Информационная система
«Ёшкин Кот»

XXXecatmenu

ГОСТ 2.851-75

МЕЖГОСУДАРСТВЕННЫЙ СТАНДАРТ

ГОРНАЯ ГРАФИЧЕСКАЯ ДОКУМЕНТАЦИЯ

ОБЩИЕ ПРАВИЛА ВЫПОЛНЕНИЯ
ГОРНЫХ ЧЕРТЕЖЕЙ

ИПК ИЗДАТЕЛЬСТВО СТАНДАРТОВ
Москва

МЕЖГОСУДАРСТВЕННЫЙ СТАНДАРТ

Горная графическая документация

ОБЩИЕ ПРАВИЛА ВЫПОЛНЕНИЯ ГОРНЫХ ЧЕРТЕЖЕЙ

Rock graphic documentation.
General rules for representation of rock drawing

ГОСТ
2.851-75

Дата введения 01.01.80

Настоящий стандарт устанавливает общие правила выполнения чертежей горной графической документации всех отраслей промышленности, ведущих разработку месторождений твердых полезных ископаемых.

Стандарт не распространяется на планы земной поверхности горных предприятий, выполняемые по техническим требованиям ГУГК.

Стандарт соответствует рекомендации СЭВ по стандартизации PC 446-65.

1. ФОРМАТЫ

1.1. Форматы горных чертежей, за исключением маркшейдерских планшетов, - по ГОСТ 2.301.

1.2. Чертежи профилей рельсовых путей в подземных горных выработках и продольные профили коммуникаций на земной поверхности и на открытых разработках следует выполнять на формате с размерами сторон 210´594 мм.

2. МАСШТАБЫ

2.1. Масштабы изображений на горных чертежах должны выбираться из следующего ряда: 1:5; 1:10; 1:20; 1:50; 1:100; 1:200; 1:500; 1:1000; 1:2000; 1:5000; 1:10000; 1:25000.

2.2. Разрезы, сечения, профили допускается выполнять в разных масштабах в горизонтальном и вертикальном направлениях. В таких случаях указывается вверху масштаб горизонтальный, а под ним - вертикальный, например:

1:5000

1:500.

2.3. Масштаб изображения на чертеже, отличающийся от указанного в основной или титульной (для маркшейдерско-геологических чертежей) надписи, следует указывать непосредственно под надписью, относящейся к изображению, например:

2.4. На маркшейдерско-геологических чертежах масштаб следует указывать под титульной надписью.

3. ЛИНИИ

3.1. Начертания и основные назначения линий - по ГОСТ 2.303 и табл. 1 настоящего стандарта, кроме маркшейдерско-геологических чертежей.

3.2. На маркшейдерско-геологических чертежах допускается толщина сплошной основной линии от 0,1 до 0,8 мм.

На чертежах, применяемых в качестве технических плакатов, допускается увеличивать толщину линий по сравнению с указанными в ГОСТ 2.303.

Таблица 1

Наименование

Начертание

Толщина по отношению к толщине сплошной основной линии

Основное назначение

1. Сплошная основная

s

Линия фактического контура всех горных выработок и сооружений на видах и разрезах (сечениях).

Линии контуров горных выработок и сооружений на проектных чертежах

2. Сплошная тонкая

s

3

Линии размерные и выносные.

Линии штриховки.

Линии выноски.

Линии упрощенных контуров сложных криволинейных форм.

Горизонтали.

Изолинии.

Линии границ горных пород на разрезах и сечениях

3. Сплошная волнистая

s

Линии обрыва.

Линии разграничения вида и разреза

4. Штриховая

s

2

Линии невидимых контуров горных выработок, сооружений, находящихся за плоскостью проекций (разреза)

5. Штрихпунктирная тонкая

s

3

Линии осевые и центровые горных выработок, нижняя бровка насыпей (отвалов, терриконов, навалов и др.)

6. Штрихпунктирная утолщенная

Линии контуров горных выработок и сооружений, находящихся перед плоскостью проекций (разреза)

7. Разомкнутая

Линии сечений

8. Сплошная тонкая с изломами

s

3

Длинные линии обрыва на планах и разрезах

Примеры применения линий показаны на черт. 1 - 4.

