых не сопряжена с катастрофическими последствиями для населенных пунктов и предприятий. Вызывает затопление сельскохозяйственных угодий, отравление и загрязнение водоемов, имеющих народнохозяйственное значение

III

100 - 10

10000 - 5000

50 - 20

Малоответственные, авария которых не может вызвать серьезных последствий для населенных пунктов и предприятий, затопление местности, не имеющей народнохозяйственного значения

IV

Менее 10

5000 - 1000

Менее 20

Хранилища в незастроенных местностях, авария вызывает затопление земель и загрязнение водоемов и водотоков, не пригодных к использованию в данное время

V

То же

Менее 1000

То же

Временные сооружения, авария которых вызывает затопление земель и загрязнение водоемов, не пригодных к использованию в данное время

3.26. В связи с разнообразием условий эксплуатации класс капитальности отдельных сооружений хранилища можно назначать отличным от класса капитальности хранилища с учетом следующих условий:

1) работы хранилища и его сооружений: величина и интенсивность поднятия напора на ограждающие дамбы; характеристика заполнения емкости перед дамбой осветленной водой или пульпой; содержание в воде взвесей и условия кольматации ложа хранилища и подводной поверхности верхового откоса ограждающих дамб; площадь зеркала, глубина воды в прудке-отстойнике и воздействие ветровой волны на ограждающие дамбы;

2) отвода профильтровавшейся из хранилища воды и равномерность осадок сооружений.

3.27. Повышение на один класс капитальности хранилища или отдельного его сооружения допускается в случаях, если:

авария особо ответственных сооружений хранилища повлечет за собой катастрофические последствия для населенных пунктов и крупных предприятий;

хранилище используется для оборотного водоснабжения ответственного предприятия;

при аварии сооружения хранилища нельзя будет быстро восстановить оборотное водоснабжение или восполнить недостаток воды из другого источника, предотвратив простой важного в народном хозяйстве предприятия;

мероприятия, необходимые для восстановления хозяйства, разрушаемого при аварии сооружения хранилища, сложны, требуют значительного времени для их осуществления и больших затрат;

продукция разрушаемого при аварии хозяйства особо важна для народного хозяйства независимо от ее стоимости.

3.28. Понижение на один класс капитальности хранилищ или отдельного его сооружения допускается в следующих случаях:

1) если ниже хранилища нет населенных мест, важных промышленных предприятий и т.д., которые могли бы пострадать в результате аварии сооружений хранилища;

2) при наличии или возможности создания резервов водоснабжения, емкости хранилища, высоты дамб;

3) при устройстве дополнительных емкостей, которые в случае аварии сооружений хранилища могут быть использованы для обеспечения бесперебойной работы основного предприятия, обслуживаемого хранилищем и обогатительной фабрикой;

4) если остановка предприятия в результате аварии сооружений хранилищ не повлечет за собой значительных материальных потерь или потерь продукции, имеющей особо важное значение для народного хозяйства.

ОЦЕНКА ОСНОВАНИЙ ЧАШИ ХРАНИЛИЩА И ЕГО СООРУЖЕНИЙ

3.29. При проектировании хранилищ, плотин и дамб особое внимание должно обращаться на основание, сложенное из макропористых, торфянистых, илистых грунтов и грунтов, содержащих водорастворимые соли, а также вечномерзлые и замороженные грунты. Основные мероприятия по обеспечению устойчивости сооружений на этих основаниях в каждом отдельном случае предусматриваются проектом, где должны быть приведены разрезы и все основные данные для возведения плотин и дамб, а также замыв отходами хранилища.

3.30. При наличии в основании плотин и дамб макропористых грунтов должно быть обращено внимание на возможные неравномерные осадки как в продольном, так и в поперечном направлениях, особенно в процессе намыва отходов в хранилище, которые могут вызывать нежелательные деформации и образование сквозных трещин в дамбах.

3.31. При возведении гидротехнических сооружений на болотах без выторфовывания и при наличии в основаниях плотин и дамб хранилища торфа любой степени разложения особое внимание должно быть уделено мероприятиям по подготовке основания и конструкции плотин и дамб1.

_____________

1 Рекомендации по проектированию шламохранилищ, возводимых на основаниях, сложенных из торфов. - М.: ВНИИ ВОДГЕО, 1982.

3.32. С целью обеспечения устойчивости гидротехнических сооружений хранилищ I - III классов капитальности, возводимых на замороженных торфянистых, илистых и просадочных грунтах, необходимо предусмотреть сохранение мерзлого состояния оснований путем устройства принудительного или естественного охлаждения. Выбор типа устройства охлаждения основания должен быть предусмотрен в рабочих чертежах проекта хранилища.

3.33. При наличии в основании ограждающих дамб макропористых грунтов должно быть обращено внимание на возможность неравномерных осадок их как в продольном, так и в поперечном направлении, особенно в процессе намыва отходов в хранилища, поскольку эти осадки могут вызвать нежелательные деформации в виде сквозных трещин в дамбах.

3.34. При наличии в основании ограждающих дамб хранилищ грунтов с большим содержанием растворимых солей должна быть оценена возможность их выщелачивания с течением времени и должны быть намечены мероприятия по предотвращению опасных для сооружения деформаций или усиления фильтрации во времени.

Мероприятия по улучшению оснований хранилищ должны намечаться в каждом конкретном случае в зависимости от класса капитальности сооружений.

3.35. При наличии в основании ограждающих дамб слабых иловатых суглинков следует уделять особое внимание его дренированию, при этом расчет устойчивости откосов должен учитывать возможность появления в грунтах основания порового давления, значительно уменьшающего сопротивление грунтов сдвигу.

3.36. При наличии вечной мерзлоты основание под дамбу и чашу хранилища и его сооружение должно проектироваться с учетом теплового и механического воздействия отходов и сооружений на грунты основания исходя из конструктивных особенностей хранилища.

3.37. Вопрос об использовании в качестве оснований сильноводопроницаемых грунтов решают в зависимости от класса капитальности сооружения и вредности сбрасываемых вод. При возможности загрязнения сточными водами грунтового потока должны предусматриваться изыскания не только для основания хранилища, но и для прилегающей к нему территории с целью разработки мероприятий, предупреждающих загрязнение подземных вод.

ДОПУСКАЕМЫЕ РАЗРЫВЫ МЕЖДУ СООРУЖЕНИЯМИ ХРАНИЛИЩ (ШЛАМОНАКОПИТЕЛЕЙ И ХВОСТОХРАНИЛИЩ) И НАСЕЛЕННЫМИ ПУНКТАМИ, ВОДОЕМАМИ И ДР.

3.38. Размещение хранилищ должно производиться в соответствии с требованиями Санитарных норм проектирования промышленных предприятий (СН 245-71) и с учетом создания вокруг сооружений хранилища механической защитной зоны, обеспечивающей безопасность людей, зданий и сооружений.

3.39. Хранилища, являющиеся источниками пыления и неприятных запахов, должны отделяться санитарно-защитными зонами от жилых, общественных, лечебно-оздоровительных зданий и сооружений, а также от мест массового отдыха населения.

Минимальная величина санитарной зоны от проектного контура хранилища до жилых и общественных сооружений составляет не менее 300 м (СН 245-71).

Санитарно-защитная зона хранилища должна быть благоустроена и озеленена. На ее территории следует предусматривать мелиоративные мероприятия, не требующие больших затрат: засыпку ям и оврагов, планировку территории, сохранение существующих зеленых насаждений. Озеленение санитарно-защитной зоны необходимо осуществлять в соответствии с местными климатическими, топографическими и почвенными условиями.

3.40. Выбор площадки хранилища и места спуска осветленных сточных вод должен производиться с соблюдением зон санитарной охраны источников водоснабжения согласно главе СНиП по проектированию водоснабжения, наружных сетей и сооружений.

Хранилище необходимо отделять от других промышленных и жилых объектов механической защитной зоной, обеспечивающей сохранность последних при разрушении дамбы обвалования.

Проект содержит обоснование мероприятий, гарантирующих безопасность других объектов. Защитные мероприятия назначаются в зависимости от высоты ограждающей дамбы хранилища и уклона местности.

Ширина механической защитной зоны хранилища при высоте дамбы 30 м и уклоне местности до 0,03 составляет не менее 600 м, а с изменением высоты дамбы и уклонов местности ширина зоны может меняться в ту или иную сторону в 1,5 - 2 раза от указанной величины. При положительных уклонах местности, превышающих 0,03, безопасность нижерасположенных объектов не может быть обеспечена только увеличением механической защитной зоны. В этих случаях предусматривают дополнительные мероприятия в виде обвалований защищаемых объектов, сооружения специальных пульпопропускных каналов.

3.41. По проектному контуру хранилища устанавливается механическая защитная зона шириной 20 м, обеспечивающая безопасность людей. По границе этой зоны должны быть установлены знаки, запрещающие вход посторонним лицам. Расстояние между этими знаками не должно превышать 100 м. Ответственность за состояние зоны и знаков возлагается на руководителя предприятия.

3.42. Территория, расположенная между границами санитарной и механической защитных зон в косогорной части хранилища, может быть использована при соблюдении соответствующих санитарных норм.

В защитных зонах перед плотинами и дамбами хранилища допускается лишь размещение сооружений, не связанных с постоянным присутствием людей (насосных станций оборотного водоснабжения, линий электропередачи, грузовых железных и шоссейных дорог, трубопроводов и т.п.), при этом величина разрыва между указанными сооружениями и плотиной (дамбой) принимается не менее 100 м.

3.43. По трассам водосбросов осветленной воды и магистральных пульповодов устанавливаются механические защитные зоны шириной 20 м по обеим сторонам от указанных сооружений, не подлежащие застройке или иному использованию.

Данные сооружения, выполненные в виде открытых каналов, в пределах населенного пункта должны иметь ограждения, обеспечивающие безопасность людей.

3.44. Вблизи воздушных линий электропередачи и линий связи пульповоды укладываются на расстоянии не менее 25 м от них. Пересечение этих линий трассой пульповода или уменьшение этого расстояния допускается только по согласованию с местными органами Госэнергонадзора и Министерства связи. При этом на соединениях труб должны предусматриваться защитные козырьки или трубы прокладывают в кожухах для защиты линий электропередачи и линий связи.

3.45. Переход магистрального пульповода через шоссейные, железнодорожные и другие пути должен осуществляться по специальному проекту, согласованному с организациями, эксплуатирующими пути сообщения.

РАСЧЕТ ЕМКОСТИ ХРАНИЛИЩА

3.46. Емкость хранилища слагается из объемов складируемых отходов и осветленного прудка-отстойника.

Объем хранилища должен быть достаточен для приема отходов в течение срока, заданного проектом, его определяют по формуле

V = Qnэ/kзапgск,                                                            (6)

где Q - выход отходов за год, т; пэ - число лет эксплуатации; kзап - коэффициент заполнения хранилища, принимаемый равным 0,75 - 0,85; gск - плотность сухих отходов в отвале, т/м.

3.47. При отсутствии данных плотность сухих отходов может быть определена ориентировочно по графикам в зависимости от плотности частиц отходов и пористости (см. разд. 4).

ЗАЩИТА ОТ ПОДТОПЛЕНИЯ, ЗАБОЛАЧИВАНИЯ И ЗАГРЯЗНЕНИЯ ТЕРРИТОРИИ ЗА ПРЕДЕЛАМИ ХРАНИЛИЩА

3.48. Охрана подземных и поверхностных вод при проектировании и строительстве хранилища требует предусматривать устройство инженерной защиты территории, прилегающей к хранилищу, от подтопления и заболачивания поверхностными и сточными водами.

Инженерная защита от подтопления и заболачивания территории за пределами хранилища и защита подземных вод от загрязнения осуществляется для отдельных промышленных и сельскохозяйственных объектов, а также для населенных пунктов.

Защитные устройства от подтопления и заболачивания рекомендуется проектировать в виде открытых канав, продольных дренажей и т.п. в зависимости от рельефа местности, грунтовых условий и учета народнохозяйственного значения объектов, подлежащих защите.

3.49. Строительные работы по инженерной защите следует выполнять в процессе возведения хранилища специализированными организациями при соблюдении технических правил и техническом надзоре гидротехнической службы горно-обогатительных комбинатов.

3.50. Проект хранилища должен содержать мероприятия, исключающие инфильтрацию воды из прудка, загрязнение подземных и поверхностных вод, ложе и борта хранилища должны быть практически водонепроницаемыми. Эти мероприятия должны рассчитываться на многолетний период эксплуатации.

3.51. Для охраны водоемов от загрязнения сточными водами в технологическом процессе обогащения руды необходимо предусмотреть систему оборотного водоснабжения для повторного использования осветленной воды. В противном случае при сбросе осветленной воды за пределы хранилища необходима дополнительная химическая и механическая очистка, так как остаточные концентрации вредных веществ в осветленных водах часто бывают выше предельно допустимых.

3.52. Контроль за эксплуатацией защитных сооружений и наблюдения за работой режимных скважин проводятся специальными организациями.

Режимные скважины размещаются в зависимости от местных условий в створах, расположенных перпендикулярно к плотине или к ограждающей дамбе на расстоянии 100 - 200 м друг от друга. Расстояние между створами 150 - 200 м. Длина створа не более 300 м. При строительстве хранилища на трещиноватых и закарстованных массивах наблюдательная сеть должна охватывать всю площадь.

3.53. При строительстве хранилищ необходимо предусмотреть одновременное строительство запасных пульповодов, которые включаются на случай ремонта или аварии основного. Количество пульповодов определяется диаметром труб и интенсивностью выхода хвостов из фабрики.

3.54. В условиях, когда паводковые воды могут разрушить или заполнить хранилище, необходимо обеспечить их отвод путем устройства отсечных сооружений (дамб) с последующим сбросом паводковых вод в канавы или коллекторы.

4. РАСЧЕТНЫЕ ФИЗИКО-МЕХАНИЧЕСКИЕ ХАРАКТЕРИСТИКИ ОТХОДОВ ОБОГАЩЕНИЯ РУДЫ

4.1. Для проектирования ограждающих плотин и дамб хранилищ (хвостохранилищ), а также водозаборных, водосбросных и водоотводящих сооружений, кроме данных о зерновом составе, плотности (удельном весе) и других характеристик данных отходов и пульпы, необходимы следующие физико-механические и прочностные характеристики сбрасываемых в хранилища отходов обогащения руд:

плотность сухих отходов (объемный вес скелета) gск;

плотность частиц отходов (удельный вес) gо;

коэффициент фильтрации kф, м/сут;

коэффициент и угол внутреннего трения tgj, j;

сцепление с;

модуль упругости Е, коэффициент уплотнения (а) и коэффициент пористости е при разных значениях вертикального давления;

коэффициент порового давления a;

суммарная влажность, суммарная льдистость, содержание незамерзшей воды в мерзлых отходах;

зерновой состав отходов, намытых в хранилище с учетом фракционирования;

степень заполнения пор мерзлых отходов льдом и незамерзшей водой при зимнем намыве хранилища;

теплофизические характеристики: удельная и объемная теплоемкость, коэффициент теплопроводности и температуропроводности, теплосодержание талых и мерзлых отходов.

4.2. Зерновой состав отходов, являющийся показателем крупности помола руды, необходим для установления целого ряда расчетных характеристик, используемых при проектировании и расчете пульповодов, и определяется различными способами. Ситовым анализом без промывки водой выделяют частицы диаметром менее 0,1 мм. Методом отмучивания выделяют частицы диаметром 0,1 - 0,01 мм. Частицы диаметром менее 0,01 мм определяются как разность между исходной навеской и суммарным весом частиц крупнее 0,01 мм. Если необходимо выделить частицы диаметром 0,01 - 0,005 мм и менее, используют пипеточный метод. Зерновой состав отходов определяется по ГОСТ 12536-79.

Кроме указанных выше характеристик отходов по зерновому составу устанавливается средневзвешенный диаметр dср, действующий диаметр d10 (диаметр частиц, меньше которых имеется по весу 10 %); d60 (диаметр частиц, меньше которых имеется по весу 60 %); d90 (диаметр частиц, меньше которых имеется по весу 90 %); коэффициенты неоднородности h:

 

4.3. Выбор расчетных характеристик грунтов оснований сооружений и насыпных ограждающих дамб хранилищ производится согласно рекомендациям глав СНиП по проектированию оснований зданий и сооружений, оснований и фундаментов на вечномерзлых грунтах.

4.4. Выбор расчетных характеристик отходов при проектировании ограждающих дамб, намываемых из отходов, производится по графикам, таблицам, номограммам и расчетным формулам.

4.5. Зерновой (гранулометрический) состав отходов, сбрасываемых обогатительными фабриками в отвал, устанавливается технологическим заданием на проектирование обогатительных фабрик ГОКов.

4.6. В зависимости от зернового состава отходы, по аналогии с песками, делятся на следующие виды:

крупнозернистые отходы - сумма всех частиц крупнее 0,5 мм составляет более 50 %;

среднезернистые отходы - сумма всех частиц крупнее 0,25 мм составляет более 50 %;

мелкозернистые отходы - сумма всех частиц крупнее 0,1 мм составляет более 75 %;

пылеватые отходы - сумма всех частиц крупнее 0,1 мм составляет менее 75 %.

Примечание. При определении вида отходов последовательно суммируются процентные содержания (по весу) частиц: сначала крупнее 0,5 мм, затем крупнее 0,25 мм и т.д.

4.7. Необходимо учитывать фракционирование, которое происходит при намыве отходов в хранилище. Раскладка по крупности происходит по-разному в зависимости от способа намыва, но во всех случаях самые крупные частицы откладываются вблизи выпусков пульпы, а самые мелкие - в отстойном пруде. Отходы, отложенные на пляж на разном удалении от места выпуска пульпы, имеют разную крупность (см. табл. 2 и 3). В качестве крупности отходов принимается средневзвешенный диаметр dср, который определяется по формуле

dср = (d1q1 + d2q2 + ... + dnqn)/(q1 + q2 + ... + qn) = Sdiqi/Sqi,                    (7)

где d1, d2, ..., dn - размер частиц соответствующих фракций, мм; q1, q2, ... qn - весовое содержание отходов данной фракции в процентах. Sqi = 100.

4.8. Отходы каждого наименования на рис. 2 представлены двумя граничными кривыми, в зоне между которыми расположены графики зернового состава, отходов на пляже данной фабрики. Зоны 1-1, 2-2, 3-3, 4-4, 5-5, 6-6 характеризуют отходы обогатительных фабрик цветной металлургии, зоны 7-7, 8-8, 9-9 - то же, черной металлургии, а также представлены кривые зерновых составов отходов норильской, оленегорской, мончегорской, африкандской, заполярной, никопольской обогатительных фабрик.

Крупность (dср) отходов, намытых в хранилища обогатительных фабрик цветной металлургии, изменяется от 0,4 до 0,04 мм, а отходов обогатительных фабрик черной металлургии - от 1,2 до 0,3 мм. В табл. 3 приводятся примерные пределы изменения величины средневзвешенного диаметра в отходах разных видов, получаемых после намыва.

Рис. 2. Границы кривых зернового состава отходов (хвостов)

1 - каджаранские; 2 - алмалыкские; 3 - тырнаузские; 4 - лениногорские; 5 - миргалимсайские; 6 - золотушинские; 7 - магнитогорские; 8 - абагурские; 9 - качканарские; 10 - норильские; 11 - оленегорские; 12 - мончегорские; 13 - африканские; 14 - заполярные; 15 - никопольские

Таблица 2

Обогатительная фабрика

Отходы

Плотность частиц gо, т/м3

Зерновой состав отходов. Диаметр фракций, мм, содержание по весу, %

Средневзвешенный диаметр dср, мм

5 - 3

3 - 2

2 - 1

1 - 0,5

0,5 - 0,25

0,25 - 0,1

0,1 - 0,05

0,05 - 0,01

< 0,01

Каджаранская

Мелкозернистые

2,76

-

-

-

-

25,0

53,2

13,0

4,2

4,6

0,200

²

Пылеватые

2,75

-

-

-

-

19,6

49,8

14,6

10,2

5,8

0,174

²

²

2,70

-

-

-

-

6,0

46,0

18,4

16,0

13,6

0,122

Алмалыкская

Мелкозернистые

2,95

-

-

-

0,4

32,64

57,49

4,2

2,25

3,02

0,230

²

Пылеватые

2,94

-

-

-

0,8

15,49

47,85

9,86

13,8

12,2

0,160

²

²

2,83

-

-

-

-

0,2

8,9

14,06

41,4

35,44

0,041

Тырнаузская

Мелкозернистые

3,01

-

-

-

-

33,6

50,8

6,6

5,6

3,4

0,222

²

Пылеватые

3,00

-

-

-

-

14,8

54,4

14,2

13,6

3,0

0,185

²

²

2,99

-

-

-

-

4,84

45,2

27,2

18,8

3,26

0,123

Лениногорская

Среднезернистые

2,80

-

-

-

14,1

44,7

35,5

0,6

4,9

0,2

0,337

²

Мелкозернистые

2,77

-

-

-

5,1

27,6

45,8

9,7

5,2

6,6

0,228

²

Пылеватые

2,75

-

-

-

1,2

12,6

26,2

28,2

14,4

17,4

0,126

Золотушинская

Мелкозернистые

3,20

-

-

1,52

14,72

27,22

43,71

4,87

4,45

3,51

0,317

²

²

3,06

-

-

0,3

7,42

26,4

47,53

9,38

5,75

3,22

0,251

²

Пылеватые

2,95

-

-

0,07

1,28

8,96

56,27

15,4

13,97

4,05

0,158

Миргалимсайская

Мелкозернистые

3,05

-

-

-

0,6

3,65

76,35

11,8

4,43

3,17

0,162

²

Пылеватые

3,09

-

-

-

0,28

6,64

34,1

25,0

11,8

22,18

0,110

²

3,21

-

-

-

-

-

8,2

2,8

77,0

12,0

0,046

Магнитогорская

Крупнозернистые

3,60

2,6

5,0

21,0

26,7

18,9

9,7

12,7

3,2

0,2

0,842

²

Среднезернистые

3,69

1,1

1,3

9,2

21,1

22,5

23,1

15,4

4,7

1,6

0,510

²

Мелкозернистые

-

3,94

0,7

4,9

11,9

25,1

39,3

12,1

3,3

2,7

0,353

Абагурская

Среднезернистые

3,25

2,1

3,2

8,2

22,2

20,4

22,7

13,6

4,9

2,7

0,586

²

Мелкозернистые

3,33

1,39

1,55

2,65

17,85

25,28

36,15

4,89

4,1

6,14

0,470

²

Пылеватые

3,04

0,4

0,9

2,3

5,8

5,3

5,5

21,4

35,6

22,8

0,176

Таблица 3

Отходы

Границы изменения dср, мм

Отходы обогатительных фабрик цветной металлургии

Отходы обогатительных фабрик черной металлургии

Крупнозернистые

0,8

Среднезернистые

0,4 - 0,29

0,8 - 0,3

Мелкозернистые

0,29 - 0,18

0,3 - 0,2

Пылеватые

0,18 - 0,04

0,2 - 0,025

4.9. Зерновой состав отходов не только является показателем крупности помола руды, но также необходим при установлении целого ряда расчетных характеристик, используемых при проектировании и расчете пульпопроводов и хранилищ.

На основании данных о зерновом составе определяются следующие величины: средневзвешенный диаметр dср, действующий или эффективный диаметр d10, а также контролирующие диаметры d30, d60 и d90.

Перечисленные величины используются следующим образом: средневзвешенный диаметр dср - при определении коэффициента внутреннего трения, действующий диаметр d10 - коэффициента фильтрации, контролирующие диаметры d60 и d90 - коэффициентов неоднородности, контролирующий диаметр d30 и коэффициенты неоднородности - при расчете гидротранспорта.

Примерные величины действующего диаметра отходов разных видов:

крупнозернистых...........................................

d10 > 0,9 мм;

среднезернистых............................................

d10 = 0,089 - 0,065 мм;

мелкозернистых.............................................

d10 = 0,064 - 0,04 мм;

пылеватых.......................................................

d10 < 0,04 мм.

Примерные величины коэффициентов неоднородности отходов обогатительных фабрик:

цветной металлургии

черной металлургии

4.10. Выбор физико-механических характеристик намытых в хранилище отходов необходимо увязать с раскладкой их при намыве с учетом фракционирования. На рис. 3 приведены кривые изменения dср от отходов вдоль пляжа при намыве пульпы с различными значениями dср. На рис. 3 по оси абсцисс отложена относительная длина пляжа х/L, где х - расстояние от пульповода; L - длина пляжа.

По табл. 4 можно определить вид отходов, а также dср на любом расстоянии L при указанных величинах dn ср.

4.11. Влажность IV отходов, намытых в хранилище, колеблется в значительных диапазонах. На поверхности откоса дамбы, намытого из отходов, влажность изменяется в пределах 3 - 15 %, с глубиной она растет и приближается к полному насыщению их водой. Влажность отходов определяется весовым способом.

4.12. Суммарная влажность Wc - отношение веса всех видов воды, содержащейся в мерзлых отходах, к весу сухих отходов определяется по формуле

Wc = Wц + Wв + Wн,                                                         (8)

где Wц - влажность за счет дарового льда, т.е. льда, находящегося в порах и цементирующего минеральные частицы отходов; Wв - влажность за счет ледяных включений, т.е. линз и прослоек льда; Wн - влажность за счет незамерзшей воды, содержащейся в мерзлых отходах при данной температуре; Wг = Wц + Wн, где Wг - влажность мерзлых отходов, расположенных между ледяными включениями.

Тогда Wc = Wв + Wг.

Примечание. Wc, Wц, Wв, Wн и Wг выражаются в долях единицы, причем Wс, Wн и Wг определяются опытным путем, а Wц и Wв - по формулам.

Рис. 3. Фракционирование отходов вдоль пляжа при намыве

1 - средневзвешенный диаметр отходов на выходе из пульповода dcp = 0,05 мм; 2 - то же, 0,07 - 0,1 мм; 3 - то же, 0,12 - 0,2 мм; 4 - то же, 0,25 - 0,3 мм; 5 - то же, 0,4 - 0,44 мм

Таблица 4

Расстояние от места выпуска пульпы L, м

Средневзвешенный диаметр dср и вид отходов при различных L

dn ср = 0,07 - 0,1 мм

dn ср = 0,07 - 0,1 мм

dn ср = 0,07 - 0,1 мм

dcp, м

вид отходов

dcp, м

вид отходов

dcp, м

вид отходов

10

0,3 - 0,2

Мелкозернистые

0,65

Среднезернистые

0,75 - 0,55

Крупнозернистые

20

0,2 - 0,15

Пылеватые

0,5

То же

0,7 - 0,52

Среднезернистые

30

0,15 - 0,1

То же

0,4

"

0,67 - 0,5

То же

40

0,1 - 0,08

"

0,35

Мелкозернистые

0,63 - 0,49

"

50

0,08 - 0,07

"

0,3

То же

0,6 - 0,47

²

60

0,07 - 0,05

"

0,25

²

0,57 - 0,46

"

100

0,05 - 0,025

"

0,15

Пылеватые

0,47 - 0,41

²

200

0,025

²

0,05

То же

0,36 - 0,32

Мелкозернистые

500

-

-

-

-

0,18 - 0,15

То же

1000

-

-

-

-

0,1

Пылеватые

4.13. Относительную весовую льдистость i (по отношению к весу сухих отходов) определяют по формуле

i = Wc - Wв/Wc.                                                             (9)

4.14. Суммарную льдистость Лс - отношение веса льда, содержащегося в мерзлых отходах, к объему мерзлых отходов определяют по формуле

Лс = Лц + Лв,

где Лц - льдистость за счет порового льда; Лв - льдистость за счет ледяных включений:

Лв = gоWв/gл + gо(Wc - 0,1Wн).                                               (10)

Объемную льдистость iоб - отношение объема льда, содержащегося в мерзлых отходах (за исключением значительных по мощности сплошных прослойков льда, которые определяются отдельно), к объему мерзлых отходов определяют по формуле

iоб = g(Wс - Wн)/gл(1 + Wc).                                                     (11)

Степень заполнения объема пор мерзлых отходов льдом и незамерзшей водой G находят по формуле

G = Wcgo/eмgв,                                                            (12)

где ем - коэффициент пористости минеральных слоев мерзлых отходов в естественном состоянии.

4.15. Плотность частиц (удельный вес) отходов определяется по ГОСТ 5181-78 в дистиллированной воде, применяя пикнометры или мерные колбы емкостью не менее 100 м3. Навеску отходов с водой необходимо кипятить на песчаной бане в течение 30 мин. В полевых условиях допускается определение плотности в водопроводной воде. Плотность частиц отходов обогатительных фабрик цветной металлургии по исследованиям ВНИИ ВОДГЕО колеблется в пределах 2,7 - 3,2 г/см3 (т/м3) а отходов обогатительных фабрик черной металлургии - от 2,6 до 4,2 г/см (т/м3). Плотность частиц отдельных видов отходов приведена в табл. 2.

4.16. Плотность (объемный вес) отходов определяется методом режущего кольца и рассчитывается по формуле

gW = q/V,                                                                (13)

где q - вес шламов, т; V - объем образца, м3.

4.17. Плотность сухих отходов, намытых в хранилище, при прочих условиях зависит главным образом от плотности частиц и зернового состава отходов, рассчитывается по формуле

Зависимость изменения пористости п от плотности сухих отходов gск при разных значениях плотности частиц отходов gо дана на рис. 4.

4.18. Для проектирования и расчетов отходного хозяйства хранилища необходимо иметь плотность сухих отходов не только на поверхности, но и на различной глубине хранилища.

4.19. Данные о плотности сухих отходов на глубине Н и плотности их частиц позволяют вычислить

n = (gо - gск)/go,                                                         (14)

где n - пористость отходов; go - плотность частиц отходов, т/м3; gск - плотность сухих отходов, т/м3.

Рис. 4. Зависимость изменения пористости п от плотности сухих отходов gск при разных значениях плотности частиц отходов gо

На рис. 3 приведены графики, характеризующие изменение пористости намытых отходов по глубине хранилища.

4.20. Коэффициент пористости при полном заполнении пор отходов водой выражается формулой

e = Wпgо/100gв,                                                        (15)

где gо - плотность частиц отходов, т/м3; gв - плотность воды, т/м3; Wп - влажность отходов, %.

Влажность, соответствующая полному заполнению пор отходов водой, выражается следующей формулой:

Wп = 100e/gogв.

4.21. Коэффициент фильтрации определяется в лабораторных и полевых условиях, а для ориентировочных значений по номограммам и графикам.

Коэффициент фильтрации отходов зависит от действующего диаметра d10, пористости п, процентного содержания частиц диаметром < 0,1 мм, а также коэффициента неоднородности.

Наглядное представление о величине коэффициента фильтрации дает табл. 5, в которой приведены границы изменения значений действующего диаметра d10, пористости n и соответствующие им средние значения коэффициента фильтрации отходов. В табл. 5 приведены величины коэффициентов фильтрации различных видов отходов для характерных значений пористости.

Таблица 5

Вид отходов

Действующий диаметр d10, мм

Коэффициент фильтрации k10, м/сут, при пористости п

0,5 - 0,45

0,45 - 0,4

0,4 - 0,35

Крупнозернистые

0,5 - 0,09

25 - 18

18 - 15

15 - 11

11 - 8

8 - 6

6 - 4

Среднезернистые

0,089 - 0,065

10,5 - 8

8 - 5,5

5,5 - 4

6,5 - 5

5 - 3,5

3,5 - 2,5

Мелкозернистые

0,064 - 0,04

6,5 - 4,8

4,8 - 3,4

3,2 - 2,4

3,3 - 2,5

2,5 - 1,8

1,8 - 1,2

Пылеватые

0,039 - 0,002

3,2 - 2,3

2,3 - 1,7

1,7 - 1,2

0,042 - 0,03

0,03 - 0,022

0,22 - 0,017

Если необходимо знать коэффициент фильтрации kср при любой температуре Т воды, то следует воспользоваться зависимостью

k10 = kср/t,

где t - температурный коэффициент, определяемый по формуле t = 0,7 + 0,03Т, Т - температура фильтрующей воды или сточной жидкости.

На стадии составления проекта для определения kср в зависимости от d10, dср и пористости п можно воспользоваться номограммой (рис. 5).

4.22. Пользуясь данными зернового состава отходов, можно определить среднее значение действующего диаметра d10 и для соответствующей пористости n можно ориентировочно рассчитать коэффициент фильтрации k10 по формуле

k10 = 3150d101,42n3,

при d10 = 0,02 ¸ 0,14 мм и n = 0,32 ¸ 0,52;

и по формуле k10 = 2500d101,42n3,

при d10 = 0,002 ¸ 0,08 мм и n = 0,28 ¸ 0,52.

Примечание. Для сооружений хранилищ I - III классов капитальности на стадии рабочего проекта коэффициент фильтрации определяется лабораторными или полевыми исследованиями.

4.23. Для расчетов устойчивости намытых отходов необходимо знать коэффициенты внутреннего трения tgj, которые при составлении технико-экономического обоснования проекта для хранилищ всех классов капитальности могут быть получены по следующей формуле:

tgj = dср/(0,02 + 0,5dcp)/(1 - 0,01 + 1,5dср/dcp).                                      (16)

Формула действительна в пределах dср = 0,02 - 1 мм и при n = 0,35 - 0,5, tgj и j можно определять по графикам на рис. 6 и 7.

Для хранилищ I - III классов капитальности в стадии составления проекта и рабочих чертежей tgj и j необходимо определять в лабораторных условиях по образцам, отобранным на опытных участках хранилищ в полевых условиях.

4.24. Для хвостохранилищ большой протяженности напряженно-деформированное состояние, возникающее в ограждающих дамбах, соответствует случаю плоской деформации. Угол внутреннего трения для этого случая может быть определен по формуле

jn = 5,09 + 0,95а + 0,0012а2,

где а - параметр, численно равный углу внутреннего трения j, определенного на односрезных приборах, стабилометрах или вычислений по формуле (16) 22° £ j £ 44°, С £ 0,013 МПа, где С - удельное сцепление.

4.25. Величина относительного сжатия d при переходе мерзлых отходов в талое состояние (отношение изменения толщины слоя при оттаивании под нагрузкой и его первоначальной толщины) определяется по формуле

d = (hм - hт)/hм,                                                             (17)

где hм, hт - толщина соответственно мерзлого и талого слоя отходов.

Относительная деформация пучения подсчитывается по формуле

dп = (hм - hт)/hт.

Если gмhм = gтhт, где gм и gт - плотность сухих отходов в мерзлом и талом состоянии, то

dп = (gт - gм)/gм.                                                       (18)

Рис. 5. Номограмма для определения коэффициента фильтрации отходов обогащения руды

Рис. 6. Графики зависимости коэффициента внутреннего трения отходов от пористости п и средневзвешенного диаметра dcp

Рис. 7. Графики зависимости углов внутреннего трения j, отходов от пористости п и средневзвешенного диаметра dcp

Относительную деформацию сжатия можно также выразить через коэффициент пористости, тогда

d = (eм - ет)/(1 + ем),                                                     (19)

где ем и ет - коэффициенты пористости мерзлых и талых отходов:

ем = (gо - gм)/gм; ет = (gо - gт)/gт;                                          (20)

где gо - плотность частиц отходов.

Сжимаемость мерзлых и талых отходов протекает по-разному при одинаковых условиях нагружения. В табл. 6 приведены деформации сжатия при нагрузке 1,5 МПа образцов мерзлых и талых отходов одинакового зернового состава.