3.3. В случаях, когда на горных чертежах, кроме фактических контуров горных выработок, указывают и проектные контуры, то их следует выделять линиями того же типа, но меньшей толщины (черт. 4). Допускается в этих случаях выделять проектные контуры цветом.

3.4. Начертание, толщина и назначение линий для условных обозначений - по ГОСТ 2.853.

Черт. 1

Черт. 2

Черт. 3

Черт. 4

Примечание. Номера позиций на черт. 1 - 4 соответствуют номерам пунктов табл. 1.

4. ПРАВИЛА ВЫПОЛНЕНИЯ НА ГОРНЫХ ЧЕРТЕЖАХ НАДПИСЕЙ,
ТЕХНИЧЕСКИХ ТРЕБОВАНИЙ И ТАБЛИЦ

4.1. Правила нанесения на чертежах надписей и технических требований - по ГОСТ 2.316 с учетом требований настоящего стандарта.

4.2. Надписи должны выполняться шрифтом по ГОСТ 2.304. Надписи на топографических планах поверхности должны выполняться шрифтами, принятыми в условных знаках ГУГК.

4.3. Допускается надписи в условных обозначениях выполнять узким шрифтом по ГОСТ 2.853.

4.4. Названия изображаемых объектов следует указывать полностью. Если места для полного названия недостаточно, то допускается его сокращать в соответствии с ГОСТ 2.853.

4.5. Надписи на горных чертежах, кроме маркшейдерско-геологических, следует располагать параллельно основной надписи - в контуре изображения, над ним или слева от него на линии-выноске (черт. 5). Названия или пояснительные надписи вытянутых объектов следует выполнять внутри изображения или над ним параллельно продольной оси (черт. 6). Цифровые данные, поясняющие изображенный объект, следует наносить справа от изображения.

Черт. 5

Черт. 6

Черт. 7

4.6. Надписи на геолого-маркшейдерских чертежах и условных обозначениях следует выполнять по ГОСТ 2.853.

4.7. Значения горизонталей, изогипс и других изолиний наносят в разрывах, при этом цифры основаниями должны быть направлены в сторону уклона (черт. 7).

4.8. Разрезы, сечения, профили на горных чертежах следует обозначать по ГОСТ 2.305 с учетом требований настоящего стандарта. Допускается сечение, разрез, профиль сопровождать надписями, например: «Профиль рельсового пути откаточного штрека», «Геологический разрез», «Разрез вкрест простирания».

Допускается на планах секущие плоскости для обозначения геологических и других разрезов показывать арабскими цифрами в кружочке (черт. 8).

4.9. Линии разрезов вкрест простирания на вертикальных проекциях (разрезах) следует обозначать штрихпунктирными тонкими линиями. У этих линий в нижней и верхней части чертежа следует указывать номера разрезов арабскими цифрами в кружочке (черт. 9).

4.10. Выносные элементы на горных чертежах допускается обозначать арабскими цифрами.

Черт. 8

Черт. 9

Черт. 10

Однотипные выносные элементы на одном чертеже следует нумеровать с первого номера, например «Сопряжение 1», «Камера противопожарных дверей 1».

4.11. Текстовую часть, помещаемую на поле чертежа, следует располагать над основной надписью или оформлять в виде таблиц (черт. 10).

Таблица подсчета объемов работ и расхода материалов

Черт. 11

4.12. Таблицы (подсчета объема горных выработок, подсчета объемов и расходов материалов, стрелочные переводы и съезды и т.д.) следует размещать на свободном месте поля чертежа справа от изображения или ниже его и выполнять по ГОСТ 2.105.

4.13. Если на поле чертежа размещены одна или несколько разных таблиц, то допускается их не нумеровать и слово «таблица» не писать. Тематический заголовок следует помещать над таблицей.

4.14. При переносе таблицы следует повторить головку таблицы и указать слово «Продолжение». Перенос таблицы следует выполнять справа налево.

При повторении нескольких одинаковых слов, расположенных в одной и той же графе таблицы, допускается в следующей строке писать слова «То же».

Если повторяется лишь часть фразы, то допускается заменять ее словами «То же» с добавлением дополнительных сведений (черт. 11).