4.26. Прочностные характеристики мерзлых отходов, используемых в качестве материала для ограждающих дамб хранилищ, определяются опытным путем в лабораторных или полевых условиях.

Таблица 6

Вид деформации

Деформация отходов, %

мерзлых

талых

Общая

3,76

6,83

Мгновенная

0,8

2,92

Восстанавливающаяся

0,60

1,22

Остаточная

3,16

5,61

Наличие в мерзлых отходах льда влияет на их вязкопластические (реологические) свойства, а также определяет их поведение под нагрузкой при изменении отрицательной температуры, поэтому прочностные характеристики отходов зависят от их суммарной влажности. Отходы, намытые в ограждающие дамбы или плотины хранилищ, характеризуются плотностью сухих отходов 1,4 - 2 т/м3, влажность полого насыщения составляет соответственно 35 - 23 %.

На рис. 8 приведены кривые зависимости модуля деформации Е от напряжения s при сжатии в одометре талых и мерзлых отходов одинакового зернового состава (dср = 0,139 мм). Мерзлые отходы при температуре минус 10 °С и коэффициенте насыщения 0,94 - 0,99 (кривая 6) имеют модуль деформации при s = 0,1 МПа в 10 раз больший, чем талые. При s = 1,0 МПа модуль деформации тех же мерзлых отходов в 2 раза выше, чем талых.

4.27. Для расчета устойчивости откосов ограждающих дамб или плотин хранилищ необходимо иметь данные по сопротивлению сдвигу отходов в мерзлом и талом состояниях. Эти характеристики могут быть получены при исследованиях в полевых и лабораторных условиях мерзлых и талых отходов (рис. 9).

Прочность мерзлых отходов на сдвиг зависит от целого ряда факторов: состояния отходов (пластично-мерзлое или твердомерзлое), температуры, нормальной нагрузки.

4.28. Компрессионные свойства (сжимаемость) определяются на образцах отходов, загруженных в прибор одноосного сжатия (одометра) или трехосного сжатия (стабилометр). Для ориентировочных расчетов модуля деформации Е можно пользоваться графиками зависимости a = f(s) при различных значениях коэффициента пористости ео. Зная коэффициент уплотнения а, можно определить модуль деформации по формуле

E = b(1 + ео)/а,                                                         (21)

где b - коэффициент, равный (1 - l)(1 + 2l)/1 + l; l - коэффициент бокового давления; ео - начальный коэффициент пористости отходов; а - коэффициент уплотнения.

Коэффициент бокового давления l отходов в зависимости от величины gск ряда обогатительных фабрик приведен в табл. 7.

Таблица 7

Отходы

Коэффициент бокового давления

Плотность сухих отходов gск, т/м3

Коэффициент пористости е

Каджаранские

0,39 - 0,37

1,44 - 1,65

0,91 - 0,67

Алмалыкские

0,42 - 0,40

1,5 - 1,7

0,96 - 0,73

Абагурские

0,38 - 0,30

1,8 - 2,0

0,8 - 0,2

Магинитогорские

0,30 - 0,29

2,05 - 2,2

0,82 - 0,69

Лениногорские

0,35 - 0,33

1,42 - 1,55

0,95 - 0,79

КМА-руда

0,29 - 0,27

1,65 - 1,8

0,91 - 0,75

Среднее значение коэффициента бокового давления l при подсчетах модуля деформации отходов можно принять равным 0,35. Коэффициент b в этом случае равен 0,82.

Рис. 8. Зависимость модуля деформации Е от напряжения s при сжатии образцов талых и мерзлых отходов с различным коэффициентом насыщения

1 - талые отходы G = 0,94 - 0,99; 2 - то же, G = 0,85 - 0,83; 3 - мерзлые отходы G = 0,56, t = -10 °С; 4 - то же, G = 0,87, t = -2,1 °С; 5 - то же, G = 0,85, t = -0,9 °С; 6 - то же, G = 0,94 - 0,99, t = -10 °С

Рис. 9. График зависимости t = f(s) норильских отходов

1 - талых отходов по льду; 2 - талых отходов по мерзлым; 3 - талых отходов (W = 17,5 %); 4 - мерзлых отходов (W = 17 %) при температуре минус 2 °С; 5 - то же, при температуре минус 4 °С

4.29. Ориентировочные определения модуля деформации Е в зависимости от коэффициента уплотнения a и вертикального давления P могут также определяться по кривым на рис. 10, 11.

Определение расчетных характеристик отходов намываемых в откосы ограждающих дамб III - IV классов хранилищ производится по аналогии и расчетным формулам, приведенным выше. Определение расчетных характеристик отходов, намываемых в откосы ограждающих дамб I и II классов, для стадии проекта производится по аналогий и расчетным формулам, а для стадии рабочего проекта и эксплуатации выбранные расчетные характеристики дополнительно проверяются в лабораторных и полевых условиях.

4.30. При проектировании хранилищ I и III классов капитальности определение коэффициента бокового давления l намытых отходов производится по данным лабораторных или полевых испытаний отходов с учетом их зернового состава, влажности и плотности.

4.31. Ориентировочные величины коэффициентов бокового давления для некоторых типов отходов приведены выше в табл. 7. Они могут применяться для предварительных расчетов коллекторов и других сооружений, закладываемых в намытые отходы с аналогичным зерновым составом, плотностью и влажностью.

4.32. Величину порового давления в теле хранилища учитывают исходя из теории консолидации в случаях, если коэффициент фильтрации отходов меньше 0,005 м/сут. Методика расчета порового давления приведена в Рекомендациях по проектированию хвостовых хозяйств предприятий металлургической промышленности (М.: Стройиздат, 1975).

Рис. 10. Зависимость коэффициента уплотнения а от вертикального давления Р0 при разных начальных коэффициентах пористости е0

Рис. 11. Зависимость модуля деформации Е от вертикального давления Р при разных значениях коэффициентов пористости отходов е0

ТЕПЛОТЕХНИЧЕСКИЕ ХАРАКТЕРИСТИКИ ОТХОДОВ

4.33. Наиболее важными теплотехническими характеристиками отходов, как и любого другого материала, являются объемная теплоемкость с, коэффициент теплопроводности lт коэффициент температуропроводности а. Указанные характеристики связаны между собой зависимостью lт = ас. Теплофизические характеристики отходов определяются опытным или расчетным путем. Для получения всех трех характеристик достаточно найти какие-либо две из них, а третью - вычислить, используя связывающую их зависимость.

4.34. Объемные теплоемкости отходов в талом и мерзлом состояниях можно подсчитать, используя имеющиеся данные об удельной теплоемкости скелета отходов, воды и льда, по следующим формулам:

ст = соgск + свWgск;                                                      (22)

см = соgск + слЛgск + свwнgск,                                              (23)

где со - удельная теплоемкость сухих отходов; св, сл - удельные теплоемкости воды и льда; gск - плотность сухих отходов; W - влажность отходов; Л - льдистость отходов; wн - содержание незамерзшей воды.

4.35. Определение удельной теплоемкости сухих отходов и количества незамерзшей воды в мерзлых отходах рекомендуется проводить в лабораторных условиях калориметрическим методом. При проведении предварительных расчетов удельную теплоемкость сухих отходов определяют расчетным методом, используя данные по их минералогическому и химическому составу и справочные данные по теплоемкости отдельных минералов и простых веществ. Данные расчетного метода, основанные на правиле Неймана-Коппа (мольная теплоемкость химического соединения в области комнатных температур равна сумме атомных теплоемкостей входящих в него элементов), расходятся с опытными данными не более чем на 15 %.

4.36. При проведении предварительных расчетов объемную теплоемкость отходов при температуре ниже минус 0,5 °С в случаях, когда содержание в них водорастворимых солей не превышает 0,5 % массы сухих и их влажность соответствует коэффициенту насыщения пор водой, равному 1,0, рекомендуется определять по формуле (23) при wн = 0. Результаты, получаемые, в этом случае, отличаются от получаемых при учете содержания незамерзшей воды в мерзлых отходах не более чем на 10 %.

4.37. Определение коэффициента теплопроводности отходов рекомендуется проводить в лабораторных и полевых условиях по методу зонда постоянной мощности. Теория метода и практические рекомендации содержатся в опубликованных работах. При проведении предварительных расчетов коэффициент теплопроводности сухих, влажных и мерзлых отходов рекомендуется определять расчетным методом, используя формулу:

                                          (24)

где lт - теплопроводность отходов, Вт/(м×град); kl - коэффициент, равный: при вычислении теплопроводности сухих отходов 2,109; то же, влажных отходов 0,991; то же, мерзлых отходов 0,821; х0 - объемная доля компонента, образующего в отходах непрерывную теплопроводящую среду; l0 - теплопроводность компонента, образующего в отходах непрерывную теплопроводящую среду, Вт/(м×°С); п - число компонентов-включений в непрерывной теплопроводящей среде отходов; хi - объемная доля i-го компонента-включения; li - теплопроводность i-го компонента-включения, Вт/(м×°С); ki - отношение средних градиентов температуры в i-м компоненте-включении и в компоненте, образующем непрерывную среду (осреднение по объему).

Для определения ki используется формула

5. ПРОЕКТИРОВАНИЕ ГИДРОТЕХНИЧЕСКИХ СООРУЖЕНИЙ ХРАНИЛИЩА

ОСОБЕННОСТИ КОНСТРУКЦИЙ ПЛОТИН И ДАМБ ХРАНИЛИЩ

5.1. Плотины и дамбы хранилищ отходов горно-обогатительных фабрик металлургической промышленности являются наиболее ответственными гидротехническими сооружениями. Они должны быть не только статически и фильтрационно устойчивы, но и отвечать требованиям охраны окружающей среды. Утечки сточной жидкости из хранилища не допускаются без соответствующей механической, химической и биологической очистки сточной жидкости, сброс ее за пределы хранилища запрещается.

5.2. В каждом отдельном случае конструкции плотин и ограждающих хранилища дамб устанавливаются с учетом различных географических, топографических, геологических, гидрогеологических, инженерно-геологических и климатических условий, а также с учетом процесса обогащения (сепарация, флотация и т.п.) и количества выхода в год отходов в хранилища и способов их складирования. Типы плотин и дамб хранилищ из грунтовых материалов (вскрышных пород) и отходов обогащения руды - земляные насыпные, земляные намывные - возводятся в основном из отходов с упорными призмами, отсыпанными из гравийных (щебенистых) и крупнообломочных грунтов, в том числе из грунтов вскрыши рудного места.

Плотины и дамбы хранилища отличаются по:

конструкции тела: из однородного и неоднородного грунта, с экраном из грунтового или негрунтового материала, с ядром или с диафрагмой («грунтовая стенка» в грунте);

Рис. 12. Дамба, ограждающая хранилище (однородного типа)

1 - отходы обогащения руды; 2 - вторичная дамба; 3 - первичная дамба; 4 - канава

Рис. 13. Плотина (дамба) смешанного типа (неоднородная)

1 - отходы; 2 - экран из глинистого грунта или смеси торфа с грунтом (песок, супесь); 3 - тело плотины (дамбы), отсыпаемое из дренирующих грунтов (вскрыши); 4 - канава

Рис. 14. Экранированная плотина (дамба)

1 - отходы; 2 - переходный слой; 3 - экран; 4 - тело плотины (дамбы); 5 - канава

конструкция противофильтрационных устройств в основании: с понуром, с зубом, с инъекционной завесой или же с диафрагмой;

способу возведения плотины или дамбы: с механическим уплотнением или без уплотнения грунта, с отсыпкой насухо или в воду, намывным и взрывным способом.

5.3. При выборе конструкции плотины или дамбы хранилищ, возводимых в том или ином районе, следует учитывать специфику оснований, специфику производства работ на нем, класс капитальности хранилища, геологические и гидрологические условия, а также экономическую эффективность. При проектировании и строительстве хранилища необходимо учитывать также способы подготовки оснований, способы возведения плотин и дамб хранилищ (намыв отходов или грунтов, отсыпка грунта «насухо» или в воду, отсыпка вскрышной породы и т.д.).

Оптимальный профиль плотины или дамбы устанавливается на основе сравнения вариантов, подтвержденных расчетами, статической и фильтрационной устойчивости плотин или дамб и их оснований.

5.4. При проектировании и строительстве плотин и дамб хранилищ на любых основаниях рекомендуются конструктивные схемы однородных (рис. 12) и неоднородных (рис. 13) плотин или дамб, но следует отдавать предпочтение однородным плотинам и дамбам (особенно для накопителей), возводимых из песчаных, глинистых грунтов и из вскрышных пород.

5.5. При наличии скальной вскрышной породы, глинистых и суглинистых грунтов конструкция плотины или дамбы экранированного типа (рис. 14) будет более целесообразной.

5.6. При проектировании и строительстве плотин и дамб хранилищ в первую очередь обращается внимание на подготовку основания и особенно на слабые основания глинистых, торфянистых и других грунтов, при возведении на которых дамб и плотин возможны чрезмерные деформации, а поэтому при расчетах устойчивости и при проектировании должны быть учтены и разработаны соответствующие мероприятия, обеспечивающие устойчивость в эксплуатации гидротехнических сооружений хранилищ. При всех прочих условиях при выборе конструкции плотины или дамбы принимаются во внимание класс капитальности и экономические соображения. При выборе конструкции плотины или дамбы назначаются также отдельные элементы гидротехнического сооружения (экраны, завесы, дренажи и др.).

5.7. При выборе конструкции плотины или дамбы для хранилища плотинного типа, когда плотина или дамба возводится из местных грунтов или грунтов вскрыши рудного месторождения на полную высоту или очередями, следует руководствоваться СНиП по проектированию плотин из грунтовых материалов.

5.8. При выборе конструкции плотины или дамбы хранилища, возводимых на основаниях, сложенных из торфянистых грунтов, следует руководствоваться «Рекомендациями по проектированию шламохранилищ, возводимых на основаниях, сложенных из торфов». - М.: ВНИИ ВОДГЕО, 1982.

5.9. При проектировании плотин или дамб намывных хранилищ накопителей промышленных стоков может быть принята конструкция любого типа, приведенного в главе СНиП по проектированию плотин из грунтовых материалов. В этом случае необходимо предусмотреть в конструкции усиленное экранирование с расчетом максимального обеспечения требований охраны природы для полного исключения сброса неочищенных или недостаточно очищенных сточных вод за пределы хранилища.

5.10. При проектировании плотины или дамбы в районах с суровым климатом и на промороженных основаниях (особенно на торфяных болотах) должна быть предусмотрена особая конструкция гидротехнического сооружения и мероприятия по подготовке основания, особенно укладка подстилающего песчаного дренирующего слоя и т.п. В каждом отдельном случае в проекте должны быть предусмотрены мероприятия по обеспечению равномерных деформаций плотины или дамбы.

5.11. При проектировании плотин и дамб хранилищ на мерзлых основаниях следует руководствоваться Рекомендациями по проектированию сооружений хвостохранилищ в суровых климатических условиях (М.: Стройиздат, 1977 г.).

5.12. Проектирование и строительство плотины или дамбы на замерзших отходах талого типа допускаются в том случае, если вытаивание включений ледяных линз не приведет к развитию недопустимых деформаций и к уменьшению устойчивости сооружений. Толщина мерзлого слоя отходов или грунтов в процессе замыва допускается без тепловой мелиорации при условии полного ее оттаивания в процессе последующего намыва.

Примечание. Строительство плотин или дамб хранилищ из засоленных грунтов и на основаниях, содержащих включения водорастворимых солей хлоридных или сульфатно-хлоридных в количестве более 5 % или сульфатных более 2 % по весу не допускается без соответствующих обоснований и без обеспечения необходимых защитных инженерных мероприятий.

5.13. В районах с суровым климатом может быть выгодным и строительство плотин или дамб мерзлого типа, обеспечивающего мерзлую зону в пределах низового откоса и центральной части профиля гидросооружения. При полном промораживании ядра плотины или дамбы и при естественном мерзлом состоянии основания дамбы и плотины являются полностью водонепроницаемыми.

5.14. Для обеспечения устойчивого положения замороженной плотины или дамбы необходимо создавать противофильтрационные мерзлотные завесы. Мерзлотная завеса должна быть закончена до наполнения хранилища или продолжена в первые годы эксплуатации при условии, что к моменту заполнения толщина мерзлотного ядра должна быть достаточна для статической и фильтрационной устойчивости. Могут быть предусмотрены и другие способы обеспечения устойчивости - это послойное естественное промораживание талого грунта или отходов, укладываемых в зимнее время, или промораживание плотины или дамбы в процессе строительства, а также комбинирование этих способов.

5.15. С целью обеспечения статической и термической устойчивости намываемой плотины или дамбы мерзлого типа необходимо предусмотреть такую технологию ее наращивания, чтобы слой отходов, намытый в теплый период годами оттаявшей при намыве пласт мерзлых отходов полностью промерзли к началу следующего этапа намыва. Расчет глубины оттаивания, глубины сезонного промерзания рекомендуется рассчитывать по известным в литературе формулам.

5.16. При проектировании плотины или дамбы хранилища, расположенного на торфяном болоте, можно принять схематическую конструкцию гидросооружения с посадкой его на минеральное дно, если в основании сильно увлажненный торф (W > 300 %) со степенью разложения > 40 % и подстилающий торф слой жидких отложений (рис. 19). Для этой цели с обеих сторон поперечного профиля дамбы прорезаются траншеи для сбора отжатых воды и торфа из-под основания плотины или дамбы.

5.17. При незначительной толщине торфа производится выторфовывание его (торф используется в качестве удобрения), в этом случае плотина или дамба возводится на минеральном водонепроницаемом основании. Допускается возводить плотину или дамбу на полную проектную высоту или очередями различной высоты. Плотину или дамбу следует возводить на подстилающем слое песчаного грунта или отходах. Толщина подстилающего слоя должна быть не менее 1,0 м. Это выгодно делать тогда, когда болото является «замкнутым» и выход воды из него в окружающую среду практически не происходит (рис. 22).

5.18. При соответствующей подготовке торфяного основания может быть принят любой схематический тип плотины или дамбы, который применяется и не на торфяных основаниях. В каждом конкретном случае потребуются соответствующие мероприятия, обеспечивающие статическую и фильтрационную устойчивость сооружений. Строительство плотины или дамбы должно выполняться строго по разработанному плану производства работ согласно проектным решениям для данных конкретных условий. Например, для возведения тела дамбы на торфяном основании целесообразно использовать породы вскрыши рудного места. Отсыпку грунта в тело дамбы рекомендуется производить слоями со скоростью 1 м в месяц. Это требование необходимо для обеспечения медленной осадки торфяного основания и насыпи сооружения.

5.19. При проектировании и строительстве плотин или дамб хранилищ допускается их возведение с односторонним и двухсторонним намывом или отсыпкой грунта вскрышных пород или отходов обогащения руды. При двухстороннем намыве в ядро гидросооружения откладываются частицы грунта или отходы, имеющие коэффициент фильтрации 10-3 - 10-5 м/год.

5.20. При проектировании и, особенно, при строительстве плотин и дамб хранилища необходимо особо обратить внимание на противофильтрационные устройства (завесы, экраны и т.п.) и другие мероприятия, обеспечивающие охрану природы с таким расчетом, чтобы ни «капли» сточной жидкости не вытекало за пределы хранилища.

ВЫБОР КОНСТРУКЦИИ ПЛОТИНЫ (ДАМБЫ) ХРАНИЛИЩА И ЕЕ ЭЛЕМЕНТОВ

5.21. Выбор конструкции гидротехнического сооружения хранилища производится в зависимости от топографических, инженерно-геологических и гидрогеологических условий в основаниях и берегах, а также климатических условий, максимального количества складируемых отходов обогащения руды, наличия местных грунтов, в основном получаемых из полезных выемок, сейсмичности района. Выбор вида конструкции плотины или дамбы основывается на технико-экономическом сравнении вариантов.

5.22. При проектировании и строительстве хранилищ применяются плотины и ограждающие дамбы различных видов:

а) плотины и дамбы для хранилищ намывного типа, возводимые сразу в одну или несколько очередей на проектную высоту из местных грунтов, в основном из грунтов полезных выемок. При проектировании таких плотин следует руководствоваться главой СНиП по проектированию плотин из грунтовых материалов;

б) ограждающие дамбы первичного и вторичного обвалования, возводимые в процессе замыва хранилища отходами обогащения руды. При выборе типов таких дамб следует руководствоваться настоящими Рекомендациями. Основным строительным материалом для дамбы первичного обвалования являются грунты полезных выемок, а для дамб вторичного обвалования - отходы обогащения руды.

5.23. Для хранилищ, расположенных на скальном основании, конструкция плотины или дамбы выбирается любого вида. При проектировании и возведении хранилища на водонепроницаемом скальном основании рекомендуется принять конструкцию плотины или дамбы экранированного вида (рис. 15). Тело плотины или дамбы экранированного вида возводится из любого грунта вскрыши рудного месторождения, а экранирование производится из различных глинистых грунтов, имеющих естественную влажность на границе раскатывания, но не выше границы текучести. Рекомендуется применять искусственную смесь, содержащую глинистые, песчаные и крупнообломочные грунты, смесь торфа с песчаным грунтом, а также пленочные противофильтрационные устройства. Вид конструкции гидросооружения с двухсторонним намывом отходов или вскрышных грунтов (рис. 16) позволяет сэкономить в 1,5 - 2 раза строительные материалы. При таком намыве в центре прудка-отстойника откладываются мелкозернистые пылеватые частицы отходов или же грунтов, образуя ядро гидросооружения. Скальное основание под гидротехническое сооружение и хранилище должно быть подготовлено, особенно в местах сопряжения возможного ядра и в берегах, в случаях овражного типа хранилища.

В гидросооружении (рис. 16) устраиваются поярусные трубчатые дренажи для перехвата сточной жидкости и направления ее в бортовые канавы. Из канав жидкость поступает в отстойник и после осветления перекачивается в хранилища или же в систему оборотного водоснабжения. Двухсторонний намыв требует в два раза больше крупнозернистых отходов диаметром крупнее 0,074 мм. В случае недостаточного количества отходов крупных фракций необходимо применить разделение фракции пульпы на классификаторах.

5.24. При необеспеченности крупными фракциями отходов более целесообразным является комбинированный профиль гидросооружения как из отходов, так и других местных строительных материалов. Следует иметь в виду, что строительство из местных грунтов требует большого количества грунта, поэтому необходимо максимально использовать грунты полезных выемок и отходы обогащения руды.

При проектировании и возведении хранилища на скальном водопроницаемом основании необходимы усиленная противофильтрационная завеса типа «грунтовая стенка» в грунте или пленочные и глинистые экраны, уложенные в берегах хранилищ и в ложе, а также и в самом гидросооружении (рис. 17).

На рис. 17 рекомендуется плотина (дамба) хранилища с пленочным противофильтрационным устройством, возводимая на водопроницаемом основании - скальном или грунтовом. Плотина (дамба) может возводиться в одну очередь, сразу на проектную высоту, или же несколькими очередями. При этом одновременно устраивается противофильтрационный пленочный экран в плотине и в ложе хранилища. В зависимости от типа хранилища экранируются и его борта. При устройстве экранов обращается внимание на места сопряжения плотины (дамбы) с ложей и бортами хранилища.

5.25. На водопроницаемом основании рекомендуется конструкция, состоящая из дамбы первичного и вторичного обвалования (рис. 18). В качестве строительного материала, отсыпаемого в дамбу первичного обвалования, используются грунты вскрыши рудного месторождения, а в дамбу вторичного обвалования - отходы обогащения руды.

Рис. 15. Конструкция плотины на водонепроницаемом основании

1 - отходы; 2 - экран; 3 - переходный слой; 4 - насыпь; 5 - наклонный дренаж; 6 - призма; 7 - канава; 8 - водонепроницаемое основание (скальное или грунтовое)

Рис. 16. Плотина хранилища с намывом отходов обогащения руды

1 - упорная призма; 2 - дамбы вторичного обвалования; 3 - намытые крупнозернистые отходы; 4 - водосбросный колодец; 5 - канава; 6 - коллектор; 7 - отстойный пруд с мелкозернистыми пылеватыми отходами (ядро плотины)

Рис. 17. Конструкция плотины на водопроницаемом основании

1 - подстилающий слой грунта; 2 - полиэтиленовая пленка; 3 - защитный слой; 4 - отходы; 5 - переходный слой; 6 - насыпь (вскрышная порода или местные грунты); 7 - упорная дренажная призма; 8 - водопроницаемое основание (скальное или грунтовое)

Рис. 18. Конструкция дамбы первичного и вторичного обвалования

1 - отходы при замыве дамбы первичного обвалования; 2 - отходы при замыве дамбы вторичного обвалования; 3 - дамбы вторичного обвалования; 4 - трубчатый дренаж; 5 - защитный слой; 6 - экран; 7 - тело дамбы первичного обвалования; 8 - наслонный дренаж; 9 - дренирующая призма; 10 - канава; 11 - водонепроницаемое основание

В дамбе первичного обвалования устраивается экран из глинистых грунтов, а при отсутствии его применяется пленочное противофильтрационное устройство. В дамбах вторичного обвалования для перехвата сточной жидкости устраиваются трубчатые дренажи. Собранная сточная жидкость из дренажа и канавы перекачивается обратно в хранилище или после осветления направляется в сеть оборотного водоснабжения.

5.26. При проектировании и возведении любого вида конструкции плотины (дамбы) на скальном водопроницаемом основании необходимо предусмотреть устройство завесы в основании любого вида, применяемой в гидротехническом строительстве.

5.27. Вид конструкции плотины может применяться при строительстве на любых основаниях, кроме оснований, сложенных из торфов (рис. 14 - 17).

5.28. При проектировании и возведении плотины (дамбы), сооружаемой на основаниях, сложенных из торфов, рекомендуются конструкции дамб, приведенных на рис. 19 - 21.

Плотина (дамба) (рис. 19 - 21) может возводиться с упорной или безупорной призмы на торфяном основании любого вида торфа, если торф в них неразжиженный и имеет степень разложения R > 30 %. В зависимости от целесообразности возведение плотины (дамбы) возможно с удалением и без удаления торфа из основания и хранилища. В каждом отдельном случае вопрос о возведении на торфах плотины (дамбы) с удалением и без удаления торфа из болота решается экономическим сравнением вариантов.

5.29. На водопроницаемом минеральном дне болота рекомендуются конструкции плотины (дамбы), показанные на рис. 19 и 20.

5.30. На рис. 19 плотина (дамба) может возводиться без удаления торфа из болота в одну или в несколько очередей с упорной или без упорной призмы.

При проектировании и возведении хранилища должны быть предусмотрены мероприятия по подготовке места строительства на болоте (см. Рекомендации по проектированию шламохранилищ, возводимых на основаниях, сложенных из торфов - М.: ВНИИ ВОДГЕО, 1982).

Предварительно на подготовленное место для строительства плотины (дамбы) отсыпается на поверхность торфа подстилающий слой не менее 2 м. При соответствующем обосновании можно отсыпать мелкозернистые дренирующие грунты вскрыши или намывать отходы обогащения руды. В качестве строительных материалов рекомендуется использовать грунты вскрыши рудного месторождения.

5.31. Во всех типах хранилищ и дамбах за придамбовой канавой устраивают противофильтрационную завесу, а в случаях овражных и овражно-равнинных типов - завесу и в бортах хранилища. Наиболее целесообразно эту завесу выполнить способом «грунтовая стенка» в грунте, используя для этой цели современный агрегат СВД-500. При строительстве хранилища равнинного типа придамбовая завеса соединяется с завесой, устраиваемой по периметру хранилища, а для других типов хранилищ придамбовая завеса соединяется с береговой завесой, составляя единую противофильтрационную завесу. Собранная вода из канавы перекачивается обратно в хранилища или используется в оборотном снабжении ГОКа (рис. 19).

Для обеспечения медленной осадки торфяного основания и насыпи плотины (дамбы) отсылку грунта или намыв отходов в тело сооружения рекомендуется производить слоями с интенсивностью не более 1 м в месяц.

5.32. На рис. 20 показана дамба первичного и вторичного обвалования с пленочным противофильтрационным экраном и трубчатым дренажным устройством, возводимая из грунта вскрыши и намывом отходов обогащения руды. Конструкция дамбы хранилища возводится очередями. В первую очередь отсыпается дамба первичного обвалования (упорная дренажная призма) из грунтов вскрыши или других дренирующих грунтов. Для уплотнения торфа основания отсыпается двухметровый слой песка или отходов, который после стабилизации будет служить подстилающим слоем для укладки экрана. Экраны дамбы и ложа хранилища укладываются после осадки торфяного основания из полиэтиленовой пленки и пригрузкой ее песчаноглинистым грунтом.

Рис. 19. Конструкция ограждающей дамбы хранилища на торфяном основании

1 - торф; 2 - подстилающий слой песка; 3 - отходы; 4 - дамба; 5 - упорная призма; 6 - канава; 7 - завеса; 8 - граница возможной осадки торфяного основания; 9 - водопроницаемое дно болота

Рис. 20. Конструкция первичной и вторичной дамбы обвалования

1 - торф; 2 - подстилающий слой песка; 3 - противофильтрационная полиэтиленовая пленка; 4 - дамбочка из намытых отходов; 5 - трубчатый дренаж; 6 - пригрузка пленки грунтом (песком, мелким гравием); 7 - упорная призма; 8 - дренажная канава; 9 - граница сжатия торфа от призмы; 10 - граница сжатия торфа от дамбы и призмы; 11 - водопроницаемое дно болота

Рис. 21. Дамба с экраном на водонепроницаемом минеральном дне болота

1 - отходы; 2 - защитный слой; 3 - экран из смеси торфа с песчаным грунтом; 4 - тело дамбы; 5 - торф; 6 - непроницаемое основание

Во вторую очередь замывается отходами ложе хранилища на полную высоту дамбы первичного обвалования. Из крупнозернистых отходов отсыпается дамба вторичного обвалования высотой не более 3 м и продолжается замыв хранилища до верха дамбы вторичного обвалования и т.д. Конструкция дамбы на рис. 20 является выгодной, так как в основном используются грунты вскрыши и отходы обогащения руды.

Для фильтрационной устойчивости в дамбах вторичного обвалования устраиваются трубчатые дренажи, которые перехватывают фильтрационный поток сточной жидкости, направляя его в специальный отстойник, и затем перекачивают обратно в хранилище или после осветления вода направляется в сеть оборотного водоснабжения ГОКа.

5.33. Конструкция плотины (дамбы) с экраном на непроницаемом дне болота (рис. 21) возводится с удалением торфа из болота. Эта конструкция гидросооружения может возводиться в одну или несколько очередей из вскрышных грунтов и экранируется смесью торфа с песчаным грунтом. Торф применяется со степенью разложения более 30 %. Торф из основания плотины (дамбы) удаляется и затем используется для приготовления смеси для экрана. Остальной торф используется в сельском хозяйстве в качестве удобрения.

Строительство плотины (дамбы) хранилища наиболее выгодно с удалением торфа из-под основания, в случае наибольшей мощности - без удаления торфа.

ДРЕНАЖНЫЕ УСТРОЙСТВА ХРАНИЛИЩА

5.34. Дренаж, устраиваемый при строительстве гидротехнических сооружений хранилища, служит следующим целям:

а) снижению избыточного порового давления, возникающего при интенсивной отсыпке плотины (дамбы) в ее теле или основании, сложенных из водонасыщенных грунтов; повышению скорости осадки тела сооружения и его основания;

б) перехвату фильтрующей воды через тело плотины (дамбы) и основание эксплуатируемого или находящегося на консервации сооружения; организованному возвращению ее в хранилище и систему оборотного водоснабжения или сбросу ее после предварительной очистки в естественную дренажную сеть;

в) повышению устойчивости плотины (дамбы) снижением положения депрессионной кривой и предотвращением возникновения фильтрационных деформаций (выпор грунта, механическая суффозия грунта) тела и основания сооружения;

г) защите противофильтрационных экранов на дне и откосах чаши хранилища от разрушения их напором грунтовых вод в период строительства и начале эксплуатации сооружения, когда над экраном нет необходимой пригрузки.

Дренажи устраиваются согласно указаниям главы СНиП по проектированию плотин из грунтовых материалов и настоящих Рекомендаций, а дренажи, служащие защите противофильтрационных экранов, - по Рекомендациям по проектированию, строительству и эксплуатации пленочных противофильтрационных устройств накопителей сточных вод промышленных предприятий.

5.35. Дренаж включает в себя водоприемное, защитное и водоотводящее устройства. Защитное устройство предотвращает суффозию материала осушаемого массива и водоприемное устройство.

Роль водоприемного устройства выполняют открытая канава, слой грунта или отходов с более высокой, по сравнению с осушаемым массивом, водопроницаемостью, труба с отверстиями, блоки из пористого материала.

Защитным устройством служит обратный фильтр, представляющий собой ряд последовательно уложенных слоев водопроницаемого грунта, отходов или других искусственных материалов с увеличивающейся крупностью частиц или пористостью от одного слоя к другому в направлении фильтрационного потока. Водоотводящим устройством служит открытая канава, лоток или трубопровод.

Рис. 22. Дренаж в основании хранилища

а - общий вид; б - укладка дренажной трубы (сечение А-А); 1 - тело плотины (дамбы); 2 - кювет; 3 - труба для отвода фильтрационных вод; 4 - диафрагма; 5 - песчаный слой; 6 - дренажная труба, перфорированная в нижней половине; 7 - гравийный слой (крупностью частиц 20 мм); 8 - слой крупнозернистых отходов или песка; 9 - складируемые отходы

В зависимости от расположения водоприемного устройства различают дренаж горизонтальный (например, система открытых канав, труб с отверстиями, уложенных в траншеи, слой грунта с высокой водопроницаемостью, уложенный по поверхности основания хранилища или слоя отходов) и вертикальный (например, система вертикальных или наклонных буровых скважин в основании хранилища или его теле с погруженными в них трубами, имеющими отверстия в нижней части боковой поверхности, оборудованных устройством для откачки из них воды); буровые скважины, заполненные материалом с высокой водопроницаемостью. Выбор конструкции дренажа зависит от назначения дренажа, свойств осушаемых им грунтов и отходов, наличия необходимых для устройства дренажа материалов и механизмов, других местных условий.

5.36. Назначение конструктивных размеров дренажа производится на основании расчетов по существующим методикам.

5.37. Материалы, используемые для устройства дренажа, должны обладать необходимой прочностью, долговечностью, коррозионной стойкостью по отношению к фильтрующейся из хранилища воде.

Горизонтальный трубчатый дренаж рекомендуется устраивать из керамических, асбестоцементных, бетонных и железобетонных труб. Вертикальный трубчатый дренаж рекомендуется устраивать из металлических труб.

Для водоприемных и защитных устройств дренажа рекомендуется использовать песчаные и крупнообломочные грунты, грунты вскрыши рудного месторождения.

5.38. Для обезвоживания складируемых отходов в хранилище, расположенном на малопроницаемом малосжимаемом основании, может быть рекомендовано устройство по площади основания хранилища дренажа, состоящего из нескольких линий дренажных труб с отверстиями в нижней половине и слоя крупных отходов или песка, покрывающего площадь основания хранилища слоем толщиной не менее 1 м. Дренажные линии располагаются друг от друга на расстоянии до 30 м, а их длина определяется размерами хранилища. Конструкция этого дренажа представлена на рис. 22.

5.39. Для обеспечения нормальной работы дренажа в период года с отрицательными температурами воздуха необходимо предусматривать мероприятия, позволяющие избежать промерзание дренажа (расположение на достаточном удалении от наружной поверхности основания хранилища или откоса ограждающей дамбы, устройство теплозащитного слоя, обогрев и т.п.).

ПРОТИВОФИЛЬТРАЦИОННЫЕ УСТРОЙСТВА

5.40. Противофильтрационные устройства предназначены для снижения или полного прекращения фильтрации из шламонакопителей, хвостохранилищ жидкой фазы вместе с растворенными в ней токсичными веществами, что позволяет предохранить от загрязнения окружающую территорию, поверхностные и подземные водные источники.

5.41. В зависимости от топографических, геологических и гидрогеологических условий противофильтрационные устройства равнинных шламонакопителей и хвостохранилищ выполняются в виде:

контурного экранирующего устройства, располагаемого по части или по всему периметру хранилища;

пластового экранирующего устройства, покрывающего всю поверхность дна хранилища (ига: часть ее);

комбинированного экранирующего устройства.

5.42. Контурные противофильтрационные устройства применяются для хранилищ, устраиваемых либо непосредственно на малопроницаемых грунтах (глинистых, слаботрещиноватых, скальных и др.), которые можно рассматривать как водоупор, либо на проницаемых грунтах ограниченной мощности (10 - 15 м), подстилаемых водоупором, если имеется возможность устройства малопроницаемых противофильтрационных завес, полностью перерезающих эти грунты.

5.43. В зависимости от геологических условий основания, конструкции хранилища и имеющихся грунтов контурные устройства выполняются в виде:

земляной дамбы из малопроницаемых грунтов;

экрана на внутреннем откосе дамбы;

глинистого ядра в теле дамбы;

земляной дамбы из малопроницаемых грунтов с зубом или глиняной стенкой, перерезающей всю водопроницаемую толщу подстилающих пород;

асфальтобетонной диафрагмы.

5.44. Для обеспечения надлежащей эффективности противофильтрационное устройство должно иметь надежное сопряжение с подстилающим водоупором. В случае, когда хранилище располагается непосредственно на малопроницаемом основании, такое сопряжение достигается врезкой противофильтрационного устройства в основание. Сопряжение с заглубленным водоупором достигается при помощи зуба или завесы, прорезающих полностью слои проницаемых грунтов.

5.45. Пластовое противофильтрационное устройство представляет собой экран, уложенный либо по всему дну хранилища, либо по части его. Экранирование всей площади дна необходимо при устройстве накопителя на сильнопроницаемых грунтах большой мощности (20 м и более). Оно может выполняться и при строительстве хранилища на малопроницаемых грунтах, когда по санитарным требованиям необходимо полностью предотвратить фильтрацию из него особо вредных загрязнений.

5.46. Экранирование части площади хранилища производится в следующих случаях, когда:

только часть площади, занимаемой им, сложена из сильнопроницаемых пород;

в хранилище складируют нетоксичные отходы обогащения руды тонкого помола, обладающие малой проницаемостью, при условии, что можно допустить значительные фильтрационные потери в начальный период эксплуатации хранилища до намыва на его дне малопроницаемого слоя из отходов. В этом случае экранируются участок дна хранилища, расположенный в зоне пляжа намыва, на котором откладываются более крупные фракции отходов, и часть дна под зоной прудка-отстойника для обеспечения лучшего сопряжения с толщей илистых отложений шлама, выполняющих роль экрана

5.47. Комбинированные противофильтрационные устройства применяются для хранилищ, расположенных на сильнопроницаемых грунтах в случае, когда нельзя ограничиться только контурным устройством. Комбинированные устройства состоят из двух основных элементов: контурного противофильтрационного устройства, расположенного на части или по всему периметру хранилища и экрана, полностью или частично покрывающего дно хранилища.

5.48. Фронтальные противофильтрационные устройства применяются в хранилищах овражного типа при условиях, когда хранилище устраивается:

непосредственно на малопроницаемых грунтах;

на проницаемых грунтах ограниченной мощности, подстилаемых водоупором.

5.49. Фронтальные противофильтрационные устройства выполняются в зависимости от геологических и гидрогеологических условий и наличия того или иного материала в виде:

земляной плотины из малопроницаемого местного глинистого грунта; экрана на внутреннем откосе плотины, построенной из проницаемого грунта;

глинистого ядра внутри плотины из проницаемого материала;

земляной плотины из малопроницаемого грунта с зубом в основании;

экрана на откосе плотины и зуба в основании;

ядра с зубом или диафрагмы, врезанных в основание до водоупора.

5.50. Выбор типа противофильтрационного устройства при проектировании хранилища производится на основании технико-экономического сопоставления возможных вариантов с учетом класса сооружения, состава складируемого материала, степени надежности, срока службы рассматриваемых противофильтрационных устройств, условий производства работ, наличия материалов, а также необходимости обеспечения выполнения требований санитарных норм и защиты от загрязнения окружающей территории.

5.51. Для создания противофильтрационных устройств шламонакопителей и хвостохранилищ обычно применяются глинистые грунты, полиэтиленовые пленки, асфальтобетон, бетон, железобетон.

5.52. Из глинистых грунтов могут устраиваться практически все виды сооружений или их элементы, выполняющие роль противофильтрационных устройств: однородные плотины, глиняные экраны и ядра плотин из несвязных грунтов, контурные устройства в виде глиняных стенок в основании экрана, укладываемого по смоченной площади.

5.53. Глинистые грунты, предназначенные для сооружения противофильтрационных устройств, должны обладать низкой проницаемостью, прочностью и достаточной стойкостью против действия фильтрующихся через них растворов химических веществ. К химически стойким относятся те глинистые грунты, коэффициент фильтрации которых за весь период эксплуатации накопителя не увеличивается вследствие химической суффозии более чем в 1×10-7 см/с. В грунтах должны отсутствовать неразложившиеся остатки растений (корни, стебли, травы). К таким грунтам относятся суглинки и глины, содержащие малые количества солей, вымываемых в процессе фильтрации из накопителя складируемой жидкости.

5.54. При проектировании глинистых противофильтрационных устройств для используемых грунтов надлежит устанавливать:

а) основные характеристики, предусмотренные главой СНиП по проектированию плотин из грунтовых материалов;

б) состав и содержание солей, растворимых в жидкой фазе отходов;

в) зависимость набухания (при действии жидкой фазы отходов и воды) от плотности сухого грунта и приложенной нагрузки;

г) данные об изменении коэффициента фильтрации во времени, полученные за период времени от начала фильтрации жидкой фазы до стабилизации процесса.

5.55. Состав и объем исследований, проводимых для определения свойств грунтов, перечисленных в п. 5.54, устанавливаются в каждом конкретном случае с учетом характера складируемых стоков и основных физико-химических свойств используемых грунтов.

5.56. Противофильтрационные экраны из глинистых грунтов подразделяются по конструкции на однослойные и двухслойные.

5.57. Однослойный противофильтрационный экран представляет собой непрерывный слой из уплотненного малопроницаемого грунта толщиной 0,5 - 1 м. Эффективность однослойного экрана зависит от его толщины, коэффициента фильтрации грунта и величины действующего напора. Для защиты от высыхания, промерзания и набухания экран закрывается сверху защитным слоем из местного грунта толщиной, определяемой в зависимости от климатических условий, но не менее 0,5 м.

Однослойный экран при любом качестве его исполнения проницаем для жидкости, поэтому его использование целесообразно в том случае, когда можно ограничиться снижением до определенных размеров фильтрационного расхода из накопителя.

5.58. Для повышения противофильтрационной способности экрана необходимо уплотнять укладываемый в него глинистый грунт. Степень уплотнения назначается в зависимости от требований и проницаемости грунта, его свойств и имеющегося оборудования. Для ряда глинистых грунтов достаточно уплотнение до плотности сухого грунта 1,60 - 1,70 г/см3.

5.59. Для защитного слоя можно использовать местные грунты, обладающие стойкостью против агрессивного действия складируемых растворов. На откосах, где защитный слой подвергается действию промерзания и волновому воздействию, более целесообразно использовать крупнозернистые песчаные и гравелистые грунты. Укладка грунта в защитный слой на дне хранилища производится отсыпкой с последующим разравниванием без специального уплотнения. Укладка грунта в защитный слой на откосе производится с уплотнением. Степень уплотнения устанавливается в проекте в зависимости от вида грунта, его свойств и с учетом необходимости обеспечения надлежащей степени устойчивости слоя против оползания его по откосу.

5.60. Двухслойный противофильтрационный экран состоит из двух непрерывных слоев из уплотненного малопроницаемого глинистого грунта, разделенных между собой дренажным слоем сильнопроницаемого грунта. Сверху экран прикрывается для защиты от высыхания, промерзания и набухания слоем местного грунта толщиной не менее 0,5 м.

Средний слой экрана используется в качестве дрены-ловушки, обеспечивающей перехват жидкости, которая фильтруется из хранилища через верхний малопроницаемый слой, и отвод ее к насосной станции для обратной перекачки в хранилище или использования в системе оборотного водоснабжения. Это позволяет существенно уменьшить глубину воды в дренажном слое и тем самым снизить градиент напора в нижнем малопроницаемом слое экрана до значений, близких к единице, в условиях нормального атмосферного давления в дренажном слое, и до нуля - при поддержании в нем вакуума порядка 1 - 1,5 м водяного столба.

Полностью предотвратить фильтрацию можно, создавая в дренажном слое избыточное давление, компенсирующее гидростатическое давление в накопителе. Двухслойный противофильтрационный экран может устраиваться на дне хранилища и на откосах дамб обвалования.

5.61. Применение двухслойного экрана целесообразно только в случае складирования промышленных отходов, содержащих высокотоксичные соединения, попадание которых на окружающую территорию по санитарным требованиям недопустимо.

5.62. Для экранирования накопителей можно применять отходы мелкого и среднего помола, содержащие большое количество пылеватых и глинистых фракций, коэффициент фильтрации которых не выше 1×10-7 см/с. Отходы мелкого помола могут быть использованы для устройства противофильтрационного экрана по всей площади дна и откосов хранилища, а отходы среднего помола - лишь в пределах площади, на которой располагается прудок-отстойник, т.е. в зоне осаждения пылеватых и глинистых частиц отходов.

5.63. Использование полиэтиленовой пленки для создания противофильтрационных устройств допускается в случае, если пленка устойчива против агрессивного действия складируемых веществ.

5.64. Применение пленочных противофильтрационных устройств особенно целесообразно:

при отсутствии достаточного количества грунтов, пригодных для строительства экрана;

при наличии неблагоприятных погодных условий, затрудняющих укладку грунтового экрана;

в сейсмических районах, где другие виды устройств могут быть ненадежными.

5.65. Для создания противофильтрационных устройств рекомендуется применять пленку из полиэтилена низкой плотности толщиной не менее 0,2 мм при напоре до 10 м водяного столба и не менее 0,4 мм при большем напоре по ГОСТ 10354-82, обладающую следующими свойствами: разрушающее напряжение при растяжении не менее 13,7 МПа, относительное удлинение при разрыве не менее 450 %, морозостойкость не выше минус 60 °С. Полиэтиленовая пленка должна быть стабилизирована сажей.

5.66. По конструктивному оформлению и условиям работы экраны из полиэтиленовой пленки выполняются по трем схемам: однослойные, двухслойные, комбинированные.

Однослойный экран состоит из полимерной пленки, подстилающего и защитного слоев. Двухслойный экран состоит из двух слоев полимерной пленки, разделенных дренажным слоем из песка или песка с гравием, подстилающего и защитного слоев. Вместо нижнего слоя пленки можно уложить слой глинистого грунта (асфальтобетона). Преимуществом этого экрана является резкое снижение напора на нижний слой и повышение в этой связи эффективности экрана. При создании в дренажном слое вакуума (около 1 м водяного столба) двухслойный экран становится практически непроницаемым. Комбинированный экран состоит из полимерной пленки и уложенного поверх него глинистого слоя, а также подстилающего и защитного слоев. Малопроницаемый глинистый слой толщиной 60 см значительно снижает фильтрационные потери при случайных нарушениях сплошности пленочного покрытия в процессе строительства экрана. При хорошем качестве выполнения работ экран практически непроницаем.

5.67. Для создания подстилающего и защитного слоев могут быть использованы, как правило, песчаные грунты, не содержащие неокатанных и крупных окатанных включений, могущих вызвать повреждения пленки. Наибольший допустимый диаметр частиц не должен превышать 5 мм для пленки толщиной 0,2 и 0,3 мм - соответственно 3 и 5 мм. Грунт подстилающего слоя не должен содержать льда, снега. Толщина подстилающего слоя должна быть равной 0,3 - 0,5 м, а защитного слоя не меньше 0,5 м на дне и 0,8 м на откосе хранилища.

5.68. Для защитного слоя можно использовать отходы, отвечающие предъявляемым требованиям, а на дне накопителя защитный слой можно заменить слоем воды или пульпы. Это мероприятие должно быть обосновано в проекте. В соответствии с требованиями СНиП по проектированию плотин из грунтовых материалов в, откос должен быть защищен от повреждения волнами и льдом.

5.69. Пленочные противофильтрационные устройства, выполненные качественно, могут рассматриваться как практически не фильтрующие и полностью предотвращать фильтрацию складируемых промышленных стоков из накопителей. Для этого необходимо осуществлять контроль качества выполнения всех работ при строительстве противофильтрационного устройства. Любые случайные, даже незначительные повреждения пленки в процессе ее укладки или при эксплуатации могут оказать отрицательное влияние на коэффициент пленочного противофильтрационного устройства. В этом случае устройство должно рассматриваться как проницаемое для складируемых промышленных стоков.

5.70. Проектирование, строительство и эксплуатация пленочных противофильтрационных устройств хранилища промышленных стоков должны выполняться в соответствии с требованиями глав СНиП по проектированию плотин из грунтовых материалов, по организации, производству и приемке работ сооружений гидротехнических, транспортных, энергетических и мелиоративных систем.

5.71. Асфальтовые материалы и особенно асфальтобетоны, асфальтополимербетоны могут использоваться для строительства противофильтрационных устройств (экранов, диафрагм). Использованию противофильтрационных устройств из этих материалов способствовал ряд присущих им положительных качеств, к числу которых относятся, в частности: низкая водопроницаемость (kф < 1×10-7 см/с), химическая стойкость против воздействия ряда веществ, содержащихся в складируемых отходах, стойкость против старения, сохранение сплошности при неравномерных осадках (до 0,5 м на длине 10 м). Этому роду покрытий свойственны и недостатки, которые следует учитывать при выборе типа покрытий: битумы нестойки к воздействию концентрированных кислот, особенно при температуре свыше 40 °С; в щелочной среде, особенно при волновом воздействии или воздействии турбулентного потока, возможно эмульгирование битума; в тонком слое нефтяные битумы быстро стареют, особенно при воздействии ультрафиолетовых лучей и повышенной температуры; битумы хрупки на морозе.

5.72. Противофильтрационные устройства из асфальтовых материалов рекомендуется использовать только в случае, если сточные воды не агрессивны для этих материалов. Эти устройства целесообразно использовать в следующих случаях:

при отсутствии на месте строительства глинистых грунтов, пригодных для сооружения экрана;

при неблагоприятных для укладки глинистых экранов климатических условиях;

в сейсмических районах;

в местностях с мягким климатом.

5.73. Применение асфальтовых, а также других противофильтрационных устройств должно быть обосновано на основании технико-экономического сопоставления вариантов. Для их сооружения используют асфальтобетоны, представляющие собой смесь битумов с минеральными веществами (щебнем, песком или асфальтополимербетоном - та же смесь, но с добавкой полимерных материалов). Подбор состава асфальтобетона, обеспечивающего заданные показатели противофильтрационного устройства (водонепроницаемость, прочность), является сложным делом и включает следующие стадии:

выбор и испытание исходных материалов;

подбор соотношения минеральных материалов (щебня, песка, минерального порошка);

определение оптимального количества вяжущего для подобранной минеральной смеси;

испытание контрольных образцов с целью выявления соответствия свойств подобранного состава требованиям проекта.

Примечание. В качестве примера можно привести следующий состав песчаного асфальтополимербетона для экрана толщиной 40 мм, рекомендованный ВНИИГ. Расход материалов дан в пересчете на 1 м2 устройства, кг:

Битум БНД-60/90..............................................................................................

8,7

Синтетический каучук.....................................................................................

0,3

Известняковый порошок.................................................................................

21

Среднезернистый песок..................................................................................

63

Полимербитумное вяжущее...........................................................................

9

На одном из аварийных бассейнов, расположенном в суровых климатических условиях, был осуществлен экран из асфальтобетона следующего состава %:

Нефтяной битум БН-III.......................................................

10

Коротковолокнистый асбест VI сорта...............................

5

Местная пылеватая супесь...................................................

20

Среднезернистый песок (0,15 ¸ 3 мм)................................

30

Гравий до 20 мм....................................................................

35

5.74. По конструктивному оформлению асфальтобетонные экраны могут быть однослойные и двухслойные. Однослойный экран представляет собой непрерывный слой асфальтобетона, уложенный на подготовленное основание (или на слой пористого асфальтобетона), на который сверху нанесен слой поверхностной обработки. В случае необходимости дополнительной защиты (например, от действия отрицательных температур) экран закрывается сверху защитным слоем из местного грунта.

Двухслойный экран представляет собой два непрерывных слоя асфальтобетона с уложенным между ними дренажным слоем, в котором собирается жидкость, профильтровавшаяся через верхний слой, и отводится из него по трубам.

5.75. Однослойные асфальтобетонные экраны рекомендуются для хранилищ с достаточно плотным основанием, содержащих малотоксичные загрязнения, если фильтрационные потери, вычисленные при коэффициенте фильтрации экрана kф = 10-7 см/с, допустимы.

5.76. Двухслойные асфальтобетонные экраны рекомендуются для хранилищ, содержащих высокотоксичные загрязнения, попадание которых на окружающую территорию и в подземные воды нежелательно. Двухслойные экраны рекомендуются при наличии в основании хранилища слабых просадочных грунтов, увлажнение которых недопустимо.

5.77. Толщина асфальтобетонного слоя экранов должна быть не менее 4 - 6 см. Предпочтительны более толстые слои с укладкой за один раз, так как из-за более высокой теплоемкости толстого слоя и более длительного времени укладки при правильно выбранном составе материалов достигается большая однородность и низкая пористость.

Примечание. Не рекомендуется укладывать толстые слои за 2 раза из-за опасности повреждения вследствие образования воздушных пузырей.

5.78. Для качественной укладки асфальтобетонного экрана необходимо ровное и прочное основание, которое имеет поверхность, обеспечивающую хорошую связь с экраном, но не позволяющую образовываться волнистости.

6. РАСЧЕТЫ ПЛОТИН И ДАМБ ХРАНИЛИЩ НА УСТОЙЧИВОСТЬ, ОСАДКУ И ФИЛЬТРАЦИЮ

РАСЧЕТЫ УСТОЙЧИВОСТИ ОГРАЖДАЮЩИХ СООРУЖЕНИЙ

Основные положения

6.1. Ограждающие сооружения должны иметь профиль, который обеспечивал бы безаварийную эксплуатацию хранилищ отходов и их устойчивое состояние на период консервации (рекультивации) при минимальных капиталозатратах на их возведение.

Устойчивость дамб и плотин зависит от целого ряда факторов: условий возведения сооружений; физико-механических характеристик слагающих их грунтов и отходов; различного рода нагрузок поверхностного и объемного характера, действующих на сооружения (фильтрационные, динамические силы и т.д.); характеристик их основания.

При расчете устойчивости откосов основным типом деформации является оползание, когда имеет место одновременное обрушение больших масс отходов обогатительных руд и грунта по некоторым поверхностям скольжения.

6.2. Основные расчетные случаи при расчетах устойчивости откосов плотин хранилищ отходов регламентированы СНиП по проектированию плотин из грунтовых материалов.

При проверке устойчивости низового (наружного) откоса основной расчетный случай предусматривает наличие в теле сооружения установившегося фильтрационного потока; при этом дренажные устройства работают нормально, уровень воды в верхнем бьефе (или в прудке-отстойнике) находится на отметке НПУ, а в нижнем - максимальный (но не более 0,2Н). Если нормальная работа дренажа нарушена и уровень воды в хранилище находится на отметке ФПУ, необходим особый расчетный случай. К числу особых сочетаний нагрузок при расчетах устойчивости относятся также случаи, когда учитываются избыточное поровое давление консолидации или сейсмические силы. Расчеты устойчивости ограждающих дамб намывного типа проводятся для наиболее неблагоприятных случаев, как, например, при:

а) наименьшей ширине пляжа, возникающей в процессе эксплуатации;

б) изменении расчетных характеристик вследствие снижения крупности помола при обогащении или изменения его технологии.

В качестве особого расчетного случая для намывного сооружения рассматривается максимальное обводнение за счет инфильтрации с пляжа в процессе периодического намыва при предельно допустимой интенсивности наращивания, при этом «отдых» карт намыва должен обеспечить состояние сооружения на данном участке, отвечающее условиям, которые приняты для основного расчетного профиля.

6.3. При оценке устойчивости, помимо расчетных показателей физико-механических свойств материала, из которых возводится ограждающее сооружение, необходимо иметь геологическую и гидрогеологическую характеристику его основания.

Оценка устойчивости сооружения должна производиться в зависимости от состояния его основания. В тех случаях, когда в основании залегают слабые грунты (в том числе материал гидроотвала), необходимо предварительно проверить возможность образования выпора, выполнить прогноз изменения физико-механических свойств под воздействием нагрузки от сооружения.

6.4. В районах с повышенной сейсмичностью (свыше 7 баллов) или вблизи источников динамических воздействий промышленного назначения необходимо рассматривать возможность перехода водонасыщенных грунтов, отходов в разжиженное состояние. Оценка возможности возникновения разжижения материала и связанного с этим нарушения устойчивости производится на основе натурных определений плотности его сложения с использованием метода критических ускорений колебаний.

6.5. При расчетах устойчивости ограждающих сооружений надлежит учитывать поровое давление консолидации, возникающее в процессе уплотнения слагающих их материалов, а также в качестве внешнего воздействия со стороны гидроотвала отходов (прудковой зоны).

Основными критериями учета избыточного порового давления консолидации являются свойства нестабилизированного материала: kф = (5 - 10)10-6 м/сут; величина степени влажности G0 ³ 0,85, величина коэффициента порового давления  При проектировании ограждающих сооружений I и III классов высотой более 40 м используется дифференциальное уравнение консолидации, учитывающее поверхность характеристик материала и постепенность роста сооружения по высоте. В менее ответственных случаях используется подход, изложенный в Рекомендациях по проектированию хвостовых хозяйств предприятий металлургической промышленности. - (М.: Стройиздат, 1975 г.).

6.6. Расчеты устойчивости откосов сооружений производятся на основе гипотезы круглоцилиндрической поверхности скольжения. В случае, когда форма поверхности устанавливается из геологического строения сооружения и его основания, оценку следует производить исходя из поверхности скольжения ломаного очертания. Целью расчета является определение минимальных коэффициентов запаса устойчивости ограждающего сооружения, профиль которого подлежит проверке при известных нагрузках и свойствах материала тела сооружения его основания.

Коэффициент запаса находят путем сопоставления действительного состояния откоса с предельным, которое характеризуется возникновением во всех точках заданной поверхности обрушения предельных касательных напряжений. В соответствии с критерием прочности Кулона-Мора для грунтов их величины устанавливаются из зависимости

                                                           (25)

где  - эффективное нормальное напряжение на площадке скольжения; j и с - показатели сопротивления сдвигу.

Тогда при действительном состоянии откоса величина касательных напряжений на той же площадке скольжения может быть представлена в виде:

                                                      (26)

где tgjм и см - показатели сопротивления сдвигу при его частичной мобилизации, которые связываются с действительными величинами соотношением:

tgjм/tgj = cм/с = 1/k.                                                      (27)

Следовательно, коэффициент запаса устойчивости характеризует степень мобилизации сопротивления грунта сдвигу по кривой скольжения.

Расчеты устойчивости откосов ограждающих сооружений по круглоцилиндрическим поверхностям скольжения

6.7. При использовании гипотезы о круглоцилиндрической форме потенциальной поверхности скольжения величина коэффициента запаса устойчивости устанавливается исходя из условия статического равновесия SМ = 0:

                                               (28)

При этом призму обрушения рассматривают как одно монолитное тело либо дискретно, производя деление ее на конечное число отсеков (рис. 23) с переходом в формуле (28) на суммирование. Способы расчета, в которых деление на отсеки не производится, пригодны только для оценки устойчивости откосов из однородных грунтов. При расчетах устойчивости откосов из однородных материалов на равнопрочном основании может быть использован график (рис. 24), на котором приведены кривые зависимости предельно допустимого заложения откоса (или соответствующего ему угла b от числа устойчивости c/kзgвлH для ряда величин угла внутреннего трения с учетом степени его мобилизации jм = j/kз.

Фильтрационное воздействие на материал откосной части сооружения может быть приближенно учтено следующим образом:

значение числа устойчивости устанавливается при использовании величины плотности материала при полном водонасыщении gнас - инфильтрация с пляжной зоны при отсутствии подпора;

значение числа устойчивости устанавливается при использовании величины плотности с учетом взвешивания gвзв, но расчетная величина угла внутреннего трения принимается равной, jр = arctg(gвзв/gнасtgj), что обеспечивает некоторый запас устойчивости.

6.8. Методы расчета устойчивости, предусматривающие давление призмы обрушения на отсеки, имеют наибольшее практическое значение, поскольку позволяют учесть неоднородность материалов тела сооружения и его основания и различные силы, действующие на откос (сейсмические, гидродинамические, давление воды верхнего и нижнего бьефа и пр.). Разработано несколько способов расчета по круглоцилиндрическим поверхностям скольжения с делением на отсеки, которые отличаются друг от друга выражением величины эффективных нормальных напряжений, действующих по поверхности скольжения.

В общем виде величина эффективного нормального напряжения на площадке скольжения, образующей угол a с осью х, выразится через напряжения, которые действуют на вертикальной  и горизонтальной  площадках по известной зависимости

                                        (29)

или с учетом соотношений  и

                                     (30)

Рис. 23. К расчету устойчивости откосов ограждающих сооружений по круглоцилиндрическим поверхностям скольжения

Рис. 24. Зависимость допустимой крутизны откоса от числа устойчивости с/kзgHс

С учетом уравнения (30) выражение для коэффициента запаса устойчивости запишется в виде

                    (31)

В случае деления призмы обрушения на n отсеков шириной Dх = b рассматриваются следующие элементарные силы, которые воздействуют на i-ый отсек (рис. 23, б);

Gi - вес грунта и воды в пределах отсека; при наличии вертикальной составляющей внешней нагрузки ее заменяют на эквивалентный слой фиктивного грунта;

Fx - горизонтальная составляющая внешней нагрузки на отсек (поверхностные и объемные силы, исключая фильтрационные);

 - равнодействующая эффективных нормальных напряжений по подошве отсека;

 - равнодействующая касательных напряжений по подошве отсека;

Рbi - равнодействующая давления воды (порового давления) по подошве

где  - давление воды в условиях установившегося режима;

 - избыточное поровое давление, в частности за счет консолидации грунта;

DWi - равнодействующая давления воды на вертикальные грани отсека;

 - нормальная составляющая от распора грунта в пределах отсека, образующего угол  с горизонталью.

Из условий статического равновесия для i-го отсека:

                      (32)

                                (33)

Исходя из уравнения SМ = 0 для призмы обрушения в целом [в интегральном виде - уравнение (28)] величина коэффициента запаса устойчивости выразится следующим образом:

                                  (34)

где Ai = cosai[1 + tgatgjм + tg(tga - tgjм)];

fi - плечо силы Fi относительно моментной точки (при круглоцилиндрической поверхности скольжения - центр окружности с радиусом R).

Для совместного решения с уравнением (34) в целях нахождения величины  можно использовать условие статического равновесия Sx = 0 в интегральной форме (для призмы обрушения в целом), имеющее вид:

                                           (35)

Такой подход, так же как и нахождение коэффициента запаса устойчивости на основе всеобъемлющего изучения напряженного состояния сооружения и его основания при непосредственном использовании уравнения (31), требует реализации на ЭЦВМ.

При проведении расчетов устойчивости исходят из допущений в отношении величины , которую принимают постоянной или же в виде известной функции от угла наклона площадок скольжения ai.

Наибольшее распространение получили следующие предложения:

а)  - метод наклонных сил взаимодействия (предложение P.P. Чугаева);

б) , где b - осредненная величина угла заложения откоса;

в)  - метод горизонтальных сил взаимодействия (расчетная схема Г. Крея).

В соответствии с условием (в) уравнение (34) примет следующий вид:

                          (36)

Метод горизонтальных сил взаимодействия достаточно точен, но трудоемок при нахождении решения вручную, так как искомая величина kз выражена неявной функцией [то же присуще (а) и (б)].

Приближенный результат может быть получен, принимая kз = 1 в правой части уравнения (36).

Учитывая то, что  Þ d = 0, т.е. вертикальные грани отсеков являются главными площадками, существует возможность для упрощения путем непосредственной подстановки в уравнение (31) значений коэффициента бокового давления, например полученных теоретически для сыпучих грунтов по Яки

где yi - угол сдвига грунта на рассматриваемой площадке скольжения, или по Г.И. Покровскому

Для площадок, расположенных на нисходящей ветви кривой скольжения (a > 0), принимаются верхние знаки, а на восходящей (a < 0) - нижние. Величина  устанавливается из соотношения

г) способ «весового давления», основанный на формальном совпадении результатов расчетов по нему с точными, полученными по методу Тейлора при заложениях откоса т ³ 2,5, может быть охарактеризован величиной коэффициента бокового давления xс.в.д = ctgai 1 - cosai/sinai, этом зависимость (6.7) приобретает следующий вид:

                                  (37)

Подход, принятый для обоснования этого способа, не позволяет оценить его достоверности при различных сочетаниях нагрузок, а также при неоднородности сложения откоса и его основания. Следует указать, что применение этого способа при условиях, когда в основании на значительную глубину залегают грунты, обладающие более низкими прочностными свойствами, чем материал откоса, приводит к занижению величины коэффициента запаса устойчивости.

Допущение об одноосном напряженном состоянии грунта в пределах призмы обрушения (расчетная схема К. Терцаги), при котором x = 0, значительно упрощает зависимость (31):

                                    (38)

Выражение (38) может быть также получено формально из формулы (34) на основе допущения о параллельности равнодействующей сил взаимодействия по подошве отсека, т.е. при .

Метод К. Терцаги нашел широкое применение благодаря своей простоте, однако при расчетах пологих откосов с заложением т > 2,5 может приводить к значительной ошибке в сторону уменьшения величины kз (т.е. «в запас») и в этих случаях его применять не рекомендуется.

На основе расчетной схемы К. Терцаги и предложения о том, что DWi = 0, получена формула А.А. Ничипоровича, которая в принятых обозначениях

                                       (39)

6.9. Для проведения расчетов устойчивости наружного откоса намывных хвостохранилищ при круглоцилиндрической поверхности обрушения с помощью ЭЦВМ используют специально разработанные программы или программы более универсального характера, позволяющие проводить также расчеты верховых и низовых откосов дамб наливных накопителей и плотин из грунтовых материалов.

В состав программы «РУЗО», составленной на языке «фортран VI» для ЭЦВМ ЕС-1030, включены четыре формулы, которые с учетом дискретного рассмотрения призмы обрушения в виде n-элементов могут быть представлены в обобщенном виде:

                              (40)

где mi и vi - коэффициенты, отражающие учет взаимодействия между элементами для твердой и жидкой фазы соответственно. Их значения сведены в табл. 8.

Таблица 8

Коэффициент

Метод расчета

по ТУ и Н

ВНИИ ВОДГЕО

по А.А. Ничипоровичу

по способу весового давления

mi

1

1

1

1/cosai

vi

cos2ai

cosaicosqi cos(a - q)i

1

cos2ai

Вопрос об учете сил взаимодействия для твердой фазы на настоящее время остается открытым. Известно, что величина kз, полученная при использовании схемы К. Терцаги (m = 1) указывается несколько заниженной, в то время как метод «весового давления» с неявным учетом сил взаимодействия может привести к ее завышению. В случаях, когда диапазон расхождения превышает 30 %, необходимо выполнить уточненный расчет с использованием формул (31), (34), (36). Использование последних формул является необходимым при наличии в основании слоев значительной мощности, сложенных материалами с низкими прочностными свойствами.

При расчетах устойчивости обеспечивается учет гидродинамического воздействия при:

безнапорной фильтрации по предлагаемой формуле;

напорной фильтрации по формуле А.А. Ничипоровича.

РАСЧЕТ УСТОЙЧИВОСТИ НАМЫВНЫХ ОГРАЖДАЮЩИХ ДАМБ

6.10. Устойчивость намывного сооружения, которое воспринимает воздействие неконсолидированного материала прудковой зоны (ядра), характеризуется как его ограждающая способность. При оценке устойчивости намывных ограждающих дамб рассматриваются два основных вопроса: устойчивость наружного откоса и ограждающая способность сооружения, решением которых определяются соответственно допустимая крутизна наружного откоса (или его заложение mн.доп) и ширина сооружения поверху, исключающая прорыв. Поскольку эта ширина в свою очередь зависит от принятого заложения откоса тн ³ тн.доп, то, следовательно, установление профиля сооружения с заданной степенью устойчивости возможно при различных сочетаниях обеих величин, среди которых требуется найти оптимальное.

Рис. 25. Схема к оценке ограждающей способности намывных сооружений

Оценка ограждающей способности сооружения при тн ³ тн.доп осуществляется по методике, разработанной во ВНИИ ВОДГЕО на основе расчетной схемы с упорной призмой и неконсолидированным ядром. Эта методика позволяет определить минимально допустимое расстояние от гребня дамбы до уреза воды в прудке аmin. К ее особенностям следует отнести использование величины «приведенного» к массе грунта ядра  в целях линеаризации нормальной составляющей воздействия ядра по высоте сооружения (Н) (рис. 25):

                  (41)

где gw - плотность воды; gвзв - плотность материала ядра (прудковой зоны) с учетом взвешивания, осредненный по глубине (П - h);  - осредненная величина угла внутреннего трения неконсолидированного материала ядра с избыточным поровым давлением u; mв - заложение внутренней грани ограждающей дамбы - границы между упорной призмой и ядром.

Величину заложения внутренней грани находят при упрощенном подходе, пренебрегая касательными напряжения по грани, с помощью уравнения:

                        (42)

Индексы «п» указывают на то, что осредненные величины показателей физико-механических свойств относятся к материалу упорной призмы (пляжной зоны).

При строгом подходе определение сводится к решению системы уравнений, содержащих величины углов наклона грани b (bв = arcctgmв) отклонения равнодействующей воздействия ядра от нормали e:

   (43)

где tи - расчетная величина (осредненная) сопротивления сдвигу материала прудковой зоны, которая устанавливается с помощью формулы (25) или на основе результатов полевых определений на вращательный срез (крыльчаткой); bпл - угол наклона поверхности пляжной зоны.

6.11. Подробное изложение методики приводится в Рекомендациях по проектированию хвостовых хозяйств предприятий металлургической промышленности. Для механизации расчетов с использованием ЭЦВМ на языке «Фортран» составлена программа «РУНО».

Вопросы расчетов устойчивости для ограждающих сооружений хранилищ, возводимых в суровых климатических условиях, а также на слабом торфяном основании, изложены в Рекомендациях по проектированию сооружений хвостохранилищ в суровых климатических условиях (М.: Стройиздат, 1977 г.).