5. НАНЕСЕНИЕ РАЗМЕРОВ

5.1. Правила нанесения размеров на горных чертежах - по ГОСТ 2.307 с учетом требований настоящего стандарта.

5.2. Линейные размеры на горных чертежах следует указывать в миллиметрах (черт. 12), кроме чертежей, на которых изображают большие площади и протяженные объекты, например: чертежи шахтных полей, чертежи систем разработок, схемы вскрытия, погоризонтные планы, планы горных работ, чертежи транспортных и энергетических коммуникаций, чертежи всех видов по открытым разработкам, чертежи целиков и т.д. На таких чертежах все линейные размеры следует приводить в метрах, не указывая единицы измерения (черт. 13).

5.3. Уклоны следует выражать в сотых и тысячных долях и обозначать на проектных и производственно-технических чертежах согласно черт. 14 а, б, в. На профилях уклон показывают согласно черт. 14.

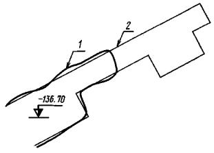
5.4. Высотные отметки следует указывать в метрах с точностью до сотых долей.

Отсчетный уровень принимается за «Нулевой» и обозначается цифрой «0».

Отметки уровня ниже отсчетного следует указывать со знаком «-» (минус), выше отсчетного - со знаком «+» (плюс).

Черт. 12

Черт. 13

Черт. 14

При положительном значении высотной отметки знак «+» допускается не указывать. На проектных и производственно-технических чертежах высотные отметки следует указывать согласно черт. 15.

Черт. 15

5.5. На разрезах, профилях и вертикальных проекциях высотные отметки следует указывать около сетки (черт. 16). Линии горизонтов на сетке следует изображать сплошными тонкими линиями через определенное число метров в зависимости от высоты этажа, системы разработки и масштаба чертежа. У линий горизонтов (глубины) с левой стороны чертежа следует указывать их числовые значения: без скобок - высотные отметки горизонтов, в скобках - глубины от поверхности (черт. 9).

На планшетах числовые значения горизонтов (глубин) следует указывать на правом поле планшета.

Черт. 16

6. ОСНОВНЫЕ НАДПИСИ

6.1. Каждый лист горного чертежа должен иметь основную надпись. На маркшейдерско-геологических чертежах допускается основную надпись не помещать.

6.2. Маркшейдерско-геологические чертежи должны иметь титульную надпись (см. разд. 7).

6.3. Основную надпись следует располагать в правом нижнем углу чертежа.

6.4. Над основной надписью каждого листа или слева от нее следует оставлять свободное поле (около 50 мм) для указаний о применении, снятии копии, дубликата, замене и т.д.

6.5. Содержание, расположение и размеры граф основной надписи для производственно-технических чертежей должны соответствовать приведенным на черт. 17.

6.6. В графах основной надписи (номера граф на чертеже показаны в скобках) следует указывать:

в графе 1 - наименование чертежа;

в графе 2 - наименование вышестоящей организации, которой подчиняется предприятие (министерство, главк, комбинат);

в графе 3 - конкретное содержание чертежа;

в графе 4 - обозначение чертежа (индекс, шифр, номер);

в графе 5 - наименование горного предприятия (шахта, рудник, карьер), выпускающего чертеж;

Черт. 17

в графе 6 - сокращенное наименование отдела, разработавшего чертеж;

в графе 7 - масштаб;

в графе 8 - порядковый номер листа данного чертежа (на документах, состоящих из одного листа, графу не заполняют);

в графе 9 - общее количество листов данного чертежа (графу заполняют только на первом листе);

в графе 10 - должности лиц, участвующих в выпуске чертежа;

в графе 11 - фамилию лица, подписывающего чертеж;

в графе 12 - подписи лиц, фамилии которых указаны в графе 10;

в графе 13 - дату подписания чертежа;

в графах 14 - 18 - отметки об изменении чертежа, заполняют их в соответствии с требованиями ГОСТ 2.503;

в графе 19 - обозначение чертежа, повернутое на 180°;

в графе 20 - подпись лица, копировавшего чертеж;

в графе 21 - обозначение формата листа по ГОСТ 2.301.

Пример заполнения основной надписи приведен на черт. 18.

Черт. 18

7. ПРАВИЛА СОСТАВЛЕНИЯ МАРКШЕЙДЕРСКО-ГЕОЛОГИЧЕСКИХ ЧЕРТЕЖЕЙ

7.1. Виды маркшейдерско-геологических чертежей

7.1.1. Маркшейдерско-геологические чертежи в зависимости от назначения разделают на исходные и производные.

7.1.2. Исходные чертежи следует составлять непосредственно по результатам измерений и они должны служить основой для составления всех маркшейдерско-геологических чертежей.

7.1.3. Производные чертежи следует составлять на копиях исходных чертежей, дополняя их специальным содержанием в соответствии с назначением чертежа.

7.1.4. Исходные чертежи следует составлять на стандартных планшетах. Размеры планшетов с учетом полей: 440´460 мм - в масштабе 1:5000; 540´560 мм - в масштабах 1:500 - 1:2000.

7.1.5. Перечень исходных чертежей, составляемых на планшетах, и масштабов, должен соответствовать приведенному в табл. 2.

Таблица 2

Название чертежей

Масштаб (один из указанных)

Примечание

План промышленной площадки

1:500; 1:1000

 

Подземный способ разработки

План горных выработок по пласту, пластообразной залежи и россыпи

1:1000; 1:2000

Пласты, пластообразные залежи и россыпи независимо от угла падения и мощности

План горных выработок по каждому слою (при выемке слоями, параллельными напластованию)

1:1000; 1:2000

Мощные пласты

Проекция горных выработок на вертикальную плоскость

1:1000; 1:2000

Пласты, пластообразные залежи, жилы, линзы с углами падения 60° и более

Разрезы вкрест простирания, приуроченные к основным вскрывающим выработкам

1:1000; 1:2000

Пласты, пластообразные залежи, россыпи, жилы, линзы, мощные рудные тела

План горных выработок по основным горизонтам горных работ

1:1000; 1:2000; 1:5000

Свита пластов крутого падения, мощные рудные залежи и жилы

Открытый способ разработки

План горных выработок по горизонтам горных работ

1:500; 1:1000; 1:2000

Карьеры

План горных выработок полигонов

1:2000

Прииски

Разрезы, приуроченные к разведочным линиям

1:500, 1:1000; 1:2000

Карьеры и прииски

Картограммы расположения планшетов, съемки земной поверхности и горных выработок

1:5000; 1:10000; 1:25000

Карьеры и прииски

Примечание. При протяженности изображаемого объекта не более 1 км допускается составлять перечисленные исходные чертежи на листах форматов по ГОСТ 2.301. В этом случае координатная сетка по отношению к рамке чертежа может быть расположена с учетом наилучшего размещения изображаемого объекта.

7.1.6. Ошибки при составлении исходных чертежей не должны превышать значений, указанных в табл. 3.

Таблица 3

Название ошибок

Допустимая величина ошибки, мм

Ошибка взаимного положения точек пересечения линий сетки координат

±0,2

Ошибка положения пунктов опорной и съемочной сетки по отношению к линиям сетки координат

±0,4

Ошибка взаимного положения ближайших друг к другу пунктов опорной и съемочной сети

±0,6

Ошибка положения точек четких контуров по отношению к ближайшим пунктам опорной и съемочной сети

+0,6

Ошибка взаимного положения ближайших точек четких контуров

+0,8

7.1.7. Исходные чертежи следует выполнять на чертежной бумаге высшего качества ручного или машинного отлива, наклеенной на жесткую или мягкую основу для обеспечения длительного срока службы и хранения, и на недеформирующихся прозрачных синтетических материалах - пленках.

7.1.8. Производные чертежи рекомендуется выполнять на прозрачных синтетических материалах, бумажной натуральной кальке, светочувствительной позитивной, диазотипной бумаге и бумажной светочувствительной диазотипной кальке.

7.1.9. Исходные чертежи должны храниться в горизонтальном или вертикальном положении. Свертывать исходные чертежи запрещается.

7.1.10. Производные чертежи разрешается свертывать и складывать на формат 11 или 12 по ГОСТ 2.301.