РАСЧЕТ ОСАДОК ОГРАЖДАЮЩИХ ДАМБ И ПЛОТИН ХРАНИЛИЩ

6.12. Осадка ограждающей дамбы или плотины складывается из осадки, возникающей вследствие уплотнения материала сооружения осадки его основания.

6.13. Расчет осадки ограждающих сооружений следует выполнять, в соответствии с главой СНиП по проектированию оснований гидротехнических сооружений, методом послойного суммирования в пределах сжимаемого слоя На.

6.14. Для расчета осадок ограждающего сооружения выделяют характерные поперечные сечения и в каждом сечении намечают несколько вертикалей, проходящих в пределах различных элементов сооружения (например, на откосной части, по гребню, на пляжной и предпрудковой зонах).

6.15. Расчетная толщина сжимаемого слоя На, сложенного из нескальных пород, определяется для каждой расчетной вертикали из условия, что напряжения от внешней нагрузки на границе сжимаемого слоя не превышают 0,5Наgср, где gср - величина плотности грунтов с учетом их взвешивания, осредненная по глубине.

При залегании несжимаемых грунтов в пределах На глубина сжимаемого слоя ограничивается кровлей этого грунта.

6.16. В случаях, когда средняя по высоте ширина профиля ограждающего сооружения в два раза превышает расчетную толщину сжимаемого слоя, расчет осадки основания допускается производить для условий одномерной задачи.

6.17. Для определения осадки основания сжимаемую толщу На, подразделяют на n элементарных слоев толщиной hi исходя из условия постоянства в пределах каждого слоя величин объемной массы и деформационных характеристик грунта.

6.18. Для условий одномерной задачи осадку основания сооружения определяют по формуле

                                                          (44)

Рис. 26. График зависимости коэффициента r от соотношения высоты сооружения к его ширине по низу Н/В

где

e0i - коэффициент пористости грунта, соответствующий напряжению от собственного веса грунта в середине i-го слоя основания  с учетом его взвешивания ниже уровня грунтовых вод;  - коэффициент пористости грунта в той же точке при эффективном уплотняющем (от действия внешних сил) нормальном напряжении  в момент времени t.

Величину порового давления иi(t) в момент времени t следует определять по решению одномерной задачи консолидации.

6.19. Расчет осадки ограждающего сооружения методом послойного суммирования осуществляется по формуле

                                                           (45)

где b - безмерный коэффициент, величина которого принимается равной 0,1 - при расчете осадок тела сооружения и 0,8 - при расчете осадки его основания; E - величина модуля деформации грунта i-го слоя, определяемая в соответствии с указаниями СНиП по проектированию оснований гидротехнических сооружений.

Величины эффективных уплотняющих вертикальных напряжений следует определять методами теории упругости и решения плоской задачи консолидации.

6.20. Расчет осадки ограждающего сооружения для момента завершения консолидации tк (конечная осадка Sк) следует производить, принимая в формулах (44) и (45) , что соответствует условию u(tк) = 0.

6.21. Для определения осадки во времени St можно на стадии предварительных расчетов использовать формулу

                                                          (46)

где t - время в годах; е - основание натуральных логарифмов; r - коэффициент, величины которого устанавливаются по графику (рис. 26).

РАСЧЕТ ФИЛЬТРАЦИИ СТОЧНОЙ ЖИДКОСТИ ИЗ ХРАНИЛИЩА

6.22. Расчет фильтрации отходов из хранилища ведется для установления количества утечки сточной жидкости. Результаты этих расчетов используются при разработке соответствующих защитных мероприятий, отвечающих требованию охраны природы и природных ресурсов.

6.23. При расчете фильтрации сточной жидкости учитываются тип хранилища, особенности его эксплуатации, геологических и гидрогеологических условий ложа берегов хранилища и технологии возведения ограждающих гидросооружений и противофильтрационных устройств. Для хранилищ наливного типа расчет фильтрации производится в соответствии с главой СНиП по проектированию плотин из грунтовых материалов.

6.24. При замыве хранилища от плотины или дамбы расчет фильтрации следует производить с учетом отходов и грунтов, намываемых по верховому откосу дамбы или плотины.

В процессе намыва в хранилище происходит постоянная фильтрация воды, которая оказывает влияние как на устойчивость ограждающей плотины или дамбы, так и на санитарное состояние подземных вод и открытых водоемов.

6.25. Фильтрационный поток в дамбе, в ее основании и в зонах береговых примыканий хранилищ определяется как геологическими и гидрогеологическими условиями района, так и проницаемостью намытых отходов. В зависимости от этих условий фильтрационный поток может быть одномерным, плоским и пространственным. Расчет фильтрации из хранилища должен производиться с учетом этих условий по трем схемам для следующих хранилищ:

расположенных на сильнопроницаемых грунтах с глубоким залеганием горизонта грунтовых вод, т.е. когда их уровень ниже дна хранилища - по схеме одномерной задачи;

расположенных на малопроницаемых грунтах, которые могут приниматься за водоупор, или на сильнопроницаемых грунтах ограниченной мощности (< 15 м) - по схеме плоской задачи;

возводимых на проницаемых грунтах большой мощности при высоком залегании горизонта грунтовых вод, т.е. при наличии подпора, - по схеме пространственной задачи.

6.26. Фильтрация воды из хранилищ, возводимых на основаниях, сложенных из вечномерзлых грунтов, вследствие намыва отходов происходит по оттаявшим слоям. В этом случае и при несложных гидрогеологических условиях фильтрационные расчеты на стадии проекта хранилищ можно выполнять, рассматривая плоскую задачу, пользуясь приближенными способами расчета.

Плоский фильтрационный поток в сложных гидрогеологических условиях, а также пространственный поток должны рассчитываться на основе моделирования методом ЭГДА, описанным в литературе.

Для хранилищ с дамбами намывного типа расчет фильтрации должен производиться с учетом влияния на поток воды из намытой призмы из отходов.

6.27. Расчет фильтрации в намывных талых ограждающих дамбах хранилища может быть выполнен согласно п.п. 3.28 - 3.30 Рекомендации по проектированию хвостовых хозяйств предприятий металлургической промышленности (М.: Стройиздат, 1975 г.) или СНиП по проектированию плотин из грунтовых материалов.

6.28. Для фильтрационных расчетов тела замороженной намывной дамбы или дамбы с чередующимися слоями мерзлых и талых отходов (что часто встречается при намыве отходов в условиях Крайнего Севера) в каждом конкретном случае следует провести исследования методом ЭГДА. Для определения фильтрации на действующих хранилищах следует проводить натурные исследования, рекомендуемые в разд. 10.

7. ГИДРОТРАНСПОРТ ОТХОДОВ ОБОГАЩЕНИЯ РУДЫ

ОБЩИЕ ПОЛОЖЕНИЯ

7.1. По режимам работы системы гидротранспорта подразделяются на безнапорные, напорно-самотечные, напорно-принудительные и смешанные.

7.2. Классы капитальности сооружений гидротранспорта устанавливаются в зависимости от выхода отходов обогащения руды по табл. 9.

Таблица 9

Выход отходов, т/сут

Класс капитальности гидротранспорта

безнапорного и напорно-самотечного

напорно-принудительного

Более 30000

2

1

10000 - 30000

3

2

5000 - 10000

4

3

1000 - 5000

5

4

До 1000

5

5

7.3. При возможности организации аварийного самотечного сброса отходов в течение длительного срока (свыше 3 - 5 сут) класс капитальности системы напорно-принудительного гидротранспорта может быть понижен на единицу.

7.4. Класс капитальности системы гидротранспорта может быть повышен на единицу при подаче пульпы на большие расстояния (свыше 20 км), при очень сложных условиях прокладки пульповодов, затрудняющих их нормальную эксплуатацию, или при транспортировке пульпы, содержащей особо вредные вещества.

7.5. В зависимости от класса капитальности системы гидротранспорта назначается количество резервных пульповодов и насосов. Количество резервных пульповодов принимается либо соответственно количеству резервных насосов, либо при соответствующем технико-экономическом обосновании на единицу меньше.

Исходные и расчетные данные по отходам и пульпе.

7.6. Для разработки проекта системы гидротранспорта отходов обогатительных комбинатов необходимы следующие исходные данные:

выход отходов, млн. т/год;

расход воды на 1 т руды или концентрата, м3;

плотность отходов, т/м3;

гранулометрический и минералогический составы хвостов и их гидравлическая крупность;

режим работы комбината (число рабочих смен, продолжительность смены, общее число рабочих часов в год);

коэффициент неравномерности выхода отходов (1,15 - 1,20);

расчетное число лет работы комбината;

продольные профили и планы по предлагаемым трассам пульповодов;

весовая консистенция пульпы (Т:Ж) и ее возможные колебания;

температура исходной пульпы;

возможность загрязнения пульпы раств Т:Ж оримыми и нерастворимыми химическими соединениями, их предлагаемый состав и количество.

7.7. Расчетными параметрами при проектировании систем гидротранспорта являются: расход пульпы Qп, плотность пульпы gп, весовая консистенция пульпы, средневзвешенный диаметр частиц хвостов dср, плотность твердого gт, гидравлическая крупность W.

Гидравлическая крупность частиц W определяется по таблицам В.Н. Гончарова в зависимости от dср и температуры воды.

ТРАССА ПУЛЬПОВОДОВ

7.8. При выборе трассы пульповодов необходимо стремиться к осуществлению самотечного или самотечно-напорного гидротранспорта в течение всего или большей части заданного срока эксплуатации комбината.

7.9. Самотечные системы гидротранспорта следует проектировать в виде открытых лотков прямоугольного или трапецеидального сечения из сборного или монолитного железобетона с футеровкой дна и боковых стенок плитками каменного литья или шлакоситалла. При агрессивной среде (на фабриках цветной металлургам) лотки должны быть футерованы специальным кирпичом.

Самотечные лотки укладываются с уклонами дна, обеспечивающими режим движения пульпы при скоростях, близких к критическим.

7.10. От самотечных лотков должен быть предусмотрен лоток аварийного сброса пульпы в аварийную емкость или хранилище. Для этого на лотках должна быть устроена камера переключений с двойными шиберными затворами.

7.11. Лотки и пульповоды во многих случаях (кроме районов с суровым климатом) при критических скоростях движения пульпы могут прокладываться без утепления на зимний период.

7.12. Напорные пульповоды систем гидротранспорта подразделяются на магистральные и распределительные. Первые предназначены для подачи пульпы от пульпонасосных станций до хранилищ, а вторые - для распределения пульпы по периметру хранилищ. Оба вида пульповодов желательно прокладывать на поверхности земли с уклонами не менее i = 0,005, необходимыми для обеспечения сброса пульпы при их опорожнении. В отдельных случаях при достаточном обосновании пульповоды могут укладываться в земле.

7.13. Количество и диаметры пульповодов определяются расчетом (см. п. 7.24) с учетом удобства эксплуатации систем их маневренности с тем, чтобы была обеспечена бесперебойность работы даже при возможных непредвиденных нарушениях технологического процесса транспортирования пульпы (аварий на насосных станциях, по длине пульповодов и т.п.).

7.14. Магистральные и распределительные пульповоды следует размещать на подвижных и неподвижных (анкерных) опорах. Подвижные (скользящие) опоры, поддерживающие пульповоды, служат для обеспечения возможности перемещения труб при температурных изменениях. Неподвижные (анкерные) опоры служат для жесткого крепления пульповодов в местах поворотов трассы и между компенсаторами. Расстояние между подвижными и неподвижными опорами определяется расчетами. В ряде случаев прокладку отвальных пульповодов при соответствующем обосновании производят без устройства анкерных опор и компенсаторов.

7.15. Минимальное расстояние пульповодов от высоковольтных линий следует принимать равным 30 м при давлении до 0,4 МПа и 40 м - при давлениях более 0,4 МПа.

7.16. При проектировании пульповодов должны быть решены вопросы выбора материала труб, рациональных мест установки запорно-регулирующей арматуры, устройства для выпуска и впуска воздуха, защиты трубопроводов от гидравлических ударов, необходимости промывки пульповодов чистой водой после прекращения перекачки по ним пульпы, допустимого времени пребывания воды в пульповодах в зимнее время при вынужденных их остановках и пр.

7.17. В качестве устройств для выпуска и впуска воздуха на напорных пульповодах могут применяться:

а) противовакуумные клапаны - для впуска воздуха с целью предотвращения сплющивания пульповодов атмосферным давлением при образовании в них вакуума;

б) автоматические вантузы большой пропускной способности конструкции Харьковского отделения (ХО) ВНИИ ВОДГЕО с Dу = 200 - 300 мм. Эти вантузы выполняют функции вантуза (выпуск воздуха при заполнении трубопровода гидросмесью) и автоматического противовакуумного клапана (впуск воздуха при опорожнении трубопровода). Рабочие чертежи вантуза разработаны на диаметры условного прохода 200 и 300 мм и Ру = 1,0 МПа. Эти вантузы рекомендуются также к установке на водоводах осветленной воды.

ГИДРАВЛИЧЕСКИЕ РАСЧЕТЫ ПУЛЬПОВОДОВ

7.18. Режим работы пульповодов, как и всей гидротранспортной системы, должен отвечать оптимальным условиям, при которых обеспечивается наибольшая производительность при наименьших затратах на транспортирование объема твердого.

7.19. Оптимальным гидравлическим условиям транспортирования отходов по напорным пульповодам, как правило, отвечает режим гидротранспорта пульпы при критических скоростях движения.

Режим транспортирования с заилением пульповода (более 10 % диаметра) вследствие недостаточной изученности его и отсутствия надежных экспериментальных материалов в данной работе не рассматривается.

7.20. Гидравлические расчеты напорных пульповодов при гидротранспорте отходов ГОКов рекомендуется производить по формуле А.П. Юфина с поправкой С.Г. Коберника и В.И. Войтенко для Vкр по следующей методике:

а) определяется критический диаметр пульповода Дкр по следующим формулам:

при плотности пульпы rп £ 1,25 т/м3

                                 (47)

при плотности пульпы r > 1,25 т/м3

                                            (48)

б) принимается ближайший стандартный диаметр и при rп £ 1,25 т/м3 определяется критическая скорость по формуле

                                        (49)

в) расход (объемная скорость) гидросмеси при критической скорости транспортирования определяется по формуле

г) высота неподвижного слоя отложения DНз в горизонтальном трубопроводе при  определяется по формуле

где Д - принятый ближайший стандартный диаметр трубопровода.

При DНз > 0,14 принимается ближайший стандартный диаметр менее расчетного значения Дкр;

д) определяется фактическая средняя скорость в пульповоде принятого диаметра:

Vкр = Qп/w м/с.

В приведенных формулах:  - расчетная весовая консистенция; Рвв - то же, около 40 %; D0 = 3d10/d90 - коэффициент однородности, где d10 и d90 - диаметр частиц твердого соответственно 10 и 90 %-ного содержания фракций по кривой гранулометрического состава;

w - поперечное сечение трубопровода, м2, W - средневзвешенная гидравлическая крупность твердого, м/с; rв - плотность воды, т/м3;

е) определяется гидравлический уклон для пульповодов принятого диаметра при Vcp ³ Vкр по следующим формулам:

при содержании в пульпе твердого с dcp от 1×10-4 до 5×10-4 м при 15 % фракций размером менее 0,74×10-4 м;

                                             (50)

при содержании в пульпе твердого с dср от 1×10-4 м и при более 15 % фракции размером до 0,74×10-4 м:

                                 (51)

при содержании в пульпе твердого с dcp < 1×10-4 м

                                                                (52)

при наличии слоя отложений, т.е. при  и при DНз не более 0,1Д

i2,3 = iкр,

где  - гидравлический уклон при движении воды со скоростью, равной критической; rн - плотность несущей жидкости, которая определяется по формуле

rн = rв + (rн - rв)/100P,

где Р - процентное содержание фракций с dcp < 1×10-4 м;  - число Рейнольдса; v - коэффициент кинематической вязкости чистой воды, принимаемый равным 1×106 м2/с при t = +20 °С.

Гидравлический уклон при движении пульпы с критической скоростью определяется по зависимости

                                         (53)

Гидравлический уклон при движении воды равен

iв = lv2/2gД,                                                           (54)

Коэффициент гидравлического сопротивления для новых или ранее использующихся для гидротранспорта труб

l = 1/3,24(ig Re - 1)2.                                                (55)

Отметим, что приведенные выше зависимости для определения гидравлического уклона применены при размере частиц отходов с dср от 0,5×10-4 и до 5×10-4 м и плотность пульпы rп = 1,5 т/м3;

ж) определяются потери напора по длине пульповода

H = iпl;                                                                 (56)

з) определяются суммарные потери напора

Hc = k(iпl + hз + hм) + hг,

где hз - суммарные потери напора в трубопроводах и арматуре в здании насосной станции, м; hм - потери напора в местных сопротивлениях по трассе пульповода;  - потери напора на геодезический подъем, м. Здесь:  - разность геодезических отметок между осями землесоса и пульповода на выпуске пульпы; k - коэффициент запаса на случай образования слоя заиления после остановки пульповода, принимаемый равным 1,1 - 1,15;

и) определяется необходимая мощность землесоса

N = Q Hcrп/102h.

Затем по каталогу подбирается тип землесоса.

Порядок определения оптимального режима работы гидротранспортной смеси приведен в Методике расчета гидротранспортных установок для транспорта и намыва хвостов железорудных ГОКов (Киев, НИИСФ Госстроя УССР, 1970).

7.21. Критическую скорость при расчете системы гидротранспорта, транспортирующих смесь материалов различной плотности от нескольких производств черной металлургии, рекомендуется определять по формуле, полученной в ХО ВНИИ ВОДГЕО:

                                    (57)

Величина А определяется по зависимости:

при Pт ³ 0,1

при Pт < 0,1

где Pt - содержание в смеси твердого с большей величиной y:

Dy = y1 - y2,

где y, y1, y2 - коэффициенты, характеризующие способность материала транспортирования потоком воды, вычисляются по формуле

При определении y используются средневзвешенные величины a, Wп и dcp для смеси материалов, а при определении y1 и y2 - эти же величины для каждого из смешиваемых материалов в отдельности;

а = (rт - rв)/rв - относительная плотность твердого материала; Wп - средневзвешенная гидравлическая крупность, определяемая по таблицам В.Н. Гончарова, м/с; rт = плотность твердого материала, т/м3.

При dср < 1×10-4 м расчет производится без учета коэффициента А с использованием средневзвешенных величин a, dср и Wп. Формула (57) применима при: dср до 6×10-4 м; rт = 2,5 - 6,8 т/м3 и rп до 1,2 т/м3.

Гидравлический уклон рекомендуется определять по формулам (50) - (53). При rт > 4 т/м3 следует полученные величины iп увеличить на 20 %.

7.22. Гидравлические расчеты самотечного гидротранспорта по лоткам при критическом режиме рекомендуется производить по формуле B.C. Кнороза с поправками П.Д. Евдокимова.

ГИДРАВЛИЧЕСКИЙ УДАР И БОРЬБА С НИМ

7.23. Гидравлический удар в пульповодах может возникать:

вследствие быстрого закрытия задвижек на концевых участках, образования в пониженных местах профиля ледяных пробок или отложений после длительных перерывов в работе насосных станции;

при внезапной остановке землесосов, вызванной прекращением подачи электроэнергии, заклиниванием рабочего колеса, поломки вала и других причин.

В первом случае гидравлический удар обычно начинается с волны повышенного давления, а во втором - с волны пониженного давления.

При проектировании надлежит проводить расчеты по определению величины гидравлического удара, возникающего в пульповодах при внезапной остановке насосов.

7.24. Для расчетов гидравлического удара, начинающегося в пульповодах с волны пониженного давления, в настоящее время нет достаточно обоснованной зависимости, поэтому определение величины удара для таких случаев следует производить по апробированным формулам, полученным для условий перекачки чистой воды. Этим условиям будет соответствовать перекачка пульпы с небольшим содержанием твердого.

Так как при перекачке чистой воды сила удара несколько больше, чем при перекачке пульпы, то пульповоды следует рассчитывать на более неблагоприятные случаи перекачки.

В пульповодах, так же как и водоводах, гидравлический удар может протекать с разрывом сплошности потока и образованием вакуума в определенных местах профиля или без разрыва сплошности потока.

Наиболее вероятно образование разрывов сплошности потока на переломах профиля пульповода и на промежуточных возвышенностях. При наличии разрыва сплошности последующее соединение разорвавшихся столбов жидкости ведет к значительному увеличению силы удара, поэтому величину гидравлического удара для конкретного пульповода надо определять с учетом наличия на профиле возможных мест образования разрывов сплошности потока.

Расчеты гидравлических ударов для таких случаев проводят по методике Л.Ф. Мошнина, а также по формуле Д.Н. Смирнова:

                           (58)

где Ну - ударный напор, м; hст - статический напор над местом предполагаемого разрыва сплошности потока, м; hв - величина вакуума в месте разрыва сплошности, принимаемая равной 8 м вод. ст.; V - средняя рабочая скорость движения потока, м/с; hтр - потери напора на трение, м; V1 - остаточная скорость в трубопроводе, являющаяся причиной образования разрыва сплошности потока, м/с, определяется по формуле

V1 = V - g/a(hст + hтр + hв).

Для стальных трубопроводов

                                             (59)

здесь D и d - диаметр и толщина стенки труб, мм;

для чугунных труб

                                           (60)

для асбестоцементных

                                           (60)

Для условий протекания гидравлического удара без разрывов сплошности потока величину удара определяют по формуле В.М. Панина

Ну = Hст + aV/g - hтр,                                                (62)

где Нст - статический напор над осью обратного клапана, м.

В низконапорных (до 5 - 6 кгс/см2) трубопроводах со спокойным профилем, когда рабочий напор насосов значительно (в 3 - 4 раза) превышает статический напор, т.е. когда потери напора оказываются весьма большими, гидравлические удары после внезапного выключения насосных станций часто не превышают рабочего напора. В таких трубопроводах величину ударного напора вычисляют по формуле: Hv = 2Hст + hв, при отсутствии разрыва сплошности Hv = 2Hст.

Отметим, что во всех перечисленных случаях гидравлические удары достигают максимальной величины у обратного клапана насосной станции, поэтому в таких местах и устанавливают противоударные средства.

7.25. Для защиты пульповодов от гидравлических ударов могут применяться следующие средства и методы:

сдвоенные воздушные колонны конструкции А.Г. Дзваршейшвили;

сброс пульпы через землесос в обратном направлении;

диафрагмы (разрывные шайбы);

гасители гидравлических ударов.

В качестве самостоятельного средства борьбы с гидравлическими ударами рекомендуется полуавтоматический гаситель конструкции Харьковского отдела ВНИИ ВОДГЕО.

Рабочие чертежи гасителя разработаны на диаметры условного прохода 150, 200, 300 и 400 м.

Конструкция гасителя и схема его установки на пульповоде показаны на рис. 27 и 28. Диаметр гасителя для пульповодов ориентировочно можно определять по данным табл. 10.

Таблица 10

Диаметр пульповода, мм

До 500

600 - 700

800 - 100

1200 - 1400

Диаметр гасителя, мм

150

200

300

400

Описание: Описание: 1

Рис. 27. Полуавтоматический гаситель гидравлических ударов Харьковского отделения ВНИИ ВОДГЕО (а.с. № 512336)

1 - корпус; 2 - верхний (запорный) клапан; 3 - шток; 4 - втулка; 5 - нижний клапан; 6 - седло нижнего клапана; 7 - опорное кольцо нижнего клапана; 8 - рычаг с грузом; 9 - опорное кольцо (седло) верхнего клапана

Рис. 28. Схема установки полуавтоматического гасителя гидравлических ударов на трубопроводе (гаситель показан в открытом положении)

1 - гаситель; 2 - сбросной трубопровод; 3 - задвижка; 4 - пульповод, трубопровод; 5 - обратный клапан; 6 - подводящая труба; 7 - задвижка с ручным проводом

8. СТРОИТЕЛЬСТВО ПЛОТИН И ДАМБ ХРАНИЛИЩА И ИХ ЭКСПЛУАТАЦИЯ

СТРОИТЕЛЬСТВО ПЛОТИН И ДАМБ ХРАНИЛИЩА

8.1. Строительство плотин и дамб хранилища для складирования отходов обогащения руды (хвостов и шламов) металлургической промышленности должно производиться специализированными организациями, ведущими гидротехнические работы по строго разработанному проекту производства работ, увязанному с комплексом строительства хранилища данного горнообогатительного комбината, с учетом особенностей геологических, гидрогеологических, топографических и других местных условий, охраны окружающей среды и водных ресурсов.

8.2. Плотины и дамбы хранилища рекомендуется строить по принятому проекту, в котором указываются наиболее целесообразные схемы движения машин и строительных механизмов, схемы приема работ с максимальным использованием типовых решений для данных условий района. Должны учитываться требования к конструкции и возведению плотин и дамб первичного и вторичного обвалования, изложенные в главе СНиП по проектированию плотин из грунтовых материалов и настоящих Рекомендациях (разд. 5).

8.3. При строительстве плотин или дамб хранилища необходимо подготовить основание и сопряжения с берегами: вырубить деревья, кустарник, удалить растительный слой, пни и корневую систему в основании гидросооружений (для сооружений IV и V классов капитальности в отдельных случаях разрешается оставлять растительный слой в основании), удалить в основании и у берегов лед и снег.

8.4. При строительстве плотин или дамб производят отсыпку грунта слоями. Слой по основанию отсыпают автосамосвалами и разравнивают бульдозерами. Допускается отсыпать плотины или дамбы слоями 1,0 - 1,5 м с перемещением механизмов по поверхности отсыпанного слоя.

Примечание. Транспортировка и укладка грунта, а также грунта вскрыши в плотины и контроль качества укладки производится согласно Рекомендациям по разработке карьеров, транспортированию и укладке грунта и камня в плотины из грунтовых материалов (М., ВНИИ ВОДГЕО, 1978 г.).

8.5. Строительные работы по возведению плотины или дамбы хранилища намывом или укаткой влажного грунта необходимо проводить в теплое время года, создав емкость хранилища для зимнего замыва отходов производства обогащения руды.

8.6. Для сокращения затрат на возведение ограждающих дамб рекомендуется шире использовать рядовые вскрышные породы, доставляемые в тело дамбы при помощи техники, ведущей вскрышу и транспортирование отвальных пород. Вскрышные породы должны доставляться к месту укладки непосредственно из карьеров рудников, минуя перегрузочные пункты и временные отвалы.

8.7. Вскрышные породы при этом следует транспортировать из карьеров и укладывать в тело дамб без сортировки и ограничения по грансоставу. Однако их отсыпку необходимо вести зонированно, т.е. поперечный профиль дамб должен быть разбит на зоны, в каждую из которых укладываются вскрышные породы, разрабатываемые на определенных участках (горизонтах) карьера.

Размеры дамб и их конструктивных элементов устанавливаются с учетом их отсыпки горно-транспортными механизмами. Конструктивные схемы дамб-отвалов представлены на рис. 29. При проектировании и строительстве дамб-отвалов следует руководствоваться Инструкцией РСН 3 19-81.

Рис. 29. Схема замыва хранилищ

а - от плотины к берегу; б - от берега к плотине; в - кольцевая; г - комбинированная; 1 - хранилище; 2 - водосбросной колодец; 3 - пульповыпуски; 4 - магистральный пульповод; 5 - обогатительная фабрика; 6 - водосбросная труба; 7 - дамба (плотина); 8 - прудок-отстойник.

8.8. Строительство плотины или дамбы хранилища на промороженных слоях грунта или отходов и слоях снега не допускается, так как в противном случае образуются погребенные наледи, которые образуют вязкопластические деформации в оттаивающем слое, ведущие к нежелательным деформациям откосов. В этом случае необходимо предусмотреть предварительное гидравлическое оттаивание или же механическое удаление льда и снега.

8.9. В проекте производства работ следует обосновать необходимость каждого из видов работ, их объем, способы выполнения с учетом запаса высоты плотины или дамбы в соответствии с главой СНиП по проектированию плотин из грунтовых материалов.

8.10. При планировке гребня рыхлоотсыпанной насыпи должна быть обеспечена строительная высота плотины или дамбы, которая определяется с учетом запаса на осадку, учитываемую коэффициентами для рыхлоотсыпанного сооружения из глинистых грунтов и равную 1,15 - 1,2, супесчаных - 1,1 - 1,15, песчаных 1,05 - 1,1.

8.11. После окончания основных осадок гидросооружений и до заполнения водой хранилища рекомендуется применять обычные типы крепления гребня и откосов плотины и дамбы. Если необходимо крепить гребень и верховой откос до окончания основных осадок или он находится под водой, следует применять гибкие типы крепления: каменную и гравийно-галечниковую отсыпку, фашинные тюфяки, фашины и т.п.

В хранилищах, замываемых от вершины к дамбе, при заполнении их паводковыми и атмосферными стоками со значительной величиной площади зеркала воды верховой откос должен быть укреплен на 1 м ниже начального уровня воды в хранилище. В случае замыва хранилища от дамбы к вершине путем постепенного повышения отвала крепить верховой откос плотины или дамбы не следует. Типы крепления следует выбирать на основе технико-экономического сопоставления вариантов с учетом возможности выполнения его при максимальном использовании средств механизации.

СТРОИТЕЛЬСТВО ДАМБ ВТОРИЧНОГО ОБВАЛОВАНИЯ

8.12. После строительства дамб первичного обвалования, возводимых из местных грунтов, в основном из вскрышных пород, сооружаются вторичные дамбы обвалования намывом из отходов обогащения руды.

8.13. При проектировании и возведении дамб вторичного обвалования пользуются рекомендациями и конструкциями по технологическому намыву дамб обвалования, которые осуществляются в процессе эксплуатации хранилищ.

8.14. Высота дамб вторичного обвалования в процессе намыва отходов при двустороннем намыве с отложением тонкозернистых частиц в ядро должна быть не более 3 м, при этом должны соблюдаться технология рассредоточенного намыва, размеры заданных пляжей и толщина слоев, намываемых с каждой стороны (не более 1 м при одностороннем намыве дамб вторичного обвалования).

Выбор материалов для дамб вторичного обвалования производится на основе технико-экономических расчетов с учетом эксплуатационного режима. Материалом для дамб вторичного обвалования являются отходы обогащения руды и грунты вскрышной породы.

8.15. Первичная дамба обвалования замывается отходами 1-го яруса таким образом, чтобы крупные частицы отходов откладывались ближе к упорной призме, а мелкие частицы далее к прудку-отстойнику.

8.16. Наращивание хранилища дамбами вторичного обвалования производится после окончания намыва нижнего яруса и образования соответствующего пляжа. Пригодность отходов для этой цели и требование раскладки отходов определяются их зерновым составом: если содержание частиц диаметром мельче 0,074 мм меньше 60 % (по весу), то отходы следует намывать в дамбы без раскладки их по фракциям, если больше 60 %, то при возведении дамб из этих отходов следует применить раскладку их по фракциям гидроциклонами или делительными устройствами.

8.17. Ширину гребня вторичной дамбы, по которой предполагается укладка распределительных пульповодов, устанавливают с учетом диаметра и числа ниток распределительных пульповодов, возможности монтажа их и выпусков, а также с учетом строительных механизмов при производстве работ.

8.18. Ширину гребня вторичной дамбы обвалования, на которой не предполагается укладка распределительных пульповодов, определяется из условия продвижения строительных механизмов и машин с учетом требований главы СНиП по проектированию плотин из грунтовых материалов.

Каждый последующий ярус вторичной дамбы рекомендуется отсыпать от верховой бровки гребня предыдущего яруса в сторону хранилища, сохраняя гребень в качестве бермы.

8.19. Высота вторичной дамбы обвалования рассчитывается в зависимости от количества пригодного материала для ее возведения, необходимого для возведения яруса по всему периметру хранилища или его секции, достаточного объема, который должен обеспечить прием пульпы.

8.20. При проектировании и строительстве ограждающих плотин и дамб на вечномерзлых грунтах намывом отходов следует учитывать оттаивание на значительную глубину, так как в зависимости от сложения вечномерзлых грунтов и срока эксплуатации хранилищ глубины оттаивания будут разные. По двенадцатилетним наблюдениям, глубина основания на трех хранилищах составляла 12 - 15, 5 и 7 - 8 м. Температура основания до строительства составлял -2, -3 °С при эксплуатации - 1 - 2 °С температура тела дамбы -3, -5 °С.

8.21. Возведение дамб вторичного обвалования, как показала практика, экономически выгодно намывом отходов обогащения руды в процессе заполнения хранилища. В соответствии со схемой заполнения хранилища пульпу можно подавать в хранилище эстакадным, зенитным и безэстакадным способом. Выбор способа и схемы замыва хранилища зависит от производительности ГОКа. Так, например, при намыве отходов в хранилище свыше 5000 т/сут выгодно применять безэстакадный способ намыва отходов из торца пульповода, меньше 5000 т/сут выгоднее рассредоточенный способ намыва с малых эстакад.

СХЕМА ЗАПОЛНЕНИЯ ХРАНИЛИЩА ЗАМЫВОМ ОТХОДОВ

8.22. Схема заполнения и намыва хранилища устанавливается технологией организации работ в зависимости от зернового состава (крупности помола руды) отходов, производительности фабрики, объема, класса капитальности хранилища, климатических, топографических и геологических условий ложа.

8.23. Если содержание в отходах частиц диаметром крупнее 0,074 мм составляет менее 30 % и их недостаточно для возведения ограждающих дамб, то рекомендуется применять наливной тип хранилища с устройством дамбы на всю высоту гидроотвала из местных грунтов ступенями по очередям с соблюдением расчетного профиля дамбы, предусматривающего устойчивость сооружения при полной высоте. Замыв хранилища в этом случае производится любым способом, т.е. от плотины или дамбы (рис. 29, а) или к плотине или дамбе (рис. 29, б). Для повышения устойчивости дамбы замыв хранилища предпочтительнее осуществлять рассредоточенным способом от плотины или дамбы (рис. 30).

8.24. При содержании в отходах фракции диаметром крупнее 0,074 мм в достаточном количестве для образования ограждающей дамбы хранилище проектируется намывного типа. Это же условие действительно и при эксплуатации, и при дальнейшем наращивании дамбы хранилища.

Заполнение хранилища может производиться по четырем основным схемам:

от плотины и ограждающей дамбы к вершине (рис. 29, а);

от вершины или берега к плотине или дамбе (рис. 29, б);

по комбинированной схеме, когда одновременно или последовательно осуществляется заполнение как от плотины или дамбы, так и от берегов;

по кольцевой схеме для заполнения косогорных и равнинных хранилищ (рис. 29, в, г).

Рекомендуется два вида намыва пульпы в хранилище:

рассредоточенный (через отдельные выпуски) и сосредоточенный (через торец трубы).

8.25. Замыв от ограждающей дамбы (плотины) к вершине применяется при заполнении овражных хранилищ. Он выгоден при рассредоточенной подаче пульпы и отличается следующими достоинствами: использованием отходов для возведения дамб вторичного обвалования; возможностью надлежащего осветления пульпы; вводом в эксплуатацию дамб первичного обвалования, возведенных из дренирующего материала, без дренажа, без механического уплотнения, а в зимних условиях - с использованием мерзлого грунта.