7.2. Картограммы и схемы расположения планшетов

7.2.1. Чертежи горных выработок при открытом и подземном способах разработки месторождений для участков менее 20 км2 составляют на квадратных планшетах, размеры которых указаны в п. 7.1.4. Исходным форматом для разделения на планшеты принимают лист в масштабе 1:5000, охватывающий площадь 2´2 км. Разделение листа в масштабе 1:5000 на планшеты в масштабах 1:2000, 1:1000 и 1:500 и составление их номенклатур показаны на черт. 19.

Черт. 19

7.2.2. Картограммы расположения планшетов карт и планов следует составлять для всей территории экономической заинтересованности горного предприятия, тел полезных ископаемых и горизонтов горных работ в целом; картограммы расположения планшетов с разрезами и проекциями на вертикальную плоскость следует составлять от земной поверхности до нижнего проектного горизонта горных работ.

7.2.3. Каждую картограмму расположения планшетов чертежей одного и того же названия и масштаба следует составлять на отдельном планшете. Масштаб картограммы следует выбирать в зависимости от размеров горного отвода, тел полезных ископаемых, горизонтов горных работ и глубины разработок с таким расчетом, чтобы все картограммы поместились на одном планшете.

На картограмме следует показывать планшеты в виде клеток и важнейшие ориентирующие объекты ситуации земной поверхности, горные выработки или геологические нарушения. В клетках следует указывать условные номера планшетов.

7.2.4. Положение планшета в картограмме следует показывать на нижнем поле планшета в виде схемы, без соблюдения масштаба картограммы.

На схемах, кроме данного планшета, отмеченного штриховкой, следует изображать примыкающие к нему планшеты и указывать их условные номера по картограмме (черт. 20).

При изображении схемы планшета вертикального разреза или проекции на вертикальную плоскость следует указывать высотные отметки горизонтальных линий сетки, приуроченных к горизонтам горных работ (черт. 20 б).

Черт. 20

Черт. 21

7.3. Рамки чертежей

7.3.1. Линии рамок чертежей, выполняемых на планшетах, следует выполнять толщиной 0,2 мм на расстоянии от линии обреза планшета по 10 мм сверху и слева, 30 мм справа и 50 мм снизу.

7.3.2. Линии рамок чертежей проводить не следует, если они совпадают с линиями координатной сетки (черт. 21).

7.3.3. Линии рамки чертежей, выполняемых на форматах листов по ГОСТ 2.301, следует выполнять толщиной 0,2 мм на расстоянии 10 мм от верхнего, левого и правого края листа и 50 - 60 мм снизу.

7.3.4. Если на поле чертежа помещают титульную надпись, то нижнюю линию рамки следует проводить на расстоянии 10 мм от линии обреза листа.

7.4. Поля чертежей

7.4.1. В середине нижнего поля чертежа следует помещать титульную надпись. Титульная надпись должна содержать название вышестоящей организации и горного предприятия (комбината, шахты, карьера), название чертежа и его масштаб (черт. 22).

Черт. 22

В титульной надписи следует указывать: для планов горных выработок и геологических разрезов - обозначение горизонта (например, «Горизонт - 215 м»), для приисков - номер или название полигона. Вместо слова «пласт» в четвертой строке соответственно месторождению следует указывать «залежь», «линза» и т.д.

7.4.2. В левой стороне нижнего поля планшета следует помещать схему расположения планшета среди планшетов, примыкающих к нему, с указанием их условных номеров по картограмме (черт. 23).

Черт. 23

7.4.3. В правой стороне нижнего поля планшета следует помещать таблицу, в которой указывают должность, фамилию, подпись лица, начавшего составление планшета, и дату (черт. 24).

Черт. 24

7.4.4. На левом и верхнем полях планшета по линии обреза следует наносить линии сетки и изображать объекты со смежных планшетов (черт. 25).

Черт. 25

7.4.5. На правом поле планшета следует изображать выноски отдельных элементов изображения в более крупном масштабе. Около выноски следует указать ее номер и масштаб (черт. 26).

Черт. 26

7.4.6. Нижние поля чертежей, составляемых на листах форматов по ГОСТ 2.301, следует оформлять в соответствии с черт. 22 - 24.

7.4.7. Размеры шрифта для надписей, выполняемых за пределами рамки чертежей, должны соответствовать приведенным в табл. 4.