8.26. Заполнение хранилища от вершины к дамбе (плотине) успешно используется при безэстакадной подаче пульпы с обогатительных фабрик большой производительности и при высоких темпах замыва. Без дополнительных организационных мероприятий этот способ можно применять в течение всего периода эксплуатации плотинного хранилища. При большом объеме овражного хранилища создаются благоприятные условия для осветления пульпы, для аккумуляции естественного стока и последующей разработки отходов в целях использования их в промышленности. Основной недостаток этого способа заключается в трудности использования отходов для возведения ограждающих дамб из-за значительной удаленности дамб отвала.

8.27. Комбинированный замыв применяют при большой длине овражного хранилища. Сочетая достоинства первых двух способов, он обеспечивает высокую интенсивность замыва, полное использование объема хранилища и т.д.

8.28. Кольцевой замыв, характеризующийся простотой и удобством в эксплуатации, успешно применяют в условиях косогорных и равнинных хранилищ.

Рис. 30. Схема одностороннего намыва хранилищ

1 - первичная дамба обвалования; 2 - граница упорной призмы; 3 - вторичные дамбы обвалования; 4 - пляж; 5 - прудок; 6 - канава; 7 - гидроотвал

Рис. 31. Схема двухстороннего намыва хвостохранилищ

1 - первичная дамба обвалования из вскрышных пород с обратным фильтром; 2 - граница упорной призмы; 3 - ядро; 4 - прудок-отстойник; 5 - пляж; 6 - распределительный пульповод; 7 - вторичные дамбы обвалования; 8 - коллектор; 9 - сбросный колодец; 10 - канава

Пульпа от магистрального пульповода подается в кольцо распределительного пульповода, смонтированного непосредственно на гребне ограждающих дамб или на эстакадах малой высоты. В распределительном пульповоде устроены выпуски, оборудованные трубами или лотками. Расстояние от одного выпуска до другого можно принимать равным 8 - 10 м. При постепенном возведении хранилища трубы или лотки укладываются по откосу ограждающих дамб от выпусков до уреза воды в прудке. Через отверстия в трубе или лотке крупные фракции выпадают на верховом откосе, создавая пляж, а мелкие фракции сбрасываются в прудок-отстойник через открытый торец трубы или лотка. После того как отвал поднимется к гребню дамбы первичного обвалования, из намытых отходов отсыпают дамбы вторичного обвалования, последовательно замывая ярусы хранилища перед ними. В связи с подачей пульпы на верховой откос профиль ограждающей дамбы усиливается и ее противофильтрационные свойства улучшаются.

Недостаток кольцевого способа заключается в значительной длине распределительных пульповодов и относительно большом объеме дамб на единицу складируемых отходов.

8.29. Заполнение хранилища по высоте может быть одноярусным и поярусным. В один ярус заполняют хранилища плотинного вида. Для поярусного заполнения хранилища используют дамбы первичного обвалования и дамбы вторичного обвалования, последовательно возводимые в процессе эксплуатации хранилища. При этом способе заполнения хранилища на объем отходов, намываемых в отвал, приходится сравнительно небольшой объем ограждающих дамб, что позволяет использовать отходы для возведения дамб вторичного обвалования.

8.30. Односторонний намыв отходов в дамбу или плотину (рис. 30) ведется только со стороны верхового откоса дамбы гидроотвала. Эта схема намыва рекомендуется тогда, когда исходный материал содержит фракции диаметром менее 0,074 мм не свыше 50 % по весу. При этой схеме намыва обеспечивается в пределах упорной призмы полное фракционирование материала по крупности и пористости по принципу обратного фильтра, что способствует лучшей устойчивости низового откоса.

8.31. Двухсторонний намыв дамб или плотин (рис. 31) ведется одновременно как с правой, так и с левой стороны. Эта схема рекомендуется при сравнительно небольшом объеме работ по намыву. Исходный материал должен содержать не менее 60 % фракций диаметром более 0,074 мм. При намыве поочередно с каждой стороны должно соблюдаться основное требование: урез воды прудка у противоположной от намыва стороны не должен переходить за середину пляжа при двухстороннем намыве, при этом должна соблюдаться расчетная ширина пляжа, обеспечивающая устойчивость дамбы (см. разд. 6).

Для проектирования отложения пылевато-глинистых фракций в местах сопряжения дамбы с бортами хранилища намыв следует вести таким образом, чтобы отстойный пруд не распространялся на боковые зоны хранилища.

Двухсторонний намыв требует в 2 раза больше крупнозернистого материала, чем односторонний. В случае недостаточного количества крупнозернистого материала необходимо применять разделение фракций по крупности на классификаторах. При необеспеченности строительства крупными фракциями отходов может оказаться целесообразным также комбинированный профиль упорной призмы, включающий как намывные отходы, так и другие местные строительные материалы, которые тоже намываются.

8.32. При большой площади хранилища и высокой производительности обогатительной фабрики схема заполнения хранилища должна включать в себя разбивку территории пляжа на технологические карты и намыв осуществляется картовым способом. Разбивка на карты разрабатывается при составлении проекта организации работ по возведению сооружений хранилища.

8.33. Кроме одно- и двухстороннего намыва может найти применение пионерно-торцевая схема для замыва нижнего подводного яруса внешней призмы дамбы, а также для намыва оснований под разделительные Дамбы и дамбы для прокладки магистральных пульповодов. Замыв нижнего, подводного яруса внешней призмы должен производиться только крупными фракциями отходов, содержание частиц диаметром более 0,074 мм должно составлять не менее 60 %.

Пионерно-торцевая схема для замыва основных емкостей хранилища не рекомендуется из-за невозможности получения при раскладке крупных фракций в упорной призме и обеспечения ее устойчивости.

ПОДАЧА ПУЛЬПЫ ДЛЯ НАМЫВА ОТХОДОВ В ХРАНИЛИЩА

Намыв отходов с эстакад малой высоты

8.34. Замыв хранилищ отходами с эстакад малой высоты можно производить при любом объеме подаваемой пульпы (рис. 32). При этом способе подачи пульпы на гребне плотины и дамбы или на дамбе первичного обвалования, или на их откосах (на расстоянии 8 м от подошвы) монтируют деревянную эстакаду высотой до 2,0 - 2,5 м, на которой прокладывают трубы пульповода. В трубах устраивают выпуски на расстоянии от 6 до 12 м один от другого, расстояние между которыми увеличивается с уменьшением диаметра частиц отходов. Из выпусков пульпу принимают в лотки, обычно деревянные. Под каждые 4 - 5 выпусков устраивают один приемный поток. Из приемного лотка пульпу отводят по распределительным лоткам, уложенным по откосу на легких деревянных опорах, в прудок-отстойник. Распределительные лотки располагают через 24 - 30 м один от другого.

Для выпуска пульпы и раскладки отходов по откосу в лотках устраивают отверстия. Эти отверстия размещаются в зависимости от крупности подаваемых отходов в консистенции пульпы. Замыв хранилища производят через 4 - 5 одновременно работающих выпусков при открытом конце пульповода. По мере намыва отвала выпуски перекрывают и открывают следующие по ходу пульпы выпуски, через которые и подают пульпу. В случае применения оборотного водоснабжения прудок-отстойник хранилища до замыва отходов заполняют водой, а пульпу подают к урезу воды в нем.

Рис. 32. Схемы замыва хранилища с эстакад малой высоты

1 - дамба первичного обвалования; 2 - пульповод на эстакаде; 3 - лоток; 4 - первый ярус замыва; 5 - опоры лотка; 6 - второй ярус замыва; 7 - третий ярус замыва; 8 - второе положение пульповода

Различают две стадии замыва хранилища по высоте: первая - от основания до гребня дамбы первичного обвалования (при этом хвостовую пульпу подают по лоткам, звенья которых по мере повышения отвала постепенно снижают); вторая - выше гребня дамбы первичного обвалования. На этой стадии из отходов, отложившихся на пляже, с помощью бульдозера или экскаватора отсыпают ограждающие дамбы вторичного обвалования, за которые затем намывают отходы.

Когда поверхность отвала поднимается к выпускам, пульповод и эстакаду демонтируют, снижая насадки и выдергивая с помощью крана стойки. Очередной ярус дамбы вторичного обвалования отсыпают с увеличенной шириной гребня, монтируя на нем эстакаду для пульповода. С этой эстакады замывают новую ступень хранилища.

Подача пульпы с высоких эстакад

8.35. При большой интенсивности нарастания отвала, когда требуется частая перестановка эстакад малой высоты, а также частый демонтаж и монтаж пульповода, целесообразнее устраивать эстакады значительной высоты. Организация замыва хранилища с эстакад большой высоты аналогична описанной выше для эстакад малой высоты. По мере повышения отвала горизонтальные и наклонные элементы эстакады постепенно удаляют. Стойки эстакады оставляют в отвале.

Подача пульпы зенитным способом с подкладок

8.36. Зенитный способ подачи пульпы рекомендуется применять при небольшом выходе отходов (небольшой интенсивности нарастания отвала хранилища) и при небольшой высоте отвала (менее 12 м в год). При этом способе также различают две стадии замыва хранилища:

первая - на гребне дамбы первичного обвалования на подкладках (или на эстакаде малой высоты) монтируют распределительный пульповод с выпусками в виде труб, размещаемыми на расстоянии 6 - 13 м один от другого. Выпуски оборудуют затворами, обычно клапанными. В трубах выпусков устраивают сбросные отверстия диаметром 50 мм. Замыв хранилища до гребня дамбы первичного обвалования в порядке, аналогичном описанному для подачи пульпы с эстакад малой высоты;

вторая - когда поверхность отвала достигнет гребня дамбы первичного обвалования, из отходов отсыпают дамбу вторичного обвалования. Затем к выпускам присоединяют трубы диаметром 200 мм, располагая их под углом, соответствующим углу низового откоса дамбы, с таким расчетом, чтобы открытый торец их выходил за гребень дамбы вторичного обвалования (рис. 33). Подавая через торец трубы пульпу, замывают ярус хранилища перед дамбой вторичного обвалования. Пульпу можно подавать на пляж с помощью лотка. Затем на намытых отходах возводят следующий ярус дамбы вторичного обвалования из отходов и замывают перед ней очередной ярус хранилища, так продолжают намыв до тех пор, пока отвал поднимается на 8 - 10 м выше гребня дамбы первичного обвалования.

Рис. 33. Схема замыва хранилища зенитным способом

1 - распределительный пульповод; 2 - стальная труба выпуска; 3 - деревянная или стальная груба; 4 - дамба вторичного обвалования, отсыпанная из отходов; 5 - фанерная труба пульповода; 6 - второе положение распределительного пульповода; 7 - начальный уровень воды; 8 - насыпная дамба первичного обвалования

На этом уровне отвала отсыпают из отходов дамбу с уширенным гребнем, на котором на подкладках (или на эстакаде малой высоты) вновь монтируют распределительный пульповод. Затем, последовательно присоединяя звенья труб диаметром 200 мм, постепенно удлиняют их таким образом, чтобы общая высота новой ступени снова достигла величины 8 - 10 м, повторяя все операций по замыву отходов и возведению очередного яруса дамб вторичного обвалования.

Из распределительного пульповода пульпу одновременно подают через 3 - 4 выпуска, остальные выпуски при этом закрывают запорами. Намыв слой отходов толщиной 20 - 30 см, затворы этих выпусков закрывают, а затворы следующих 3 - 4 выпусков по ходу пульпы открывают, и так продолжают до конца замываемого участка.

Применение зенитного способа подачи пульпы на обогатительных фабриках ограничено в связи с характерными для него большими потерями напора.

Подача пульпы в хранилище рассредоточенным способом с наклонных лаг

8.37. Рассредоточенный способ (рис. 34) рекомендуется для ГОКов, сбрасывающих небольшое количество отходов - до 5000 т/сут при данном способе намыва расход пульпы по карте осуществляется малыми порциями через малые отверстия, расположенные друг от друга на расстоянии 5 - 8 м. Замыв хранилища по этому способу производится в две стадии.

I - производят замыв первой зоны емкости перед дамбой первичного обвалования описанным ранее способом. Распределительный пульповод из старых или фанерных труб диаметром 250 - 400 мм монтируют вдоль гребня ограждающей дамбы первичного обвалования на лагах, уложенных на сваи или стойки, забитые на расстоянии 4 - 6 м от другой, под углом соответствующим углу низового откоса дамб вторичного обвалования. Трубы закрепляют на лагах с помощью упоров. В распределительном пульповоде через 1 - 1,5 м по его длине просверливают отверстия диаметром 40 - 50 мм. Пульпу подают через 15 - 20 таких отверстий, при этом наиболее крупные фракции отходов выпадают вблизи отверстий и создают пляж. Мелкие же фракции с потоком пульпы переносятся в прудок-отстойник хранилища;

Рис. 34. Схема замыва хранилища рассредоточенным способом с наклонных лаг

1 - наклонные лаги; 2 - сваи; 3 - последовательное положение распределительного пульповода; 4 - дамбы вторичного обвалования, отсыпаемые из отходов; 5 - замыв отходами обогащения руды дамбы первичного обвалования; 6 - дамба первичного обвалования

II - после того, как поверхность отвала отходов поднимется до гребня дамбы первичного обвалования, на отвал отсыпают дамбу вторичного обвалования. С нее продолжают замыв хранилища до тех пор, пока отвал поднимется к выпускам распределительного пульповода и возникнет необходимость поднять его. Забивая очередной ряд свай и укладывая лаги выше по откосу, передвигают по ним пульповод одновременно по всей его длине.

К достоинствам этого способа относятся возможность передвижения распределительного пульповода без перерывов в процессе подачи пульпы и проведения всех работ по отсыпке дамб вторичного обвалования, монтажу пульповода и его передвижению средствами малой механизации.

Подача пульпы безэстакадным способом

8.38. Безэстакадный способ замыва (рис. 35) хранилища характеризуется простотой применения и рекомендуется при интенсивной подаче отходов (свыше 5000 т/сут), а также при большой емкости и длине хранилища. Замыв происходит успешно при высокой консистенции пульпы. Пульпа подается в отвал непосредственно из торца трубы, уложенной на поверхность отвала. В связи с сосредоточенной подачей пульпы мероприятия по улучшению раскладки отходов и по отбору крупных фракций по фронту отсыпки дамб вторичного обвалования не могут проводиться, поэтому использование отходов для возведения ограждающих дамб вторичного обвалования возможно лишь при поступлении с обогатительной фабрики отходов значительной крупности (частиц менее 0,074 мм меньше 60 %). При наличии исследований раскладки отходов при намыве разрешается использовать отходы более тонкого помола.

Время обезвоживания отходов, обеспечивающее проходимость механизмов по отвалу, уточняют по лабораторным исследованиям и указывают в местной инструкции.

Намыв отходов перед дамбой первичного обвалования и перед дамбами вторичного обвалования производят с помощью одних и тех же организационных приемов.

Ограждающие дамбы вторичного обвалования возводят с помощью бульдозера или грейфера из отходов, намытых на пляже, если их крупность не менее указанной выше.

Распределительный пульповод монтируют последовательно из звеньев стальных труб, используя быстроразъемное соединение. В процессе подачи пульпы наращиваемое звено поддерживают краном в несколько наклонном положении, обеспечивая превышение переднего конца звена над поверхностью намыва на 50 см.

Через торец крайнего звена пульповода подают пульпу до тех пор, пока поверхность отложений отходов не подойдет к подошве деревянного бруса, на котором покоится в горизонтальном положении предыдущее звено.

На намытые отходы кладут брусья, а на них укладывают горизонтальное звено пульповода, находившееся до этого в наклонном положении, и цикл повторяют: присоединяют к горизонтальному звену новое, поддерживая его в наклонном положении, подают пульпу через открытый торец до предела, указанного выше, и т.д.

Постепенно наращивая пульповод до конца намываемого участка, меняют направление намыва и, отступая последовательно, снимают звенья пульповода. Поднимая и поддерживая в наклонном положении конечное звено, убирают лежащие под ним брусья и намывают отходы до нижнего края следующего звена, лежащего на подкладках, и т.д. до начала намываемого участка.

Звенья присоединяют и снимают в процессе непрерывной подачи пульпы. Монтаж и демонтаж звеньев производят с помощью гусеничного крана грузоподъемностью 3 - 5 т.

Рис. 35. Схема замыва хранилища сосредоточенным безэстакадным способом

1 - дамба первичного обвалования; 2 - дамбы вторичного обваливания; 3 - отложение отходов

Способом безэстакадной подачи пульпы замывают и карьерную выработку. Распределительный пульповод при этом укладывают непосредственно на намытые отходы, постепенно наращивая его отдельными звеньями, начиная от магистрального пульповода, уложенного вдоль выработки.

8.39. Для уточнения схемы замыва и расчетных характеристик намываемых отходов (грансостав исходных отходов, раскладка отходов по фракциям на пляже и в прудке, объемный вес скелета, пористость, удельный вес, угол внутреннего трения, сцепление, коэффициент фильтрации и т.п.) рекомендуется выполнять опытный намыв, привлекая специалистов научно-исследовательского института. По результатам опытного намыва в случае необходимости нужно корректировать схемы замыва хранилища.

8.40. При опытном намыве необходимо подобрать оптимальные схемы сброса и конструкцию выпусков, при которых крупные фракции отходов будут откладываться непосредственно у откоса ограждающей дамбы. Для сброса мелких фракций отходов в глубь хранилища рекомендуется в конце серии выпусков устраивать специальные выпуски длиной 50 - 60 м.

Примечание. Наиболее благоприятные условия для раскладки отходов по фракциям достигаются при намыве пляжа сериями выпусков диаметром, равным 0,1 - 0,3 диаметра распределительного пульповода, при расстоянии между ними 5 - 20 м. Длина выпусков должна быть минимальной, чтобы пульпа падала у подошвы верхового откоса ограждающей или вторичной дамбы.

8.41. Для эффективного управления сбросом пульпы и поддержания заданного режима раскладки отходов на распределительных пульповодах после каждой серии выпусков и на всех выпусках должны быть установлены шиберные задвижки или другая запорная арматура.

КАРТОВЫЙ НАМЫВ ОТХОДОВ

8.42. При большой протяженности дамб односторонний намыв отходов мелкого помола не обеспечивает опережения роста пляжей над ростом уровня воды и создания пляжей на всей длине дамб.

8.43. При одностороннем картовом намыве дамб карты ограждаются дамбочками, а намыв ведется со стороны низового откоса дамбы в сторону хранилища (рис. 36, 37).

Эта схема намыва может применяться, когда исходная пульпа содержит фракции хвостов диаметром менее 0,074 мм не выше 70 %, но при этом количество глинистых частиц не должно быть более 20 %. При такой схеме картового намыва темп возведения дамб выше в 2 - 3 раза, чем при одностороннем намыве.

8.44. Весь фронт намыва должен быть разделен на карты по числу магистральных пульповодов, подающих пульпу в хранилище. В зависимости от количества исходных отходов и необходимого темпа наращивания длина участков задается равной 600 - 100 м. Участки делятся на карты, число которых должно быть не меньше двух, одна из них замывается, вторая строится. Размер карты по фронту намыва рекомендуется принимать в пределах 200 - 400 м.

Рис. 36. Конструктивная схема дамбы-отвала

а - с верховой частью из скальных пород или любых пород; б - с верховой частью из нескальных пород; в - с ядром; г - с экраном; д - с зонированной отсыпкой пород в упорную призму; 1 - нескальные породы; 2 - скальные породы; 3 - любые породы; 4 - пульповоды; 5 - экран; 6 - дренажная канава-коллектор; 7 - кровля водоупора; 8 - отводящий коллектор дренажа; 9 - дренажная канава первого года эксплуатации, превращаемая во внутренний дренаж дамбы на последующих этапах наращивания; 10 - переходный слой; 11 - горизонтальный дренаж; I - V - ярусы намыва хвостов

Рис. 37. Наращивание ограждающих дамб хвостохранилищ односторонним намывом карт

а - план; б - разрез; 1 - внешняя дамбочка; 2, 3 - внутренняя и разделительная дамбочки; 4 - магистральный пульповод; 5 - концевой выпуск; 6 - выпуски на карту; 7 - водосбросы

8.45. Каждый магистральный пульповод должен оканчиваться концевым выпуском того же диаметра, выведенным в хранилище за пределы карты на длину не менее 2 м от подошвы внутренней дамбочки. Этот выпуск следует укладывать на разделительной дамбе между соседними участками намыва.

8.46. Подача пульпы в карты осуществляется через выпуски, ввариваемые в нижнюю часть магистрального пульповода.

В соответствии с имеющимся опытом рекомендуется принимать:

диаметр выпусков не менее 0,4 диаметра магистрального пульповода;

расстояние между выпусками не более 150 их диаметров;

расстояние выпуска от разделительной дамбочки не менее 20 его диаметров;

конец выпусков располагать не ближе 2 м от подошвы откоса.

Выпуски оборудуются запорной аппаратурой.

8.47. Длина карт на первом ярусе намыва максимальная и определяется из необходимого для устойчивости проектируемой дамбы заложения откосов. По мере роста в высоту длина карт уменьшается, за счет чего следует увеличивать фронт намыва. Длину карт на последнем ярусе намыва не рекомендуется принимать менее 30 м.

8.48. Карты представляют прямоугольные в плане участки хранилища, ограниченные со всех сторон дамбочками. Дамбочки разделяются на три типа: внешние, образующие низовой откос дамбы; внутренние, формирующие ее верховой откос; разделительные - между картами намыва. Наиболее ответственные из них - внешние, являющиеся основной частью упорной призмы, поэтому их материал должен быть устойчив к действию воды и перемены температур, а коэффициент фильтрации - больше коэффициента фильтрации намываемых в карту отходов.

Внутренние и разделительные дамбочки могут отсыпаться из любого местного грунта. В необходимых случаях их откосы закрепляются от размыва скальными грунтами вскрыши рудного места. Внутренние дамбочки желательно возводить из грунтов с большим коэффициентом фильтрации (скальные грунты вскрыши, песчаные отходы); коэффициент фильтрации разделительных дамбочек не должен быть больше коэффициента фильтрации намываемых в карту отходов.

Ширина поверху внутренних и разделительных дамбочек должна обеспечить безопасный проезд и разъезд самосвалов. На гребне внешних дамбочек необходимо оставить место также для укладки пульповодов, с помощью которых будет вестись замыв карт. Коэффициент заложения откосов внутренних и разделительных дамбочек может приниматься равным углу естественного откоса грунта, внешних дамбочек исходя из проектного очертания низового откоса дамбы.

Высоту внешних дамбочек рекомендуется принимать равной 3 - 5 м, а высоту внутренних и разделительных - в два раза меньше. Таким образом, по высоте сооружение должно разбиваться на этапы намыва, соответствующие высоте внешних дамбочек, а каждый этап в свою очередь должен быть разделен на два яруса намыва.

8.49. Для отвода с карт в хранилище воды, содержащей глинистые и суглинистые фракции отходов, в теле внутренних ограждающих дамбочек устраиваются водосбросы, состоящие из приемного оголовка и отводящей трубы.

Пропускная способность сбросов должна обеспечивать практически беспрудковый замыв карт при подаче на них максимального расхода пульпы. Глубина воды в конце карт не должна превышать 0,3 м.

Высоту шандор, с помощью которых перекрываются отверстия приемных оголовков, следует задавать в пределах 0,15 - 0,20 м.

Рекомендуется в соответствии с имеющимся опытом принимать:

количество водосбросов на один меньше числа выпусков, но не менее двух (расстояние между водосбросами 70 - 100 м);

каждый водосброс рассчитывать на пропуск 70 % расхода, сбрасываемого на карту;

минимальное расстояние водосброса от разделительной дамбы - 10 м;

подтопление отводящей трубы водосброса со стороны хранилища допускается до оси трубы.

Уклон намытых в карты отходов при консистенции исходной пульпы Т:Ж = 1:15 - 1:20 и в зависимости от расхода - 0,015 - 0,01.

8.50. При проведении намыва следует соблюдать два основных условия: глубина воды в конце карты не должна превышать 0,3 м; наиболее мелкие фракции отходов должны сбрасываться в хранилище через концевой выпуск.

Для обеспечения второго условия расход пульпы через концевой выпуск должен составлять примерно 20 % общего расхода при содержании в исходных отходах глинистых частиц в пределах 10 % и 40 % при содержании этих частиц - 20 %.

8.51. Качество отходов в среднем по карте допускается следующее:

dср.в ³ 0,1 мм;

частиц d £ 0,074 мм < 50 %;

частиц d £ 0,009 мм < 5 %.

В зоне водосброса допускается следующее количество отходов:

dср.в ³ 0,05 мм;

d £ 0,076 мм < 70 %;

d £ 0,005 мм < 7 %.

В соответствии с имеющимся опытом намыв рекомендуется вести таким образом, чтобы на картах откладывалось не менее 10 % частиц крупнее 0,074 мм, находящихся в исходной пульпе.

8.52. При расчете устойчивости верхового, откоса дамбы следует учитывать пригрузку откоса отходами, которые откладываются за картами.

8.53. В зимний период времени при температурах воздуха ниже 10 °С допускается замыв карт только выпусками, работающими полным сечением; при дальнейшем понижении температуры в случае образования на карте в районах сбросных колодцев льда толщиной более 0,1 м картовый намыв должен быть остановлен до начала повышения температуры.

ВЫБОР РАЦИОНАЛЬНЫХ СХЕМ УДАЛЕНИЯ И СКЛАДИРОВАНИЯ ОТХОДОВ (ХВОСТОВ) ОБОГАТИТЕЛЬНЫХ ФАБРИК

8.54. Удаление и складирование отходов (хвостов) обогащения может производиться по схемам, приведенным на рис. 38.

8.55. В схеме 1 хвостовое хозяйство неразрывно связано с технологической линией обогащения, поэтому во избежание остановок фабрики вся система требует высокой степени резервирования.

Для обогатительной фабрики, имеющей большие расходы разработанной пульпы (Т:Ж = 1:15 ¸ 1:30) и значительные расстояния перекачки, система по схеме 1 металлоемка, энергоемка и сложна в эксплуатации как при транспортировании хвостов по пульпопроводам большого диаметра, так и при складировании их в хвостохранилище. Данная схема целесообразна при небольших производительностях обогатительных фабрик, большей консистенции пульпы и незначительном ее транспортировании. Осветленная вода в схеме 1, 2, 3, 4, 5 и 6 возвращается на обогатительные фабрики для повторного использования.

8.56. При увеличении объема транспортируемой пульпы, малой ее консистенции, удалении хвостохранилища от обогатительных фабрик целесообразно сгущать пульпу, а затем транспортировать ее в хвостохранилище (схема 2 и 3).

8.57. Наличие буферного пруда в схеме 2 целит единую систему обогащения руды и удаления хвостов на две независимые, и этим значительно повышает степень безаварийной работы фабрики. Необходимость резервирования на участке «буферный пруд-хвостохранилище» отпадает или сводится до минимума. Сгущение пульпы в буферном пруду приводит к уменьшению количества насосного оборудования, диаметра трубопроводов, сокращению расхода электроэнергии, улучшению условий намыва пляжей и ограждающих дамб. Облегчается эксплуатация гидроудаления пульпы. При реконструкциях хвостовых хозяйств ГОКов в качестве буферного пруда можно использовать хвостохранилище, заполнение которого завершается, при этом существующая система удаления пульпы с фабрики сохраняется.

8.58. Буферный пруд располагается вблизи обогатительной фабрики. Он выполняет роль сгустителя пульпы и осветлителя воды, пруда оборотного водоснабжения, резервной и регулирующей емкости для аварийного складирования хвостов обогащения и осветленной воды. Объем буферного пруда определяется по формуле

W = 0,5T/gск,

где Т - выход отходов, т/год; gск - плотность сухих отходов, т/м3.

Буферный пруд рекомендуется устраивать многокамерным с количеством камер, равным удвоенному числу рабочих земснарядов. Камеры замываются и расчищаются земснарядами поочередно. Оптимальную глубину буферных прудов рекомендуется принимать равной 10 м. Схемы компоновки буферных прудов представлены на рис. 39.

8.59. Применение радиальных отстойников в схеме 3 приводит к сокращению расхода электроэнергии, уменьшению количества оборудования и диаметров трубопроводов на участке от радиальных отстойников до хвостохранилища, улучшению условий складирования хвостов, при этом хвостовое хозяйство остается жестко связанным с системой обогащения руды, что требует высокой степени резервирования всех его сооружений. По технико-экономическим показателям схемы 2 и 3 близки между собой.

Рис. 38. Возможные схемы удаления и складирования хвостов обогащения

Г - обогатительная фабрика; X - хранилища; Б - буферный пруд; Р - радиальные отстойники; П - площадки обезвоживания; О - отвалы обезвоженных отходов; Ф - вакуум-фильтры; И - гидротранспорт исходной пульпы отходов; С - гидротранспорт сгущенной пульпы; В - возврат осветленной воды; Е - гидротранспорт фильтрата на доосветление; М - механический транспорт обезвоженных отходов

Рис. 39. Схемы компоновки буферных прудов

1 - обогатительная фабрика; 2 - рабочие и резервные камеры; 3 - отстойник осветленной воды; 4 - причалы; И - гидротранспорт исходной пульпы; С - гидротранспорт сгущенной пульпы

8.60. В схемах 2 и 3 следует стремиться к подаче пульпы от обогатительной фабрики к буферному пруду или радиальным отстойникам самотеком, так как в этом случае эксплуатационные преимущества этих схем значительно возрастают.

8.61. Схемы 5 и 6 сложны в эксплуатации, так как сооружения обезвоживания представляют собой фабрику со сложным оборудованием, для обслуживания которого требуется большое число высококвалифицированного персонала. Основным недостатком схем 4, 5, 6 является то, что удаление сухих хвостов механическим транспортом и отвалообразование (кроме того, в схеме 4 и обезвоживание на дренажных площадках) сопровождается пылением, что приводит к загрязнению окружающей среды. Эффективных мер борьбы с пылением пока нет.

8.62. На предпроектной стадии для решения вопроса о предварительном выборе схем хвостового хозяйства можно использовать данные рис. 40, на котором приведены области предпочтительных схем, а также данные рис. 41, где дано сопоставление приведенных затрат для схем 1 - 6 в зависимости от дальности транспортирования, количества хвостов, расхода и консистенции пульпы. При этом принималось, что расстояние от обогатительной фабрики до площадки сгущения или обезвоживания равно 1 км, а геодезические отметки хранилища, площадок сгущения или обезвоживания фабрики равны.

Описание: Описание: 1

Рис. 40. Области предпочтительных схем отходов обогащения руды

1 - схема 1; 2 - схемы 2 и 3; 3 - схемы 2, 3, 4, 5, 6.

8.63. Для оценки технико-экономических показателей схем с гидравлическим транспортом можно также использовать уравнения регрессии для приведенных затрат, учитывающие топографию местности, степень сгущения пульпы в отстойнике, удаленность площадок сгущения и хранилища от обогатительной фабрики, расход и консистенцию исходной пульпы.

Уравнения регрессии имеют вид:

для схемы 1

Sприв = 3385300 + 1225Qт - 75468×1/Т:Ж - 7209Нг - 54360L +

+ 232Qт×1/Т:Ж + 7Qт Нг + 379Нг×1/Т:Ж + 129QтL + 8171L×1/Т:Ж + 225HгL,

где Qт - выход твердых хвостов, т/ч; T/Т:Ж - величина, учитывающая весовое содержание воды в пульпе; Нг - разность геодезических отметок обогатительной фабрики и хранилища, м; d - расстояние между фабрикой и хранилищем, км;

для схемы со сгущением

где Qт - выход твердых хвостов, т/ч; 1/Т:Ж - величина, учитывающая весовое содержание воды в исходной пульпе; 1/Т:Ж1 - то же, в сгущенной пульпе;  - разность геодезических отметок между обогатительной фабрикой и площадкой сгущения, м;  - разность геодезических отметок площадки сгущения и хранилища, м; L1 - расстояние между фабрикой и сгустителями, км; L2 - расстояние между фабрикой и хранилищем, км.

Рис. 41. Зависимости для сопоставления схем по приведенным затратам

8.64. Анализ приведенных выше схем позволяет дать следующую сравнительную оценку некоторых показателей схем хвостового хозяйства.

При расходах пульпы 5000 - 50000 м3Т:Ж исходной пульпы составит 1:20 - 1:30 и расстоянии от ОФ до хранилища более 3 км рекомендуются схемы 2 и 3. В случае Т:Ж = 1:10 схемы со сгущением пульпы целесообразны при удалении хранилища более 5 - 7 км.

При Т:Ж исходной пульпы, равной 1:20 (типичная консистенция пульпы современных ГОКов), и расстояниях транспортирования порядка 3 - 4 км расход металла в схемах 2 и 3 ниже по сравнению со схемой 1 в среднем на 25 - 30 %, а при увеличении расстояния до 11 км эта разница возрастает до 35 - 50 %. Расход электроэнергии уменьшается соответственно при 3 - 4 км на 30 - 40 %, а при 11 км - на 35 - 45 %. Уменьшаются и приведенные затраты: при расстоянии транспортирования пульпы 3 - 4 км на 15 - 20 %, а при увеличении расстояния до 11 км - на 25 - 30 %.

При консистенции исходной пульпы Т:Ж = 1:30 в схемах 2 и 3 расход металла по сравнению со схемой 1 уменьшается на 35 - 40 %, расход электроэнергии - на 30 - 45 % (расстояние транспортирования 3 - 4 км). При удаленности хранилища на 11 км расход металла уменьшится на 45 - 60 %, расход электроэнергии - на 40 - 50 %, приведенные затраты - на 30 - 40 %.

8.65. На стадии проекта для технико-экономической оценки различных схем гидроудаления отходов, а также определения оптимальных технических параметров отдельных элементов системы (пульповодов, насосного оборудования, водоводов осветленной воды, режимов их работы, металлоемкости), их стоимостных показателей (капитальных, эксплуатационных затрат, расхода электроэнергии; рекомендуется пользоваться пакетом программ, разработанным на алгоритмическом языке АЛГОЛ, автором и держателем которого является Харьковский отдел ВНИИ ВОДГЕО.

РАСКЛАДКА ОТХОДОВ (ХВОСТОВ) В ХРАНИЛИЩЕ ПРИ РАЗНЫХ СПОСОБАХ ЗАМЫВА

8.66. При намыве в хранилище происходит естественная и при необходимости искусственная раскладка отходов. Естественная происходит, когда пульпа подается без специальных устройств для раскладки отходов по фракциям. Искусственная раскладка отходов по фракциям производится с помощью устройств, указанных в настоящем разделе.

8.67. Раскладку отходов производят для возведения дамб вторичного обвалования из наиболее крупных фракций; промышленного использования отходов с повышенным содержанием ценных компонентов или как строительных материалов для строительства дорог и зданий и т.п.

8.68. Искусственную раскладку отходов можно осуществлять давлением пульпы в пульповоде, направляя нижнюю часть с преобладанием содержания крупных фракций на пляж, а верхнюю часть потока с мелкими фракциями - в прудок-отстойник.

Если хвосты мелкие и сильно разжиженные, то следует применять гидроциклоны, если отходы намываются с большим расходом, то применяют пульподелители.

8.69. Фракционирование отходов, намываемых вдоль пляжа, можно определить по графику, приведенному в разд. 4, или подсчитать по формуле, имеющей следующий вид:

                                            (63)

где сп - коэффициент шероховатости дна и бортов «канав», образованной движением пульпы; i - уклон дна «канавы», равный h/x; h - глубина потока в «канаве»; х - проекция длины «канавы», которой определяется та или иная крупность намытых отходов; gв - плотность воды; gо - плотность частиц отходов; L - расстояние по дну канав; tgj - коэффициент трения частицы о частицу, равный 0,1.