Таблица 4

Содержание надписи

Размер шрифта, мм

Числовые значения координаты

2,5

Названия чертежей

4,0; 5,0; 6,0; 7,0; 8,0; 10,0; 14,0;

Числовые значения координат Y и X

1,6, 2,0; 2,5

Масштабы

3,0

Заголовки и записи в таблице подписей на чертежах

2,5

Номенклатурные номера планшетов

5,0

Условные номера планшетов на схемах расположения

3,0

Обозначения сторон света

3,0

Номера планшетов на картограммах расположения

5,0

Номера следов вертикальных разрезов, проекций на вертикальную плоскость, линий совмещения, разведочных линий, точек поворота следов и линий

2,5

7.5. Сетка координат

7.5.1. На планшеты и листы карт и планов должна быть нанесена квадратная координатная сетка со стороной 100 мм черной тушью сплошными тонкими линиями толщиной 0,1 мм (черт. 21).

7.5.2. Координаты Y и X для линий сетки следует указывать до сотых долей километра, для линий сетки с наибольшим и наименьшим значениями координат они должны быть указаны полностью, а для всех остальных линий - начиная с десятков километров (черт. 23 - 26).

7.5.3. На чертежах производной, а также производственно-технической документации вместо линий сетки допускается изображать только их пересечения длиной 6 мм через 100 мм без оцифровки координат. В этом случае координатную сетку по отношению к рамке можно располагать с учетом наилучшего размещения изображаемого объекта. При этом на чертеже следует изобразить стрелку меридиана (черт. 27). Стрелку меридиана следует изображать также в случаях, когда в изображении сетки нет необходимости или для сетки, параллельной рамкам чертежа, указывать координаты не требуется. Длина стрелки должна быть пропорциональна размеру чертежа.

Черт. 27

7.5.4. В случае непараллельности линий сетки линиям рамки чертежа координаты линий сетки следует указывать внутри рамки вдоль нижней и левой ее линий (черт. 28).

Черт. 28

7.5.5. Сетку координат на вертикальных разрезах и проекциях на вертикальную плоскость следует изображать согласно черт. 29.

Черт. 29

Горизонтальные линии сетки должны соответствовать значениям высот горизонтов горных работ, кратным десяти метрам, а вертикальные линии - положению точек пересечения следов вертикальных плоскостей с одной из линий сетки координат Y и X на плане.

7.6. Изображение на чертежах вертикальных плоскостей разрезов и вертикальных проекций

7.6.1. След вертикальных пересекающихся плоскостей разреза и вертикальных проекций на плане и карте следует изображать сплошной тонкой линией толщиной 0,2 мм (черт. 30).

Черт. 30

7.6.2. Вертикальные пересекающиеся плоскости на разрезе следует изображать сплошными тонкими линиями (черт. 31).

7.6.3. Границу участков с углами падения тела полезного ископаемого 50° и менее, для которых не требуется построения проекции на вертикальную плоскость, следует изображать на плане сплошной основной линией толщиной 0,4 мм.

7.6.4. Ось клина разрыва на плане следует изображать сплошной тонкой линией толщиной 0,2 мм (черт. 32).

Черт. 31

Черт. 32

7.6.5. Границу клина разрыва на плане следует изображать сплошной основной линией толщиной 0,4 мм (черт. 33).

Черт. 33

7.6.6. Вертикальные плоскости проекций, пересекающиеся с клиньями разрыва, и соответствующие им участки на плане следует изображать тонкими сплошными линиями толщиной 0,2 мм согласно черт. 34.

Черт. 34

На черт. 30, 31, 34 цифрами в окружностях следует указывать номера вертикальных разрезов и проекций на вертикальную плоскость, цифрами без окружностей следует указывать номера точек пересечения вертикальных плоскостей (для проекций на вертикальную плоскость - номера осей и клиньев разрыва).

На черт. 31, 34 для вертикальных плоскостей следует указывать их дирекционные углы.

На черт. 32 - 34 незалитой окружностью следует показывать вершину клина разрыва, вокруг которой одна часть плана и проекции на вертикальную плоскость повернута относительно другой до взаимного их положения, при котором возможно составление чертежа; залитой окружностью обозначают точку максимального разрыва.