8.70. Раскладку отходов по внешней призме при намыве дамб или плотин можно рассчитать по методике, предложенной В.А. Мелентьевым и приведенной в Рекомендациях по намыву шламов (хвостов) в плотины и дамбы шламохранилищ, железорудных горно-обогатительных комбинатов (Киев. НИИСП Госстроя УССР, 1967).

ЭКСПЛУАТАЦИЯ ХРАНИЛИЩ

8.71. После завершения строительства гидротехнических сооружений хранилища любого типа должны быть приняты к эксплуатации приемной комиссией, состоящей из заказчика, подрядчика, представителя проектной организации, санитарной службы, водной инспекции и других заинтересованных организаций. Приемка должна производиться на основе рабочих чертежей проектных материалов, актов скрытых работ, данных лабораторного контроля, характеризующего качество строительных работ, осмотр в натуре гидротехнических сооружений, документации, составленной предприятием и строительной организацией с учетом нормативно-технического материала.

При решении общих вопросов эксплуатации гидротехнических сооружений хранилища рекомендуется использовать Типовую инструкцию по эксплуатации хвостовых хозяйств обогатительных фабрик.

8.72. При составлении проекта хранилища любого типа должно уделяться внимание эксплуатации гидротехнических сооружений, для чего рекомендуется организовать специальный цех «Технического контроля хранилища отходов ГОКа». В проекте должны быть предусмотрены соответствующие штаты, помещение, механизмы, оборудование и организация работ по эксплуатации хранилища.

8.73. Земляная плотина или дамба (наливного типа хранилища), возведенные сразу на проектную высоту или очередями, после завершения строительства должна выполнять роль напорного сооружения, обеспечивающего устойчивость и непроницаемость сточной жидкости из хранилища.

8.74. При заполнении наливных хранилищ намывом отходов по схеме от плотины или дамбы к берегам пульповодами, уложенными по гребню насыпи, нельзя допускать утечки пульпы или воды из пульповода на низовой откос.

8.75. В период эксплуатации наливного хранилища необходимо периодически производить осмотр состояния покрытий откосов и гребня плотины или дамбы от размыва дождевыми и талыми водами, а в случае неудовлетворительного состояния сооружения производить соответствующие профилактические мероприятия.

8.76. Наряду с разработкой чертежей гидротехнических сооружений хранилища проектной организацией должен быть составлен проект организации работ по эксплуатации сооружений хранилища, в который должны входить: схемы и чертежи заполнения хранилища или его части с учетом использования отходов в случае наращивания плотины или дамбы; графики заполнения хранилища в различное время года; мероприятия по борьбе с пылением намытых отходов на пляжах и откосах, по подготовке гидротехнических сооружений к зимней эксплуатации и пропуска весеннего паводка; проекты и сметы на организацию контрольно-измерительной аппаратуры; инструкции по контролю за состоянием гидротехнических сооружений хранилища и их ремонту; данные о потребности в воде, электроэнергии, строительных материалах и других наиболее важных для эксплуатации хранилищ ресурсах; проекты и сметы на вспомогательные сооружения (подъездные дороги, электроосвещение, телефонная или радиосвязь, служебные помещения для работников, обслуживающих хранилище, контрольная лаборатория и др.), их водоснабжение и канализация, состав механизмов, оборудование передвижных мастерских, транспорт для эксплуатации сооружений хранилища, штаты эксплуатационного персонала и контрольной лаборатории, проекты и сметы на расстановку КИА, инструкция по наблюдению за состоянием сооружений хранилища и их ремонту, сметы и графики на авторский надзор со стороны проектной организации.

8.77. При эксплуатации хранилищ наливного и намывного типов запрещается: производить работы (сварка, сверление), связанные с ремонтом пульповодов и арматуры, находящихся под давлением; ремонт движущихся частей и ограждений при работе машин и агрегатов, а также смазку действующих машин без специальных приспособлений; хождение по территории хранилища посторонним лицам, купание в отстойных прудах, хождение по льду, использование воды хранилища для хозяйственных целей и водопоя животных; без специального инструктажа посылать людей для осмотра и ремонта коллекторов, имеющих внутренний диаметр менее 1,5 м; спуск людей в колодец без привязанного страховочного пояса, трос которого надежно закреплен на поверхности.

8.78. Запрещается без обоснования заполнять аварийные емкости хранилища, предназначенные для аккумулирования паводков и отходов на период ремонтных работ.

8.79. Замечания службы контроля о нарушениях сплошности тела плотины или дамбы, возникших в результате неравномерных деформаций, должны быть немедленно ликвидированы.

8.80. При аварийной ситуации для немедленного принятия мер по ликвидации последствий на хранилище должен находиться запас строительного материала и инструментов.

8.81. При подготовке хранилища к пропуску весеннего паводка служба эксплуатации должна выполнять следующие мероприятия:

проверить состояние дамбы, наличие необходимой емкости для полного и частичного аккумулирования паводка (в тех случаях, когда хранилище рассчитано на прием талых вод) и составить схему работы водосбросных сооружений на период пропуска паводка;

проверить исправность всех водосбросных сооружений, а также затворов и подземных механизмов;

перед водосбросными сооружениями подорвать или обколоть лед, убрать бревна и другие посторонние предметы;

проверить исправность освещения сооружений хранилища, подъездных дорог и средств связи;

в ответственных случаях следует организовать комиссию, которая проводит все работы по подготовке и пропуску паводка;

после паводка должны быть осмотрены сооружения хранилища, составлены акты о повреждениях и график их ремонта.

8.82. Для систематического контроля работы сооружений хранилищ и обобщения опыта их эксплуатации служба эксплуатации организует регулярные наблюдения и ведет записи в специальных журналах о состоянии сооружений хранилищ, о ходе намыва отходов и возведении ограждающих сооружений, о зимней эксплуатации, о работе механизмов и оборудования, об авариях и ремонтно-восстановительных работах на хранилище и т.п. Необходимо также хранить официальные документы: акты, чертежи и другие материалы, характеризующие эксплуатацию сооружений хранилища. Состав и методы наблюдений, порядок и формы записи следует устанавливать местной инструкцией.

МЕРОПРИЯТИЯ ПО БОРЬБЕ С ПЫЛЕНИЕМ ПОВЕРХНОСТИ СКЛАДИРУЕМЫХ ОТХОДОВ В ХРАНИЛИЩАХ

8.83. Намытые или отсыпанные в хранилища отходы при высыхании подвержены ветровой эрозии, в результате чего возрастает разрушение пляжей и откосов гидросооружения и запыленность прилегающей к хранилищу территории.

8.84. При проектировании хранилищ должны предусматриваться мероприятия, максимально уменьшающие последствия ветровой эрозии, в результате которой загрязняются атмосферный воздух, почвы, водоемы как в период строительства и эксплуатации сооружений, так и в период консервации.

8.85. Для предотвращения пыления намыв отходов в хранилище должен производиться ровными слоями по всей площади хранилища с таким расчетом, чтобы обеспечить постоянное смачивание всей намытой площади.

8.86. Мероприятия по защите от ветровой эрозии разрабатываются для каждого конкретного хранилища и должны включать в себя основные положения. Для предохранения от эрозии верхового откоса плотины или дамбы необходимо: поддерживать максимальный уровень воды в отстойном пруде при обеспечении одновременно максимальной ширины пляжа, назначенной проектом; увлажнение пляжа путем дождевания (поливом); химическое закрепление отходов; намораживание льда толщиной 3 - 6 см; снегоудержание и др.

8.87. Для предохранения от эрозии низового откоса плотины или дамбы необходимо: покрытие поверхности откоса гравийно-галечниковой смесью, шлаком; толщина защитного слоя не менее 0,10 м; покрытие поверхности откоса растительным грунтом (слоем не менее 0,1 м), на котором производится посев многолетних трав; посадка кустарников и др.

Создание защитного покрытия откоса требует учета особенностей конкретного сооружения (климат района, химико-минералогический состав намытых отходов); обработки поверхностного слоя откоса различными химическими соединениями (эмульсии на основе битумов, синтетических полимеров, силикатрастворов, укрытие пленками). Толщина закрепленного слоя поверхности откоса должна составлять 0,5 - 3,0 см, срок службы до 2 лет. В отдельных случаях при небольшом объеме крепления возможно применить сплошную одерновку.

НАМЫВ И УКЛАДКА ОТХОДОВ (ХВОСТОВ, ШЛАМОВ) В ЗИМНИХ УСЛОВИЯХ

8.88. Проект намыва и укладки отходов должен включать в себя теплотехнические расчеты технологии ведения гидромеханизированных работ в зимних условиях, описание технологии, а также перечень подготовительных мероприятий и контрольных наблюдений за качеством намыва.

8.89. При проектировании намыва хвостов при отрицательной температуре воздуха следует руководствоваться требованиями правил эксплуатации, утвержденными Госгортехнадзором СССР, с учетом рекомендаций нормативно-справочной литературы, при этом должны быть предусмотрены меры по обеспечению проектных характеристик намытого материала, устойчивости хранилища и его безопасной эксплуатации.

8.90. Согласно Типовой инструкции по эксплуатации хвостовых хозяйств обогатительных фабрик, намыв и укладка хвостов по зимней технологии производятся при температуре наружного воздуха ниже -5 °С.

8.91. Технология зимнего намыва зависит от климата района хранилища, расхода, консистенции пульпы, крупности отходов, системы оборотного водоснабжения и определяется проектом, который является разделом общего проекта возведения сооружений.

8.92. Различают следующие виды гидронамыва отходов в хранилище в зимних условиях:

а) подледная укладка;

б) надводная укладка длинными выпусками;

в) надводный намыв на пляж.

8.93. Подледная укладка производится путем сброса пульпы из торца пульповода через майны. Пульповоды укладывают на эстакадах или при достаточной прочности ледяного покрова на деревянных подкладках непосредственно на лед.

При подходе намытого конуса к поверхности воды пульповод наращивают, подводят его к следующей заранее заготовленной майне и подают в нее пульпу. Выход конуса выше поверхности воды и подача пульпы на лед не допускаются.

8.94. Надводная укладка длинными выпусками производится за пределами зоны упорной призмы в случае, если невозможны или нецелесообразны подледная укладка или намыв отходов на пляж. Применение этого способа допускается на участках хранилища, фактическая ширина пляжа которых превышает в 1,5 - 2 раза проектную, установленную расчетами устойчивости ограждающей дамбы. При укладке отходов длинными выпусками должна исключаться возможность растекания гидросмеси в зону упорной призмы, кроме того, следует разработать мероприятия, исключающие последующий замыв мерзлоты и льда.

8.95. Надводный намыв на пляж допускается производить для климатических зон с глубоким сезонным промерзанием грунтов только при соответствующем обосновании. В каждом конкретном случае обоснование должно быть согласовано органами Госгортехнадзора СССР.

8.96. Для дамб хранилища, проектируемых по талому принципу, надводный намыв на пляж допускается разрабатывать из условия промораживания слоя отходов, укладываемого в зимний период, без ограничения продолжительности технологических перерывов.

8.97. Для исключения замыва промерзшего слоя отходов, прослоек льда и снега должно быть обеспечено полное оттаивание пляжа в летний период. С этой целью летний намыв на зимних картах проводится либо после оттаивания пляжа на всю его глубину, либо обеспечивается полное оттаивание в ходе последующего намыва.

8.98. Теплотехническое обоснование возможности зимнего намыва на пляж должно включать в себя решение следующих задач:

прогноз сроков полного оттаивания пляжа при фиксированном слое зимнего намыва или, решая обратную задачу, установление максимальной толщины слоя зимнего намыва исходя из заданных сроков перехода на летнюю технологию;

определение размеров карт намыва и минимально допустимой температуры гидросмеси на выпуске из пульповода, при которых исключается образование льда в ограждающей дамбе.

8.99. Прогноз сроков оттаивания пляжа проводится на основании результатов теплотехнических расчетов либо по данным натурных исследований.

8.100. Математическая модель теплопереноса в промерзающих-протаивающих грунтах должна учитывать изменчивость климатических условий, строение дамбы, особенности технологической схемы, теплофизические свойства отходов и пр. При наличии фильтрационного потока учет вынужденной конвекции может быть проведен путем численного решения уравнения переноса энергии (Фурье-Кирхгофа) либо его заменой уравнением Фурье с эффектной теплопроводностью. Температурное поле в талых нефильтрующих и мерзлых грунтах определяется решением задачи типа Стефана о распространении тепла в области с верхней подвижной границей, моделирующей изменение высоты пляжа в процессе намыва.

8.101. Для одномерной задачи (средняя часть пляжа, достаточно удаленная от наружного откоса и прудка) исследуемая область представляет в начальный момент основание дамбы у Î [0, у0] с известным распределением температуры по глубине

t(y, 0) = j(y).                                                        (64)

Расчет температуры сводится к решению уравнений теплопроводности:

где t - время.

Граничные условия (рис. 42) на неподвижной границе I

 либо t (t, 0) = t*;                                        (65)

Рис. 42. Схема к прогнозу температурного режима дамбы

а - среднемесячные температуры воздуха; б - расчетная область; в - графики наращивания высоты по летней (3) и зимней технологии (4); I - неподвижная граница области; II - подвижная граница области; III - основание; IV - слои наращивания

на подвижной границе II

                                          

на границе раздела фаз у = x

                                         (68)

где q(t) - температура воздуха; a - коэффициент теплопередачи, характеризующий условия теплообмена между воздухом и поверхностью пляжа; r - скрытая теплота фазового перехода единицы массы воды; W - влажность; g - плотность уложенных отходов; с1, c2 - объемная теплоемкость талых и мерзлых отходов; l1, l2 - коэффициент теплопроводности талых и мерзлых отходов; tф - температура фазового перехода.

8.102. При изменении высоты области верхняя граница перемещается вдоль оси у на соответствующие величины Dy1, Dу2, ..., Dуп. Начальные условия в каждом слое, представляющем приращение высоты области, в момент времени t имеют вид (1), но за начало счета в этих слоях принимается момент tn появления слоя с номером п.

Таким образом, сначала рассчитывается температура точек области (0, у0 + Dу1). Этому этапу соответствуют значения времени с t = 0 до t2. Второй этап расчета выполняется для области (0, у0 + Dy1 + Dy2), начиная с момента t2. Начальными условиями на этом этапе являются начальная температура в слое Dу2 и температурное поле в области (0, у0 + Dу1), полученное в конце первого этапа расчета. Аналогично ход расчета продолжается до тех пор, пока высота области не достигнет заданной величины.

8.103. Задача решается на ЭВМ методом конечных разностей, например по явной разностной схеме с использованием трехточечного шаблона. Программа численного расчета «намыв»й на алгоритмическом языке «Фортран-IV», реализующая указанный подход применительно к ЭВМ типа ЕС-1020, разработана во ВНИИ ВОДГЕО.

8.104. Определение размеров карт и минимально допустимой температуры гидросмеси на выпуске из пульповода производят исходя из условий предупреждения появления шуги и наледей на карте в процессе намыва. Решается задача об охлаждении открытого потока гидросмеси при теплообмене с окружающим воздухом и пляжем. Для прогноза установившегося температурного режима равномерного движения гидросмеси с переменными по длине пляжа шириной растекания, расходом и характеристиками пульпы может быть использовано выражение:

                                    (69)

где                                            (70)

                                                                  (71)

Здесь Q(x) - расход гидросмеси; х - координата вдоль пляжа намыва; с(х), св, сх - объемная теплоемкость гидросмеси, воды и отходов; t - температура, b(х) - ширина потока; a1, a2 - коэффициенты теплоотдачи конвекцией в воздух и пляж; q - интенсивность намыва; v - приведенная температура, обобщенно учитывающая температуру воздуха q и интенсивность теплообмена SS конвекцией, испарением, радиацией и за счет гидродинамического трения Индекс «0» отвечает значению соответствующей величины для х = 0. При известных законах изменения с(х), b(х), Q(x) выражение (69) интегрируется численно, например с помощью программы «Поток», разработанной во ВНИИ ВОДГЕО.

8.105. При постоянной ширине потока гидросмеси b0, неизменной величине теплоемкости пульпы с0 и линейном законе изменения расхода вдоль пляжа намыва Q = Q0(1 - px) температуру потока можно вычислить по формуле:

                               (72)

где                                           (73)

                                                          (74)

Величина р характеризует собой относительное (на единицу ширины карты) изменение расхода гидросмеси по длине пляжа намыва за счет инфильтрации, а также выпадения из потока частиц хвостов; в пределах длины пляжа 0 £ х £ a значение р должно изменяться в интервале 0 < р £ 1/L.

8.106. Составляющие теплообмена (конвекция, испарение, солнечная радиация), а также выделенное тепло при гидродинамическом трении принимаются постоянными для расчетной карты намыва и могут определяться по известным в гидрологии расчетным зависимостям либо по материалам натурных наблюдений.

8.107. Удаление от места выпуска до створа, в котором температура потока гидросмеси опускается до температуры замерзания tз, вычисляется из решения либо по формулам

                                              (75)

A = Q0c0P(x + 1)/a1vb0.                                                     (76)

Величина x0 определяет наибольшую для рассматриваемых климатических условий длину пляжа, на которой выполняются необходимые условия для предотвращения шугообразования и возникновения ледяных включений. При проектировании зимнего намыва следует полагать x0 ³ a, где a - длина пляжа, определенная из расчетов удерживающей способности ограждающей дамбы.

Рис. 43. Изменение температуры потока гидросмеси по длине пляжа намыва при различной ширине карты (а) и приведенной температуры воздуха (б)

v = -5, -10, -15, -20, -25, -30, -35, -40; -45, -50 °С (линии 8 - 17), b = 100, 150, 200, 250, 300, 350, 400 м (линии 1 - 17), t0 = 2 °С

Рис. 44. Зависимость длины пути охлаждения гидросмеси от начальной температуры t0 до 0 °С для различных значений v

t0 = 0,2; 0,5; 1,0; 2,0; 3,0; 4,0; 5,0 (линии 1 - 7), b0 = 200 м (а); зависимость минимально допустимой температуры гидросмеси от линии пляжа намыва: v = -10, -20, -30, -40, -50 °С (линии 1 - 5) (б)

8.108. Минимально допустимая температура гидросмеси на выпуске из пульповода, при которой на границе пляжа х = L температура потока достигает tз, определяется решением (69) либо по формуле

                                                 (77)

8.109. Примеры использования зависимостей (72), (75), (77) для условий зимнего намыва хранилища Соколовско-Сарбайского горно-обогатительного комбината приведены на рис. 43, 44 (расчетные параметры):

e = 0,083/b0 м/с; q = 0,012×10-3 м/с;

c0 = 4,1×106 Дж/(м3×К); cв = 4,19×106 Дж/(м3×К);

cx = 2,5×106 Дж/(м3×К); x1 = 23,2 Вт/(м2×К); a2 = 11,6 Вт/(м2×К).

8.110. При надводном намыве отходов на пляж необходимо соблюдать следующие технологические требования:

температура пульпы, поступающей на пляж, должна быть больше ;

поверхность карты при единовременном намыве должна быть равномерно покрыта потоком пульпы; для улучшения условий растекания пульпы по поверхности пляжа допускается использовать специальные растекатели;

фактическая ширина карт намыва не должна превышать расчетную ширину, установленную из условия исключения возможности льдообразования в пределах зоны упорной призмы.

8.111. Заблаговременно до наступления отрицательной температуры воздуха выполняются подготовительные мероприятия:

намечают расположение и протяженность участков (карт) зимнего намыва из расчета укладки отходов на весь зимний период и создания условий, исключающих замыв мерзлоты и льда в летний период;

при дефиците теплосодержания гидросмеси предусматривают специальные инженерные мероприятия по подогреву гидросмеси, в том числе в процессе ее распределения по карте намыва;

для подледной укладки хвостов создают превышение ограждающей дамбы, необходимое для образования емкости, которая с учетом льдообразования в прудке обеспечивала бы надлежащее осветление воды в складирование отходов.

8.112. Дополнительные контрольные наблюдения, которые производят при зимнем намыве на пляж, должны включать:

контроль за предельной толщиной намываемого в зимний период слоя;

наблюдения за конфигурацией и размерами растекания потока гидросмеси на карте намыва;

измерения температуры пульпы на выпуске из пульповода;

контрольное бурение и шурфование для определения физико-механических свойств намытых отложений, а также оценки наличия льда и мерзлоты в сооружении.

8.113. По результатам контроля принимают решение о необходимости изменения технологии намыва. При обнаружении замытой мерзлоты принимают меры по ее ликвидации. В отдельных случаях оттаивание ускоряют путем уборки снега в весенний период или срезкой определенного слоя отложений.

8.114. При наличии в толще намытых отходов прослоев погребенного льда или мерзлых отходов выполняют поверочные расчеты устойчивости дамбы в соответствии с Рекомендациями по проектированию сооружений хвостохранилищ в суровых климатических условиях, п.п. 4.69 - 4.78.

9. ВОДОСБРОСНЫЕ СООРУЖЕНИЯ, ВОДНЫЙ БАЛАНС ХРАНИЛИЩА И ОБОРОТНОЕ ВОДОСНАБЖЕНИЕ

ВОДОСБРОСНЫЕ СООРУЖЕНИЯ

9.1. Водосбросные сооружения хранилищ предназначаются:

для отвода из хранилищ поверхностного стока, собранного с прилегающей к хранилищу водосбросной площади, если этот сток не используется частично или полностью для оборотного водоснабжения;

для отвода осветленной и предварительно очищенной от химических компонентов воды за пределы хранилища, если эта вода частично или совсем не используется в оборотном водоснабжении;

для частичного или полного опорожнения пруда хранилища, если в этом возникнет необходимость в процессе его эксплуатации.

9.2. Конструкция водосбросных сооружений должна обеспечить отвод вод с различных отметок горизонта воды в прудке хранилища в связи с непрерывным подъемом гребня плотины или дамб обвалования в процессе эксплуатации.

9.3. Отвод поверхностных вод (кроме осадков, выпадающих непосредственно в чащу хранилища) может быть осуществлен следующими способами:

аккумулированием поверхностного стока в хранилище с последующим сбросом его в ближайшие водоемы (или водотоки) или использованием его в системе оборотного водоснабжения;

пропуском поверхностного стока в обход хранилища с устройством плотин с обводных и нагорных каналов;

различными комбинированными способами.

9.4. При решении вопросов о размещении водосбросных колодцев рекомендуется учитывать следующее:

расстояние от места выпуска пульпы до водосброса должно обеспечивать требования к осветлению пульпы;

в условиях русловых хранилищ коллектор укладывается по дну водотока, а водосбросные колодцы постепенно поднимаются по склону; при этом шаг поднятия должен равняться глубине прудка, необходимой для осветления пульпы. При окончании сброса через верх предыдущего яруса колодцев в работу вступает низ последующего яруса;

если длина косогорных и пойменных хранилищ больше ширины и при расположении в них водосбросных колодцев в одну линию не достигается надлежащего осветления, то водосбросные колодцы располагают в две линии так, чтобы при намыве отходов в районе одной линии через другую осуществлялся сброс осветленной воды.

9.5. Выбор варианта сброса воды тоннелем, коллектором или открытым каналом для хранилища плотинного типа и для хранилища с постоянным наращиванием первичной дамбы решается экономическими и эксплуатационными соображениями.

9.6. Водосбросный колодец предназначен для сброса осветленной воды из хранилища, а также для приема осветленной воды в систему оборотного водоснабжения.

ВОДНЫЙ БАЛАНС ХРАНИЛИЩА

9.7. Использование или сброс осветленной предварительно очищенной сточной воды за пределы хранилища должны осуществляться с учетом водного годового баланса хранилища.

Баланс Б рассчитывается по уравнению

Б = (а + d) - (b + v + d + Lф + и),                                          (78)

где а - вода из пульпы; d - вода из поверхностного стока; b - заполнение объема прудка; v - вода, идущая на заполнение пор в отвале отходов; d - среднемесячные потери воды на испарение из прудков хранилища; Lф - потери на фильтрацию; и - безвозвратные потери в технологическом процессе предприятия, которые учитываются по местным условиям.

Заполнение объема прудка определяют по формуле

b = FDh,

где F - площадь зеркала прудка при среднегодовой отметке его горизонта; Dh - повышение горизонта воды в прудке за расчетный год эксплуатации хранилища.

Объем воды, идущей на заполнение пор в отвале отходов, можно определить по формуле

v = е/1 + е = (gск - g0)/g0,                                               (79)

где e - коэффициент пористости отходов в отвале; gск - плотность сухих отходов; g0 - плотность частиц отходов.

Среднемесячные потери воды на испарение из прудков хранилища можно определить в соответствии с Техническими указаниями по расчету испарения с поверхности водоемов (Л., изд-во Гидрологического ин-та, 1968 г.).

Ориентировочные среднемесячные потери на испарение могут быть подсчитаны по формуле

                                                         (80)

где dср.мес - среднемесячный дефицит влажности воздуха.

9.8. Помимо годовых балансов воды для различных периодов эксплуатации (начальный, конечный и за характерные годы) необходимо выполнить водный баланс по характерным сезонам: летнему, когда велики потери воды на испарение; зимнему, когда велики потери воды на льдообразование; весеннему, когда тает лед и возможен большой приток поверхностного стока.

9.9. На основании расчетов водного баланса или по замеру расходов на сливе хранилища определяется дефицит в воде, который может быть покрыт за счет привлечения поверхностных источников, шахтного водоотлива и по допустимым санитарным условиям за счет очищенных промышленных и хозяйственно-бытовых стоков.

ОБОРОТНОЕ ВОДОСНАБЖЕНИЕ

9.10. Водоснабжение горно-обогатительных комбинатов следует проектировать с учетом использования для технологического процесса обогащения руд осветленных вод из хранилища, т.е., как правило, следует предусматривать оборотную систему водоснабжения.

На горно-обогатительных комбинатах черной металлургии, где обогащение руд производится в основном промывкой и методом мокрой магнитной сепарации, пульпа в большинстве случаев не загрязняется химическими соединениями и поэтому осветленная вода из хранилищ может быть возвращена в технологический процесс.

При проектировании оборотного водоснабжения обогатительных фабрик ГОКов в отдельных случаях допустима организация одного общего хранилища для сброса пульпы магнитной сепарации и флотации.

Организация оборотной системы водоснабжения через хранилища на предприятиях цветной металлургии, где обычно применяется метод флотации с использованием химических реагентов, связана, как правило, с необходимостью химической очистки осветленной воды. Это обстоятельство требует проектирования очистных сооружений.

9.11. Как для оборотного водоснабжения, так и перед сбросом из хранилища вода должна быть осветлена.

Степень осветления воды для оборотного водоснабжения устанавливается в соответствии с технологическими требованиями к воде, обогатительной фабрикой, а степень осветления воды, сбрасываемой в водоемы, устанавливается в соответствии с требованием окружающей среды (Постановление ЦК КПСС и Совета Министров СССР № 898 от 29.12.1979 г.).

Для отстоя воды пульпы с малым содержанием глинистых частиц устраивает один прудок. При содержании в ней тонких глинистых взвесей в отдельных случаях требуется устройство второго прудка. Необходимость строительства второго прудка для дополнительного отстоя тонких глинистых взвесей должна определяться схемой и методом очистки. В случае значительного содержания особо тонких взвесей для их осаждения могут потребоваться добавки коагулянтов в первый или второй прудок.

9.12. Все операции по осветлению воды и очистке осветленной воды следует по возможности заканчивать в прудке хранилища до сброса воды или забора ее для оборотного водоснабжения.

Расчет прудка хвостохранилища в соответствии с требованиями к осветленной воде приведен в следующем разделе.

9.13. В состав сооружений оборотного водоснабжения предприятий включаются водозаборы осветленной воды, насосные станции, водоводы и очистные сооружения.

9.14. Водозаборные сооружения осветленной воды располагаются в хранилищах и бывают руслового или берегового типа. Проектирование их следует производить в соответствии с главой СНиП по проектированию гидротехнических сооружений речных.

9.15. Водозаборы должны размещаться в таких местах хранилищ, где будет обеспечен захват осветленных вод с минимальным количеством взвеси и не произойдет их заиление в течение расчетного периода эксплуатации. При невозможности соблюдения этих условий на весь период эксплуатации водозаборы располагаются в ковшах с периодической очисткой последних земснарядами. К водозаборам необходимо обеспечить свободный доступ обслуживающего персонала с помощью пешеходных мостиков или плавсредств. Управление шандорами должно быть механизировано.

9.16. Расчет водозаборных сооружений следует производить на максимальный расход осветленной воды, необходимый для данного комбината на расчетный период эксплуатации.

9.17. Насосные станции систем оборотного водоснабжения должны проектироваться для обеспечения предприятий осветленной водой на расчетный период их эксплуатации.

9.18. Насосные станции первого подъема могут быть стационарными или плавучими. Эти станции должны подавать осветленную воду на заданную заказчиком отметку. Если потребный напор не может быть обеспечен насосной станцией одного подъема, то необходимо решить вопрос о проектировании промежуточных перекачивающих насосных станций. Количество промежуточных станций определяется расчетом в соответствии с профилем трассы водоводов и устанавливаемых на станциях насосным оборудованием. Каскад промежуточных насосных станций следует проектировать без разрыва струи по схеме «насос-трубопровод-насос», при этом всасывающие трубы насосов могут быть подключены к общему коллектору. Напорные трубопроводы от насосов также могут иметь общий коллектор. Для перекачки осветленной воды из хранилища можно применять водопроводные насосы различных типов.

9.19. Проектирование стационарных насосных станций первого и последующих подъемов следует производить в соответствии со СНиП по проектированию водоснабжения, наружных сетей и канализации зданий.

9.20. Плавучие насосные станции, имея ряд преимуществ перед стационарными водозаборными сооружениями в стоимости, в конструктивном отношении недостаточно доработаны для использования их в качестве водозаборов промышленного водоснабжения. Основными недостатками этих станций являются: сложность эксплуатации в зимних условиях, малая надежность в противопожарном отношении, недостаточная устойчивость при ветровых нагрузках, заклинивание шаровых соединений на напорных водоводах при резких подъемах и снижениях горизонта в источнике и др. Применение плавучих насосных станций может быть рекомендовано для южной и средней полосы страны при соответствующем обосновании.

9.21. Осветленные воды подлежат химической очистке перед сбросом в нижележащие водоемы, если они содержат вредные компоненты.

9.22. Сброс вредной осветленной воды из хранилища может быть допущен по согласованию с санитарной и рыбной инспекцией как в условиях разбавления ее водой естественного, так и промышленного стока.

Расчет разбавления осветленной воды хранилища водой естественного стока в целях сброса производится по допустимой концентрации. Величина сброса и концентрация воды должны быть определены из режима стока маловодного года 95 %-ной обеспеченности.

РАСЧЕТ ПРУДКА-ОТСТОЙНИКА

9.23. Прудок-отстойник хранилища предназначен для осветления, а иногда и очистки промышленных стоков (прием и аккумуляция в хранилище сезонных паводковых расходов в отдельных случаях допускается).

9.24. Объем и размеры прудка должны удовлетворять требованиям осветления и очистки промышленных стоков, подаваемых в него. Степень осветления при организации оборотного водоснабжения задается технологами, проектирующими обогатительную фабрику, а в случае сброса стоков в водоемы общественного пользования устанавливается в соответствии с указаниями главы СНиП по проектированию канализации.

9.25. Для расчета осветления в прудке-отстойнике воды от оставшихся в ней мелких частиц отходов необходимо иметь данные по зерновому составу отходов, их плотности и расходу пульпы, м3/с.

9.26. Определение длины прудка-отстойника производится в следующем порядке. Скорость движения воды в прудке устанавливается по формуле

vпр = с¢/hпрw10,                                                         (81)

где vпр - наибольшая допустимая средняя скорость в прудке-отстойнике, м/с; с¢ - половина ширины активной зоны прудка, м; hпр - глубина прудка, м (глубину прудка при расчете можно принимать равной 0,3 - 0,5 м для мелкозернистых отходов и до 1 м - для крупнозернистых); w10 - гидравлическая крупность частиц отходов с действующим диаметром d10.

Время t, потребное для обмена в прудке, определяется по формуле

t = hпр/w60,                                                                (82)

где w60 - гидравлическая крупность частиц отходов с контролирующим диаметром d60, идущих в отмыв.

9.27. Требование необходимого осветления воды может быть выполнено, если объем прудка Wпр и приток в него Qпр соответствуют следующим уравнениям:

Wпр = vпрhпр2с¢t м3;

Qпр = vпрhпр2с¢ м3/с,

где 2с¢ - ширина активной зоны прудка, м.

Расход воды в прудке зависит от состава и крупности намываемых отходов и определяется по уравнению

Qпр = Qв/f,

где Qв - расход воды, содержащейся в пульпе, которую подают в хранилище; f - коэффициент, зависящий от крупности отходов, из которых формируется пляж (для крупнозернистых отходов f = 2, для среднезернистых 1,5, для мелкозернистых 1,25).

Расход пульпы составляет

Qп = Qт + Qв м3/ч,                                                          (83)

где Qт и Qв - соответственно расходы твердой и жидкой фаз пульпы.

9.28. Расход твердой фазы можно выразить через расход воды и объемную консистенцию пульпы

Qт = kобQв,

kоб = vт/Vв т.е. объему твердой фазы/объем воды.

Тогда расход пульпы может быть выражен уравнением

Qп = kобQв + Qв = Qв(kоб + 1),

9.29. Ориентировочно длину прудка L можно определить из уравнения, выражающего равенство геометрического объема прудка и объема воды в нем:

L2c¢hпр = Qпрt/f(kоб + 1),

откуда

L= Qпрt/f(kоб + 1)2c¢hпр.                                                  (84)

РАСЧЕТ КОЛЛЕКТОРА

9.30. Коллекторы служат для отвода осветленной и очищенной от механических и химических компонентов воды за пределы хранилища. В некоторых случаях они могут укладываться непосредственно на основание из намытых отходов либо заглубляться в траншею. Выбор того или иного типа определяется в зависимости от профиля местности и грунтовых условий.

Площадь поперечного сечения коллектора в свету определяется гидравлическим расчетом. Ему придается в продольном направлении уклон, обеспечивающий отвод осветленной воды.

Коллекторы рекомендуется устраивать круглого поперечного сечения, в отдельных случаях прямоугольного сечения. Размеры поперечного сечения в этом случае устанавливаются с помощью статических и гидравлических расчетов.

9.31. Коллекторы могут устраиваться железобетонными и металлическими. Предпочтительным является устройство их из железобетона, при этом они могут сооружаться полностью сборными, полностью монолитными или смешанными.

9.32. Коллекторы после их возведения покрываются гидроизолирующим покрытием. Они должны устраиваться таким образом, чтобы была обеспечена водонепроницаемость в стыковых соединениях во избежание утечки отходов совместно с водой.

9.33. Коллекторы укладываются либо на спрофилированный грунт, либо на бетонное основание. При укладке на спрофилированный грунт производится выравнивание основания песком с последующим уплотнением песка. Укладка на бетонное основание производится с подливкой раствора.

9.34. При укладке коллекторов на профилированное основание (выкружку с углами охвата больше 75°) естественное основание минерального грунта или подготовка из песка выполняется по форме трубы устройством специального углубления (выкружки) на ширину не менее 0,6Дн, где Дн - наружный диаметр коллектора.

9.35. При подготовке скального основания после профилирования подсыпается песчаная подушка толщиной не менее 0,15 м.

9.36. При укладке коллектора в траншею предусматривается соответствующая конструкция крепления: консольная, консольно-анкерная, консольно-распорная. Необходимость крепления вертикальных стенок траншей устанавливается проектом производства работ в зависимости от местных условий, характеристик грунта, дебита и уровня грунтовых вод, глубины выемки и др.

9.37. При устройстве коллектора прямоугольного сечения на естественном основании последнее выравнивается для бетонной подготовки. Конструкция, а также толщина слоя подготовки принимается с учетом свойства грунта и нагрузки на коллектор.

9.38. При укладке коллектора в траншее уплотнение грунта производится по всей ширине траншеи; при укладке в насыпь - по ширине не менее 2 м, но не более чем по 1,75 м в обе стороны от оси коллектора.

9.39. Для обеспечения уплотнения засыпки трамбование ведется слоями толщиной не более 0,20 м. При любом способе уплотнения объемная масса песчаной засыпки должна быть не менее 1,50 т/м3, а при засыпке суглинками или глиной - 1,6 т/м3.

9.40. Объемная масса засыпки определяется отбором проб с обеих сторон коллектора через 50 м по его длине и оформляется актом на скрытые работы.

9.41. Засыпка траншей в зимнее время производится супесчаным, суглинистым или глинистым талыми грунтами на высоту не менее 0,5 м над верхом коллектора сразу же после его укладки. Засыпка траншей песчаным грунтом в зимнее время ведется таким же способом, как и в летнее время.

9.42. В статическом отношении водосбросные коллекторы относятся к тонкостенным цилиндрическим оболочкам, деформации которых от внешнего вертикального давления вызываются изгибающими моментами.

9.43. Расчеты коллекторов круглого и прямоугольного сечения, т.е. определение окружных изгибающих моментов и нормальных сил производятся в зависимости от диаметра коллектора, условий укладки, глубины заложения, способа опирания коллектора на основание, величины и характера распределения нагрузок, действующих на поверхности. Расчет нагрузок и усилий ведется в соответствии со следующим разделом.

НОРМАТИВНЫЕ ПОСТОЯННЫЕ НАГРУЗКИ И УСИЛИЯ НА ВОДОСБРОСНЫЕ КОЛЛЕКТОРЫ ХРАНИЛИЩ

9.44. Нормативные постоянные нагрузки на коллекторы устанавливаются с учетом весовой влажности, пористости и зернового состава грунта, условий возведения и эксплуатации хранилища.

9.45. При расчете коллекторов на прочность вводятся коэффициенты перегрузки п для нагрузок от веса намывного грунта в соответствии с главой СНиП по проектированию нагрузок и воздействий.

9.46. Рекомендуемые эффективные нагрузки и усилия установлены с учетом данных полевых и лабораторных исследований железобетонных и металлических коллекторов диаметром до 1,9 м, замытых отходами или песками на глубину до 30 м.

Радиальные и касательные силы

9.47. Нагрузки от радиальных и касательных сил, действующих по внешней поверхности трубы, принимаются неравномерно распределенными, симметрично расположенными относительно осевой вертикальной плоскости, как показано на рис. 45.

9.48. Эпюра радиального давления грунта условно делится на равномерно распределенную интенсивность s0, вызывающую сжатие, и неравномерно распределенную, вызывающую основные деформации от изгиба кольца. В расчетах нагрузок учитывают как взвешивающее действие, так и гидростатическое давление воды.

9.49. Интенсивность радиального давления грунта, действующего в пределах верхней половины трубы, опертой на спрофилированное грунтовое основание или на фундамент, определяется по формуле

p = (a cosq + x0)q,                                                      (85)

где а и x безразмерные коэффициенты, которые определяются при опирании на грунт по табл. 11, при опирании на фундамент - по табл. 12; q - центральный угол в градусах;

q = gh1 + gвзвh2,                                                         (86)

где g - плотность грунта, т/м3; gвзв - плотность грунта с учетом взвешивающего действия воды, тс/м3:

gвзв = (g0 - gв)/1 + e,                                                       (87)

где g0 - плотность частиц грунта, т/м3; gв - плотность воды, т/м3; е - коэффициент пористости в долях единицы; h1, h2 - толщина слоя влажного и взвешенного грунта, м (рис. 45).

9.50. Интенсивность касательных t усилий, действующих в пределах верхней половины трубы, определяется по формуле

t = kjq sinq,                                                             (88)

где kj - коэффициент, равный x0tgj; j - угол внутреннего трения окружающего трубу грунта, град; x0 - коэффициент бокового давления грунта, окружающего трубу;

x0 = tg2(45 - j/2),                                                          (89)

tgj - коэффициент трения грунта по поверхности трубы.

9.51. Суммарное вертикальное давление грунта и воды на уровне горизонтального диаметра трубы вычисляется по следующей формуле

Q = 2{[p/4(a + kj) + x0]q + s}rн,                                      (90)

где rн - внешний радиус трубы, м; s - интенсивность гидростатического давления воды на уровне горизонтального диаметра трубы, МПа.

Изгибающие моменты и нормальные окружные усилия.

Рис. 45. Схема сил в сечении трубы, опирающейся на грунт (а) и на бетонный фундамент или свайный ростверк (б)

1 - грунт ненарушенной структуры; 2 - грунт влажный, намывной (насыпной); 3 - труба; 4 - фундамент

9.52. При опирают трубы на грунт схема сил от давления грунта принимается согласно рис. 46, а. Изгибающие моменты М1 и нормальные окружные усилия N1 определяют по формулам:

                                                            (91)

                                                        (92)

где а1 - безразмерный коэффициент, определяемый по табл. 13; M1 - то же, по табл. 14; r - средний радиус трубы;  - коэффициент, определяемый по табл. 15.

9.53. При опирании трубы на фундамент схема сил от веса грунта принимается согласно рис. 46, б. Изгибающие моменты М2 и нормальные усилия N2 рассчитываются по формулам;

                                                (93)

                                                      (94)

где а2 - безразмерный параметр, определяемый по табл. 16; ,  - находятся по табл. 17; N2 - по табл. 18.

9.54. Численные значения изгибающих моментов и нормальных усилий определяются подставкой в соответствующие формулы безразмерных коэффициентов, приведенных в табл. 11 - 18 (см. примеры 1 - 3).

Пример 1. Уложенный на спрофилированное основание (a = 60 °С), коллектор замыт отходами на глубину h2 = 36 м. Определить интенсивность давления водонасыщенных отходов в верхней точке трубы и на уровне горизонтального диаметра (q = 90 °С), если h2 = 36 м; gвзв = 1,04 тс/м3; x0 = 0,422; j = 24°. Подставив в формулу (85) соответствующие значения коэффициентов из табл. 11, получим:

интенсивность давления в верхней точке трубы

Р = (0,883cos0° + 0,442)(1,04 × 36) = 48,8 т/м2;

интенсивность давления на уровне горизонтального диаметра

s0 = 0,422(1,04 × 36) = 15,8 тс/м2.

Пример 2. Железобетонный водосбросный коллектор замыт отходами, толщина слоя которых к моменту консервации хранилища достигнет 36 м. Определить вертикальное давление отходов на коллектор, уложенный на спрофилированное основание:

угол опорной дуги 2a = 80°; gвзв = 1,04 т/м3; h1 = 0; h2 = 36,0 м; j = 22°; rн = 0,9 м.

а) Подставив в формулу (90) необходимые значения из табл. 11, соответствующие углу внутреннего трения отходов и половине опорного угла a = 40°, найдем равнодействующую вертикального давления

Q1 = 2{[0,785(0,876 + 0,184) + 0,455]1,04 × 36}0,9 = 87,0 т/м.

б) Через 10 лет после консервации уровень грунтовых вод в хранилище снизится на 20 м, поэтому давление грунта на коллектор изменится и составит:

Q2 = 2{[0,785(0,876 + 0,184) + 0,455](1,6 × 20 + 1,04 × 16)}0,9 = 112,5 т/м.

Пример 3. Железобетонный водосбросный коллектор диаметром 1,6 м уложен на бетонный фундамент. Определить наибольший изгибающий момент М2 и окружную силу N2 с учетом трения отходов по стенкам трубы, если

2a = 80°; rн = 1 м; r = 0,9 м; g = 1,6 т/м3; gвзв = 1,04 т/м3; gв = 1,0 т/м3; h1 = 20 м; h2 = 16 м; j = 24°; f = 0,6; D0 = 0,6.

Подставив в (93) коэффициенты a2, x0, , , соответствующие заданным j и a, по табл. 16, 17, 18 находим:

М2 = (1,335 × 0,159 + 0,422 × 0,018(1,6 × 20 + 1,04 × 16)0,922 = 8,66 тм/м;

N2 = (1,335 × 0,785 + 0,422)(1,6 × 20 + 1,04 × 16)0,9 = 64,36 т/м.

Таблица 11

j, град

Значения коэффициентов a для расчета труб на грунтовом основании

a, град

x0 = tg2(45 - j/2)

kj = x0tgj

90

70

60

50

40

2

0,084

0,090

0,093

0,096

0,098

0,933

0,033

4

0,165

0,177

0,182

0,187

0,192

0,870

0,061

6

0,242

0,259

0,267

0,275

0,281

0,811

0,085

8

0,314

0,337

0,348

0,358

0,367

0,756

0,107

10

0,383

0,413

0,426

0,439

0,449

0,704

0,124

12

0,448

0,484

0,500

0,515

0,528

0,656

0,140

14

0,511

0,552

0,571

0,589

0,604

0,610

0,152

16

0,570

0,617

0,639

0,658

0,675

0,568

0,163

18

0,627

0,679

0,704

0,726

0,745

0,528

0,172

20

0,681

0,740

0,767

0,791

0,812

0,490

0,178

22

0,733

0,796

0,826

0,853

0,876

0,455

0,184

24

0,782

0,851

0,883

0,912

0,937

0,422

0,188

26

0,828

0,903

0,938

0,969

0,996

0,391

0,191

28

0,874

0,954

0,991

1,025

1,054

0,361

0,192

30

0,917

1,003

1,042

1,078

1,109

0,333

0,192

32

0,958

1,049

1.090

1,128

1,161

0,307

0,191

34

0,997

1,092

1,136

1,176

1,211

0,283

0,191

36

1,034

1,134

1,181

1,223

1,259

0,260

0,189

38

1,070

1,175

1,224

1,268

1,306

0,238

0,186

40

1,105

1,214

1,265

1,311

1,351

0,217

0,182

42

1,137

1,251

1,304

1,352

1,393

0,198

0,178

44

1,168

1,286

1,341

1,391

1,433

0,180

0,174

46

1,197

1,320

1,377

1,428

1,472

0,163

0,169

Таблица 12

j, град

Значения коэффициента а для расчета труб на бетонном основании

D0 = D:2rн

0,2

0,4

0,6

2

0,109

0,116

0,123

4

0,214

0,228

0,242

6

0,314

0,335

0,356

8

0,411

0,439

0,467

10

0,504

0,539

0,574

18

0,593

0,635

0,677

14

0,680

0,729

0,777

16

0,762

0,818

0,873

18

0,843

0,905

0,966

20

0,920

0,989

1,057

22

0,995

1,069

1,144

24

1,066

1,147

1,229

26

1,135

1,223

1,310

28

1,202

1,296

1,390

30

1,267

1,367

1,467

32

1,327

1,435

1,541

34

1,388

1,500

1,612

36

1,445

1,563

1,680

38

1,501

1,624

1,747

40

1,554

1,683

1,811

42

1,605

1,739

1,873

44

1,654

1,793

1,931

46

1,700

1,844

1,988

Таблица 13

j, град

Значения коэффициента а1 (опирание на грунт)

a, град

90

80

70

60

50

40

2

0,118

0,120

0,123

0,126

0,129

0,131

4

0,226

0,231

0,238

0,243

0,248

0,253

6

0,326

0,335

0,344

0,352

0,360

0,366

8

0,421

0,433

0,444

0,455

0,465

0,474

10

0,507

0,552

0,537

0,550

0,563

0,573

12

0,588

0,606

0,624

0,640

0,655

0,668

14

0,663

0,684

0,704

0,723

0,741

0,756

16

0,733

0,757

0,780

0,802

0,821

0,838

18

0,799

0,825

0,851

0,876

0,898

0,917

20

0,859

0,889

0,918

0,945

0,969

0,990

22

0,916

0,949

0,980

1,010

1,037

1,060

24

0,970

1,005

1,039

1,071

1,100

1,125

26

1,019

1,057

1,094

1,129

1,160

1,187

28

1,066

1,107

1,146

1,183

1,217

1,246

30

1,109

1,152

1,195

1,234

1,270

1,301

32

1,150

1,196

1,241

1,282

1,320

1,353

34

1,188

1,236

1,283

1,327

1,367

1,402

36

1,223

1,274

1,323

1,370

1,412

1,448

38

1,256

1,309

1,361

1,410

1,454

1,492

40

1,287

1,342

1,396

1,447

1,493

1,533

42

1,315

1,373

1,429

1,482

1,530

1,571

44

1,344

1,402

1,460

1,515

1,565

1,607

46

1,366

1,428

1,489

1,528

1,581

1,626

Таблица 14

q, град

Значение коэффициента  (опирание на грунт)

a, град

90

80

70

60

50

40

0

-0,136

-0,139

-0,150

-0,153

-0,163

-0,175

30

-0,072

-0,074

-0,083

-0,085

-0,091

-0,099

50

0,067

0,068

0,069

0,071

0,072

0,073

90

0,149

0,153

0,158

0,174

0,186

0,197

120

0,068

0,069

0,071

0,092

0.115

0,135

140

-0,028

-0,029

-0,037

-0,033

-0,031

-0,022

160

-0,106

-0,109

-0,123

-0,132

-0,151

-0,171

180

-0,136

-0,140

-0,154

-0,168

-0,195

-0,229

Таблица 15

q, град

Значение коэффициента  (опирание на грунт)

a, град

90

80

70

60

50

40

0

0,500

0,493

0,477

0,456

0,434

0,414

30

0,564

0,558

0,545

0,526

0,508

0,490

60

0,703

0,700

0,692

0,681

0,671

0,661

90

0,785

0,785

0,785

0,785

0,785

0,785

120

0,703

0,701

0,698

0,703

0,713

0,723

140

0,608

0,603

0,591

0,578

0,568

0,571

160

0,530

0,523

0,505

0,479

0,446

0,416

180

0,500

0,492

0,473

0,443

0,404

0,359

Таблица 16

j, град

Значение коэффициента a2 (опирание на фундамент)

D0 = D:2rн

0,2

0,4

0,6

0,8

x0

2

0,142

0,149

0,156

0,163

0,933

4

0,275

0,289

0,303

0,317

0,870

6

0,399

0,420

0,441

0,462

0,811

8

0,518

0,546

0,574

0,602

0,756

10

0,628

0,663

0,698

0,732

0,704

12

0,733

0,775

0,817

0,858

0,656

14

0,832

0,881

0,929

0,977

0,610

16

0,925

0,981

1,036

1,091

0,568

18

1,015

1,077

1,138

1,200

0,528

20

1,098

1,167

1,235

1,304

0,490

22

1,179

1,253

1,328

1,403

0,455

24

1,254

1,335

1,417

1,498

0,422

26

1,326

1,414

1,501

1,589

0,391

28

1,394

1,480

1,582

1,676

0,361

30

1,459

1,559

1,659

1,759

0,333

32

1,519

1,627

1,733

1,839

0,307

34

1,579

1,691

1,803

1,915

0,283

36

1,634

1,752

1,869

1,987

0,260

38

1,687

1,810

1,933

2,056

0,238

40

1,736

1,865

1,993

2,122

0,217

42

1,783

1,917

2,051

2,184

0,198

44

1,828

1,967

2,105

2,244

0,180

46

1.869

2,013

2,157

2,301

0,163

Таблица 17

q, град

Значения коэффициентов ,  (опирание на фундамент)

 при коэффициенте трения f*

0,2

0,4

0,6

0,8

0

-0,130

-0,135

-0,139

-0,143

-0,017

30

-0,076

-0,070

-0,073

-0,076

0,012

60

0,070

0,070

0,071

0,071

0

90

0,149

0,154

0,159

0,163

0,018

120

0,041

0,052

0,061

0,068

0,035

140

-0,136

-0,122

-0,111

-0,101

0,044

160

-0,063

-0,076

-0,087

-0,095

0,011

180

-0,037

-0,060

-0,078

-0,093

-0,182

_____________

* Коэффициент опорного трения f определяется экспериментально, а при отсутствии экспериментальных данных - назначается по табл. 17 с учетом реальных условий опирания.

Таблица 18

q, град

Значения коэффициента  при коэффициенте трения f

0,2

0,4

0,6

0,8

0

0,506

0,495

0,487

0,484

30

0,570

0,560

0,553

0,547

60

0,707

0,701

0,697

0,693

90

0,785

0,785

0,785

0,785

120

0,777

0,683

0,687

0,704

140

0,325

0,202

0,106

0,052

160

0,398

0,247

0,130

0,040

180

0,424

0,263

0,138

0,030

10. КОНТРОЛЬНЫЕ НАБЛЮДЕНИЯ ЗА СОСТОЯНИЕМ ГИДРОТЕХНИЧЕСКИХ СООРУЖЕНИЙ ХРАНИЛИЩ

ОБЩИЕ ПОЛОЖЕНИЯ

10.1 Хранилища должны находиться под постоянным эксплуатационным контролем, обеспечивающим своевременное предупреждение возможных аварийных ситуаций, принятие необходимых мер для сохранности сооружений в процессе эксплуатации, защиту окружающей среды и подземных вод от загрязнения промстоками.

10.2. Контроль осуществляется за состоянием ограждающих сооружений хранилища (плотин, дамб), работой дренажных и противофильтрационных мероприятий, водосбросных и водоотводящих устройств.

10.3. Контрольные наблюдения проводятся в строительный период с момента начала возведения хранилищ, продолжаются в процессе их эксплуатации и в период консервации. Для хранилищ, возводимых из отходов с постоянным наращиванием намывом, строительный и эксплуатационный периоды совпадают.

10.4. Состав, периодичность и длительность контрольных наблюдений первоначально устанавливаются в проекте и могут корректироваться в процессе строительства, эксплуатации к консервации хранилищ в зависимости от их состояния в данный период на основании имеющихся результатов наблюдений.

10.5. На хранилищах проводятся следующие обязательные эксплуатационные наблюдения за:

осадкой ограждающих сооружений, основания и береговых склонов;

фильтрацией в ограждающих сооружениях, основании и на примыкающей территории;

температурой и химическим составом фильтрационной воды.

Эти наблюдения осуществляются визуально или с помощью контрольно-измерительной аппаратуры (КИА), установка которой производится в соответствии с проектом. Для хранилищ I - III классов капитальности выше 15 м установка КИА является обязательной. На хранилищах IV и V классов капитальности проводятся только визуальные наблюдения.

10.6. Визуальные и инструментальные наблюдения осуществляются одновременно и дополняют друг друга. Большое значение визуальные наблюдения приобретают на тех участках хранилища, где КИА отсутствует и установка ее по каким-либо причинам затруднена.

10.7. На хранилищах I и II классов капитальности помимо вышеперечисленных организуются также наблюдения за:

горизонтальными смещениями ограждающих сооружений и основания;

послойным сжатием грунтов ограждающих сооружений и основания;

поровым давлением в грунтовых противофильтрационных элементах и основании.

Проведение этих наблюдений требует применения специальной КИА и должно быть обосновано в проекте.

10.8. На хранилищах, возводимых в суровых климатических условиях, осуществляется мерзлотный контроль и наблюдения за температурным режимом ограждающих сооружений и основания.

10.9. В процессе производства работ по возведению хранилищ осуществляется также геотехнический контроль за укладкой грунтов.

10.10. При организации и проведении наблюдений необходимо соблюдать следующие требования:

а) все наблюдения осуществляются одновременно, т.е. в одни и те же или весьма близкие календарные сроки;

б) результаты наблюдений заносятся в специальные журналы и соответствующим образом оформляются;

в) оформление материалов наблюдений (первичная обработка, заполнение журналов, построение графиков и т.д.) производится в максимально короткие сроки после каждого цикла наблюдений;

г) результаты наблюдений постоянно сопоставляются с предыдущими наблюдениями, а также с проектными или расчетными данными.

НАБЛЮДЕНИЯ ЗА ДЕФОРМАЦИЯМИ

10.11. Наблюдения за деформациями хранилища состоят в определении вертикальных и горизонтальных перемещений поверхностных и внутренних зон ограждающих сооружений и основания. Целью этих наблюдений является выявление участков сооружения, являющихся наиболее слабыми и опасными в отношении устойчивости.

10.12. Для этого в определенных точках, расположенных на поверхности и внутри тела сооружения и основания, устанавливаются специальные устройства - марки. На хранилище создается система постоянных марок, за которыми ведутся наблюдения путем периодического определения их положения.

10.13. Вертикальные перемещения (осадка или подъем) сооружения определяются методом геометрического нивелирования высотного положения марок. Для оценки несущей способности основания и качества возведения ограждающих сооружений их осадка определяется раздельно. В этом случае наблюдения ведутся за полной осадкой (сооружения и основания) и отдельно за осадкой основания.

10.14. Полная (суммарная) осадка земляных сооружений определяется с помощью грунтовых марок, которые устанавливаются на поверхности сооружения и называются поверхностными. Осадка основания определяется по глубинным маркам, устанавливаемым на границе подошвы сооружения и основания. В зависимости от назначения, условий установки и методики наблюдений применяются поверхностные и глубинные марки различных типов и конструкций.

10.15. Для хранилищ рекомендуются следующие поверхностные марки (рис. 46), которые устанавливаются после возведения ограждающих дамб и плотин в буровые скважины или шурфы. Марки выполняются из металлического жесткого стержня или трубы диаметром 25 - 30 мм. Верхний конец стержня имеет полусферическую головку из неокисляющегося металла, а нижний конец для лучшего контакта с грунтом заделывается в бетонную пробку, пирамиду или плиту. Марка, показанная на рис. 46, в, может быть использована также в качестве временной марки при наблюдениях за осадкой на промежуточных стадиях возведения хранилища.

10.16. Глубинная марка для определения осадки основания (рис 47) состоит из уширенной опорной части в виде плиты, штанги из труб диаметром 40 - 50 мм с головкой и защитной трубы диаметром 100 - 120 мм. В зависимости от глубины заложения применяются бетонные армированные плиты размером 1,5´1,5 или 2,0´2,0 м и толщиной 10 - 15 см. Плита с первым звеном штанги укладывается на выровненное основание строго горизонтально. Дальнейшее наращивание штанги и защитной трубы производится постепенно по мере возведения сооружения. Длина звеньев штанги и защитной трубы зависит от толщины отсылаемых или намываемых слоев. По мере наращивания последующих звеньев штанги производится нивелировка их верха и увязка отметок с предыдущими. Такая система наращивания марки дает возможность осуществлять наблюдения за осадкой основания постоянно в точение всего строительного периода в зависимости от роста высоты сооружения. В этом случае предусматриваются меры по защите марки от повреждения машинами и механизмами в процессе производства работ.

10.17. В тех случаях, когда на каком-либо участке хранилища глубинные марки-плиты не были своевременно установлены или вышли из строя, а в процессе эксплуатации возникла необходимость провести наблюдения за осадкой основания, могут быть оборудованы глубинные штанговые марки, которые устанавливаются в буровую скважину. Нижняя часть марки (рис. 48. а) выполняется в виде бетонной пробки, устраиваемой непосредственно на забое скважины. У марки (рис. 48, б) нижняя часть состоит из наконечника в виде пологого металлического стакана, заполненного песком или бетоном. Наконечник, жестко соединенный со штангой, опускается в скважину и вдавливается в забой на всю длину.

Рис. 46. Поверхностные грунтовые марки

а, б - постоянные марки; в - временная марка; 1 - защитная труба диаметром 200 мм; 2 - уплотненная глина или суглинок; 3 - стержень с головкой; 4 - защитная труба диаметром 75 - 100 мм; 5 - скважина диаметром 200 - 250 мм; 6 - песок или шламы; 7 - глубина сезонного промерзания; 8 - сальник из просмоленной пакли; 9 - бетонная пробка; 10 - ребра жесткости; 11 - металлический лист; 12 - бетонная плита; 13 - бетонная пирамида

Рис. 47. Глубинная плита-марка

1 - защитная труба диаметром 250 мм; 2 - пеньковый сальник; 3 - уплотненная глина или суглинок; 4 - штанга-труба диаметром 100 - 120 мм; 6 - распорка; 7 - защитная присыпка; 8 - ребра жесткости; 9 - металлический лист; 10 - бетонная армированная плита (150´150 или 200´200 см) толщиной 10 - 15 см; 11 - подошва сооружения

Рис. 48. Глубинные марки

1 - защитная труба диаметром 250 мм; 2 - сальник из просмоленной пеньки: 3 - уплотненная глина или суглинок; 4 - штанга-труба диаметром 40 - 50 мм; 5 - защитная труба диаметром 100 - 200 мм; 6 - скважина диаметром 200 мм; 7 - распорка; 8 - песок или хвосты; 9 - подошва сооружения; 10 - бетонная пробка; 11 - металлический наконечник диаметром 100 - 120 мм; 12 - цементный раствор или песок

10.18. Наблюдения за послойным сжатием грунтов осуществляются с помощью различных многоярусных марок. Опорные части этих марок устанавливаются в нескольких точках по высоте сооружения или на границе сжимаемых слоев основания.

10.19. Глубинная многоярусная телескопическая марка для определения послойной осадки тела сооружения (рис. 49, а) состоит из металлических или бетонных плит размером 100´100 см и жестко прикрепленных к ним вертикальных труб-стояков. При возведении сооружения плиты укладываются на выровненную поверхность грунта на заданных отметках. Диаметр трубы-стояка каждой из последующих плит увеличивается с таким расчетом, чтобы они свободно входили одна в другую. По мере роста высоты сооружения трубы наращиваются и выводятся на поверхность, образуя телескопическую систему. На поверхности трубы обрезаются на разных уровнях таким образом, чтобы было удобно производить их нивелирование.

Рис. 49. Глубинные многоярусные марки

а - для тела сооружения; б - для основания: 1 - защитная труба диаметром 200 мм; 2 - труба-стояк; 3 - опорная плита (металлическая или бетонная); 4 - ребро жесткости; 5 - бетон или цементный раствор; 6 - тело сооружения; 7 - подошва сооружения; 8 - граница слоев; 9 - уплотненная глина или суглинок

10.20. Глубинная марка для определения послойной осадки основания (рис. 49, б) устанавливается до возведения сооружения. Она оборудуется следующим образом: бурится скважина до точки А и расширяется ее нижняя часть, затем в нее заливается цементный раствор и устанавливается металлическая труба диаметром 114 мм. После схватывания раствора производится бурение внутри этой трубы до точки Б, заливается цементный раствор и устанавливается труба диаметром 75 - 80 мм. В дальнейшем вся процедура повторяется до необходимой глубины.

10.21. На хранилищах I и II класса капитальности высотой больше 50 м целесообразно применять глубинные марки бесштангового типа. Они состоят из защитной трубы и собственно марок, закладываемых в нескольких точках по высоте трубы. Измерение высотного положения марок производится с помощью лота, опускаемого в трубу на мерной ленте или проволоке. Существуют различные типы лотов (механические, электроконтактные, индукционные и т.д.) и соответствующие им конструкции труб и марок.

10.22. Наблюдения за горизонтальными смещениями ограждающих сооружений-хранилищ осуществляются с помощью одного из следующих геодезических методов: створного, триангуляционного или комбинированного.

10.23. Определение относительных смещений сооружения вдоль оси рекомендуется производить измерением расстояний между центрами поверхностных марок с помощью инварной ленты, для чего на марках делается насечка в виде двух перекрещивающихся линий.

10.24. К местным (локальным) деформациям относятся осадки и смещения незначительных масс грунта, не влияющие на общую устойчивость сооружения. На участках, где обнаружены местные деформации, для наблюдения за скоростью перемещений грунта устанавливаются временные марки упрощенной конструкции. Наблюдения по временным маркам производятся чаще, чем по постоянным, и продолжаются до затухания деформаций или начала ремонтных работ на данном участке.

10.25. Для хранилищ, возводимых на слабопрочных основаниях, проводятся наблюдения за выпором грунтов на прилегающей территории. С этой целью ниже подошвы ограждающей дамбы и по бортам хранилища устанавливается сеть поверхностных марок.

10.26. Измерение высотного и планового положения поверхностных и глубинных марок производится нивелированием III класса от фундаментальных и рабочих реперов постоянной опорной сети, создаваемой на участке хранилища. Фундаментальные реперы располагаются на коренных породах вдали от карстовых и оползневых участков и выполняются по типу глубинных штанговых марок. Рабочие реперы размещаются вблизи сооружения в местах, где осадки весьма незначительны по сравнению с осадками марок.

10.27. Во ВНИИГ им. Б.Е. Веденеева разработано устройство - датчик больших перемещений, позволяющее дистанционно измерять осадку глубинных штанговых марок. Работа датчика основана на применении электрического колебательного контура. Датчик состоит из катушки индуктивности, катушки связи, подвижного сердечника и позволяет измерять относительные перемещения в диапазоне от 1 до 50 см. При установке датчика конструкция верхней части марки изменяется: штанга заканчивается сердечником датчика, который входит в катушку индуктивности. Оборудование глубинной марки датчиком схематично показано на рис. 50.

10.28. Для контроля за осадкой тела и основания ограждающих плотин и дамб может применяться также радиоизотопный метод, разработанный Харьковским отделом ВНИИ ВОДГЕО и Ворошиловградским филиалом НИИСПа. Этот метод заключается в следующем: в тело и основание сооружения закладываются радиоизотопные реперы в виде ампул с радиоактивными излучателями. Наблюдения за положением радиоизотопных излучателей осуществляются с помощью измерительного зонда, опускаемого в наблюдательную скважину на мерном кабеле. Точность измерения осадки составляет 5 мм.

10.29. В процессе эксплуатации хранилища возможен наклон марок вследствие неравномерных осадок основания или оползневых смещений грунта на откосах сооружения, вызванных его водонасыщением или сезонным промерзанием и оттаиванием. Данное обстоятельство может служить причиной искажений, вносимых в результаты наблюдений, и его следует учитывать при измерениях. Для учета наклона марок может быть рекомендован следующий метод.

Рис. 50. Датчик больших перемещений

а - глубинная марка; б - верхняя часть марки с датчиком; 1 - бетонная пробка; 2 - штанга; 3 - защитная труба; 4 - сердечник датчика; 5 - катушка индуктивности; 6 - труба-люк; 7 - стержень; 8 - кронштейн

10.30. Принимается, что вращение оползневого знака (марки) происходит вокруг нижнего конца А (рис. 51, а). В результаты наблюдений вносится поправка за наклон марки, равная Dи = h siny. В конечный результат наблюдений за горизонтальным смещением вносится проекция этой поправки (рис. 51, б), которая будет равна:

DS = h sin y/cos æ.                                                   (95)

где h - полная длина марки;

y - угол наклона марки;

æ - угол, образованный плоскостью наклона A¢B¢ направлением смещения оползневой точки.

Поправка к результатам наблюдений за вертикальным смещением составит Dh = h(1 - cosy).

Определение углов y и æ производится с помощью клинометра (рис. 52). Наклон марок рекомендуется определять в том случае, если он становится заметным невооруженным глазом.

Рис. 51. Поправка за наклон марки

а - вертикальная плоскость; б - план

Рис. 52. Клинометр

1 - втулка; 2 - обойма; 3 - цилиндрический уровень; 4 - горный компас; 5 - коническая головка.

ФИЛЬТРАЦИОННЫЕ НАБЛЮДЕНИЯ

10.31. Фильтрационные наблюдения на хранилищах установлены за движением фильтрационного потока из прудка через ограждающие сооружения, в основании и береговых сопряжениях (обходная фильтрация). В задачу фильтрационных наблюдений входит оценка эффективности работы дренажных и противофильтрационных устройств в теле и основании хранилища и их влияние на характер фильтрации.

10.32. Эффективность дренажных и противофильтрационных устройств оценивается прежде всего величиной фильтрационного расхода из дренажа, общим понижением пьезометрических уровней и напоров в теле и основании сооружения, а также наличием выходов фильтрации на поверхность в зоне влияния дренажа.

10.33. При фильтрационных наблюдениях контролируются следующие параметры:

а) отметка уровня воды и глубина отстойного прудка;

б) положение депрессионной кривой в чаше хранилища и ограждающих сооружениях (дамбах и плотинах);

в) пьезометрические уровни грунтовых вод в основании хранилища, в берегах и на прилегающей территории;

г) расходы фильтрационных вод из дренажей системы и сосредоточенных выходов в случае их появления;

д) скорости течения и направление движения фильтрационного потока в теле и основании хранилища.

10.34. Наблюдения за уровнем воды в отстойном прудке хранилища проводятся по специальным водомерным рейкам, устанавливаемым в наиболее доступных и удобных для измерения местах, или с помощью различных автоматических самопишущих приборов (СУВ-М «Валдай», ГР-38 и т.д.).

Рис. 53. Опускные пьезометры

а - шахматный; б - точечный; 1 - защитная труба диаметром 250 мм; 2 - забивка глиной или суглинком; 3 - песчаная засыпка; 4 - труба диаметром 50 - 75 мм; 5 - максимальное положение уровня воды; 6 - скважина диаметром 200 мм; 7 - минимальное положение уровня воды; 8 - подошва сооружения; 9 - песок крупнозернистый промытый или песчано-гравийная смесь; 10 - фильтр; 11 - отстойник; 12 - гравий

10.35. Наблюдения за фильтрацией из хранилища осуществляются с помощью опускных трубчатых пьезометров (рис. 53). В зависимости от назначения пьезометров и места их установки они могут быть шахтными и точечными (глубинными). Шахтные пьезометры устанавливаются в теле отвалов и ограждающих плотин и дамб для контроля за положением депрессионной кривой. Точечные пьезометры устанавливаются в водопроницаемых споях основания и берегов для контроля за распределением пьезометрических уровней грунтового потока.

Рис. 54. Конструкции фильтров пьезометров

а - с применением пластмасс; б - блочные; в - кожуховые; 1 - муфта; 2 - опорный каркас - перфорированная труба; 3 - подкладочная сетка из винипласта; 4 - стеклоткань; 5 - деревянная рейка; 6 - вязальная проволока; 7 - отстойник; 8 - фонарь; 9 - заглушка; 10 - резиновая прокладка; 11 - блок керамический или из пористого бетона; 12 - кожух из кровельного железа; 13 - гравийная обсыпка

10.36. Пьезометр состоит из водоприемной рабочей части (фильтра) с отстойником и глухой надфильтровой колонны труб. Для пьезометров применяются обычные металлические трубы (оцинкованные или неоцинкованные) диаметром 50 - 75 мм. Неоцинкованные трубы покрываются каким-либо антикоррозионным покрытием. Фильтр пьезометра состоит из опорного каркаса в виде перфорированной трубы и водоприемной поверхности. Трубы для водоприемника применяются металлические и неметаллические (винипластовые, полиэтиленовые и пр.). Проходные отверстия выполняются круглыми диаметром 8 - 10 мм или щелевыми шириной 3 - 4 мм и длиной 10 - 15 мм в шахматном порядке рядами через 50 - 100 мм по длине трубы. Расстояние между отверстиями в ряду принимается 40 - 50 мм. Количество отверстий должно обеспечивать скважность трубы не менее 10 - 15 %. В качестве водоприемной поверхности в зависимости от состава грунтов могут применяться сетки из пластмасс и стеклотканей (рис. 54, а); блоки из пористого бетона или керамические (рис. 54, б), а также кожуховые с гравийной обсыпкой (рис. 54, в). Длина водоприемной части принимается для шахтных пьезометров 1,5 - 2 м, а для точечных 0,6 - 0,8 м.