7.6.7. На горизонтальных планах подземной разработки крутопадающих залежей с выдержанным залеганием по простиранию следует дополнительно показывать линии преобладающего (среднего) простирания залежей и вертикальных разрезов вкрест простирания (черт. 35).

У линии среднего простирания, проведенной со стороны восстания залежей, следует наносить надпись «начальная линия разрезов», а у последующих линий - «линии среднего простирания», а также дирекционный угол этой линии и удаленность ее (в м) от начальной линии разрезов.

Точки пересечения крайних линий простирания с линиями вертикальных разрезов следует отметить кружочками с указанием порядковых номеров разрезов.

7.6.8. Планы по крутопадающим пластам, залежам, линзам и другим формам залегания полезного ископаемого большой мощности, дополняемые проекциями выработок на вертикальную плоскость и разрезами вкрест простирания, допускается помещать на одном листе необходимого размера. В верхней части строится план, в средней - проекция на вертикальную плоскость, в нижней - разрез вкрест простирания (черт. 36).

Черт. 35

Черт. 36

Черт. 37

Координатную сетку на плане следует наносить под углом к рамке планшета с учетом наиболее удобного расположения горных выработок. Среднее простирание должно быть параллельно верхней линии рамки планшета, а падение направлено в сторону нижней линии рамки. Вертикальную проекцию горных выработок следует располагать в средней части планшета так, чтобы изображенные над ней и на горизонтальной проекции одноименные точки находились в одной вертикальной плоскости, перпендикулярной к плоскости вертикальной проекции.

На нижней полосе планшета следует изображать характерные разрезы, а при необходимости и структурные колонки. Над разрезами следует приводить соответствующие надписи.

Числовые значения координаты у линий горизонтов (глубин) на вертикальных проекциях и разрезах следует надписывать горизонтально на правом поле планшета.

7.6.9. Проекции горных выработок подземной разработки мощных крутопадающих залежей на вертикальную плоскость и вертикальные разрезы следует выполнять согласно черт. 37, 38.

7.6.10. Горизонты (глубины) на вертикальных проекциях и разрезах следует изображать сплошными тонкими линиями синего цвета. У линий горизонтов (глубин) на правом поле планшета следует указывать числовые значения: без скобок - высотные отметки горизонтов, в скобках - глубины от поверхности. Линии горизонтов следует изображать с разрывом 10, 20 м и более в зависимости от высоты этажа, системы разработки и масштаба проекции или разреза.

7.6.11. Линии разрезов вкрест простирания на вертикальных проекциях следует изображать штрихпунктирными тонкими линиями. У этих линий на нижнем поле планшета следует указывать номера разрезов.

7.6.12. На вертикальных разрезах штрихпунктирной тонкой линией следует изображать линии среднего простирания залежей. На нижнем поле планшета следует указывать числовые значения координат точек пересечения линий простирания и вертикальных разрезов.

7.6.13. Объекты съемки на планы, разрезы и проекции на вертикальную плоскость следует наносить по ГОСТ 2.854 - ГОСТ 2.857.

Черт. 38

 

ИНФОРМАЦИОННЫЕ ДАННЫЕ

1. РАЗРАБОТАН Всесоюзным научно-исследовательским институтом по нормализации в машиностроении (ВНИИНМАШ)

Московским горным институтом (МГИ)

Всесоюзным научно-исследовательским институтом горной геомеханики и маркшейдерского дела (ВНИМИ)

ВНЕСЕН Всесоюзным научно-исследовательским институтом по нормализации в машиностроении (ВНИИНМАШ)

2. УТВЕРЖДЕН И ВВЕДЕН В ДЕЙСТВИЕ Постановлением Государственного комитета СССР по стандартам от 24.01.79 № 185

3. ССЫЛОЧНЫЕ НОРМАТИВНО-ТЕХНИЧЕСКИЕ ДОКУМЕНТЫ

4. Ограничение срока действия снято Постановлением Госстандарта от 13.08.82 № 3206

5. ПЕРЕИЗДАНИЕ. Август 2002 г.

СОДЕРЖАНИЕ

 

 



© 2013 Ёшкин Кот :-)