10.37. Пьезометр в собранном виде, т.е. со смонтированным водоприемником и отстойником, устанавливается в буровую скважину диаметром не менее 200 мм, обсаженную трубами. Пространство между пьезометрической трубой и стенкой скважины в точечных пьезометрах засыпается на всю длину водоприемника просеянным и промытым крупнозернистым песком или смесью песка с гравием. В шахтных пьезометрах фильтровая обсыпка делается в пределах возможного колебания депрессионной кривой. Выше и ниже фильтровой обсыпки затрубное пространство забивается пластичной мятой глиной или суглинками. Обсадная труба по мере заполнения скважины извлекается.

Рис. 55. Совмещенный пьезометр

1 - защитная труба с крышкой; 2 - теплоизоляционный материал; 3 - забивка глиной или суглинком; 4 - песчаная засыпка; 5 - пьезометрическая труба диаметром 50 - 75 мм; 6 - скважина диаметром 300 мм; 7 - фильтр; 8 - песок к/з промытый; 9 - гравий; 10 - подошва сооружения; 11 - непроницаемый слой; 12 - сильнопроницаемый слой

10.38. Если необходимо измерить пьезометрические уровни в нескольких точках по глубине сооружения или основания, можно применять совмещенный пьезометр, состоящий из 2 или 3 пьезометров, установленных в одну скважину (рис. 55). Фильтры пьезометров размещаются на разных уровнях и тщательно изолируются с помощью тампонов из глины или суглинка.

10.39. Для наблюдения за фильтрацией на хранилищах, возводимых в суровых климатических условиях, могут быть рекомендованы специальные пьезометры, в которых используются незамерзающие жидкости (антифризы).

10.40. Для измерения порового давления в водоупорных элементах (ядрах, экранах), выполненных из глинистых грунтов, и в слабых грунтах основания применяются закладные дистанционные приборы, разработанные в НИС Гидропроекта (рис. 56):

а) преобразователь порового давления - ПДСП, выпускаемый ПО «Союзэнергоавтоматика»;

б) гидравлические двухтрубные пьезометры.

Рис. 56. Приборы для измерения порового давления

а - преобразователь порового давления - ПДСП; 1 - унифицированный преобразователь давления типа ПДС; 2 - пористая насадка; б - водоприемник двухтрубного гидравлического пьезометра; 1 - головка; 2 - пьезометрическая трубка; 3 - крышка; 4 - стержень; 5 - фильтр (пористый камень); 6 - подкладка

10.41. Для оценки состояния хранилища большое значение имеют данные о фильтрационных расходах как в целом по сооружению, так и на отдельных его участках. Определение величины фильтрационных расходов, установление характера изменения их во времени и в зависимости от тех или иных факторов (интенсивности намыва, состояния прудка и т.д.) дают возможность судить о качестве укладки грунта и работе дренажных и противофильтрационных устройств.

10.42. В связи с этим на хранилище проводятся наблюдения за расходами воды из дренажной системы и сосредоточенных местных очагов фильтраций (ключей, свищей, родников и т.д.), возникающих обычно на низовом откосе сооружения, в берегах и на нижерасположенной территории. Для этого все места выхода фильтрационных вод копируются, оборудуются измерительными устройствами и защищаются от промерзания в зимнее время с помощью тепляков. Пути отвода фильтрационной воды также защищаются от промерзания.

10.43. Измерения расходов производятся с помощью мерных водосливов, мерных сосудов (объемный способ), гидрометрических вертушек и поплавков, а также по производительности насосов, откачивающих воду из дренажной насосной станции. Способ измерения выбирается с учетом конкретных условий (величины расхода, конструкции дренажных и водоотводящих устройств и т.п.). Для хранилищ, имеющих дренажные перепадные колодцы, может быть рекомендовано весьма простое по конструкции устройство в виде мерного бачка (рис. 57).

10.44. При измерении фильтрационных расходов отбираются пробы воды для определения ее мутности. Мутность воды определяется в начале визуально. При наличии в фильтрационной воде значительного количества частиц грунта организуются регулярные измерения твердого расхода в лабораторных условиях.

10.45. Для определения скорости и направления движения фильтрационного потока рекомендуется пользоваться методом индикаторов или радиоактивными изотопами с применением способа наблюдательных скважин. Для этой цели используется существующая пьезометрическая сеть.

Рис. 57. Мерный бачок для измерения расхода в перепадных дренажных колодцах

1 - металлический бачок; 2 - отверстие, фиксирующее конец замера; 3 - отверстие начала замера; 4 - клапан закрытия отводящей трубы; 5 - мерный объем; 6 - дренажный колодец; 7 - водоотводящий коллектор

10.46. Замеры уровня воды в открытых пьезометрах и наблюдательных скважинах производятся с помощью приборов-уровнемеров. Применяются механические устройства с хлопушкой (РС-20, Р-50) и различные электроконтактные уровнемеры, состоящие из наконечника и измерительного устройства (УЛ-50 и УЛ-100, ЭB-1М и др.). Эти приборы требуют применения ручного труда, а процесс измерения при наличии большого количества скважин, расположенных на значительной площади, длительный и весьма трудоемкий.

10.47. Достоверная и оперативная информация о положении депрессионной кривой в ограждающих сооружениях и зеркала подземных вод в основании хранилища может быть получена с помощью автоматических и дистанционных устройств, позволяющих вести непрерывный контроль за изменением уровня воды в скважинах. С этой целью применяются следующие устройства:

а) датчик уровня пружинный (ДУП), разработанный в институте ВИОГЕМ, выпускается для трех пределов измерений в 25, 40 и 100 м;

б) гидростатический датчик давления для измерения высоты столба воды в пьезометрах - институт Казмеханобр (авт. свид. № 539238);

в) автоматический регистратор уровня подземных вод (АРУ-1) - институт Гидрингео объединения «Узбекгидрогеология» (авт. свид. № 720143);

г) гидростатический скважинный уровнемер с дистанционной записью показаний - разработан в Свердловском горном институте.

НАБЛЮДЕНИЯ ЗА ТЕМПЕРАТУРОЙ И ХИМИЧЕСКИМ СОСТАВОМ ФИЛЬТРАЦИОННОЙ ВОДЫ

10.48. В целях более полного освещения режима фильтрации из хранилища и определения степени загрязнения грунтовых вод сточными водами регулярно проводятся наблюдения за температурой и химическим составом фильтрационной воды. При этих наблюдениях определяются температура и химический состав воды в отстойном прудке, в пьезометрах (в фильтровой части), в дренажной системе (непосредственно в дренаже или на выходе) и в местных очагах фильтрации.

10.49. Температура воды определяется с помощью различных жидкостных (ртутных) и электрических термометров. Ртутные термометры помещают в металлическую оправу и «заленивливают». В качестве теплоизоляционного материала применяются измельченная пробка с сургучом, медные опилки, пластилин, губчатая резина и т.д. Электротермометры состоят из полупроводниковых терморезисторов (ММТ-1, ММТ-4, КМТ-4), которые помещаются в медные или латунные капсулы и изолируются различными герметиками. Они обеспечивают большую точность измерений (±0,05°).

10.50. Отбор проб воды для химического анализа и выполнение самого анализа производятся в соответствии с общепринятой методикой.

ВИЗУАЛЬНЫЕ НАБЛЮДЕНИЯ

10.51. Помимо инструментальных наблюдений, на всех хранилищах систематически проводятся визуальные наблюдения с целью выявления возможных скрытых дефектов и повреждений, возникающих во время эксплуатации.

10.52. Визуальные наблюдения заключаются в регулярных осмотрах внешнего состояния сооружений хранилища и прилегающей к ним территории.

При осмотрах особое внимание обращается на:

насыщение низового откоса фильтрационной или поверхностной водой, появление мокрых пятен и выходов воды, свидетельствующих о выклинивании депрессионной кривой на откос;

появление новых и развитие существующих сосредоточенных очагов фильтрации воды с выносом или без выноса грунта из основания у подошвы ограждающих сооружений;

наличие местных деформаций на откосах и гребне ограждающих дамб и плотин, а также пляже намыва в виде осыпей, оползней, оплывин, просадок, выпоров, провальных воронок, продольных и поперечных трещин;

наличие пучения или выпора грунтов на примыкающей к хранилищу территории;

состояние дренажных, водосбросных и водоотводящих устройств;

наличие промоин и других повреждений от действия атмосферных (ливневых и талых) вод, ледяного и снегового покрова, а также от размыва потоком пульпы;

появление наледей у подошвы низового откоса, на дренажных и водоотводящих устройствах;

состояние контрольно-измерительной аппаратуры.

10.53. Обнаруженные при осмотрах дефекты заносятся в журнал визуальных наблюдений, наносятся на план хранилища, нумеруются и привязываются к соответствующим ориентирам. На хранилище дефектные места обозначаются специальными вешками (сигнальными знаками), по которым они могут быть легко найдены.

В случае необходимости на участках, где имеются значительные дефекты, организуются соответствующие инструментальные наблюдения с помощью контрольно-измерительной аппаратуры.

10.54. С появлением на гребне и откосах ограждающих сооружений трещин возникает опасность оползания откоса или образования сосредоточенной фильтрации, сопровождающейся размывом грунта. Обнаруженные трещины фиксируются в журнале визуальных наблюдений, где отмечается их направление (продольная, поперечная, косая) и размеры (длина, ширина и глубина распространения). Наблюдения за дальнейшим развитием трещин проводятся с помощью временных марок в виде обрезков арматуры или труб, устанавливаемых по концам и с боков трещины.

10.55. Наблюдения за дренажными, водосбросными и водоотводящими устройствами заключаются в поддержании их в нормальном состоянии, обеспечивающем достаточную пропускную способность и надежность в работе в процессе эксплуатации и консервации хранилища. Эти сооружения следует периодически очищать от заиления грунтом и засорения посторонними предметами, восстанавливать поврежденные крепления откосов, расстроенные стыки, швы и т.п.

10.56. Кроме вышеперечисленных текущих наблюдений, 2 - 3 раза в год производятся более тщательные и детальные обследования всех сооружений хранилища специальной комиссией, в состав которой обязательно должны входить представители дирекции комбината или обогатительной фабрики. Во время этих обследований проверяется общее состояние сооружений с привлечением результатов измерений по контрольно-измерительной аппаратуре и устанавливается необходимость в проведении ремонтно-восстановительных мероприятий.

РАЗМЕЩЕНИЕ КИА

10.57. Количество КИА и ее размещение зависят от класса капитальности хранилища, его конструкции, наличия тех или иных дренажных и противофильтрационных устройств в теле и основании, инженерно-геологических и гидрогеологических условий основания, методов возведения и особенностей эксплуатации.

10.58. Для размещения КИА оборудуют наблюдательные створы, которые располагаются непосредственно на хранилище и на прилегающей территории. Направление створов выбирается так, чтобы оно совпадало с возможным направлением движения фильтрационного потока из хранилища через ограждающие дамбы и в основании.

10.59. На хранилищах равнинного типа, имеющих значительную протяженность ограждающих дамб, наблюдательные створы рекомендуется размещать через 200 - 300 м. При наличии в основании слабопрочных грунтов (илы, лёссы, торф) расстояние между створами сокращается до 100 - 150 м. На хранилищах овражно-балочного типа с ограждающими плотинами сравнительно небольшой длины принимается минимальное количество створов - три. В процессе эксплуатации хранилищам участках, на которых наблюдаются значительные и неравномерные деформации или усиленная фильтрация, сопровождаемая суффозионными процессами, устанавливаются дополнительные створы.

10.60. Основные наблюдательные створы устраиваются совмещенными, т.е. оборудуются всеми видами необходимой КИА. В дополнительных створах устанавливаются только те приборы, которые необходимы на данном участке, например пьезометры, если имеются нарушения фильтрационного режима, или марки, если наблюдаются аномальные явления в ходе деформаций.

10.61. По соображениям условий производства работ, связанных с бурением скважин и удобства проведения наблюдений целесообразно КИА размещать на гребне и бермах низового откоса ограждающих сооружений хранилища. Выводы кабелей и труб от закладных приборов (датчиков порового давления, термодатчиков) и регистрирующую аппаратуру также следует размещать в местах, удобных для производства замеров, используя для этой цели бермы и другие горизонтальные площадки.

10.62. Если в теле и основании ограждающей дамбы или плотины выполнены дренажные или противофильтрационные устройства (экран, ядро, завеса и т.д.), то пьезометры в поперечном профиле сооружения располагаются таким образом, чтобы можно было в полной мере оценить эффективность этих устройств.

10.63. Для проведения стационарных наблюдений за режимом подземных вод в районе строительства хранилища создается режимная наблюдательная сеть. Режимная сеть основывается на базе имеющихся разведочных скважин (с максимальным их использованием) и в процессе эксплуатации хранилища дополняется пьезометрами. Если в основании хранилища имеется несколько водоносных горизонтов, то наблюдательные скважины устанавливаются в каждом водопроницаемом слое. В этом случае устраиваются «кусты» скважины или применяются совмещенные пьезометры (см. рис. 57).

10.64. Количество марок в наблюдательном створе зависит от высоты хранилища, его конструкции и состояния основания. На ограждающих дамбах и плотинах наливных хранилищ количество поверхностных марок в поперечном профиле составляет 3 - 5 шт. На хранилищах, возводимых намывом с постоянным наращиванием, поверхностные марки рекомендуется устанавливать через 10 - 15 м по высоте после намыва очередного яруса. Глубинные марки следует располагать на участках с максимальной высотой сооружения при наличии в основании слабо прочных грунтов значительной мощности. Они устанавливаются реже, чем поверхностные марки, и количество их в поперечном профиле может составлять 2 - 3.

10.65. Примерное размещение КИА на ограждающих дамбах и плотинах различных типов хранилищ показано на рис. 58 - 60.

Рис. 58. Размещение КИА на шламохранилище намывного типа

1 - трубчатый дренаж; 2 - пионерная дамба; 3 - ярусные дренажи; 4 - пьезометр; 5 - поверхностная марка; 6 - глубинная марка; 7 - депрессионная кривая во время намыва; 8 - то же, после намыва; 9 - прудок; 10 - отложения шламов; 11 - непроницаемые грунты; 12 - проницаемые грунты

Рис. 59. Размещение КИА в теле и основании ограждающих дамб

а - однородная дамба; б - дамба с грунтовым экраном; 1 - пьезометр; 2 - поверхностная марка; 3 - глубинная марка; 4 - депрессионная кривая; 5 - трубчатый дренаж; 6 - дренажная канава; 7 - горизонтальный дренаж; 8 - завеса; 9 - уровень грунтовых вод; 10 - проницаемые грунты; 11 - непроницаемые грунты; 12 - отложения шлама; 13 - экран; 14 - дренажная призма; 15 - комбинированный дренаж

ПРОИЗВОДСТВО РЕМОНТНЫХ РАБОТ

10.66. При появлении каких-либо повреждений ограждающих сооружений хранилища производятся необходимые ремонтно-восстановительные работы. В зависимости от характера повреждений ремонт может быть текущим и капитальным.

Рис. 60. Размещение КИА в теле и основании ограждающих плотин с ядром

а - намывная плотина; б - насыпная плотина; 1 - поверхностная марка; 2 - пьезометр; 3 - мелкопесчаное ядро; 4 - боковая призма; 5 - депрессионная кривая; 6 - дренажная призма; 7 - проницаемый слой; 8 - противофильтрационная завеса; 9 - отложение шлама; 10 - ядро из связных грунтов; 11 - глубинная многоярусная марка; 12 - глубинная марка

10.67. К текущему ремонту относятся работы, которые охватывают небольшие объемы исправлений и не требуют сложных технических мероприятий или конструктивных изменений. К ним относятся: заделка неглубоких трещин и промоин, исправление оплываний откосов, каптаж выходов фильтрационной воды на поверхность и т.п.

10.68. Для немедленного устранения такого рода повреждений, в том числе и ликвидации повреждений аварийного характера на хранилище в легко доступном месте должен постоянно находиться достаточный запас строительных материалов и инструментов (бревен, досок, камня, мешков с песком, канатов, веревок, лопат, топоров, багров и т.п.).

10.69. Ремонтные мероприятия, осуществляемые силами эксплуатационного персонала хранилища:

а) места небольших просадок поверхности дамб и плотин засыпаются грунтом, из которого состоит сооружение;

б) при выходе фильтрационной воды на откос в виде струй в месте выхода устраиваются неглубокие траншеи, которые заполняются дренирующим материалом различной крупности;

в) места выхода фильтрационной воды (грифонов, свищей, ключей) в основании и берегах засыпаются песчаным материалом с последующей пригрузкой его гравием или щебнем;

г) при оплывании откоса под действием фильтрационных вод устраивается фильтрующая пригрузка из 2 - 3 слоев дренирующих материалов, подобранных по принципу обратного фильтра, толщиной 0,4 - 0,6 м;

д) места размыва низового откоса ливневыми водами укрепляются отсыпкой каменного материала;

е) участки разрушенного волнами крепления верхового откоса дамб и плотин засыпаются крупным камнем; если разрушением затронуто тело сооружения, то предварительно отсыпается подготовка из гравия или щебня;

Рис. 61. Схемы заделки трещин в разрезе

а - продольной; б - поперечной; 1 - гребень ограждающей дамбы; 2 - трещина; 3 - траншея; 4 - замок

ж) сквозные промоины и воронки размыва на пляже намыва и верховом откосе заделываются мешками с грунтом с последующем наложением пластыря из брезента или полиэтиленовой пленки с защитной песчаной пригрузкой.

10.70. Трещины, образующиеся на поверхности дамб и плотин, подлежат заделке в возможно короткие сроки. Продольные и поперечные трещины заделываются путем устройства траншей вдоль оси трещины на 0,3 - 0,5 м ниже ее глубины. Траншея выполняется трапецеидальной формы и заполняется тем же грунтом, из которого состоит сооружение, слоями не более 0,15 м с тщательным трамбованием. В случае выполнения работ при отрицательной температуре воздуха заполнение траншеи производится обязательно талым грунтом. Не следует допускать промерзания уложенного грунта перед отсыпкой последующего слоя. Заделка трещин производится при пониженном уровне воды в прудке, чтобы фильтрационная вода не попадала в траншею. Схемы заделки трещин показаны на рис. 61.

10.71. Если указанные в п. 10.69 мероприятия не приведут к должному эффекту и вновь будут образовываться выходы фильтрационной воды с большими расходами, глубокие промоины и размывы, а также оползания значительных масс грунта, которые могут быть причиной нарушения надежности сооружения, необходимо провести специальные ремонтно-восстановительные мероприятия. Для выяснения причин этих нарушений и разработки ремонтных мероприятий привлекаются специалисты проектных и научно-исследовательских организаций.

10.72. К капитальному ремонту относятся работы, в процессе которых производится восстановление частично нарушенных или замена вышедших из строя конструктивных элементов сооружения. К ним также относится устройство новых элементов, улучшающих эксплуатационные качества сооружения, необходимость в которых возникла в процессе эксплуатации хранилища. Такими элементами являются дренажи (горизонтальные и вертикальные), противофильтрационные устройства (экраны, ядра, завесы), водосбросные и водоотводящие устройства (колодцы, коллекторы и т.д.).

10.73. Капитальный ремонт сооружений выполняется в соответствии с проектом, в котором разрабатываются способы производства ремонтных работ, намечаются сроки, указываются необходимые материалы и стоимость ремонта. Для составления проекта привлекаются специализированные проектные и научно-исследовательские организации. Выполнение капитального ремонта производится специализированными ремонтно-строительными организациями.

10.74. График проведения текущего ремонта составляется по результатам визуальных наблюдений за состоянием хранилища. План капитального ремонта составляется на основании результатов общих и внеочередных осмотров сооружений и данных наблюдений по КИА.

11. КОНСЕРВАЦИЯ ХРАНИЛИЩ ПОСЛЕ ИХ ЗАПОЛНЕНИЯ

11.1. В настоящем разделе рассматриваются вопросы консервации только хвостохранилищ.

11.2. Под консервацией намытого или отсыпанного хранилища следует понимать прекращение складирования хвостов - отходов обогащения руды и сохранение его массива в безаварийном состоянии, исключающем загрязнение окружающей среды в течение неопределенного срока, с использованием территории хранилища для сельского хозяйства или других народнохозяйственных целей. Прекращение складирования хвостов, как правило, наступает: после заполнения его до проектного объема или выработки рудного тела.

11.3. Целью консервации является возвращение территории, временно отведенной под хранилище, для дальнейшего постоянного использования ее в различных целях.

11.4. В рабочем проекте хранилища должны быть разработаны мероприятия по его консервации и приведены необходимые конструктивные решения, связанные с консервацией.

В пояснительной записке к рабочему проекту хранилища должны быть освещены все необходимые предложения по консервации, рекультивации, благоустройству и использованию в народнохозяйственных целях территории хранилища и прилегающих к нему земель, временно отчужденных под хранилища.

11.5. Рабочим проектом устанавливается характер консервации: временная, частичная или полная консервация хранилища на неопределенный срок, когда известно, что в дальнейшем это хранилище эксплуатироваться не будет.

11.6. Временная или частичная консервация хранилища осуществляется в случаях, когда:

предполагается переработка хвостов этого хранилища с целью дополнительного извлечения руды, ранее не обогащавшихся руд или редких элементов с использованием новой технологии их обогащения;

консервируемое хранилище сразу же или в ближайшие годы будет использовано в качестве временного постоянного отстойного пруда для осветления воды, идущей в оборотное водоснабжение.

11.7. В консервацию входит:

приведение низовых (внешних) откосов ограждающих дамб в состояние, обеспечивающее постоянную их устойчивость после консервации;

проведение мероприятий, предупреждающих пыление пляжа намыва, низовых откосов ограждающих дамб: покрытие их дерном, слоем щебня, гравия, битумизированным слоем, укрепление посевом трав или защита другими способами, снижающими или исключающими пыление откосов и гребня дамбы;

в отдельных случаях проведение нейтрализации или промывание с целью удаления вредных для окружающей среды флозореагентов, адсорбированных на хвостах;

прогнозирование изменения депрессионной кривой в ограждающих дамбах консервируемого хранилища с целью применения мероприятий, обеспечивающих статическую, фильтрационную и динамическую устойчивость ограждающих дамб после консервации хранилища;

восстановление и расчистка водосбросных нагорных канав и канав, отводящих атмосферные ливневые воды, поступающие в хранилище с окружающей водосбросной площади, приведение их в состояние, обеспечивающее нормальную безаварийную эксплуатацию хранилища после его консервации;

обеспечение пропуска весенних талых и ливневых вод, если они поступали в него во время эксплуатации хранилища (устройство ливнестоков, предохраняющих поверхность хранилища от эрозии);

переключение дренажа на самотечный сброс дренажных вод без станции перекачки;

демонтаж оборотного водоснабжения обогатительной фабрики;

тампонирование излишних (которые не будут работать) водосбросных колодцев и коллекторов с целью снижения или полного исключения возможных аварий законсервированного хранилища;

ремонт действующих и оставляемых водосбросных коллекторов и обеспечение нормальной их эксплуатации после консервации;

осуществление постоянного контроля за состоянием законсервированного хранилища, в том числе по сохранившейся контрольно-измерительной аппаратуре, ответственным лицом, назначаемым по приказу в соответствии со специально составленной инструкцией;

перекачивание трудно консолидируемых жидких отходов в специальный пруд-отстойник или в новое хранилище;

осушение прудковой зоны с использованием дренажа и засыпки ее крупнозернистыми хвостами (отходами обогащения), забираемыми с гребня ограждающей дамбы, для чего необходимо в последние годы эксплуатации хранилища производить накапливание крупнозернистых хвостов на пляже намыва сокращением длины гребня дамбы максимальным смещением его в сторону прудка;

обязательное проведение максимального обезвоживания прудковой зоны и ограждающих дамб, особенно в сейсмических районах хранилищ, расположенных над или вблизи жилых поселков с целью предупреждения разрушений хранилища при землетрясениях;

подсыпка растительного грунта и планировка его на прудковой зоне в соответствии с характером использования консервируемого хранилища;

разработка мероприятий по консервации с учетом характера расположения и вида хранилища (равнинное, овражное, косогорное и т.д.), расположения хранилища относительно поселка, города, жилых застроек, а также климатических условий;

установление и закрепление законодательно организации, отвечающей за состояние и дальнейшую эксплуатацию законсервированного хранилища, а также за выполнение мер по сохранению консервации.

11.8. При разработке проекта консервации хранилища необходимо проводить расчеты по ее экономической эффективности: за счет сохранения окружающей среды - защиты воздуха от пыления с намытого пляжа, гребня и низовых откосов, защиты грунтовых вод и загрязнений хвостами окружающей территории от эрозии низовых откосов, а также за счет экономии от использования возвращаемой территории законсервированного хранилища полностью окупленной горно-обогатительным комбинатом в процессе эксплуатации хранилища, за вычетом стоимости работ по консервации хранилища.

12. ТЕХНИКО-ЭКОНОМИЧЕСКИЕ РАСЧЕТЫ И ПОКАЗАТЕЛИ

12.1. При сравнении вариантов ряда решений конструкций шламонакопителей, хвостохранилищ и буферных накопителей рекомендуется использовать материалы настоящих Рекомендаций.

12.2. Технико-экономические показатели даны в ценах, действующих с 1 января 1982 г. Штатные коэффициенты для расчета численности промышленно-производственного персонала рассчитаны по данным фактического обследования 11 ГОКов и проектным материалам.

12.3. Технико-экономические расчеты производят по следующим основным показателям:

а) капитальные вложения и удельные капитальные затраты (тыс. руб. и руб./натуральную единицу измерения);

б) эксплуатационные затраты и себестоимость (тыс. руб. и руб./натуральную единицу измерения);

в) приведенные затраты (тыс. руб. и руб./натуральную единицу измерения).

Расчет капитальных вложений

12.4. Капитальные вложения на стадии рабочего проекта определяют в соответствии с указаниями Госстроя СССР, изложенными в Строительных нормах и правилах, а на стадии проекта - по сведениям настоящих Рекомендаций.

12.5. Для определения величины капитальных вложений строительства хранилища (шламонакопителя или хвостохранилища) используются данные табл. 19. В таблице приведены удельные капитальные вложения строительства хранилищ в зависимости от их объема. В этих показателях не учтены затраты на проведение специальных строительных работ по устройству противофильтрационных экранов, дренажей, отвода грунтовых вод, отвода ливневого стока и т.п.

Таблица 19

Объем хвостохранилищ, млн. м3

Удельные капиталовложения, руб./1000 м3 строительства хвостохранилищ

Капитальные вложения, тыс. руб.

10 - 20

278

2780 - 5560

30 - 40

238

7140 - 9520

50 - 60

208

10400 - 12480

70 - 80

183

12810 - 14640

90 - 100

165

14850 - 16500

110 - 120

150

16500 - 18000

130 - 140

140

18200 - 19600

150 - 160

132

19800 - 21120

170 - 180

125

21250 - 22500

190 - 200

120

22800 - 24000

210 - 220

112

23520 - 24640

230 - 240

108

24840 - 25920

250 - 260

102

25500 - 26520

270 - 280.

96

25920 - 26880

290 - 300*

90

26100 - 27000

______________

* Удельные капитальные вложения при объеме хвостохранилищ свыше 300 млн. м3 составляют 90 руб./1000 м3.

12.6. Технико-экономические показатели по капиталовложениям рассчитаны для условий Донецко-Приднепровского экономического района Украинской ССР.

Коэффициенты удорожания строительства по некоторым районам СССР составляют: Закавказье - 1,33 (горные районы 5,0), Казахстан, Средняя Азия, Урал - 1,42; южные районы Сибири - 1,83; зона строительства БАМа - 2,30; юг Дальнего Востока - 1,70; север Дальнего Востока - 2,50, районы севернее Полярного круга - 3,00.

12.7. При наличии в схеме буферного накопителя расчет капитальных вложений проводят аналогично расчетам по хвостохранилищам.

При необходимости сгущения пульпы на радиальных сгустителях расчет капитальных вложений для этих целей производят по укрупненным показателям стоимости строительства.

Неучтенные капиталовложения (затраты на благоустройство, отвод земель и зон санитарной охраны, приобретение основных средств для организации ремонтных служб и т.п.) составляют до 7 %.

Расчет эксплуатационных расходов

12.8. В смету включают затраты на обслуживание шламонакопителей, хвостохранилищ и буферных накопителей запроектированных сооружений.

12.9. Нормы обслуживания хвостохранилищ и количество эксплуатационного и ремонтного персонала рассчитывают по следующим нормативам (табл. 20).

Таблица 20

Объем хвостохранилищ, млн. м3

Численность обслуживающего персонала, чел.

Средний тарифный разряд

Штатный коэффициент, чел/млн. м3

Численность ремонтного персонала, чел.

Средний тарифный разряд

Штатный коэффициент, чел/млн. м3

10 - 20

22

4,3

1,46

12

3,6

0,80

30 - 40

23

4,0

0,65

15

3,6

0,42

50 - 60

25

40

0,45

17

3,6

0,30

70 - 80

28

4,0

0,37

20

3,6

0,26

90 - 100

30

4,0

0,31

21

3,6

0,22

100 - 120

34

3,9

0,29

22

3,5

0,19

130 - 140

38

3,9

0,28

23

3,5

0,17

150 - 160

42

3,8

0,27

25

3,5

0,16

170 - 180

46

3,8

0,26

26

3,5

0,14

190 - 200

50

3,8

0,25

27

3,4

0,13

210 - 220

53

3,7

0,24

28

3,4

0,13

230 - 240

56

3,7

0,23

29

3,4

0,12

250 - 260

56

3,6

0,21

30

3,3

0,11

270 - 280

58

3,6

0,21

30

3,3

0,10

290 - 300

60

3,5

0,20

30

3,3

0,10

12.10. Нормы обслуживания буферных накопителей принимаются аналогично показателям по хвостохранилищам.

12.11. По приведенным данным рассчитывают численность рабочих, занятых на эксплуатации и текущем ремонте сооружений хвостохранилищ и буферных прудов ГОКов, и фонд их заработной платы. Фонд заработной платы непроизводственного административно-управленческого, инженерно-технического, младшего обслуживающего персонала учитывают в составе цеховых расходов (по статье «Прочие цеховые расходы») .

12.12. Амортизационные отчисления предназначаются для восстановления изнашивающихся основных фондов и определяются в соответствии с Нормами амортизационных отчислений по основным фондам народного хозяйства СССР и положении о порядке планирования начислений и использования амортизационных отчислений в народном хозяйстве (М.: Экономика 1974 г.).

12.13. Цеховые расходы включают заработную плату и отчисления в соцстрах цехового персонала; расходы по охране труда; на содержание оборудования, зданий, сооружений и инвентаря; текущий ремонт; расходы на испытания, опыты, исследования; погашение затрат на малоценные и быстроизнашивающиеся приспособления, инструмент, инвентарь, расходы по их восстановлению и т.п.

Расходы по охране труда принимаются равными 6 % общего фонда заработной платы. Расходы по содержанию основных фондов принимаются равными 1,5 % величины капиталовложений, на текущий ремонт - 2,5 %. Расходы на испытания, опыты, исследования принимаются равными 1 % общего фонда зарплаты. Остальные цеховые расходы принимаются равными 20 % суммы предыдущих статей цеховых расходов.

СОДЕРЖАНИЕ

Предисловие. 1

1. Общие положения. 2

Область применения. 2

Основная терминология. 2

Классификация хранилищ.. 4

Требования к ограждающим дамбам.. 5

Местные строительные материалы, грунты полезных выемок. 5

2. Топографические, гидрологические, инженерно-геологические и гидрогеологические изыскания и исследования. 5

Топографические и гидрологические изыскания. 6

Инженерно-геологические изыскания и геотехнические исследования. 6

Облегченные требования к изысканиям для сооружений iv и v классов капитальности. 7

Оценка грунтов чаши хранилища и оснований сооружений узла. 8

3. Проектирование хранилища. 9

Общие положения. 9

Содержание проекта хранилища. 9

Технологическая часть проекта. 10

Строительная часть проекта. 10

Организация строительства. 10

Выбор места расположения площадки для хранилища. 10

Класс капитальности хранилища. 12

Оценка оснований чаши хранилища и его сооружений. 13

Допускаемые разрывы между сооружениями хранилищ (шламонакопителей и хвостохранилищ) и населенными пунктами, водоемами и др. 14

Расчет емкости хранилища. 16

Защита от подтопления, заболачивания и загрязнения территории за пределами хранилища. 16

4. Расчетные физико-механические характеристики отходов обогащения руды.. 17

Теплотехнические характеристики отходов. 28

5. Проектирование гидротехнических сооружений хранилища. 29

Особенности конструкций плотин и дамб хранилищ.. 29

Выбор конструкции плотины (дамбы) хранилища и ее элементов. 33

Дренажные устройства хранилища. 37

Противофильтрационные устройства. 39

6. Расчеты плотин и дамб хранилищ на устойчивость, осадку и фильтрацию.. 44

Расчеты устойчивости ограждающих сооружений. 44

Расчет устойчивости намывных ограждающих дамб. 51

Расчет осадок ограждающих дамб и плотин хранилищ.. 52

Расчет фильтрации сточной жидкости из хранилища. 53

7. Гидротранспорт отходов обогащения руды.. 54

Общие положения. 54

Трасса пульповодов. 55

Гидравлические расчеты пульповодов. 57

Гидравлический удар и борьба с ним.. 59

8. Строительство плотин и дамб хранилища и их эксплуатация. 62

Строительство плотин и дамб хранилища. 62

Строительство дамб вторичного обвалования. 64

Схема заполнения хранилища замывом отходов. 65

Подача пульпы для намыва отходов в хранилища. 67

Намыв отходов с эстакад малой высоты.. 67

Подача пульпы с высоких эстакад. 68

Подача пульпы зенитным способом с подкладок. 68

Подача пульпы в хранилище рассредоточенным способом с наклонных лаг. 69

Подача пульпы безэстакадным способом.. 70

Картовый намыв отходов. 71

Выбор рациональных схем удаления и складирования отходов (хвостов) обогатительных фабрик. 74

Раскладка отходов (хвостов) в хранилище при разных способах замыва. 79

Эксплуатация хранилищ.. 79

Мероприятия по борьбе с пылением поверхности складируемых отходов в хранилищах. 81

Намыв и укладка отходов (хвостов, шламов) в зимних условиях. 82

9. Водосбросные сооружения, водный баланс хранилища и оборотное водоснабжение. 87

Водосбросные сооружения. 87

Водный баланс хранилища. 88

Оборотное водоснабжение. 88

Расчет прудка-отстойника. 90

Расчет коллектора. 91

Нормативные постоянные нагрузки и усилия на водосбросные коллекторы хранилищ.. 93

Радиальные и касательные силы.. 93

10. Контрольные наблюдения за состоянием гидротехнических сооружений хранилищ.. 98

Общие положения. 98

Наблюдения за деформациями. 99

Фильтрационные наблюдения. 105

Наблюдения за температурой и химическим составом фильтрационной воды.. 110

Визуальные наблюдения. 111

Размещение киа. 112

Производство ремонтных работ. 113

11. Консервация хранилищ после их заполнения. 116

12. Технико-экономические расчеты и показатели. 117

Расчет капитальных вложений. 118

Расчет эксплуатационных расходов. 119

 



© 2013 Ёшкин Кот :-)